Verkeersbesluit aanleg gehandicaptenparkeerplaats op kenteken, ter hoogte van Dunklerstraat 86 te Haarlem

Logo Haarlem

Nr. 2018-02087

Aanleiding

Onlangs is door een bewoner van de Dunklerstraat in Haarlem een verzoek ingediend om in de nabijheid van de woning een gehandicaptenparkeerplaats op kenteken te realiseren.

Vereiste verkeersbesluit

Dit besluit wordt genomen op grond van artikel 15, eerste lid van de Wegenverkeerswet, artikel 18, eerste lid onder d, van de Wegenverkeerswet en de Beleidsregels ten aanzien van de toewijzing van parkeerplaatsen op kenteken voor mensen met een beperking in de gemeente Haarlem 2011

Motivering

Uit onafhankelijk medisch onderzoek is gebleken dat de aanvrager zodanige beperkingen heeft dat de aanvrager recht heeft op en in bezit is van een Europese gehandicaptenparkeerkaart.

De weg waarop deze verkeersmaatregel wordt getroffen is in beheer bij de gemeente Haarlem.

De aanvrager beschikt niet over eigen parkeerruimte en is daarom aangewezen op openbare parkeergelegenheden. De inwilliging van het verzoek zal het algemeen verkeersbelang niet in de weg staan.

Gezien bovenstaande is het gewenst de gehandicaptenparkeerplaats op kenteken aan te leggen.

Overleg

Er heeft overleg plaatsgevonden met de gemandateerde van de politie. Deze heeft geen bezwaar tegen het aanleggen van de gehandicapten parkeerplaats op kenteken.

Besluit

Het college van burgemeester en wethouders besluit het volgende verkeersbesluit te nemen:

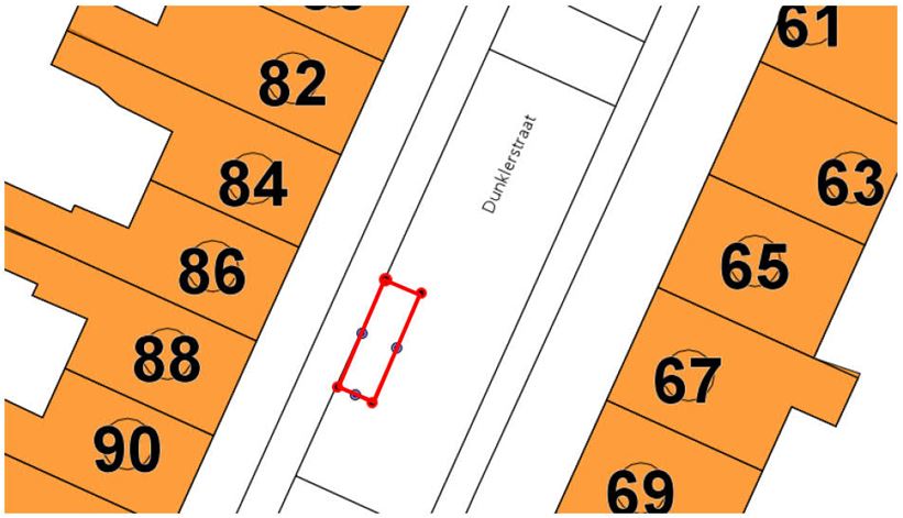
Het aanwijzen van een gehandicaptenparkeerplaats op kenteken ter hoogte van Dunklerstraat 86 door het plaatsen van een bord model E6 (RVV 1990 bijlage 1) voorzien van een onderbord met daarop het kenteken van het voertuig dat in gebruik is bij/ten behoeve van de aanvrager.

Bovenstaande conform de bij dit besluit behorende tekening.

Haarlem, d.d. 26 maart 2018

Namens het college van burgemeester en wethouders van gemeente Haarlem,

mr. H.H.T. de Boer

Voor deze,

Teammanager Vergunningen, Toezicht & Handhaving

Bezwaarmogelijkheid en voorlopige voorziening

Dit besluit treedt in werking na bekendmaking in de Staatscourant. Belanghebbenden kunnen binnen zes weken na publicatie van dit besluit in de Staatscourant bezwaar maken bij het college van burgemeester en wethouders van Haarlem, postbus 511, 2003 PB te Haarlem. Het bezwaarschrift moet ten minste de volgende gegevens bevatten: uw naam en adres, de verzenddatum van uw brief, het besluit waartegen u bezwaar maakt, de redenen voor uw bezwaar en uw handtekening. Vermeld in de linkerbovenhoek van de envelop ‘bezwaar’. Door het indienen van het bezwaarschrift wordt dit besluit niet opgeschort. Bij een spoedeisend belang kan degene die een bezwaarschrift heeft ingediend een voorlopige voorziening vragen aan de voorzieningenrechter van de Rechtbank Noord-Holland, sector Bestuursrecht, postbus 1621, 2003 BR te Haarlem of http://loket.rechtspraak.nl/bestuursrecht. Bij het indienen van een verzoek om voorlopige voorziening moeten griffierechten worden betaald.

Tekening locatie

(de aangegeven locatie is indicatief en niet op schaal)

Naar boven