De gemeente Rheden heeft het voornemen om de onderstaande grondstroken te verhuren.
•
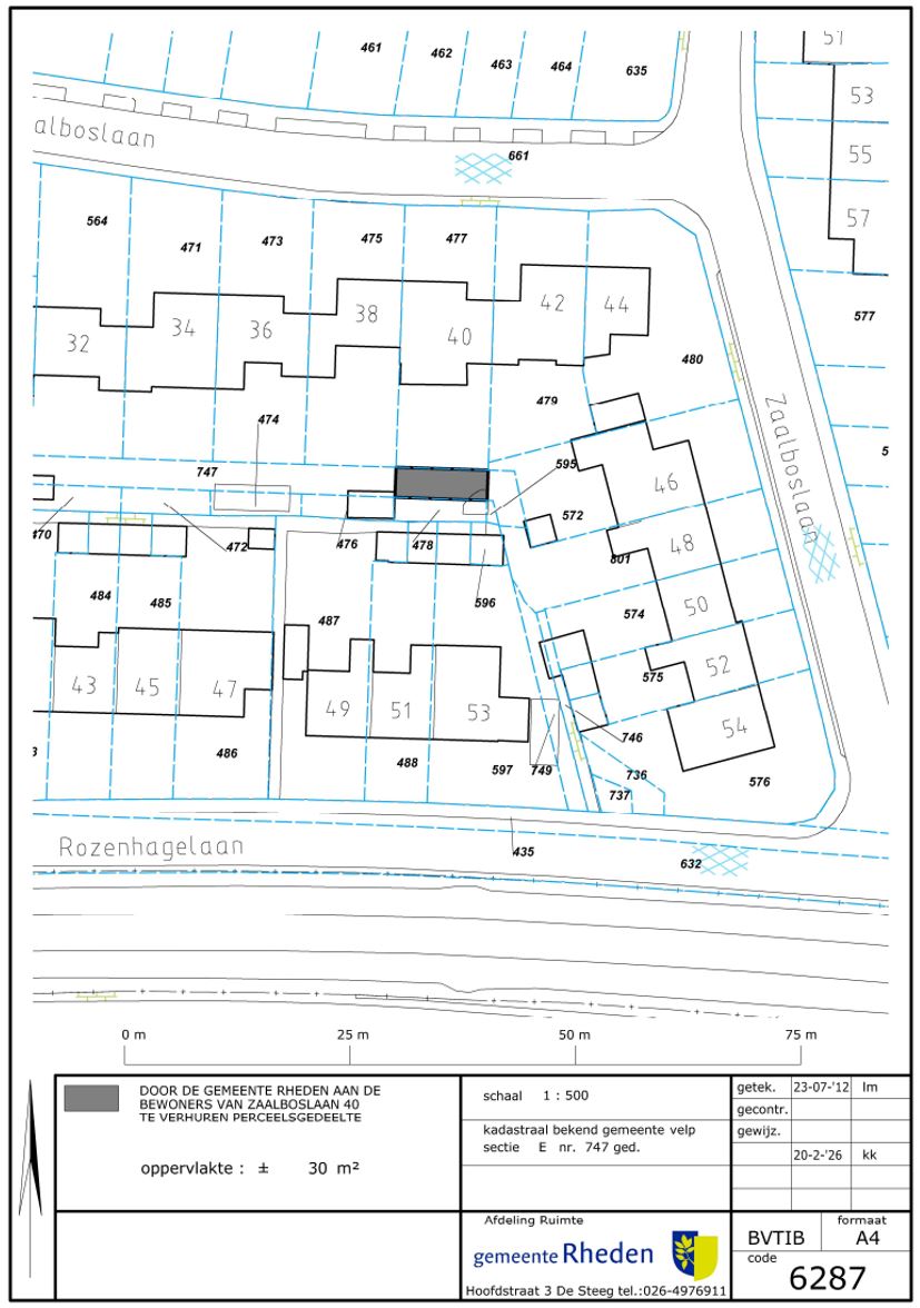
Grondstrook gelegen aan de achterzijde van de woning aan de Zaalboslaan 40, 6881 RJ in Velp, kadastraal bekend gemeente VEL01, sectie E, perceelnummer 747 gedeeltelijk, circa 30 m2
•
Grondstrook gelegen aan de achterzijde van de woning aan de Taxuslaan 39, 6951 NW in Dieren, kadastraal bekend als gemeente DRN00, sectie P, perceelnummer 4826 gedeeltelijk, circa 125 m2
De gemeente Rheden meent dat de beoogde huurders hiervoor als enige serieuze gegadigden in aanmerking komen.
Motivatie:
De Hoge Raad stelt dat de overheid moet motiveren waarom maar één serieuze gegadigde in aanmerking komt voor de huur van de bovenstaande percelen. De gemeente Rheden is voornemens deze objecten te verhuren aan de huidige eigenaren van de aangrenzende percelen.
De gemeente Rheden is van mening dat de beoogde huurders op grond van objectieve, redelijke en toetsbare criteria, als enige serieuze gegadigden in aanmerking komen. Dit blijkt uit de volgende omstandigheden:
•
De te verhuren grondstrook direct grenst aan het perceel van de beoogde huurders.
•
De beoogde huurders voornemens zijn de grondstroken te betrekken bij hun percelen.
•
De grondstrook vormt enkel in combinatie met het woonperceel van de beoogde huurders ruimtelijk gezien een logisch geheel. De verhuur aan een andere inwoner zou tot een onwenselijke situatie leiden.
Vervaltermijn
Tegen de voorgenomen verhuur kan volgens de Algemene Wet Bestuursrecht geen bezwaar worden gemaakt. Bent u van mening dat u op basis van bovenstaande criteria ook als enig serieuze gegadigde in aanmerking komt? Dan kan u binnen 20 kalenderdagen na datum van deze bekendmaking een kort geding aanspannen bij de rechtbank Gelderland. Als u een kort geding aanspant, vragen wij u ons dit binnen 20 kalenderdagen na datum van deze bekendmaking te laten weten. Dit is een vervaltermijn. Indien u nalaat uw recht uit te oefenen binnen de termijn, wordt aangenomen dat sprake is van rechtsverwerking. Dit betekent dat de mogelijkheid om in rechte op te komen tegen de voorgenomen verhuur en/of daarop enige vordering tot schadevergoeding of welke aanspraak dan ook komt te vervallen.
Met deze publicatie geeft de gemeente uitvoering aan het arrest van de Hoge Raad van 13 februari 2021 (ECLI:NL:HR:2021:1778) en het arrest van de Hoge Raad van 15 november 2024 (ECLI:NL:HR:2024:1661).
Voor eventuele vragen over deze publicatie kunt u contact opnemen met vastgoed@rheden.nl. Het stellen van vragen schort niet de termijn op waarbinnen een kort geding aanhangig moet worden gemaakt, zoals hiervoor bedoeld.
Tekening grondstrook gelegen aan de achterzijde van de woning aan de Zaalboslaan 40, 6881 RJ in Velp, kadastraal bekend gemeente VEL01, sectie E, perceelnummer 747 gedeeltelijk, circa 30 m2
Luchtfoto grondstrook gelegen aan de achterzijde van de woning aan de Taxuslaan 39, 6951 NW in Dieren, kadastraal bekend als gemeente DRN00, sectie P, perceelnummer 4826 gedeeltelijk, circa 125 m2
De hier aangeboden pdf-bestanden van het Staatsblad, Staatscourant, Tractatenblad, provinciaal blad, gemeenteblad, waterschapsblad en blad gemeenschappelijke regeling vormen de formele bekendmakingen in de zin van de Bekendmakingswet en de Rijkswet goedkeuring en bekendmaking verdragen voor zover ze na 1 juli 2009 zijn uitgegeven. Voor pdf-publicaties van vóór deze datum geldt dat alleen de in papieren vorm uitgegeven bladen formele status hebben; de hier aangeboden elektronische versies daarvan worden bij wijze van service aangeboden.