Locatiebesluit van het dagelijks bestuur van stadsdeel Nieuw-West tot aanwijzing van afvalinzamellocaties op de Naritaweg 8 en Naritaweg 10

Het dagelijks bestuur van stadsdeel Nieuw-West

 

Gelet op:

  • -

    Artikel 10.26, Wet milieubeheer (BWBR0003245)

  • -

    Artikel 4, Afvalstoffenverordening Amsterdam 2023 (Gemeenteblad 2023, nr. 2700);

  • -

    Artikel 4 en artikel 7, Uitvoeringsbesluit Afvalstoffenverordening Amsterdam 2023, (Gemeenteblad 2023, nr. 2694)

  • -

    Eisen en richtlijnen stedelijk kader ‘bepalen locaties inzamelvoorzieningen’, (Gemeenteblad 2021, nr. 113641);

  • -

    Uitvoeringsplan Afval 2016-2020, grondstoffen uit Amsterdam, 14 juni 2016;

  • -

    Uitvoeringsprogramma Afval & Grondstoffen 2020-2025, 17 december 2020 (UPA 2020-2025);

  • -

    Artikel 9, tweede lid en bijlage 3 – onderdeel D.4 en artikel 19, Verordening stadsdelen en stadsgebied Amsterdam 2022 (CVDR673559);

  • -

    Afdeling 3.4, Algemene wet bestuursrecht (BWBR0005537)

  • -

    Artikel 6, Algemene inspraakverordening Gemeente Amsterdam (CVDR406260)

Overwegende dat:

  • -

    De Wet milieubeheer gemeenten de mogelijkheid biedt om in het belang van de doelmatigheid huishoudelijke afvalstoffen in te zamelen nabij elk perceel;

  • -

    Het college van burgemeester en wethouders de bevoegdheid om hierover te besluiten heeft belegd bij de dagelijks besturen van de stadsdelen;

  • -

    In stadsdeel Nieuw-West huishoudelijk afval wordt ingezameld met inzamelvoorzieningen voor meerdere huishoudens (ondergronds en/of bovengronds);

  • -

    De meest geschikte locaties zijn gekozen met inachtneming van het stedelijk kader ‘bepalen locaties inzamelvoorzieningen’;

  • -

    Dit besluit van 3 juli tot en met 6 september 2024 ter inzage heeft gelegen;

  • -

    Er in die periode 2 zienswijzen zijn ingekomen;

  • -

    De zienswijzen geen aanleiding geven tot wijziging van de voorgenomen locaties in het ontwerpbesluit;

  • -

    De zienswijzen inhoudelijk zijn behandeld in het eindverslag;

  • -

    De stadsdeelcommissie tijdens de inspraakperiode geen advies heeft uitgebracht.

Besluit:

  • l.

    het eindverslag vast te stellen;

  • lla.

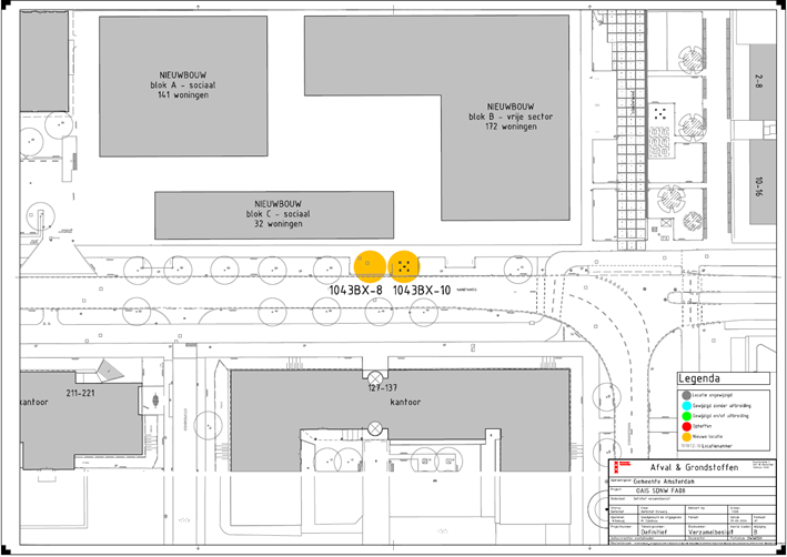
    De volgende locaties, zoals aangegeven op de bij dit besluit behorende overzichtstekening, aan te wijzen;

  • lll.

    Dit besluit in werking te laten treden op de dag na bekendmaking.

Het college van burgemeester en wethouders van Amsterdam,

namens hen,

het dagelijks bestuur van stadsdeel Nieuw-West,

E.C. Burke

Stadsdeeldirecteur

E. Ünver

Stadsdeelvoorzitter

Bijlagen: bij de besluiten behorende overzichtstekening

 

Tegen een besluit kan beroep worden ingesteld. Beroep kan binnen zes weken worden ingesteld bij de Afdeling bestuursrechtspraak van de Raad van State, Postbus 20019, 2500 AE Den Haag. De termijn begint op de datum van de dag na de ter inzagelegging van het besluit. Voor het instellen van beroep is griffierecht verschuldigd.

Naar boven