Gemeente Katwijk – verkeersbesluit instellen van een verplicht (brom)fietspad en maximum voertuiggewicht bij het Akkerklokje in Katwijk

Logo Katwijk

Zaaknummer: 1291222

Burgemeester en wethouders van de gemeente Katwijk,

Bevoegdheid

Op grond van artikel 18, lid 1 van de Wegenverkeerswet 1994 (hierna: Wvw 1994) is het dagelijks bestuur van de gemeente Katwijk bevoegd dit verkeersbesluit te nemen. Op grond van het Mandaatreglement gemeente Katwijk 2018 en het Mandaatregister 2018 heeft het college van Burgemeester en Wethouders de bevoegdheid tot het nemen van verkeersbesluiten gemandateerd aan het hoofd van de afdeling Ruimte en Veiligheid.

Vereiste van het besluit

Gelet op:

  • artikel 15 lid 1 van de Wvw 1994, op grond waarvan de plaatsing of verwijdering van de in artikel 12 van het Besluit Administratieve Bepalingen inzake het Wegverkeer (hierna: BABW) opgenomen verkeerstekens, evenals voor onderborden voor zover daardoor een gebod of verbod ontstaat of wordt gewijzigd, krachtens een verkeersbesluit geschiedt;

  • artikel 12 BABW, op grond het plaatsen of verwijderen van de in dit artikel genoemde verkeerstekens krachtens een verkeersbesluit geschiedt;

  • artikel 14 BABW, op grond waarvan de plaatsing van onderborden, zoals bedoeld in artikel 8, lid 2 en lid 3 van het BABW, in het betrokken verkeersbesluit tot uitdrukking gebracht;

  • artikel 24 BABW, op grond waarvan verkeersbesluiten worden genomen na overleg met de korpschef van politie of diens gemandateerde;

Overwegingen ten aanzien van het besluit

Overwegende dat:

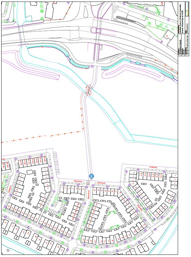
  • tussen de Akkerklokje en de N206 een gebied is ontwikkeld voor tiny houses een speeltuin en stadsboerderij, voor de periode van 10 jaar met mogelijke uitloop, totdat het gebied nodig is voor de reconstructie van de N206.

  • deze ontwikkeling beter bereikbaar dient te worden gemaakt door de aanleg van een tijdelijk fiets/bromfietspad voor de periode van tenminste 10 jaar tussen de wijk Zanderij en Katwijk aan de Rijn;

  • dit fiets/bromfietspad in de oorspronkelijke planvorming een busbaan zou worden;

  • de bus nu door de wijk rijdt;

  • het nieuwe fiets/bromfietspad aansluit op het bestaande bromfietspad langs de N206;

  • er een bruggetje in het fiets/bromfietspad aanwezig is waarbij een voertuiggewicht van 5,0 ton wordt dient te worden ingesteld;

  • het fiets/bromfietspad aansluit op het Akkerklokje;

  • op het Akkerklokje een maximum snelheid van 30 km/h geldt;

  • het voor de duidelijkheid voor met name bromfietsers wenselijk is om aan te geven dat men een 30 km/h-zone inrijdt;

  • de onder ‘besluiten’ genoemde (delen van) wegen in eigendom, beheer en onderhoud zijn bij de gemeente Katwijk;

  • het treffen van een verkeersmaatregel een normale maatschappelijke ontwikkeling is waarmee een ieder kan worden geconfronteerd en waarvan de nadelige gevolgen in beginsel voor rekening van betrokkenen behoren te blijven;

  • overeenkomstig artikel 24 BABW overleg is gepleegd met de korpschef van politie of diens gemandateerde;

is het daarom gewenst om:

  • tussen de Akkerklokje en de N206 een fiets/bromfietspad in te stellen;

  • voor het bruggetje in het fiets/bromfietspad een voertuiggewichtbeperking in te stellen van 5,0 ton.

Gelet op artikel 2 Wvw 1994 strekt de in dit besluit genoemde verkeersmaatregel tot:

  • het in stand houden van de weg en het waarborgen van de bruikbaarheid daarvan;

  • het zoveel mogelijk waarborgen van de vrijheid van het verkeer.

Besluiten

Op grond van vorenstaande overwegingen besluiten wij:

  • 1.

    een fiets/bromfietspad in te stellen tussen de Akkerklokje en N206, door het plaatsen van bord G12a (fiets/bromfietspad) en zonaal uitgevoerd bord A1 (begin 30 km/h-zone) uit Bijlage 1 van het RVV 1990 aan de zijde van het Akkerklokje;

  • 2.

    een voertuiggewicht van 5,0 ton in te stellen door het plaatsen van borden C21 5t (gesloten voor voertuigen en samenstellen van voertuigen, waarvan de totaalmassa hoger is dan 5 ton) uit Bijlage 1 van het RVV 1990 aan weerszijden van het bruggetje;

  • 3.

    deze maatregelen uit te voeren zoals aangegeven op de bij dit besluit behorende situatietekening 20120-18-305-VKB-C01;

  • 4.

    de bekendmaking van dit verkeersbesluit te laten geschieden door plaatsing van het besluit in de Staatscourant.

Katwijk, 17 oktober 2018

namens burgemeester en wethouders van Katwijk,

D.S. Schrijver

Afdelingshoofd Ruimte en Veiligheid

Bijlagen

  • Situatietekening 20120-18-305-VKB-C01

Bezwaar

Indien u het niet eens bent met dit besluit, kunt u binnen 6 weken na verzenddatum van dit besluit bezwaar maken. Stuur uw bezwaarschrift naar: college van burgemeester en wethouders van de Gemeente Katwijk, Postbus 589, 2220 AN Katwijk. Vermeld in uw bezwaarschrift uw naam, adres en handtekening, de datum, de omschrijving van het besluit en de reden van uw bezwaar. Graag een kopie van het besluit meesturen.

U kunt uw bezwaarschrift ook digitaal indienen. Kijk hiervoor op www.katwijk.nl.

Bij spoed kunt u een verzoek om voorlopige voorziening indienen bij de voorzieningenrechter, sector bestuursrecht, van de rechtbank te Den Haag, Postbus 20302, 2500 EH Den Haag. U dient een kopie van het bezwaarschrift toe te voegen. Digitaal indienen kan ook via http://loket.rechtspraak.nl/bestuursrecht. U moet hiervoor wel een elektronische handtekening (DigiD) hebben.

Naar boven