Kennisgeving intrekking voorkeursrecht Hellendoorn Noord - gemeente Hellendoorn

 

Nijverdal, 19 december 2025, kenmerk 2025-015372

 

Intrekking voorkeursrecht

De gemeenteraad van de gemeente Hellendoorn geeft op grond van artikel 16.32b Omgevingswet kennis dat hij op 16 december 2025 besloten heeft om een voorkeursrecht in te trekken, waardoor voor diverse onroerende zaken geen voorkeursrecht meer geldt.

 

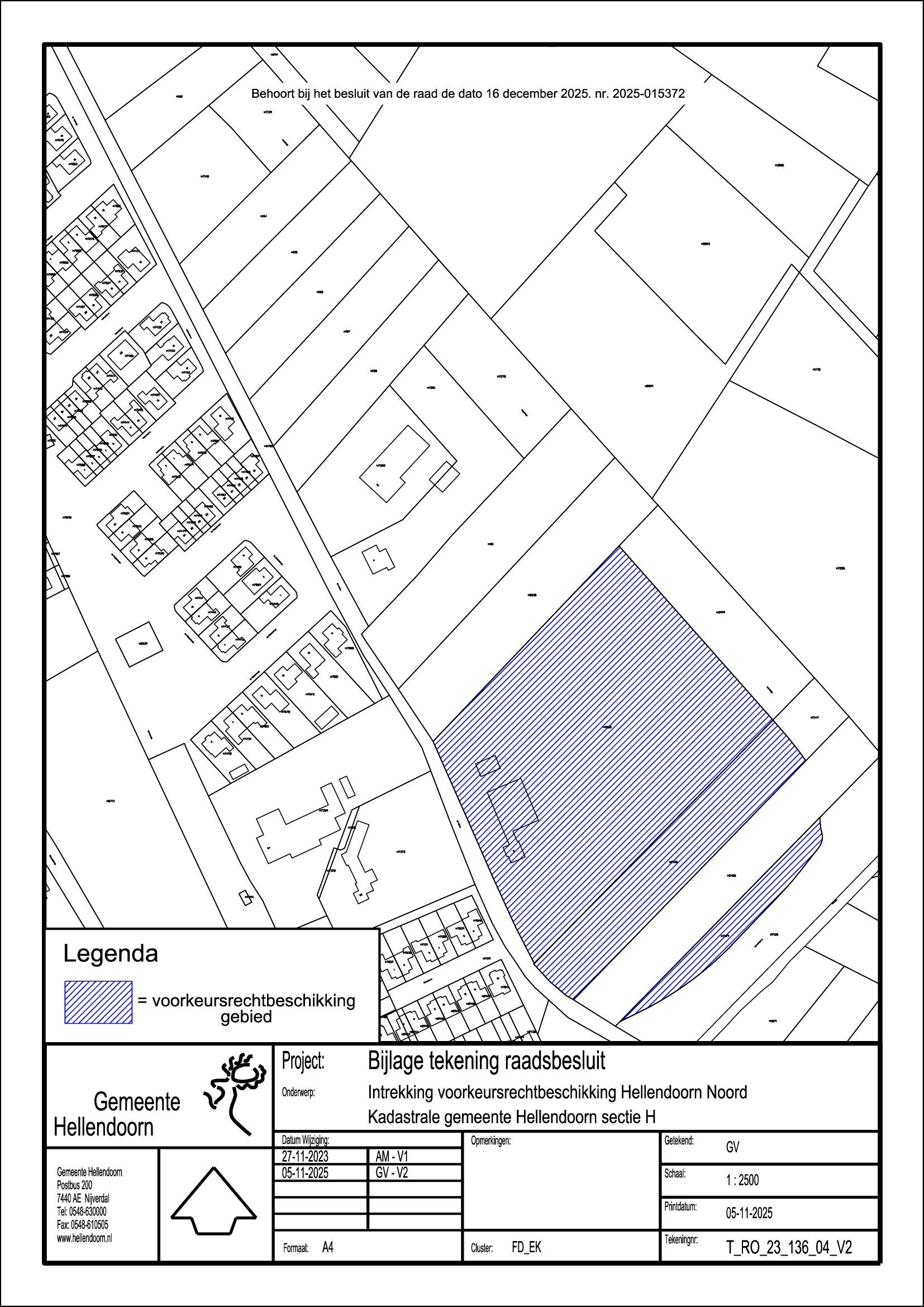
De intrekking van het voorkeursrecht heeft betrekking op onroerende zaken in Hellendoorn Noord.

 

De eigenaren en beperkt gerechtigden hebben afzonderlijk bericht ontvangen over de intrekking van het voorkeursrecht.

 

Inzien van de stukken

Het besluit van de gemeenteraad van 16 december 2025 ligt, samen met het voorstel aan de gemeenteraad en bijbehorende stukken, met ingang van 19 december 2025 gedurende 6 weken voor iedereen kosteloos ter inzage in het gemeentehuis van de gemeente Hellendoorn aan de Willem Alexanderstraat 7, 7442 MA Nijverdal.

 

De bijbehorende stukken bestaan uit de kadastrale kaart en lijst met daarop de kadastrale aanduiding van de onroerende zaken waarvoor het voorkeursrecht wordt ingetrokken, de grootte, de naam van de eigenaar en/of beperkt gerechtigde en overige relevante gegevens. Wilt u de stukken komen inzien, dan kunt u tijdens kantooruren langskomen in het gemeentehuis aan bovenvermeld adres. U hoeft hiervoor geen afspraak te maken.

 

De kadastrale kaart en lijst zijn ook digitaal te raadplegen in het Gemeenteblad via de bijlagen of via de link ‘gerelateerd – externe bijlagen’ behorende bij deze publicatie.

 

De raad van de gemeente Hellendoorn,

de griffier, de voorzitter,

 

Bijlage 1 Kadastrale kaart

Bijlage 2 Perceellijst

Naar boven