Pacht gronden provincie Noord-Holland in Hilversum

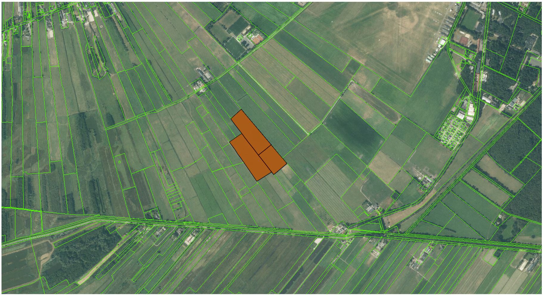
Object: drie percelen grasland, inclusief watergangen te Hilversum, nabij Rading te Hilversum

kadastraal bekend:

Gemeente

Sectie

Nr

Oppervlakte

Hilversum

H

1323

27.965 m2

Hilversum

H

1324

15.015 m2

Hilversum

H

557

25.460 m2

Totale oppervlakte 68.440

De provincie Noord-Holland is voornemens om 68.440 m² grond in Hilversum waarvan een gedeelte met de bestemming Natuur, te verpachten aan een bij de provincie bekende partij. De pachtperiode loopt van 1 november 2025 tot en met 31 oktober 2026.

De provincie is voornemens aan deze partij te verpachten overwegende dat de pachter in het gebied woonachtig is, ervaring heeft met het beheren van grasland en natuurgrond in dit gebied en omdat de partij bovendien capaciteit en materiaal ter plaatse hiervoor beschikbaar heeft.

Verder is de partij ook voldoende draagkrachtig om het beheer te financieren.

De desbetreffende percelen zijn niet op zichzelf ontsloten aan de openbare weg. Partij heeft middels aangrenzende percelen wel de ontsluiting van en naar openbare weg.

De percelen zijn kadastraal bekend als hierboven in de tabel aangegeven. In de tekening hieronder is te herkennen welke percelen het betreft aan de oranje markering.

Ruimtelijke uitgangspunten

Het bestemmingsplan dat hier geldt is “Hilversum Buitengebied ” van de gemeente Hilversum (zie de geometrisch bepaalde planobjecten en bijhorende regels in GML-bestand) identificatienummer NL.IMRO.0402.00bp00buitengeb-oh0 van de gemeente Hilversum. De percelen zijn bestemd als Natuur en Agrarisch met Waarden. De grond ligt gedeeltelijk binnen het Natuurnetwerk Nederland.

Voorwaarden Provincie

De pachter moet zich houden aan het pachtcontract en de beheervoorschriften die horen bij het natuurdoeltype op de percelen. De belangrijkste voorschriften hieruit zijn:

Vochtig hooiland (N10.02) , perceel Hilversum H 1323

Vochtig hooiland omvat hooilanden al dan niet met nabeweiding. Het beheertype wordt jaarlijks gemaaid en het maaisel wordt afgevoerd.

In overleg met de Provincie Noord-Holland kan worden afgeweken van onderstaande voorschriften als dit de natuurontwikkeling ten dienste is. Dit gebeurt op basis van Veldgids ‘Ontwikkeling van botanisch waardevol grasland, uitgave DLG’. Afwijken is echter pas na schriftelijke instemming door de Provincie Noord-Holland toegestaan.

  • In de periode 14 februari tot en met 15 juni mogen er geen veldwerkzaamheden of beweiding plaatsvinden.

  • Na 15 juni mogen de percelen gemaaid worden, m.u.v. de slootkanten, maaien gebeurt op een zodanige wijze dat weidevogels en kruiden hiervan profiteren. In één werkgang mag maximaal 80% van het perceel gemaaid worden. Het maaisel wordt afgevoerd.

  • Maaien vindt plaats nadat er vooraf door een deskundige schriftelijk is verklaard dat er geen broedende vogels aanwezig zijn binnen het perceel waar dit natuurbeheertype van toepassing is.

  • Nabeweiding is toegestaan met maximaal 1,5 GVE per ha.

  • Bemesting en bekalking is niet toegestaan.

  • De slootkanten worden in het najaar gemaaid en het maaisel wordt afgevoerd.

  • Gebruik van bestrijdingsmiddelen is niet toegestaan.

  • Grasland mag niet worden gescheurd, geploegd, vernieuwd of geëgaliseerd.

    Plaagsoorten moeten (mechanisch) beheerst worden.

Grasland buiten begrenzing Natuurnetwerk Nederland, percelen Hilversum H 557 en 1324:

  • -

    Gebruik van glyfosaat is niet toegestaan. Deze voorwaarde is onder voorbehoud van goedkeuring Grondkamer. Toepassing is alleen mogelijk na toestemming van verpachter;

  • -

    Gebruik van overige bestrijdingsmiddelen en mest is toegestaan, maar er dient een mest- en spuitvrije strook langs de schouwsloten te worden aangebracht van 3 meter gemeten vanaf de insteek van de sloot bovenop de verplichte 25 cm mest- en spuitvrije zone. Voor percelen smaller dan 50 meter geldt een mest- en spuitvrije strook langs de schouwsloten van 2 meter breed.

  • -

    Bestaand grasland mag niet worden gescheurd anders dan na toestemming van de verpachter (Beoordeling op grond van de Provinciale Ruimtelijke Verordening artikel 26).

Criteria

De criteria die door de provincie Noord-Holland worden gehanteerd zijn:

de partij :

* is gevestigd in het gebied.

* heeft voor genoemde percelen ontsluiting voor landbouwvoertuigen van en naar openbare weg.

* heeft aantoonbaar beschikking tot de middelen en het materieel om onderhoudsbeheer te plegen.

* werkt mee aan benodigde bezoeken of activiteiten van de provincie. De pachter dient aan de verpachter/ of door verpachter aangewezen partij, toegang te verschaffen tot het perceel wanneer dit gevraagd wordt.

* is voldoende draagkrachtig om het beheer te financieren.

Informatie

Een ieder die nadere informatie wenst te verkrijgen over deze voorgenomen overeenkomst kan zich binnen 21 dagen na datum van publicatie richten tot Infogrondzaken@noord-holland.nl

Naar boven