Staatscourant van het Koninkrijk der Nederlanden
| Datum publicatie | Organisatie | Jaargang en nummer | Rubriek |
|---|---|---|---|
| Katwijk | Staatscourant 2018, 63492 | Verkeersbesluiten |
Zoals vergunningen, bouwplannen en lokale regelgeving.
Adressen en contactpersonen van overheidsorganisaties.
U bent hier:
| Datum publicatie | Organisatie | Jaargang en nummer | Rubriek |
|---|---|---|---|
| Katwijk | Staatscourant 2018, 63492 | Verkeersbesluiten |
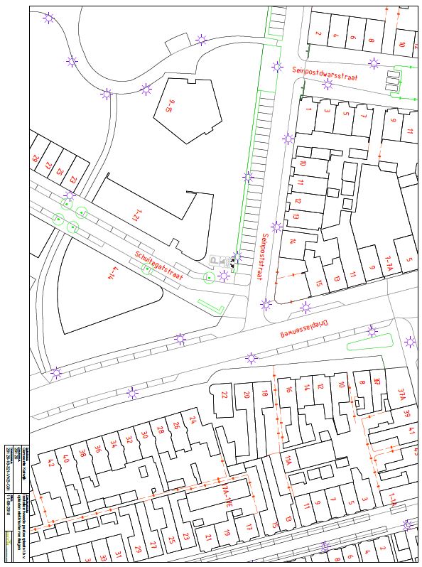
Gemeente Katwijk, verkeersbesluit betreffende het aanwijzen van een tweede parkeerplaats aan de Seinpoststraat ter hoogte van huisnummer 14 te Katwijk aan Zee bestemd voor het opladen van elektrische voertuigen

Burgemeester en wethouders van de gemeente Katwijk,
Op grond van artikel 18, lid 1 van de Wegenverkeerswet 1994 (hierna: Wvw 1994) is het dagelijks bestuur van de gemeente Katwijk bevoegd dit verkeersbesluit te nemen. Op grond van het Mandaatreglement gemeente Katwijk 2018 en het Mandaatregister 2018 heeft het college van Burgemeester en Wethouders de bevoegdheid tot het nemen van verkeersbesluiten gemandateerd aan het hoofd van de afdeling Ruimte en Veiligheid.
artikel 15 lid 1 van de Wvw 1994, op grond waarvan de plaatsing of verwijdering van de in artikel 12 van het Besluit Administratieve Bepalingen inzake het Wegverkeer (hierna: BABW) opgenomen verkeerstekens, evenals voor onderborden voor zover daardoor een gebod of verbod ontstaat of wordt gewijzigd, krachtens een verkeersbesluit geschiedt;
Overwegingen ten aanzien van het besluit
aanvragen worden getoetst door de gemeente en hierbij de beleidsregels gehanteerd worden die zijn vastgesteld door het college van burgemeester en wethouders op 12 juli 2017, waarvan de belangrijkste zijn:
De volledige beleidsregels zijn te lezen op: https://www.katwijk.nl/fileadmin/user_upload/ Beleidsregels_oplaadinfrastructuur_elektrische_voertuigen_Katwijk_22062017__2_.pdf
Gelet op artikel 2 Wvw 1994 strekt de in dit besluit genoemde verkeersmaatregel tot:
Op grond van vorenstaande overwegingen besluiten wij:
ter hoogte van het oplaadpunt in de Seinpoststraat ter hoogte van de huisnummers 14 een tweede parkeergelegenheid in te stellen die enkel bestemd is voor het opladen van elektrische voertuigen door het plaatsen van een onderbord OB504 (schuin links/rechts wijzend) bij het bestaande bord model E4 en het bestaande onderbord met de tekst ‘uitsluitend opladen elektrische voertuigen’ en het markeren van het betreffende vak;
Indien u het niet eens bent met dit besluit, kunt u binnen 6 weken na verzenddatum van dit besluit bezwaar maken. Stuur uw bezwaarschrift naar: college van burgemeester en wethouders van de Gemeente Katwijk, Postbus 589, 2220 AN Katwijk. Vermeld in uw bezwaarschrift uw naam, adres en handtekening, de datum, de omschrijving van het besluit en de reden van uw bezwaar. Graag een kopie van het besluit meesturen.
U kunt uw bezwaarschrift ook digitaal indienen. Kijk hiervoor op www.katwijk.nl.
Bij spoed kunt u een verzoek om voorlopige voorziening indienen bij de voorzieningenrechter, sector bestuursrecht, van de rechtbank te Den Haag, Postbus 20302, 2500 EH Den Haag. U dient een kopie van het bezwaarschrift toe te voegen. Digitaal indienen kan ook via http://loket.rechtspraak.nl/bestuursrecht. U moet hiervoor wel een elektronische handtekening (DigiD) hebben.
Kopieer de link naar uw clipboard
https://zoek.officielebekendmakingen.nl/stcrt-2018-63492.html
De hier aangeboden pdf-bestanden van het Staatsblad, Staatscourant, Tractatenblad, provinciaal blad, gemeenteblad, waterschapsblad en blad gemeenschappelijke regeling vormen de formele bekendmakingen in de zin van de Bekendmakingswet en de Rijkswet goedkeuring en bekendmaking verdragen voor zover ze na 1 juli 2009 zijn uitgegeven. Voor pdf-publicaties van vóór deze datum geldt dat alleen de in papieren vorm uitgegeven bladen formele status hebben; de hier aangeboden elektronische versies daarvan worden bij wijze van service aangeboden.