Verkeersbesluit Moorland

Logo Oirschot

n.v.t.

Burgemeester en wethouders van de gemeente Oirschot

Overwegingen ten aanzien van het besluit

dat de weg Moorland een erftoegangsweg is in de gemeente Oirschot met een maximumsnelheid van 30 km/h;

dat over het Wilhelminakanaal bij Oirschot een brug gerealiseerd wordt uitsluitend voor fietsers, bromfietsers en voetgangers;

dat met de komst van de brug voor fietsers, snorfietsers en voetgangers er een toename van de verkeersbewegingen zullen zijn op de weg Moorland;

dat er met de komst van de brug ten behoeve van de verkeersveiligheid andere maatregelen nodig zijn zoals een voorrangsregeling en de realisatie van een voetgangersoversteekplaats;

dat op de Moorland, tussen het kruispunt Slingerbos en de Eindhovensedijk, geen mogelijkheden zijn om veilig over te kunnen steken;

dat bewoners van Moorland aangeven niet veilig de weg over te kunnen steken, met name tijdens de spitsperioden;

dat op Moorland regelmatig overgestoken wordt door kinderen om naar het centrum van Oirschot te komen;

dat er over het aanliggende Wilhelminakanaal een brug wordt aangelegd speciaal voor voetgangers en fietsers;

dat met de brug een veilige en directe verbinding wordt gemaakt met het centrum van Oirschot;

dat met het realiseren van een voetgangersoversteekplaats de verkeersveiligheid ten goede komt;

dat de eerder genoemde brug voor fietsers, snorfietsers en voetgangers aan de zuidzijde van het Wilhelminakanaal aansluit op Moorland;

dat de brug voor fietsers, snorfietsers en voetgangers aan de noordzijde aansluit op de Parallelweg;

dat omwille van de verkeersveiligheid de fietser voorrang zal moeten verlenen aan het verkeer op Moorland en het verkeer op de Parallelweg;

dat de brug voor het langzaam verkeer uitsluitend bedoelt is voor voetgangers, fietsers en snorfietsers;

dat in verband met de verkeersveiligheid de gemeente het pad over de brug bestemd als een verplicht fietspad;

dat ten behoeve van de brug de voorrangsregeling op Moorland op het kruispunt ter hoogte van huisnummer 98 voor gemotoriseerd verkeer ingetrokken dienen te worden;

dat ten behoeve van de brug het fietspad langs Moorland ter hoogte van het kruispunt met Slingerbos ingetrokken dient te worden;

dat ten behoeve van de brug het éénrichtingsverkeer op de weg Moorland ingetrokken dient te worden.

BESLUIT

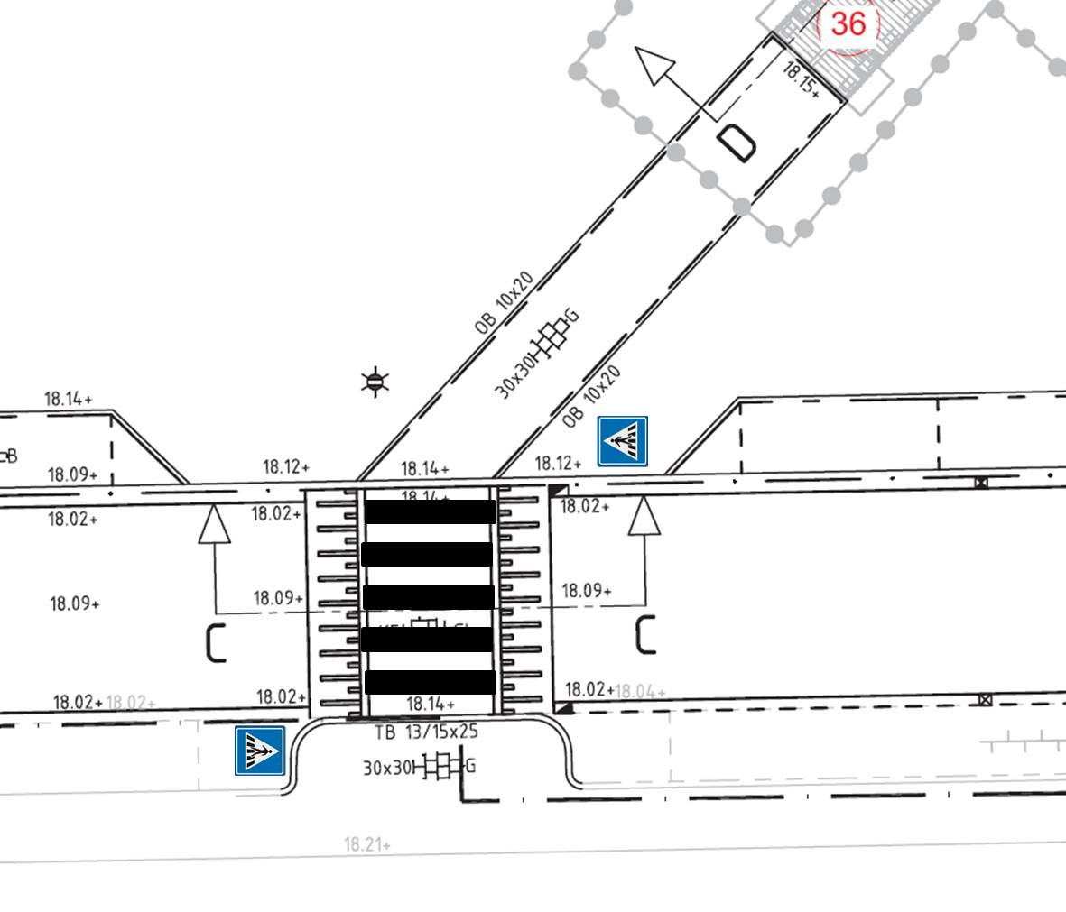
1. Het instellen van een voetgangersoversteekplaats (VOP) op Moorland te Oirschot door het plaatsen van een bord L02 (met bijbehorende markering op het wegdek) uit bijlage 1 van het Reglement Verkeersregels en Verkeerstekens 1990 (RVV 1990), conform de bij dit besluit behorende tekening;

  • 2.

    Het instellen van een voorrangssituatie op de aansluiting van het fietspad op de weg Moorland en de Parallelweg te Oirschot door het plaatsen van een bord B06 (met bijbehorende markering op het wegdek) uit bijlage 1 van het Reglement Verkeersregels en Verkeerstekens 1990 (RVV 1990), conform de bij dit besluit behorende tekeningen;

  • 3.

    Het instellen van een verplicht fietspad tussen Moorland en de Paralelweg te Oirschot door het plaatsen van een bord G11 uit bijlage 1 van het Reglement Verkeersregels en Verkeerstekens 1990 (RVV 1990), conform de bij dit besluit behorende tekening;

  • 4.

    Het intrekken van de voorrangsregeling bij de aansluiting van de paralelweg Moorland op Moorland ter hoogte van huisnummer 98;

  • 5.

    Het intrekken van het fietspad langs Moorland ter hoogte van de kruising met Slingerbos;

  • 6.

    Het intrekken van het éénrichtingsverkeer op Moorland

Oirschot 01.08-2019

Burgemeester en wethouders

Namens deze,

ing. I.K. Vaartjes

Verkeerskundige

Mededelingen

Bezwaar- of beroepsclausule

Ter inzage

Het verkeersbesluit met bijbehorende stukken ligt gedurende de bezwarentermijn ter inzage bij de centrale balie van het gemeentehuis (Deken Frankenstraat 3 Oirschot). Het gemeentehuis is geopend op maandag, woensdag en donderdag van 09.00 uur tot 17.00 uur, op dinsdag van 09:00 uur tot 19:00 uur en op vrijdag van 09:00 uur tot 12:00 uur.

Bent u het niet eens met dit besluit?

Wij hebben uw verzoek/aanvraag zorgvuldig overwogen. Toch kan het zijn dat u het niet eens bent met dit besluit. Dan kunt u bezwaar maken. In dat geval adviseren wij u om eerst telefonisch contact op te nemen. U kunt hiervoor bellen met de behandelend ambtenaar, wiens naam onderaan in het besluit bij ‘vragen’ staat vermeld.

Schriftelijk

Wilt u bezwaar maken, dan kunt u een bezwaarschrift sturen naar het bestuursorgaan van de gemeente Oirschot (het college van burgemeester en wethouders, de gemeenteraad of de burgemeester) dat het besluit heeft genomen. Het adres is: Postbus 11, 5688 ZG Oirschot.

In uw bezwaarschrift moet het volgende staan:

  • 1.

    uw naam, adres en telefoonnummer;

  • 2.

    een duidelijke omschrijving van het besluit waartegen u bezwaar maakt (door de datum en ons kenmerk van het besluit te vermelden of een kopie van het besluit mee te sturen);

  • 3.

    de reden waarom u bezwaar maakt;

  • 4.

    de datum en uw handtekening.

 

Digitaal

U kunt digitaal een bezwaar indienen via onze website www.oirschot.nl onder Digitaal Loket.

U dient daarvoor te beschikken over een elektronische handtekening (DigiD). Kijk op de genoemde site voor de voorwaarden.

 

Het bezwaarschrift moet binnen zes weken na de dag van verzending van deze brief bij het betreffende bestuursorgaan worden ingediend. Daarmee voorkomt u dat wij uw bezwaarschrift niet meer kunnen behandelen.

 

Voorlopige voorziening

Met deze bekendmaking treedt het besluit in werking. Het indienen van een bezwaarschrift heeft geen schorsende werking. Dat betekent dat het besluit blijft gelden in de tijd dat uw bezwaarschrift in behandeling is. Als u dit niet wilt, bij voorbeeld omdat het besluit onherstelbare gevolgen voor u heeft, dan kunt u een verzoek om voorlopige voorziening indienen bij de voorzieningenrechter van de rechtbank. Het adres is: Postbus 90125, 5200 MA ’s-Hertogenbosch. U kunt ook digitaal een verzoek om voorlopige voorziening indienen bij genoemde rechtbank via http://loket.rechtspraak.nl/bestuursrecht. U dient daarvoor te beschikken over een elektronische handtekening (DigiD). Kijk op de genoemde site voor de voorwaarden.

 

U kunt een verzoek om voorlopige voorziening alleen indienen als u ook een bezwaarschrift heeft ingediend. Voor de behandeling van een verzoek om voorlopige voorziening wordt door de rechtbank griffierecht in rekening gebracht.

Meer informatie

Voor meer informatie over dit verkeersbesluit kunt u tijdens kantoortijden contact opnemen met ing. I.K. Vaartjes, telefoonnummer 0499 – 583 333 of per mail info@oirschot.nl.

Naar boven