De Provincie Noord-Holland (hierna: de Provincie) heeft het voornemen om in een perceel grond gelegen te Haarlemmermeer, kadastraal bekend AK2636 een zakelijk recht van opstal te vestigen ten behoeve van NTT Global Data Centers AMS1 B.V. (hierna: NTT).
Het gaat hierbij om een nieuw te vestigen opstalrecht ten behoeven van NTT met het doel een ondergrondse hoogspanningsverbinding (150kV) aan te brengen ten behoeve van het overbrengen van elektrische energie.
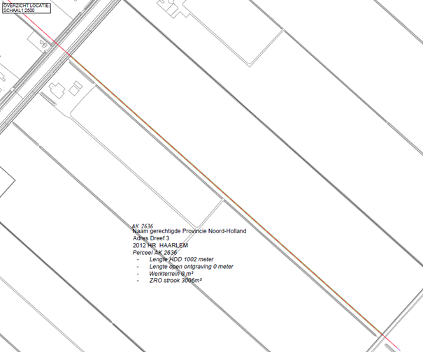
De Belaste Strook betreft de strook grond ter breedte van 1,5 meter aan weerszijden van en inclusief de hartlijn van de hoogspanningsverbinding, zoals is aangegeven op de tekening die hieronder is afgebeeld.
Plaatje
Aanmelding serieuze gegadigden
Andere serieuze gegadigden kunnen kenbaar maken dat zij ook interesse hebben in het verkrijgen van een zakelijk recht van opstal op deze locatie.
Geïnteresseerde partijen moeten aan dezelfde voorwaarden voldoen als die gesteld zijn aan NTT, te weten:
•
De hoogspanningsverbinding dient middels een gestuurde boring te worden aangebracht;
•
Het kabeltracé dient onderdeel uit te maken van een verbinding die loopt van het 150kV-station Vijfhuizen van TenneT naar de vestiging Amsterdam 1 Data Center van NTT te Rozenburg (Aviolanda 1);
•
Met een variantenstudie dient te worden aangetoond dat het perceel onderdeel zal zijn van het minst bezwarende tracé;
•
Het te vestigen opstalrecht heeft geen exclusiviteit in het beoogde perceel.
Indien zich voor 21 juli 2022 andere serieuze gegadigden melden die aan alle bovengenoemde vereisten voldoen, zal de Provincie voor deze locatie een openbare inschrijving starten. De procedure daarvoor wordt alsdan vastgesteld.
Ruimtelijke uitgangspunten
Voor de locatie is bestemmingsplan Haarlemmermeer Buitengebied Noord van toepassing. Identificatienummer: NL.IMRO.0394.BPGlgbbuitengebnrd-C001. Het perceel is bestemd als agrarisch.
Indien het bestemmingsplan dient aangepast te worden dienen initiatiefnemers zelf initiatief te nemen tot ruimtelijke procedures/ wijziging bestemmingsplan.
De percelen zijn verpacht aan een derde. Initiatiefnemer dient zelf de gebruiksmogelijkheden nader te onderzoeken.
De voorgenomen activiteit op het terrein moet instemming krijgen van de gebruiker.
Voorwaarden Provincie
Passend bij het gebruik van de percelen vestigt de Provincie een opstalrecht ten behoeve van de wederpartij. Op deze contracten zijn de bijbehorende algemene voorwaarden van toepassing. Het gaat hierbij om langdurige overeenkomst voor de duur van 50 jaren met een mogelijkheid tot verlenging. De Provincie brengt voor deze locatie een marktconforme vergoeding in rekening.
Voornemen tot Overeenkomst
Dit voornemen tot overeenkomst sluit 21 juli 2022. Voor die tijd dienen geïnteresseerde partijen hun interesse gemotiveerd kenbaar te hebben gemaakt aan de Provincie, door een schrijven te sturen aan de Provincie (john.nannes@noord-holland.nl). De Provincie behoudt zich het recht voor om aan een hiervoor bedoelde geïnteresseerde partij nadere informatie te vragen.
Indien uitsluitend partijen interesse tonen waarvan op grond van objectieve, toetsbare en redelijke criteria redelijkerwijze kan worden aangenomen dat deze niet kunnen worden aangemerkt als serieuze gegadigde(n), volgt geen openbare inschrijving. Indien de Provincie dit besluit wordt dit aan de geïnteresseerde partij(-en) gemeld, en wordt de voorgenomen overeenkomst niet eerder gesloten dan na 2 weken na die melding.
Bij gebreke van een tijdig en gemotiveerd bericht vervalt het recht u tegen het aangaan en uitvoeren van de opstalovereenkomst te verzetten en/ of daarop enige vordering tot schadevergoeding of welke andere aanspraak ook te baseren, althans heeft u uw rechten daarop verwerkt. Provincie Noord- Holland en NTT zouden immers onredelijk worden benadeeld indien pas na deze (duidelijk kenbaar gemaakte) termijn(en) alsnog tegen het voornemen respectievelijk het aangaan van de overeenkomst zou worden opgekomen.
Informatie
Een ieder die nadere informatie wenst te verkrijgen over deze voorgenomen overeenkomst kan zich richten tot beheerder grondzaken van provincie Noord-Holland, John Nannes, via hierboven vermeld e-mailadres.
De hier aangeboden pdf-bestanden van het Staatsblad, Staatscourant, Tractatenblad, provinciaal blad, gemeenteblad, waterschapsblad en blad gemeenschappelijke regeling vormen de formele bekendmakingen in de zin van de Bekendmakingswet en de Rijkswet goedkeuring en bekendmaking verdragen voor zover ze na 1 juli 2009 zijn uitgegeven. Voor pdf-publicaties van vóór deze datum geldt dat alleen de in papieren vorm uitgegeven bladen formele status hebben; de hier aangeboden elektronische versies daarvan worden bij wijze van service aangeboden.