Projectplan Waterwet demping teensloot Stoofkade

Op 8 februari 2023 is het Projectplan Waterwet demping teensloot ten behoeve van de kadeverbetering Stoofkade vastgesteld.

 

Toelichting

De Stoofkade te Gouda is een regionale waterkering binnen het beheergebied van het hoogheemraadschap van Schieland en de Krimpenerwaard (HHSK). Het hoogheemraadschap zorgt ervoor dat dijken en kades binnen het beheergebied in goede staat blijven door deze regelmatig te inspecteren, monitoren en te onderhouden. Op basis van een veiligheidstoets en aanvullend onderzoek is gebleken dat er een (beperkte) stabiliteits- en hoogteopgave ligt voor de Stoofkade. Om deze kade aan de gestelde veiligheidsnormen te laten voldoen wordt er onderhoud uitgevoerd. Binnen het traject wordt een teensloot gedempt om de stabiliteit van de kade te kunnen verbeteren.

 

Hoe kunt u reageren?

U kunt binnen zes weken na het verschijnen van deze bekendmaking bezwaar maken tegen dit projectplan. Het bezwaarschrift moet worden gericht aan het college van Schieland en de Krimpenerwaard, t.a.v. A. van Sighem, Postbus 4059, 3006 AB Rotterdam o.v.v. bezwaarschrift reconstructie Stoofkade.

 

Het indienen van een bezwaarschrift schorst de inwerkingtreding van dit besluit niet. Indien de indiener van een bezwaarschrift van oordeel is een spoedeisend belang te hebben bij gehele of gedeeltelijke schorsing van dit besluit kan een voorlopige voorziening worden gevraagd bij de president van de rechtbank Rotterdam, sector Bestuursrecht, Postbus 50951, 3007 BM Rotterdam. Een afschrift van het bezwaarschrift moet met het verzoek om voorlopige voorziening worden meegezonden. Overigens is het ook mogelijk om langs elektronische weg een verzoekschrift voor een voorlopige voorziening bij de bestuursrechter in te dienen. De mogelijkheid daartoe is terug te vinden op http://loket.rechtspraak.nl/bestuursrecht.

 

Heeft u vragen?

Voor meer informatie kunt u contact opnemen met dhr. A. van Sighem, 010-4537200.

 

1 INLEIDING/ PROJECTBESCHRIJVING

1.1 Aanleiding

Het hoogheemraadschap van Schieland en de Krimpenerwaard (HHSK) zorgt ervoor dat de dijken en kades binnen het beheergebied in goede staat blijven, zodat deze ook in extreme omstandigheden het water kunnen keren. Door dijken en kades regelmatig te inspecteren en te monitoren is de actuele staat van de waterkeringen inzichtelijk. In 2012 heeft HHSK de kades getoetst aan de veiligheidsnormen. Uit deze toetsing is gebleken dat kadevak GOU 002 (Stoofkade) gedeeltelijk niet aan de gestelde veiligheidsnormen voldoet. Om het wenselijke veiligheidsniveau voor alle keringen te bereiken is met de Provincie Zuid-Holland afgesproken dat de regionale keringen die niet aan de norm voldoen, op orde worden gebracht.

 

1.2 Probleemstelling

In opdracht van het hoogheemraadschap is in 2012 een detailtoets 1 uitgevoerd voor de regionale waterkeringen, waaronder kadevak GOU 002 “Stoofkade”. Uit deze toetsing is gebleken dat 500 van de 583 meter van de kade onvoldoende scoort op het faalmechanisme binnenwaartse stabiliteit. In 2022 is het kadevak opnieuw beoordeeld op basis van aanvullend onderzoek2 door HHSK3 . Uit deze analyse is gebleken dat er op basis van de huidige gegevens een beperkte stabiliteits- en hoogteopgave ligt. Om de kade aan de gestelde veiligheidsnormen te laten voldoen gaat het hoogheemraadschap onderhoud uitvoeren. Binnen het traject wordt een teensloot gedempt om de stabiliteit van de kade te kunnen verbeteren.

 

1.3 Waarom een projectplan?

Het voorliggende projectplan beschrijft de waterstaatkundige werken en werkzaamheden die vallen onder het project ‘Kadeverbetering Stoofkade’ waarbij een wijziging plaats vindt aan de normatieve toestand (richting, vorm, afmeting of constructie) van een waterstaatkundig werk. Ingevolge artikel 5.4, eerste lid van de Waterwet ‘geschiedt de aanleg of wijziging van een waterstaatwerk door of vanwege de beheerder overeenkomstig een daartoe door hem vast te stellen projectplan’. Het projectplan bevat een omschrijving van het werk en een beschrijving van de te treffen voorzieningen, gericht op het ongedaan maken of beperken van de nadelige gevolgen van de uitvoering van het werk voor de omgeving.

Op de projectlocatie is sprake van het dempen van een watergang en daarmee wijzigt het waterstaatwerk, zoals deze is vastgelegd in de Legger Watersystemen van het hoogheemraadschap van Schieland en de Krimpenerwaard.

 

1.4 Projectresultaat

Het project ‘Kadeverbetering Stoofkade’ heeft als doel de waterveiligheid te verbeteren. De kade wordt op hoogte gebracht met kleihoudende grond. Om de binnenwaartse stabiliteit van de kade te verbeteren wordt de langs liggende teensloot (watergang OWA-69714) gedempt met grof zand. In de voormalige teensloot wordt een drainage aangelegd ten behoeve van het afvoeren van water. Na afronding van de werkzaamheden voldoet kadevak GOU 002 (Stoofkade) weer aan de gestelde hoogte- en stabiliteitseisen.

Het project neemt aanvullende werkzaamheden (verwijderen van leidingen door de kade) mee om de situatie van aan- en afvoer van water binnen peilgebied GPG-132 te verbeteren, zodat er volledig wordt voldaan aan het beleid van het hoogheemraadschap. Voor een overzicht van de werkzaamheden zie §3.1.

 

1.5 Locatiegegevens

Het kadevak GOU 002 “Stoofkade” is een regionale waterkering gelegen langs het Gouwekanaal in de gemeente Gouda (zie Afbeelding 1 en Afbeelding 2). In de teen van de kade is een watergang OWA-69714 (voorheen OWA-2022 en OWA-2045) aanwezig. Deze te dempen watergang betreft een ondiepe teensloot (Afbeelding 4 en Afbeelding 5). In het vigerende peilbesluit (vastgesteld 31 januari 2013) bevindt deze teensloot zich in het peilvak GPG-132. Dit peilvak betreft een gesloten watersysteem met een eigen pompinrichting en een afwijkend peil, zie Afbeelding 3.

 

Kadevak GOU 002 is een groene kade. Achter de kade bevindt zich een motorcrossterrein van MCC Holland, zie Afbeelding 4. In het noord/westelijke gedeelte van de projectlocatie ligt een spoorviaduct van ProRail. In het buitentalud van de Stoofkade is een damwand constructie aanwezig, de damwand is in beheer bij Provincie Zuid-Holland. Parallel aan het Gouwekanaal ligt een lokale weg genaamd Stoofkade.

 

Afbeelding 1: Traject kadeverbetering

 

Afbeelding 2: Globale projectlocatie

 

Afbeelding 3: Peilvak GLG-132

 

Afbeelding 4: Teensloot met rechts talud van de kade en links het motorcrossterrein

 

De werkzaamheden vinden plaats ter hoogte van de volgende kadastrale percelen, zie Tabel 1 en Afbeelding 6.

 

Tabel 1: kadastrale percelen

Gemeente

Kadastrale gemeente

Perceel

Eigenaar

Gouda

Gouda

GOU01F2858

Provincie Zuid-Holland

Gouda

Gouda

GOU01F3915

Provincie Zuid-Holland

Gouda

Gouda

GOU01F2859

MCC Holland

Gouda

Gouda

GOU01F3678

MCC Holland

Gouda

Gouda

GOU01F3242

Railinfratrust B.V.

Gouda

Gouda

GOU01F3244

Railinfratrust B.V.

 

Afbeelding 5: Te dempen watergang (teensloot)

 

Afbeelding 6: kadastrale percelen

2 RANDVOORWAARDEN WET- EN REGELEGEVING

 

De Waterwet kent op grond van artikel 2.1 de volgende drie doelstellingen:

  • A.

    Voorkoming en waar nodig beperking van overstromingen, wateroverlast en waterschaarste.

  • B.

    Bescherming en verbetering van de chemische en ecologische kwaliteit van watersystemen.

  • C.

    Vervulling van maatschappelijke functies door watersystemen.

In dit hoofdstuk vindt een toetsing aan deze hoofddoelen van de Waterwet plaats van de in hoofdstuk 3 beschreven nieuwe en gewijzigde waterstaatswerken.

 

2.1 Voorkoming en/ of beperking van wateroverlast en waterschaarste

De kade dient minimaal aan te voldoen aan de legger waterkeringen, katern Gouwekade, leggerprofiel B, zoals weergeven in Afbeelding 7. Dit profiel is als startpunt gebruikt voor het opstellen van het kadeontwerp.

 

Afbeelding 7: Leggerprofiel B van HHSK, legger waterkeringen.

 

Om te voldoen aan de gestelde veiligheidsnormen wordt de kade langs het gehele traject verstevigd (zie Afbeelding 1). De huidige kade is over een strekking van ruim 500 meter afgekeurd op binnenwaartse stabiliteit en hoogte. Om de hoogte te verbeteren wordt er klei aangebracht op de kruin van de kade. Om de binnenwaartse stabiliteit te verbeteren wordt het binnentalud aangevuld met klei en wordt de aangrenzende teensloot (OWA-69147) gedempt.

Na uitvoering van de werkzaamheden wordt de te dempen watergang uit de Legger Watersystemen verwijderd. Vanwege de beperkte functie van de teensloot, die af en toe zelfs droogvalt, is geen watercompensatie voor het natte oppervlak (m2) benodigd. Het betreffende gebied heeft een afwijkend peil welke niet direct in verbinding staat met het peilgebied van de Oostpolder. Het gebied heeft relatief weinig oppervlaktewater. Het water wordt binnen dit gebied opgevangen en wordt niet afgewenteld naar de omgeving. Doordat het gebied wordt bemalen door een pompje van geringe capaciteit, heeft vermindering van het oppervlaktewater geen gevolgen hebben voor de omgeving. Het pompje voldoet aan de bemalingsrichtlijn voor het verpompen van oppervlaktewater. Bij hevige neerslag wordt het water in de percelen en in de overgebleven watergangen geborgen.

 

2.2 Bescherming van de chemische en ecologische kwaliteit van het watersysteem

Bij dit project vinden geen emissies plaats van chemische stoffen. De chemische en ecologische kwaliteit van het watersysteem wordt niet beïnvloed door dit project. De materialen die gebruikt worden zijn natuurlijk van aard (klei) en zijn standaard materialen die bij dijkversterkingen worden toegepast.

 

2.3 Maatschappelijke functie van het watersysteem

De huidige maatschappelijke functie van de kering blijft ook na het uitvoeren van de werkzaamheden behouden. Recreanten kunnen alleen gedurende de uitvoering van de werkzaamheden enige hinder ondervinden.

3 PLAN VAN AANPAK EN PLANNING

3.1 Werkzaamheden en uitvoeringsaspecten

Uit te voeren werkzaamheden ten behoeve van kadeverbetering

  • Aanbrengen kleihoudende grond.

  • Herprofileren kade.

  • Verwijderen begroeiing waar nodig voor de werkzaamheden.

  • Verwijderen van slib uit de teensloot.

  • Dempen van de teensloot met drainzand.

  • Aanbrengen drainage in de te dempen teensloot.

Aanvullende werkzaamheden

  • Verwijderen bestaande leidingen uit de kade

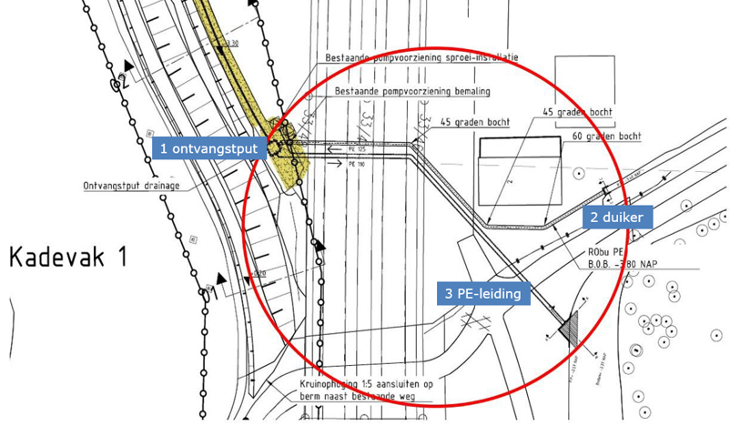
De volgende aan te brengen objecten worden opgenomen in de legger watersystemen (Afbeelding 8):

  • 1.

    Ontvangstput drainage (gemaal) onder de naam: KGM-295

  • 2.

    Duiker onder de naam: KDU-9218

  • 3.

    PE-leiding (inlaat) onder de naam: INL-689

Afbeelding 8: Overzicht aan te brengen objecten

 

3.2 Globale planning

De periode van uitvoering van de werkzaamheden staat gepland voor kwartaal 2/ kwartaal 3 van 2023. Een uitvoeringsplanning zal worden gemaakt door de aannemer.

4 OMGEVINGSASPECTEN EN BELANGHEBBENDEN

4.1 Omgevingsaspecten en oplossingen

In deze paragraaf staat een korte beschrijving van de belangrijkste omgevingsaspecten.

 

Waterhuishouding

Met het uitvoeren van deze werkzaamheden wordt het huidige watersysteem aangepast. Door het verwijderen van het baggerslib in combinatie met de aanleg van een drainagesysteem en daarbij behorende leidingen, zal de waterhuishouding verbeteren ten opzichte van de situatie voorafgaand aan de werkzaamheden.

 

Waterkering

Na het ophogen en verstevigen van de kade neemt de veiligheid van de waterkering toe, omdat deze weer aan de gestelde veiligheidseisen voldoet. Het risico op het ontstaan van schade aan de waterkering door de werkzaamheden, zoals rijschade of zetting, is beperkt door bij de keuze van het materieel rekening te houden met de bodemgesteldheid. Ongewenste elementen (leidingen) worden verwijderd uit de kade.

 

Ruimtelijke inpassing

De teensloot demping heeft geen negatief effect op het landschap. Het groen wordt enkel verwijderd waar dit belemmering vormt voor de uitvoering.

 

Verkeer

Tijdens realisatie is enige verkeershinder te verwachten vanwege aan- en afvoeren van materialen en kortdurende werkzaamheden ter hoogte van de weg (Stoofkade). De aannemer communiceert tijdig met de omgeving om overlast te minimaliseren en om veiligheid en bereikbaarheid te garanderen.

 

Vaarwegen

De beoogde werkzaamheden hebben geen gevolgen voor de scheepvaart.

 

Nutsvoorzieningen

Door middel van een oriëntatiemelding (Klic) is bekend welke kabels en leidingen op de locatie liggen het ontwerp wordt met de netbeheerders afgestemd. De aannemer meldt de graafwerkzaamheden voordat gestart wordt met de werkzaamheden. Er zijn proefsleuven uitgevoerd in de voorbereiding van het project.

 

Maatschappelijk draagvlak en omwonenden

Verschillende belanghebbenden zijn betrokken geweest bij de totstandkoming van het Definitief Ontwerp (DO). Het ontwerp is besproken met Provincie Zuid-Holland, ProRail en MCC Holland..

 

Bodem

In augustus/september 2022 is een historisch bodemonderzoek4 uitgevoerd voor de projectlocatie. Op basis van dossierstudie en een terreininspectie kan het projectgebied als onverdacht voor bodemverontreiniging worden beschouwd. Hierbij is aanvullend onderzoek niet noodzakelijk. De geldende bodemkwaliteitskaart kan worden gebruikt bij grondverzet. De projectlocatie is geschikt voor het huidig gebruik.

 

Waterbodem

In augustus/september 2022 is een milieu hygiënisch waterbodemonderzoek5 uitgevoerd in de teensloot. In totaal zijn er 10 boringen gezet tot een diepte van 1,40 m onder maaiveld. Voor locaties van deze boringen zie Afbeelding 9. Uit de toetsing aan de generieke toepassingskaders blijkt dat zowel de sliblaag als de vaste bodem beoordeeld is als ‘klasse A’ voor toepassing in oppervlaktewaterlichamen. De sliblaag is beoordeeld als ’klasse wonen’ en de vaste bodem maximaal als ‘klasse industrie’ voor toepassing op landbodem. De sliblaag is beoordeeld als ‘verspreidbaar’ op het aangrenzend perceel. De sliblaag en de vaste bodem zijn tevens beoordeeld als ‘toepasbaar’ in een grootschalige toepassing op landbodem en/of in oppervlaktewater.

 

PFAS

In de sliblaag en de vaste bodem is PFAS boven de detectiegrens aangetoond, maar het betreffen lage gehalten die geen beperkingen opleveren voor het toepassen en/of de verspreiding van de baggerspecie in een oppervlaktewaterlichaam of op landbodem (grondwaterbeschermingsgebieden uitgezonderd).

 

CROW400

Op basis van de analyseresultaten wordt gesteld dat bij uitvoering van graaf- en/of baggerwerkzaamheden geen aanvullende arbeid hygiënische veiligheidsmaatregelen genomen hoeven te worden (CROW400). Er kan worden volstaan met de basishygiëne.

 

Afbeelding 9: locaties uitgevoerde boringen t.b.v. waterbodemonderzoek

 

Archeologie

De werkzaamheden ten behoeve van de teensloot demping vallen voor een klein gedeelte binnen het gebied ‘hoge archeologische verwachtingswaarde’, zie Afbeelding 10. In overleg met de gemeente Gouda is een QuickScan Archeologie6 uitgevoerd. Hieruit blijkt dat op basis van de voorgenomen werkzaamheden gesteld kan worden dat de werkzaamheden geen bedreiging vormen voor eventuele aanwezige archeologische resten in de ondergrond van het projectgebied. Gezien de aard en omvang van de bodemingrepen is geen archeologisch (voor) onderzoek noodzakelijk. Hoofdstuk 5 gaat verder in op de benodigde omgevingsvergunning voor het werken binnen een gebied met een hoge tot zeer hoge archeologische verwachtingswaarde.

 

Afbeelding 10: Archeologische verwachtingswaarde gemeente Gouda (bron: archeologische basiskaart gemeente Gouda)

 

Ontplofbare oorlogsresten

De projectlocatie bevindt zich gedeeltelijk is verdacht gebied ten aanzien van Ontplofbare Oorlogsresten (OO) (voorheen Niet Gesprongen Explosieven, NGE), zie Afbeelding 11 en Afbeelding 12.

 

Afbeelding 11 : OO verdacht gebied, bron HHSK, onderzoek door T&A

 

Afbeelding 12 : OO verdacht gebied, bron gemeente Gouda, onderzoek door REASeuro

 

Ten behoeve van de voorgenomen werkzaamheden is een adviesrapport ontplofbare oorlogsresten7 opgesteld. Omdat het onderzoek van REASeuro (Afbeelding 12) ouder is en er een buffer wordt gehanteerd die tegenwoordig als bijzonder groot wordt beschouwd, is voor dit rapport het horizontale verdachte gebied van T&A (Afbeelding 11) aangehouden. Uit het rapport blijkt dat binnen het onverdachte gebied werkzaamheden uitgevoerd kunnen worden zonder verdere maatregelen met betrekking tot de opsporing van ontplofbare oorlogsresten (OO). De werkzaamheden binnen verdacht gebied kunnen ook zonder verdere maatregelen met betrekking tot de opsporing van ontplofbare oorlogsresten (OO) worden uitgevoerd, als deze werkzaamheden niet dieper rijken dan 0,5 meter minus maaiveld.

 

Natuur

Ten behoeve van de voorgenomen werkzaamheden is een QuickScan in het kader van de Wet Natuurbescherming8 uitgevoerd. Op basis van deze QuickScan is geconcludeerd dat er geen nader onderzoek naar verspillende soorten en/of soortgroepen uitgevoerd hoeft te worden.

Voor dit project is geen ontheffing noodzakelijk in het kader van de Wet Natuurbescherming. Aanvullend dient de stikstofdepositie berekend te worden, deze wordt separaat van deze QuickScan uitgevoerd.

 

Geluid

De uitvoering van de werkzaamheden wordt gecommuniceerd met omwonenden met als doel overlast van de werkzaamheden te minimaliseren. Gezien het geringe aantal woningen binnen het plangebied en de aard van de werkzaamheden valt grootschalige overlast niet te verwachten.

 

4.2 Belanghebbenden

Eigenaren

De locatie waar de teensloot wordt gedempt is in het eigendom van de Provincie Zuid-Holland. Voor het realiseren van de demping wordt geen grond aangekocht. Voor het beheer en onderhoud van de drainage wordt een recht van opstal ten laste van HHSK gevestigd.

 

MMC Holland

MCC Holland is een belanghebbende omdat hun terrein zich direct achter de kade en de teensloot bevindt. Deze partij is gedurende de voorbereiding van het ontwerp betrokken geweest. Bij de uitvoeringsplanning van de werkzaamheden wordt de MCC Holland betrokken.

 

Gemeente Gouda

De gemeente Gouda is belanghebbende en eventueel vergunningverlener van de omgevingsvergunning (samen met de Omgevingsdienst Midden-Holland, ODMH). Tevens zijn zij wegbeheerder van de weg Stoofkade.

 

ProRail

ProRail is belanghebbende en vergunningverlener voor de vergunning Spoorwegwet. Bij de uitvoeringsplanning van de werkzaamheden wordt ProRail geïnformeerd.

 

Provincie Zuid-Holland

De Provincie Zuid-Holland is eigenaar van de kade. Tevens is deze partij vergunningverlener. Aanvullend is er afstemming geweest t.b.v. de aanwezige glasvezel datakabel.

 

Omwonenden

Met uitzondering van de Motorcrossclub Holland zijn er geen direct aangrenzende bewoners langs het projectgebied aanwezig. Bewoners van het woonpark THP Gouda zullen vóór de start van de uitvoering worden geïnformeerd.

 

Nutsbedrijven

Er zijn geen nadelige gevolgen te definiëren voor de andere aanwezige kabels en leidingen in het betreffende plangebied.

5 VERGUNNINGEN EN VOORSCHRIFTEN

5.1 Vergunningen

5.1.1 Omgevingsvergunning

De werkzaamheden worden uitgevoerd binnen het plangebied van bestemmingsplan ‘Oostpolder’ van gemeente Gouda, zie Afbeelding 13.

 

Afbeelding 13: Uitsnede bestemmingsplan ‘Oostpolder, vastgesteld 16 oktober 2013’

 

Het bestemmingsplan kent de volgende bestemmingen:

  • Enkelbestemming groen

  • Dubbelbestemming waarde-archeologie

  • Dubbelbestemming waterstaat-waterkering

  • Gebiedsaanduiding geluidzone-industrie

O.a. op basis van de bovenstaande bestemmingen (dubbelbestemming waarde-archeologie) is er sprake van tegenstrijdigheid met het bestemmingsplan en is een omgevingsvergunning benodigd. Deze omgevingsvergunning is aangevraagd en gegund.

5.1.2 ProRail

Op basis van de voorgenomen werkzaamheden, die rondom de pijlers van het spoorviaduct worden uitgevoerd, dient er een vergunning Spoorwegwet aangevraagd te worden. De werkzaamheden zijn voorgelegd aan ProRail en de vergunning hiervoor is verleend.

5.1.3 Provincie Zuid-Holland

De werkzaamheden worden uitgevoerd op het perceel van de Provincie Zuid-Holland.

Hier dient de vergunning ‘werken op het perceel van Provincie Zuid-Holland’ voor aangevraagd te worden. Voor het beheer en onderhoud van de drainage wordt een recht van opstal ten laste van HHSK gevestigd.

 

5.2 Voorschriften HHSK

De werkzaamheden zoals beschreven in dit projectplan dienen te voldoen aan de voorschriften zoals opgesteld door het Hoogheemraadschap van Schieland en de Krimpenerwaard.

De werkzaamheden worden uitgevoerd als het projectplan rechtswege onherroepelijk is geworden. Het waterkerend vermogen en de stabiliteit van de waterkering wordt niet verminderd. De sterkte en stabiliteit van de waterkering worden tijdens de uitvoering en na het gereed komen van het werk voortdurend gewaarborgd.

Na de uitvoering van de werkzaamheden worden de gebruikte gereedschappen, hulpwerken en - materialen, afval en overige zaken volledig verwijderd van de waterkering, uit de watergangen en de hierlangs gelegen beschermingszone. Verder worden beschadigde terrein- en wegverhardingen zo spoedig mogelijk hersteld.

 

5.3 Calamiteiten en communicatie

In geval van calamiteiten zal de communicatie plaatsvinden vanuit de vigerende calamiteitenorganisatie en wordt conform bestaande procedures van HHSK gehandeld. Binnen de projectorganisatie dient de aannemer een calamiteit onmiddellijk te melden bij de directievoerder. De directievoerder is verantwoordelijk voor de informatieverstrekking aan HHSK en eventuele derde partijen zoals ProRail of Provincie Zuid-Holland. Binnen HHSK wordt de normale procedure gevolgd.

6 PROCEDURE

 

Voor eenvoudige waterstaatswerken, waar het dempen en graven onder valt, wordt hoofdstuk 4 van de Algemene wet bestuursrecht (Awb) gevolgd. Daarbij wordt artikel 4:8 van de Awb in acht genomen en worden eventuele belanghebbenden vooraf individueel geïnformeerd. Het projectplan wordt daarna door HHSK vastgesteld en gepubliceerd. Hiertegen kan binnen zes weken door eenieder bezwaar ingediend worden bij het college van dijkgraaf en hoogheemraden (D&H). Daarna kan beroep bij de Rechtbank Rotterdam en hoger beroep bij de Afdeling Bestuursrechtspraak van de Raad van State worden ingediend.

In de afgelopen tijd zijn alle direct betrokkenen geïnformeerd en zijn alle te nemen maatregelen uitgebreid met hen besproken en desgewenst, en indien mogelijk, aangepast aan hun wensen. Er is daarom voldaan aan het gestelde in artikel 4.8 van de Algemene wet bestuursrecht.

Bijlagen

 

De benoemde bronnen in de tekst zijn op aanvraag in te zien.

Naar boven