Staatscourant van het Koninkrijk der Nederlanden
| Datum publicatie | Organisatie | Jaargang en nummer | Rubriek |
|---|---|---|---|
| Amstelveen | Staatscourant 2019, 19128 | Verkeersbesluiten |
Zoals vergunningen, bouwplannen en lokale regelgeving.
Adressen en contactpersonen van overheidsorganisaties.
U bent hier:
| Datum publicatie | Organisatie | Jaargang en nummer | Rubriek |
|---|---|---|---|
| Amstelveen | Staatscourant 2019, 19128 | Verkeersbesluiten |
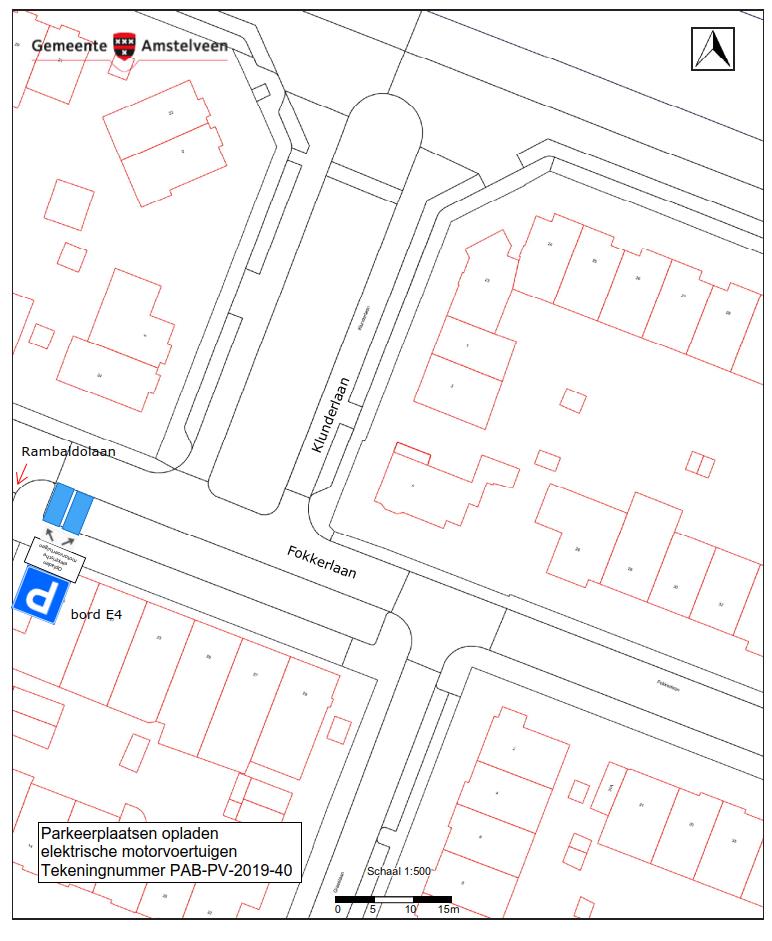
Burgemeester en wethouders van Amstelveen besluiten in de Fokkerlaan bij de kruising met de Rambaldolaan twee bij elkaar gelegen parkeerplaatsen aan te wijzen als parkeerplaats bestemd voor het opladen van elektrische motorvoertuigen.
Dit gebeurt door het plaatsen van bord E4 van bijlage 1 van het Reglement verkeersregels en verkeerstekens 1990, met onderbord met opschrift “opladen elektrische motorvoertuigen” en een onderbord dat aangeeft dat de maatregel voor twee naast elkaar gelegen parkeerplaatsen geldt, zoals aangegeven op de bebordingstekening PAB-PV-2019-40.
Deze plaatsen vervangen de twee bij hun besluit van 26 november 2018, zaaknummer Z18-015551, aangewezen en op tekening PAB-PV-2018-23 aangeduide parkeerplaatsen voor het opladen van elektrische motorvoertuigen op de Bovenkerkerkade bij de Klunderlaan.
Het besluit strekt conform artikel 2 Wegenverkeerswet 1994 tot:
De gemeente Amstelveen stimuleert het elektrisch vervoer. Dit vervoer draagt bij aan het verbeteren van de luchtkwaliteit in de gemeente Amstelveen. Voor het opladen van elektrische motorvoertuigen is het noodzakelijk om een netwerk van oplaadpunten te creëren. Daar waar behoefte is worden de oplaadpunten op centraal gelegen parkeerplaatsen gerealiseerd. Dit vergroot de vindbaarheid van deze plaatsen. De parkeerplaatsen mogen alleen gebruikt worden voor het opladen van deze elektrische motorvoertuigen.
In de omgeving van de aan te wijzen plaatsen wonen meerdere mensen met een elektrisch motorvoertuig die geen parkeergelegenheid op eigen terrein hebben. De oplaadpaal bij de locatie krijgt een dubbel aansluitpunt. Hierdoor kunnen twee bij elkaar gelegen parkeerplaatsen als oplaadplaats voor elektrische motorvoertuigen worden ingericht en gelijktijdig twee motorvoertuigen worden opgeladen. De locaties zijn getoetst aan de Beleidsregels oplaadinfrastructuur elektrische voertuigen van de gemeente.
De aangewezen parkeerplaatsen in de Fokkerlaan bij de kruising met de Rambaldolaan komen in de plaats van de twee bij hun besluit van 26 november 2018 aangewezen parkeerplaatsen op het westelijk deel van de Bovenkerkerkade bij de kruising met de Klunderlaan. Deze parkeerplaatsen waren nog niet ingericht als laadplaats. Het besluit van 26 november 2018 wordt in die zin gewijzigd dat de aanwijzing van de genoemde parkeerplaatsen op de Bovenkerkerkade als parkeerplaatsen voor het opladen van elektrische motorvoertuigen wordt geschrapt. Daarmee vervalt tevens de uitvoering daarvan.
Overeenkomstig artikel 24 van het BABW is overleg gepleegd met een namens de korpschef van de regiopolitie Amsterdam-Amstelland gemandateerde specialist van het team Verkeersadvisering over het aanwijzen van dergelijke oplaadpunten. De specialist heeft daarbij aangegeven geen bezwaren te hebben tegen het bestemmen van bestaande parkeerplaatsen voor het opladen van elektrische motorvoertuigen
Verkeersbesluiten worden genomen door burgemeester en wethouders voor zover zij betreffen het verkeer op de wegen, welke niet in beheer zijn bij het Rijk, de provincie of een waterschap (artikel 18, lid 1, onder d, WVW 1994). Het mandaatbesluit van burgemeester en wethouders is van toepassing. Er is ondermandaat verleend aan de juridisch adviseur verkeer van de gemeente.
De parkeerplaatsen liggen binnen de bebouwde kom en zijn in beheer bij de gemeente Amstelveen.
Amstelveen, 27 maart 2019
Burgemeester en wethouders van de gemeente Amstelveen,
namens dezen,
mr. J.C.M. Otten
juridisch adviseur verkeer
Tegen dit besluit kunnen belanghebbenden binnen zes weken na bekendmaking een bezwaarschrift indienen. Het bezwaarschrift moet worden ondertekend. Het bevat ten minste de naam en het adres van de indiener, de dagtekening, een omschrijving van het besluit waartegen het bezwaar is gericht en de gronden van het bezwaar. Zo mogelijk meldt u uw e-mailadres en het telefoonnummer waarop u overdag te bereiken bent.
Het bezwaarschrift richt u aan het College van burgemeester en wethouders, t.a.v. Juridische zaken, Postbus 4, 1180 BA Amstelveen.
Digitaal bezwaar maken is ook mogelijk. Dit kan via www.amstelveen.nl/bezwaarschrift. Hiervoor moet u wel over een elektronische handtekening (DigiD) beschikken.
Als u bezwaar maakt, geldt de beslissing nog wel. Wilt u dat het gemeentelijke besluit tijdens uw bezwaarprocedure tijdelijk wordt opgeschort? Dien dan een verzoek om voorlopige voorziening in bij de voorzieningenrechter van de rechtbank. Als de voorzieningenrechter uw verzoek toekent, is het besluit opgeschort.
Kopieer de link naar uw clipboard
https://zoek.officielebekendmakingen.nl/stcrt-2019-19128.html
De hier aangeboden pdf-bestanden van het Staatsblad, Staatscourant, Tractatenblad, provinciaal blad, gemeenteblad, waterschapsblad en blad gemeenschappelijke regeling vormen de formele bekendmakingen in de zin van de Bekendmakingswet en de Rijkswet goedkeuring en bekendmaking verdragen voor zover ze na 1 juli 2009 zijn uitgegeven. Voor pdf-publicaties van vóór deze datum geldt dat alleen de in papieren vorm uitgegeven bladen formele status hebben; de hier aangeboden elektronische versies daarvan worden bij wijze van service aangeboden.