Staatscourant van het Koninkrijk der Nederlanden
| Datum publicatie | Organisatie | Jaargang en nummer | Rubriek |
|---|---|---|---|
| Oost Gelre | Staatscourant 2021, 29801 | Verkeersbesluiten |
Zoals vergunningen, bouwplannen en lokale regelgeving.
Adressen en contactpersonen van overheidsorganisaties.
U bent hier:
| Datum publicatie | Organisatie | Jaargang en nummer | Rubriek |
|---|---|---|---|
| Oost Gelre | Staatscourant 2021, 29801 | Verkeersbesluiten |
Het opheffen en instellen van diverse verkeersmaatregelen op de nieuw aan te leggen doorfietsroute tussen Eibergseweg en Oude Winterswijkseweg te Groenlo

Burgemeester en wethouders van de gemeente Oost Gelre,
Op grond van artikel 15 van de Wegenverkeerswet 1994 moet een verkeersbesluit worden genomen voor:
- Het plaatsen of verwijderen van verkeerstekens, zoals deze genoemd zijn in artikel 12 van het Besluit administratieve bepalingen inzake het wegverkeer (hierna BABW), voor zover daardoor een verbod of gebod wordt ingesteld of gewijzigd.
- Maatregelen op of aan de weg tot wijziging van de inrichting van de weg of tot het aanbrengen of verwijderen van voorzieningen ter regeling van het verkeer geschieden krachtens een verkeersbesluit, indien de maatregelen leiden tot een beperking of uitbreiding van het aantal categorieën weggebruikers dat van een weg of weggedeelte gebruik kan maken.
Op grond van artikel 18, eerste lid, onder d, van de Wegenverkeerswet 1994 is het college van burgemeester en wethouders van de gemeente Oost Gelre bevoegd dit verkeersbesluit te nemen.
Met dit verkeersbesluit worden, op basis van artikel 2 van de Wegenverkeerswet 1994, de volgende doelstellingen beoogd:
- het verzekeren van de veiligheid op de weg;
- het beschermen van weggebruikers en passagiers;
Gelet op artikel 2 van de Wegenverkeerswet 1994 is het zoveel mogelijk waarborgen van de vrijheid van het verkeer in het geding met het realiseren van de diverse maatregelen op de nieuw aan te leggen doorfietsroute tussen de Eibergseweg en Oude Winterswijkseweg. Gelet op onderstaande overwegingen wordt het zoveel mogelijk waarborgen van de vrijheid van het verkeer van ondergeschikt belang geacht.
Overwegingen ten aanzien van het beslui t
Voor 2021 staat op de planning de Parallelweg in Groenlo te voorzien van een nieuwe deklaag en de aanleg van een gedeelde rijbaan Beethovenstraat. Daarnaast stelt de provincie subsidie beschikbaar voor de verbetering van het hoofdfietsnet Gelderland. Het traject valt binnen dit hoofdfietsnet onder de categorie doorfietsroute. Door de bovengenoemde zaken aan elkaar te koppelen ontstaat er de mogelijkheid om ook te komen tot een verlengd fietspad welke deels met provinciale middelen kan worden bekostigd. Het traject loopt vanaf het kruispunt Oude Winterswijkseweg via Parallelweg over de vervallen spoorbaan, langs de Beethovenstraat, tot de Eibergseweg.
De huidige route is een goede directe noord-zuidverbinding, maar de inrichting van de fietspaden is minimaal. De route is onderdeel van de fietsroute Eibergen - Groenlo - Winterswijk van het hoofdfietsnetwerk van de provincie Gelderland en is aangemerkt als type ‘doorfietsroute’. Een doorfietsroute zorgt voor een vlotte fietsverbinding voor dagelijkse gebruikers, zonder per se te concurreren met de auto (zoals dat bij een snelfietsroute bijvoorbeeld wel het geval is). Hoewel de route dus niet direct een sneller alternatief biedt dan de auto, biedt de route wel een vlot en veilig alternatief qua vervoerswijze. Doordat de doorfietsroute op de juiste locatie ligt, een rechtstreekse verbinding geeft (geen omrijfactor), maar op dit moment echt onvoldoende is vormgegeven, gaan ná het opwaarderen hiervan waarschijnlijk meer fietsers gebruik maken van de route. Deels zijn dit fietsers die deze, in plaats van een andere route kiezen, deels zijn dit nieuwe fietsers.
Gesprekken met bewoners geven aan dat het al een redelijk goed gebruikte fietsroute is. Als deze veilig en comfortabel in twee richtingen bereden kan worden, heeft dit een verdere aanzuigende werking. Ook geven buurtbewoners aan dat toeristen hen vaak aanspreken en de weg vragen. Als de route hiervoor geschikt is, wordt de route ook opgenomen in de bewegwijzering. Zo loopt de route tussen fietsknooppunt 39 (centrum Groenlo) en 52 (Zwolse Veenweg richting natuurgebied) nu nog over de Marhulzenweg en Industrieweg, waarvoor een gedeelte van deze nieuwe fietsroute straks een beter en veiliger alternatief is.
Het verlengde fietspad biedt meer veiligheid voor de fietsers en bevordert de doorgangssnelheid voor overige weggebruikers. De inrichting van het fietspad zal voldoen aan de geldende richtlijnen en daarmee onder andere breed genoeg zijn voor het gebruik en herkenbaar worden ingericht, dit komt de veiligheid ten goede. Ook worden de kruispunten en oversteken veiliger als gevolg van de aanvullende maatregelen. Meer fietsers zullen gebruik gaan maken van deze route waardoor de druk op andere wegen afneemt en het aantal fietsers op minder geschikte wegen afneemt.
Het huidige fietspad wordt nu ook al gedeeld met de voetgangers. Het nieuwe fietspad wordt aanzienlijk breder waardoor de fietser en de voetganger meer ruimte krijgen. Bromfietsers en speed pedelecs zijn op dit fietspad niet toegestaan.
Door deze doorfietsroute op het traject Groenlo - Eibergen te verbeteren kan het fietsgebruik verder gestimuleerd worden. Door de opkomst van elektrische fietsen is de potentie voor de afstanden tussen 7,5-15 km groot (de afstand tussen Groenlo en Eibergen bedraagt ongeveer 9 km). Ook fietsers van en naar de Laarberg hebben voordeel bij het verbeteren van deze fietsverbinding.
De plannen zijn besproken met de bewoners aan het tracé. Voor aanvang van de werkzaamheden worden de aangrenzende bewoners geïnformeerd over de uitvoering. Op 9 maart 2021 is unaniem ingestemd door de gemeenteraad met dit voorstel en de bijbehorende tekeningen.
Kruispunt Eibergseweg - doorfietsroute
Naar en vanaf De Siem, kruist het fietspad de Eibergseweg. Ten gunste van het doorfietsen wordt op dit kruispunt de voorrang omgekeerd. Dat betekent dat bestuurders die over de Eibergseweg het kruisende fietspad naderen voorrang moeten gaan verlenen aan bestuurders op het kruisende fietspad. Deze voorrangsregeling wordt aangeduid door het plaatsen van de verkeersborden B6 van bijlage 1 van het RVV 1990 inclusief bijbehorende markering in de vorm van haaientanden. Het huidige fietspad langs de zuidzijde van de Eibergseweg sluit eveneens doch afzonderlijk aan op het kruisende fietspad. Deze voorrangsregeling tussen fietsers onderling wordt uitsluitend met haaientanden aangegeven.
Teneinde deze voorrangsregeling logisch, begrijpelijk en herkenbaar te maken wordt de begrenzing van de 30 km/uur zone -aangeduid met borden begin/einde zone A1(30)/A2(30) van de bijlage 1 van het RVV 1990- verplaatst in oostelijke richting, waardoor dit kruispunt binnen deze 30 km/uur zone komt te vallen. De inrichting van de weg, het kruispuntplateau en de bijbehorende markering rechtvaardigen een verlaging van de snelheidslimiet naar 30 km/uur.
Fietspad tussen Eibergseweg en Beethovenstraat
Ten zuiden van het kruispunt met de Eibergseweg wordt op de doorfietsroute het onverplicht fietspad opgeheven door het verwijderen van borden G13 van bijlage 1 van het RVV 1990. In plaats daarvan wordt het fietspad aangeduid als verplicht fietspad middels borden G11 van bijlage 1 van het RVV 1990. Met een onderbord wordt aangegeven dat het verplicht fietspad in twee richtingen wordt bereden. Middels paaltjes wordt deze maatregel fysiek ondersteund. Ter hoogte van het kruispunt met de Beethovenstraat eindigt dit verplicht fietspad en gaat over in een fietsstraat. De Beethovenstraat sluit op deze fietsstraat aan middels een uitritconstructie.
Kruispunt Mozartstraat - doorfietsroute
Het bestaande ‘olifantenpaadje’ vanaf en naar de Mozartstraat wordt omgevormd tot een kruispuntaansluiting op de doorfietsroute in de vorm van een uitritconstructie. Daartoe wordt de rijbaan van de Mozartstraat doorgetrokken tot aan de fietsroute. Ten zuiden van dit nieuwe kruispunt -tot aan de Marhulzenweg- wordt de fietsroute aangeduid als verplicht fietspad middels borden G11 van de bijlage 1 van het RVV 1990. Met een onderbord wordt aangegeven dat het verplicht fietspad in twee richtingen wordt bereden. Ook hier wordt de maatregel ondersteund middels een fysieke maatregel in de vorm van paaltjes.
Kruispunt Eschweg - doorfietsroute
Ten gunste van het doorfietsen wordt op dit kruispunt een voorrangsregeling ingesteld, met dien verstande dat bestuurders die over de Eschweg het kruisende fietspad naderen voorrang moeten gaan verlenen aan bestuurders op dat kruisende fietspad. Deze voorrangsregeling wordt aangeduid middels borden B6 van bijlage 1 van het RVV 1990 inclusief bijbehorende markering in de vorm van haaientanden. De voorrangsregeling wordt ondersteund middels bijbehorende markering en een kruispuntplateau. Ter weerszijden van het kruispunt wordt de fietsroute met borden G11 van bijlage 1 van het RVV 1990 aangeduid als verplicht fietspad. Met een onderbord wordt aangegeven dat het verplicht fietspad in twee richtingen wordt bereden.
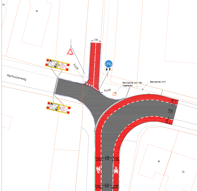
Kruispunt doorfietsroute - Marhulzenweg - Parallelweg
Om redenen van veiligheid voor het fietsverkeer op dit kruispunt eindigt hier het verplicht fietspad en moeten bestuurders op de doorfietsroute voorrang gaan verlenen aan bestuurders op de kruisende weg. Omdat hier sprake is van een ten opzichte van de doorgaande weg, de Marhulzenweg, ondergeschikte zijtak van een T-kruispunt, wordt op het verplicht fietspad de voorrangsregeling aangeduid middels bord B6 van de bijlage 1 van het RVV 1990 inclusief bijbehorende markering in de vorm van haaientanden.
De middels haaientanden aangegeven voorrangsregeling op het kruispunt Marhulzenweg - Parallelweg wordt vervangen door een inritconstructie.
Oversteek Heuzelspad - Parallelweg
Aan de zuidzijde van de Parallelweg zijn diverse bedrijven gesitueerd. De bedrijven zijn onder meer bereikbaar via een route voor voetgangers, namelijk het Heuzelspad. Ook bezoekers van Marveld Recreatie gebruiken deze route om te voet het centrum van Groenlo te bereiken. Ter plaatse van de oversteek van het Heuzelspad over de Parallelweg wordt het dwarsprofiel van de doorfietsroute onderbroken. Hiermee wordt het attentieniveau ter hoogte van deze oversteek gewaarborgd. De oversteek wordt daarnaast vormgegeven als een voetgangersoversteekplaats, waardoor bestuurders op de Parallelweg voorrang moeten verlenen aan overstekende voetgangers.
Bovenstaande vormt de basis om onderstaande verkeersmaatregelen te nemen.
Te plaatsen verkeersborden en markering:
kruispunt van de doorfietsroute met de Eibergseweg:
- op de Eibergseweg aan weerszijden van het kruispunt met de doorfietsroute bord B6 van de bijlage 1 van het RVV 1990 met onderbord OB503OB02 waarop de symbolen ‘fiets’ en ‘pijl links - pijl rechts’ staan weergegeven waaruit blijkt dat bestuurders vanuit twee richtingen kunnen kruisen;
- op de Eibergseweg aan weerszijden van het kruispunt met de doorfietsroute haaientanden;kruispunt van de doorfietsroute met de Eschweg
kruispunt van de doorfietsroute met de Eschweg:
- op de Eschweg aan weerszijden van het kruispunt met de doorfietsroute bord B6 van de bijlage 1 van het 1990 met onderbord OB503OB02 waarop de symbolen ‘fiets’ en ‘pijl links - pijl rechts’ staan weergegeven waaruit blijkt dat bestuurders vanuit twee richtingen kunnen kruisen;
- op de Eschweg aan weerszijden van het kruispunt met de doorfietsroute haaientanden;
In onderstaande afbeeldingen staan de te verwijderen en te plaatsen bebording en markering weergegeven.
Op basis van artikel 24 van het Besluit administratieve bepalingen inzake het wegverkeer is overleg gepleegd met de verkeersadviseur van de Politie Oost Nederland. De politie adviseert positief over het voorgenomen verkeersbesluit.
Dit besluit wordt gepubliceerd in de Staatscourant. Dit moet op grond van artikel 26 van het Besluit administratieve bepaling inzake het wegverkeer.
Bent u het met dit besluit niet eens, dan kunt u een bezwaarschrift indienen. U kunt dit doen op basis van de Algemene wet bestuursrecht. Hoe u dat kunt doen, leest u hier.
U kunt een bezwaarschrift sturen aan het college van burgemeester en wethouders. Het adres is: Postbus 17, 7130 AA Lichtenvoorde.
Zorgt u ervoor dat u het bezwaarschrift schriftelijk indient binnen zes weken na de dag waarop wij deze brief hebben gestuurd. Daarmee voorkomt u dat wij uw bezwaarschrift niet meer kunnen behandelen. Het is niet mogelijk om uw bezwaarschrift via e-mail in te dienen.
In het bezwaarschrift moet in ieder geval staan:
Uw naam en adres, de datum waarop u het bezwaarschrift schrijft, een omschrijving van het besluit waar het bezwaarschrift tegen gericht is (u kunt bijvoorbeeld een kopie van een brief of publicatie meesturen of u vermeldt de datum van de publicatie of datum en kenmerk van de brief), de reden waarom u bezwaar maakt en uw handtekening.
Als u bezwaar maakt tegen dit besluit dan blijft het besluit van kracht. Heeft dit voor u op korte termijn gevolgen en wilt u hier iets tegen doen, dan kunt u de rechtbank vragen een voorlopige voorziening te treffen. Dit kunt u alleen doen als u ook een bezwaarschrift heeft ingediend. U kunt een voorlopige voorziening vragen door een brief te sturen aan: Rechtbank Gelderland, Postbus 9030, 6800 EM Arnhem. De rechtbank zal dan in de regel op korte termijn een spoedzitting plannen.
Kopieer de link naar uw clipboard
https://zoek.officielebekendmakingen.nl/stcrt-2021-29801.html
De hier aangeboden pdf-bestanden van het Staatsblad, Staatscourant, Tractatenblad, provinciaal blad, gemeenteblad, waterschapsblad en blad gemeenschappelijke regeling vormen de formele bekendmakingen in de zin van de Bekendmakingswet en de Rijkswet goedkeuring en bekendmaking verdragen voor zover ze na 1 juli 2009 zijn uitgegeven. Voor pdf-publicaties van vóór deze datum geldt dat alleen de in papieren vorm uitgegeven bladen formele status hebben; de hier aangeboden elektronische versies daarvan worden bij wijze van service aangeboden.