Verkeersbesluit provinciale weg N625 (’s-Hertogenbosch – Oss)

Nummer C2317501/5308218

Gedeputeerde Staten van Noord-Brabant

Overwegingen ten aanzien van het besluit

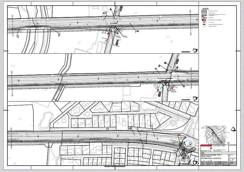
De provincie gaat de fiets/bromfietspaden langs de provinciale weg N625, tussen Lithoijen, rotonde Beatrixweg (km 17.600) en de bebouwde kom van Oss (km 20.173), vernieuwen. De bestaande fiets/bromfietspaden aan beide zijden van de N625 zijn te smal, hetgeen de verkeersveiligheid en doorstroming voor fietsers en bromfietsers niet ten goede komt.

In de planstudie is een integrale afweging gemaakt om het fiets/bromfietspad aan de zuidwestelijke kant van de N625 te verbreden naar 4 meter en in te richten als een in twee richtingen te berijden fiets/bromfietspad. Hierbij is vooral ook gekeken naar de veiligheid voor de fietsers en bromfietsers tussen Lithoijen en Oss, vice versa. Door de aanleg van het fiets/bromfietspad aan de zuidwestzijde wordt het aantal oversteekbewegingen van fietsers en bromfietsers, met de drukke Kennedybaan (N625) en Beatrixweg, beperkt. Het fiets/bromfietspad aan de noordoostelijke kant van de N625 is hiermee overbodig en wordt verwijderd.

Verder worden bij de kruising van de N625 met de Leijgraafweg en de Pastoor van Weerdtstraat middengeleiders aangelegd om de oversteekbaarheid voor voetgangers, fietsers en bromfietsers te verbeteren.

Belanghebbenden

De Raad van State heeft meerdere malen besloten dat het zijn van belanghebbende aan voorwaarden is verbonden. Dit om de groep belanghebbenden die bezwaar en beroep in kan stellen te beperken.

Het is niet de bedoeling van de wetgever geweest om tegen een verkeersbesluit beroep open te stellen voor eenieder. Bij verkeersbesluiten dient dan ook van geval tot geval te worden onderzocht wiens belangen rechtstreeks bij een dergelijk besluit zijn betrokken. Voorts heeft de Afdeling reeds eerder overwogen, bijvoorbeeld in de uitspraak van 14 februari 2018, ECLI:NL:RVS:2018:506, dat een persoon slechts belanghebbende bij een verkeersbesluit is indien hij een bijzonder, individueel belang heeft bij dat besluit, welk belang zich in voldoende mate onderscheidt van dat van andere weggebruikers.

We hebben onderzocht welke bij dit verkeersbesluit rechtstreeks betrokken belangen en belanghebbenden er zijn. Met de gemeente Oss hebben we in een overleg de verkeerssituatie doorgesproken en afgestemd. Tijdens de voorbereidingen en daarna hebben we door middel van nieuwsbrieven en een bewonersavond onder andere de omwonenden, de Kernraad Teeffelen en de Fietsersbond over de plannen geïnformeerd. Verder hebben we onderzocht of er bedenkingen bestaan tegen ons voorgenomen besluit. In het kader van de bestemmingsplanprocedure zijn er nog bedenkingen ingebracht door VVN afdeling Oss en loonbedrijf van Erp. Op basis hiervan zijn er gesprekken gevoerd en is de keuze voor een in twee richtingen te berijden fiets/bromfietspad verder onderbouwd. Op basis van deze gesprekken en nadere onderbouwing is geen beroep ingesteld in het kader van de bestemmingsplanprocedure. We hebben dan ook geen redenen om aan te nemen dat er nu nog bedenkingen zijn tegen dit verkeersbesluit.

Vereiste van besluit

Op grond van artikel 15, eerste lid, van de Wegenverkeerswet 1994 moet een verkeersbesluit worden genomen voor de plaatsing of verwijdering van de in artikel 12 van het Besluit administratieve bepalingen inzake het wegverkeer

(BABW) genoemde verkeerstekens, alsmede voor onderborden voor zover daardoor een gebod of verbod ontstaat of wordt gewijzigd.

Motivering van het besluit

Op grond van artikel 21 van het BABW bevat de motivering van een verkeersbesluit welke doelstelling of doelstellingen met het verkeersbesluit worden beoogd. Daarbij wordt aangegeven welke van de in artikel 2, eerste en tweede lid, van de Wegenverkeerswet 1994 genoemde belangen ten grondslag liggen aan het verkeersbesluit. Indien tevens andere dan voornoemde belangen in het geding zijn, wordt voorts aangegeven op welke wijze de belangen tegen elkaar zijn afgewogen.

Aan dit verkeersbesluit liggen de volgende belangen ten grondslag:

  • -

    het verzekeren van de veiligheid op de weg en het spoor;

  • -

    het beschermen van weggebruikers en passagiers;

  • -

    het in stand houden van de weg en het waarborgen van de bruikbaarheid daarvan;

  • -

    het zoveel mogelijk waarborgen van de vrijheid van het verkeer.

Fietsers en bromfietsers

Aan de zuidwestzijde van de N625 wordt een in twee richtingen te gebruiken fiets/bromfietspad aangelegd en als zodanig aangeduid. Het fiets/bromfietspad aan de noordoostzijde van de N625 komt te vervallen en de aanwezige bebording en markering wordt verwijderd.

Middengeleiders

Bij de kruising van de N625 met de Pastoor van Weerdtstraat en de Leijgraafstraat worden middengeleiders aangelegd om de oversteekbaarheid voor voetgangers, fietsers en bromfietsers te verbeteren. Om de weggebruikers te attenderen op de aanwezigheid van de middengeleiders worden deze voorzien van borden model D2 van bijlage 1 van het RVV 1990.

Voorrang

Verkeer dat het nieuwe fiets/bromfietspad aan de zuidwestzijde van de N625 kruist moet de fietsers en bromfietsers voorrang verlenen. Om het verkeer daarop te attenderen worden haaientanden aangebracht en borden B6 met onderborden geplaatst. De onderborden geven aan dat fietsers en bromfietsers van twee kanten kunnen komen.

Geslotenverklaringen

Fietsers en bromfietsers die van de N625 gebruik maken moeten het verplicht fiets/bromfietspad volgen. Ter ondersteuning daarvan en om misverstanden te voorkomen worden daar waar nodig borden model C15 (gesloten voor fietsers en bromfietsers) geplaatst.

Overleg politie

Overeenkomstig artikel 24 van het BABW hebben we overleg gepleegd met de korpschef van de Regionale Eenheid Oost Brabant. Op 24 december 2023 heeft de politie positief geadviseerd over de handhaafbaarheid van het verkeersbesluit.

Overleg gemeente

Overeenkomstig artikel 25 van het BABW hebben we overleg gepleegd met de gemeente Oss. Op 14 december 2023 heeft de gemeente Oss medegedeeld geen opmerkingen te hebben op het verkeersbesluit.

Besluiten

Op de provinciale weg N625, tussen km 17.600 (rotonde Beatrixweg) en

km 20.173 (bebouwde kom van Oss), plaatselijk bekend als de John F. Kennedybaan in Oss, de volgende verkeerstekens te verwijderen:

Verkeersborden, model:

  • B6 (Verleen voorrang aan bestuurders op de kruisende weg);

  • G12a (Fiets/bromfietspad).

Verkeerstekens op het wegdek (artikel 12 BABW):

  • Haaientanden.

Op de provinciale weg N625, tussen km 17.600 (rotonde Beatrixweg) en

km 20.173 (bebouwde kom van Oss), plaatselijk bekend als de John F. Kennedybaan in Oss, de volgende verkeerstekens te plaatsen:

Verkeersborden, model:

  • B6 (Verleen voorrang aan bestuurders op de kruisende weg), al dan niet met onderborden OB503OB04;

  • C15 (Gesloten voor fietsen, bromfietsen en gehandicaptenvoertuigen);

  • D2 (Gebod voor alle bestuurders het bord voorbij te gaan aan de zijde die de pijl aangeeft);

  • G12a (Fiets/bromfietspad).

Verkeerstekens op het wegdek (artikel 12 BABW):

  • Haaientanden.

De te plaatsen verkeerstekens zijn weergegeven op de bij dit besluit behorende tekeningen van 10 januari 2024, versie H, blad 1 en blad 2.  

’s-Hertogenbosch, 29 januari 2024

Gedeputeerde Staten van Noord-Brabant,

namens deze,

M.J.A.J. Schoenmaker,

Projectleider Bestuurlijk-Juridisch Wegbeheer

Bezwaar

Bezwaren tegen dit besluit kunnen binnen zes weken na de bekendmaking van dit besluit worden ingediend bij:

Het college van Gedeputeerde Staten van Noord-Brabant

Secretariaat van de hoor- en adviescommissie

Postbus 90151

5200 MC te ‘S‑HERTOGENBOSCH

Wij vragen u om op de linkerbovenhoek van de envelop het woord "bezwaarschrift" te vermelden.

Het bezwaarschrift moet zijn voorzien van een handtekening, naam en adres van de indiener, de dagtekening en ons kenmerk van het besluit. Ook dient u een omschrijving van het besluit waartegen het bezwaar gericht is en de gronden van het bezwaar hierin op te nemen.

Daarnaast vragen wij u vriendelijk om een kopie van dit besluit bij te voegen. Kunt u ons ook uw telefoonnummer geven? De provincie kan dan, mocht dit nodig zijn, u bellen om samen de beste aanpak van behandeling van uw bezwaarschrift te bespreken.

Meer informatie over de behandeling van bezwaarschriften vindt u op www.brabant.nl/bezwaar.

U kunt het secretariaat van de Hoor- en adviescommissie bereiken via telefoonnummer (073) 680 83 04, faxnummer (073) 680 76 80 en

e-mailadres bezwaar@brabant.nl.

Voorlopige voorziening

Bovenstaand besluit treedt in werking, ook al wordt een bezwaarschrift ingediend. Het is daarom mogelijk om gelijktijdig met of na het indienen van een bezwaarschrift een zogenaamde “voorlopige voorziening” te vragen bij: de Voorzieningenrechter van de Rechtbank Oost-Brabant, sector Bestuursrecht, Postbus 90125, 5200 MA 's‑Hertogenbosch.

Een voorlopige voorziening is in feite het nemen van een tijdelijke maatregel, bijvoorbeeld het schorsen van het besluit gedurende de tijd die nodig is om de bezwaren te behandelen en daarop een besluit te nemen. Voorwaarde om zo’n voorlopige voorziening te vragen is, dat er sprake is van spoedeisend belang.

Voor het vragen van een voorlopige voorziening is griffierecht verschuldigd.

Naar boven