Velperweg gedeelte Raapopseweg – viaduct A12

Datum verkeersbesluit: 2 februari 2026

Zaaknummer: 4935971

HET COLLEGE VAN BURGEMEESTER EN WETHOUDERS VAN ARNHEM;

 

gelet op:

  • artikel 2 en artikel 18, eerste lid, onderdeel d van de WvW 1994;

  • het Reglement verkeersregels en verkeerstekens 1990 (RVV 1990);

  • het bepaalde in de artikelen 12, 15, 21 van het Besluit administratieve bepalingen inzake het wegverkeer;

 

BESLUIT:

 

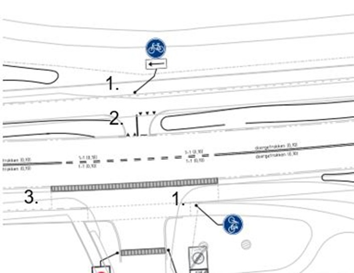
Ter hoogte van de Raapopseweg – Tivolilaan

  • 1.

    Te plaatsen bord B6 (verleen voorrang aan bestuurders op de kruisende weg) van bijlage 1 van het RVV 1990, op de locatie onder markering 1. op de volgende tekening.

  • 2.

    Haaientanden aan te brengen als bedoeld in artikel 80 RVV 1990 op de locaties onder de markeringen 2. op de volgende tekening.

 

Ter hoogte van Prümelaan – Oude Velperweg

  • 3.

    Te plaatsen Bord L3 (bushalte) van bijlage 1 van het RVV 1990 bij de bushalte ter hoogte van Velperweg 77-1/77A op de locatie onder markering 2. op de volgende tekening.

  • 4.

    Te plaatsen Bord G11 (verplicht fietspad) van bijlage 1 van het RVV 1990, op de locatie onder markering 3. op de volgende tekening.

  • 5.

    Te plaatsen Bord G11 (verplicht fietspad) van bijlage 1 van het RVV 1990 op de locatie onder markering 4. op de volgende tekening.

  • 6.

    Haaientanden aan te brengen als bedoeld in artikel 80 RVV 1990 op de locatie onder markering 5. op de volgende tekening.

 

 

  • 7.

    Te verwijderen het bord G11 (verplicht fietspad) van bijlage 1 van het RVV 1990 aan de rechterzijde van de Oude Velperweg ter hoogte van nr. 78 op de locatie onder markering 1. op de volgende tekening (bord staat niet aangegeven op tekening).

 

Ter hoogte van de Van der Duyn van Maasdamlaan

  • 8.

    Te plaatsen bord G11 (verplicht fietspad) van bijlage 1 van het RVV 1990 op de locatie onder markering 1. op de volgende tekening.

  • 9.

    Te plaatsen bord D2 (bord voorbij gaan aan zijde die het bord aangeeft) van bijlage 1 van het RVV 1990 op de locatie onder markering 2. op de volgende tekening.

 

Ter hoogte van de Huijghenslaan – Wichard van Pontlaan

  • 10.

    Te plaatsen bord B1 (voorrangsweg) van bijlage 1 van het RVV 1990 op de locatie onder markering 1. op de volgende tekening.

  • 11.

    Te plaatsen bord B6 (verleen voorrang aan bestuurders op de kruisende weg) van bijlage 1 van het RVV 1990, op de locatie onder markering 2. op de volgende tekening.

  • 12.

    Te verwijderen bord D2 (bord voorbij gaan aan zijde die het bord aangeeft) van bijlage 1 van het RVV 1990 op de locatie onder markering 3. op de volgende tekening (bord niet aangegeven op tekening).

  • 13.

    Haaientanden aan te brengen als bedoeld in artikel 80 RVV 1990 op de locaties onder markeringen 5. op de volgende tekening.

  • 14.

    Te plaatsen borden overeenkomstig model L3 (bushalte) van bijlage 1 van het RVV 1990 en het aanbrengen van blokmarkering als bedoeld in artikel 23, eerste lid, onderdeel e, van het RVV 1990 aan beide zijden van de Velperweg in Arnhem, ter hoogte van de nummers 113 en 134, op de locaties onder markeringen 1. op de volgende afbeelding.

  • 15.

    Te verwijderen de borden L3 (bushalte) van bijlage 1 van het RVV 1990 en de blokmarkering als bedoeld in artikel 23, eerste lid, onderdeel e, van het RVV 1990 ter hoogte van de Velperweg nummers 119 en 126 op de locaties onder markeringen 2. op de volgende afbeeldingen.

 

Ter hoogte van de Huijghenslaan oostelijke aansluiting

  • 16.

    Te plaatsen bord D2 (bord voorbij gaan aan zijde die het bord aangeeft) van bijlage 1 van het RVV 1990 op de locatie onder markering 1. en markering 4. op de volgende afbeelding.

  • 17.

    Te plaatsen bord B6 (verleen voorrang aan bestuurders op de kruisende weg) van bijlage 1 van het RVV 1990 bij onder markering 2. op de volgende afbeelding.

  • 18.

    Te plaatsen Bord D3 (bord voorbij gaan aan zijde die het bord aangeeft) van bijlage 1 van het RVV 1990 op de locatie onder markering 3. op de volgende afbeelding.

  • 19.

    Te plaatsen Bord B1 (voorrangsweg) van bijlage 1 van het RVV 1990 op de locatie onder markering 5. op de volgende afbeelding.

  • 20.

    Verwijderen bord G11 (verplicht fietspad) van bijlage 1 van het RVV 1990 op de locatie onder markeringen 6. op de volgende afbeelding (bord niet aangegeven op tekening).

  • 21.

    Haaientanden aan te brengen als bedoeld in artikel 80 RVV 1990 op de locaties onder markeringen 7. op de volgende afbeelding.

  • 22.

    Te plaatsen bord D4 (gebod tot het volgen van de rijrichting die op het bord is aangegeven) van bijlage 1 van het RVV 1990 op de locatie onder markering 8. op de volgende afbeelding.

 

Ter hoogte van de Oude Velperweg (oostelijke aansluiting)

  • 23.

    Te verwijderen borden B6 (verleen voorrang aan bestuurders op de kruisende weg) van bijlage 1 van het RVV 1990 op de locaties onder markeringen 1. op de volgende afbeelding (borden niet op tekening).

  • 24.

    Te plaatsen bord B1 van bijlage 1 van het RVV 1990 (voorrangsweg) op de locatie onder markering 3. op de volgende afbeelding.

  • 25.

    Te plaatsen borden G11 van bijlage 1 van het RVV 1990 (verplicht fietspad) op de locaties onder markeringen 4. op de volgende afbeelding.

  • 26.

    Verwijderen markeringen voetgangersoversteekplaats (zebrapad) geplaatst op de locaties onder de markeringen 5. op de volgende afbeelding (markering niet op tekening).

  • 27.

    Haaientanden aan te brengen als bedoeld in artikel 80 RVV 1990 op de locaties onder markeringen 6. op de volgende afbeelding.

 

Ter hoogte van de Julianalaan

  • 28.

    Te plaatsen borden G11 (verplicht fietspad) van bijlage 1 van het RVV 1990 op de locatie onder markering 1. op de volgende afbeelding, met onderbord OB501, indien aangegeven op tekening.

  • 29.

    Te verwijderen de markering voor voetgangersteekplaatsen (zebrapad), als bedoeld in artikel 49 van het RVV 1990 op de locaties onder markeringen 2 (markering niet op tekening).

 

Ter hoogte van de Esperantolaan

  • 30.

    Te plaatsen borden G11 (verplicht fietspad) van bijlage 1 van het RVV 1990 op de locaties onder markeringen 1. op de volgende afbeelding, met onderbord OB501, indien aangegeven op tekening.

  • 31.

    Haaientanden aan te brengen als bedoeld in artikel 80 RVV 1990 op de locatie onder markering 2. op de volgende afbeelding.

  • 32.

    Te verwijderen de haaientanden als bedoeld in artikel 80 RVV 1990 op de locatie onder markering 3. op de volgende afbeelding. (haaientanden niet op tekening).

 

Ter hoogte van de Roemer Visscherstraat

  • 33.

    Te plaatsen borden G11 (verplicht fietspad) van bijlage 1 van het RVV 1990 op de locaties onder markeringen 1. op de volgende afbeelding, met onderbord OB501, indien aangegeven op tekening.

  • 34.

    Aan te brengen markering voetgangersoversteekplaats (zebrapad), als bedoeld in artikel 49 van het RVV 1990 op de locatie onder markering 2. op de volgende afbeelding.

  • 35.

    Te plaatsen borden D2 van bijlage 1 van het RVV 1990 op de locatie onder markering 3. op de volgende afbeelding.

  • 36.

    Te verwijderen borden D2 van bijlage 1 van het RVV 1990 op de locaties onder markeringen 4. op de volgende afbeelding (borden niet op tekening).

 

Ter hoogte van de Vondellaan

  • 37.

    Te plaatsen borden G11 (verplicht fietspad) van bijlage 1 van het RVV 1990 op de locaties onder markeringen 1. op de volgende afbeelding, met onderbord OB501, indien aangegeven op tekening.

  • 38.

    Te plaatsen bord D2 (bord voorbij gaan aan zijde die het bord aangeeft) van bijlage 1 van het RVV 1990 op de locaties onder markeringen 2. op de volgende afbeelding.

  • 39.

    Aan te brengen haaientanden als bedoeld in artikel 80 RVV 1990 op de locaties onder markeringen 3. op de volgende afbeelding.

 

Ter hoogte van rotonde Bronbeeklaan – Van Remagenlaan - Velperweg

  • 40.

    Te verwijderen alle bestaande RVV-borden en -markeringen op het op de onderstaande tekening aangegeven kruispunt.

  • 41.

    Aan te brengen markering voetgangersoversteekplaats (Zebrapad) als bedoeld in artikel 49 van RVV 1990 op de locaties onder markeringen 1. op de volgende afbeelding.

  • 42.

    Te plaatsen borden D1 (Rotonde, verplichte rijrichting) op de locaties onder markering 2. op de volgende afbeelding.

  • 43.

    Aan te brengen haaientanden, als bedoeld in artikel 80 RVV 1990, zoals aangegeven op de volgende afbeelding.

  • 44.

    Te plaatsen borden B6 (verleen voorrang aan bestuurders op de kruisende weg) van bijlage 1 van het RVV 1990 op de locaties onder de markeringen 4. op de volgende afbeelding.

  • 45.

    Te plaatsen borden D2 (bord voorbij gaan aan zijde die het bord aangeeft) van bijlage 1 RVV 1990 op de middengeleiders, zoals aangegeven op de volgende afbeelding.

  • 46.

    Te plaatsen borden G11 (verplicht fietspad) van bijlage 1 van het RVV 1990, zoals aangegeven op de volgende afbeelding.

 

Ter hoogte van rotonde Bronbeeklaan – Van Remagenlaan - Velperweg

  • 47.

    Aan te brengen markering voetgangersoversteekplaats (zebrapad) als bedoeld in artikel 49 van het RVV 1990 (voetgangersoversteekplaats) op de locatie met markering 1 op de volgende afbeelding.

  • 48.

    Te plaatsen bord D2 (bord voorbij gaan aan zijde die het bord aangeeft) van bijlage 1 RVV 1990 op de locatie onder markering 2. op de volgende afbeelding.

  • 49.

    Te plaatsen bord B6 (verleen voorrang aan bestuurders op de kruisende weg) van bijlage 1 RVV 1990 op de locatie onder markering 3. op de volgende afbeelding.

  • 50.

    Te plaatsen bord B1 (voorrangsweg) van bijlage 1 van het RVV 1990 op de locatie onder markering 4. op de volgende afbeelding.

  • 51.

    Verwijderen bord B1 (voorrangsweg) (bord niet op tekening) van bijlage 1 van het RVV 1990 op de locatie onder markering 5. op de volgende afbeelding.

 

Ter hoogte van de Wellensteinlaan

  • 52.

    Te plaatsen bord G11 (verplicht fietspad) van bijlage 1 van het RVV 1990 met onderbord OB501, op de locatie onder markering op de volgende afbeelding.

  • 53.

    Te plaatsen bord B1 (voorrangsweg) van bijlage 1 van het RVV 1990 op de locatie onder markering 2. op de volgende afbeelding.

  • 54.

    Te plaatsen bord B6 (verleen voorrang aan bestuurders op de kruisende weg) van bijlage 1 van het RVV 1990 op de locatie onder markering 3. op de volgende afbeelding.

  • 55.

    Te plaatsen Bord C3 (eenrichtingsweg) van bijlage 1 van het RVV 1990 op de locatie onder markering 4. op de volgende afbeelding.

  • 56.

    Te plaatsen bord A1 (30 km) van bijlage 1 van het RVV 1990 op de locatie onder markering 4. op de volgende afbeelding.

 

Ter hoogte van de Weg naar ’t Lange Water

  • 57.

    Te plaatsen de borden A1 (30 km-zone) en A2 (einde 30 km-zone) van bijlage 1 van het RVV 1990, op de locatie onder markering 5. op de volgende afbeelding.

  • 58.

    Te plaatsen Bord C2 (eenrichtingsweg, verboden in te rijden van deze zijde) van bijlage 1 van het RVV 1990 op de locatie onder markering 3. op de volgende afbeelding.

  • 59.

    Te plaatsen bord C3 (eenrichtingsweg) van bijlage 1 van het RVV 1990, met onderbord (uitgezonderd fietsers), op de locatie onder markering 5. op de volgende afbeelding.

  • 60.

    Te plaatsen bord D2 (bord voorbij gaan aan zijde die het bord aangeeft) van bijlage 1 van het RVV 1990 op de locaties onder markering 2. op de volgende afbeelding.

  • 61.

    Te plaatsen bord G11 (verplicht fietspad) met onderbord OB501 van bijlage 1 van het RVV 1990 op de locatie onder markering 4. op de volgende afbeelding.

  • 62.

    Aan te brengen haaientanden als bedoel in artikel 80 van RVV 1990 op de locatie onder markering 6. op de volgende afbeelding.

 

 

Genoemde wegen zijn in beheer bij de gemeente Arnhem.

 

Aanleiding

De Velperweg is een van de oudste wegen in Arnhem. Het is de historische verbinding met

Velp, Dieren en Zutphen. Het deel van de Velperweg, tussen de Raapopseweg en de A12, ligt

aan de oostkant van de stad en is van grote betekenis voor de bereikbaarheid van Arnhem.

 

De gemeente koesterde lange tijd de wens om het gedeelte van de Velperweg tussen de Raapopseweg en viaduct A12 onderhanden te nemen. De verkeersveiligheid, oversteekbaarheid, en de doorstroming van het openbaar vervoer lieten te wensen over, er waren weinig bomen en het vele asfalt zorgde voor ‘hittestress’ en bij hevige regen, veel wateroverlast.

 

Daarom is het gedeelte van de Velperweg tussen Raapopseweg en viaduct A12 in samenloop met groot onderhoud en met behulp van financiële bijdragen van de Provincie en het Rijk grondig heringericht onder de noemer van het project Renaissance van de Velperweg – Van brede en onveilige asfaltbaan naar fietsvriendelijke groene boulevard (Renaissance Velperweg). Dit project bestond uit een groot pakket aan maatregelen om dit deel van de Velperweg verkeersveiliger, stiller, aantrekkelijker, groener, toekomstbestendig en duurzaam te maken. De maatregelen zijn al enige tijd geleden afgerond. In het kader daarvan zijn ook nieuwe verkeerstekens geplaatst en oude verwijderd. We nemen dit verkeersbesluit om de plaatsing en verwijdering van deze verkeerstekens alsnog te bekrachtigen.

 

Afweging artikel 2 Wegenverkeerswet 1994 (WvW)

De in dit verkeersbesluit genoemde verkeersmaatregelen strekken tot de volgende in artikel 2 van de WvW genoemde belangen:

  • Het verzekeren van de veiligheid op de weg;

  • Het voorkomen of beperken van de door het verkeer veroorzaakte overlast, hinder of schade alsmede de gevolgen voor het milieu, bedoeld in de Wet milieubeheer.

Wij zijn van mening dat geen van de in artikel 2 van de WvW genoemde belangen in dit geval in het geding zijn.

 

Advies Politie

Ingevolge artikel 24 van het BABW heeft er overleg plaatsgevonden met een door de Korpschef van Politie gemandateerde verkeersadviseur van de eenheid Oost Nederland. Deze stemt in met het verkeersbesluit. Duidelijke aantekening hierbij is dat het voorliggende verkeersbesluit niet is gericht op de inritconstructie of voorrangsbebording rondom de kruising Velperweg/ventweg Velperweg/Weg naar ’t Lange Water. Voor deze verkeersmaatregelen volgt een afzonderlijk verkeersbesluit.

 

 

Het college van burgemeester en wethouders van Arnhem,

namens het college,

 

M. Jochemsen

Teamleider Ondermijning, Backoffice en Vergunningen

 

 

 

Bezwaar

Als u het met deze beslissing niet eens bent, kunt u binnen zes weken na de dag waarop deze beslissing is bekendgemaakt een bezwaarschrift indienen. Uw bezwaarschrift moet u motiveren en ondertekenen en sturen naar:

Het college van burgemeester en wethouders van Arnhem

Postbus 9029

6800 EL Arnhem.

Vermeld in uw bezwaarschrift het zaaknummer (zie bovenaan).

 

Als u bezwaar hebt gemaakt en een spoedeisend belang hebt, kunt u de voorzieningenrechter vragen om een voorlopige voorziening te treffen. Het verzoek om een voorlopige voorziening moet u samen met een afschrift van uw bezwaarschrift sturen naar:

Voorzieningenrechter van de Rechtbank Gelderland

Team bestuursrecht

Postbus 9030

6800 EM Arnhem

Er zijn kosten verbonden aan dit verzoek. Hierover kan de rechtbank u meer vertellen

 

 

Naar boven