Voornemen tot het aangaan van een gebruiksovereenkomst betreffende een perceel grond aan de Hengelosestraat te Enschede
Het college van burgemeester en wethouders van de gemeente Enschede maakt hierbij bekend dat de gemeente voornemens is een gebruiksovereenkomst aan te gaan met de Vereniging Kennispark Ondernemers voor de hieronder vermelde onroerende zaak.
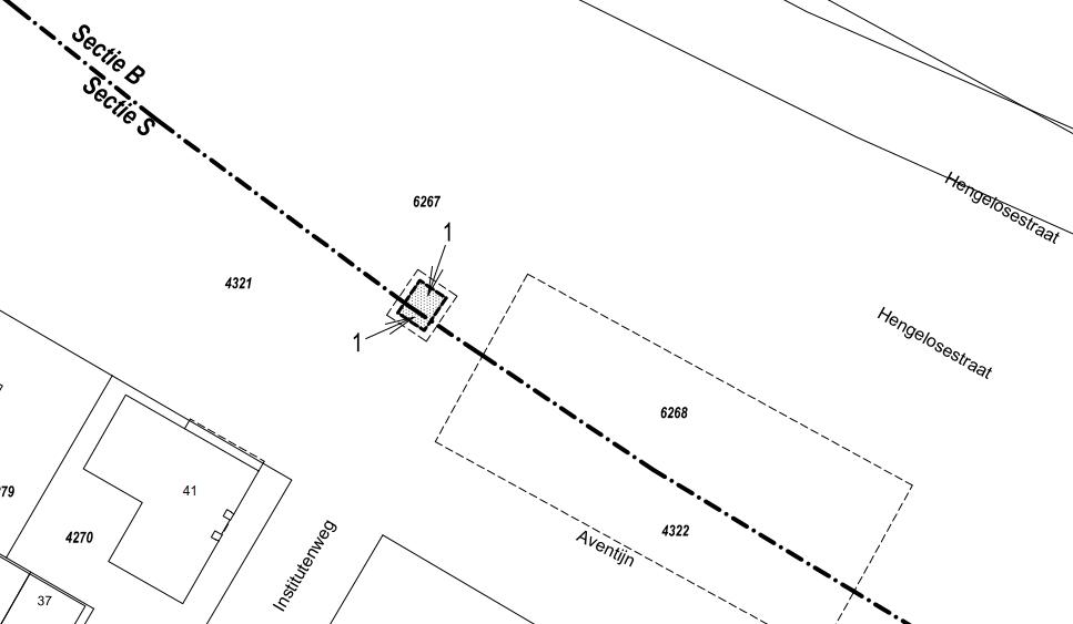
De gemeente Enschede is voornemens om een perceel grond, gelegen aan de Hengelosestraat te Enschede in gebruik te geven. Dit perceel grond betreft een gedeelte van twee aangrenzende kadastrale percelen, kadastraal bekend gemeente Lonneker, sectie B, nummer 6267 (gedeeltelijk) en gemeente Lonneker, sectie S, nummer 4321 (gedeeltelijk), ter grootte van in totaal circa 31 m2.
Figuur 1 Ligging van het in gebruik te geven perceel grond, aangeduid met ‘1’
Voor de gemeente is de Vereniging Kennispark Ondernemers de enige serieuze gegadigde om dit perceel grond in gebruik aan te geven, omdat:
1.
het perceel grond in gebruik wordt gegeven ten behoeve van het in stand houden van een vergaderunit. De vergaderunit is door de gemeente geplaatst op het perceel grond. De gemeente is voornemens de vergaderunit in eigendom over te dragen aan de Vereniging Kennispark Ondernemers als onderdeel van het project “De Slimme Verbinding”. Dit project heeft als doel het Kennispark met de Universiteit Twente te verbinden. De Slimme Verbinding is de oversteek die loopt van de Institutenweg over de Hengelosestraat naar de campus van de Universiteit Twente. Aan beide zijden van de Slimme Verbinding is een vergaderunit geplaatst, één op grond in eigendom van de Universiteit Twente en één op grond in eigendom van de gemeente waarover de gebruiksovereenkomst gaat. De vergaderunits dragen bij aan de verbinding en ontmoeting tussen het Kennispark en de Universiteit Twente.
2.
de ondernemers, organisaties en vastgoedeigenaren van het Kennispark verenigd zijn in de Vereniging Kennispark Ondernemers. Als vereniging werken zij samen aan de ontwikkeling van het Kennispark en stimuleren zij verbinding, innovatie en samenwerking. Gelet op de doelstelling van de vergaderunits acht de gemeente de Vereniging Kennispark Ondernemers bij uitstek geschikt en in staat om de vergaderunits in stand te houden.
3.
de instandhouding van de vergaderunits door de Vereniging Kennispark Ondernemers aansluit bij de Gebiedsstrategie Kennispark Twente, waar een van de twee pijlers het faciliteren en stimuleren van het ontmoeten en verbinden van alle mensen op het Kennispark waaronder de Universiteit Twente is. Ter uitvoering hiervan worden meer functionele verbindingen gerealiseerd en ontstaan nieuwe verbindingen, ontmoetingsplekken, interactiezones en verblijfsplekken. Daarbij gebeurt de uitvoering van de taken en rollen uit de Gebiedsstrategie zoveel mogelijk door partijen die reeds actief zijn op of voor het Kennispark. Dit sluit aan bij de instandhouding van de vergaderunits door de Vereniging Ondernemers Kennispark.
4.
de gebruiksovereenkomst nodig is om de instandhouding van één van de twee vergaderunits door de Vereniging Ondernemers Kennispark mogelijk te maken.
Gelet op het bovenstaande is sprake van een situatie die de Vereniging Kennispark Ondernemers in een ongelijke situatie plaatst ten opzichte van anderen, zodanig dat de gemeente de Vereniging Kennispark Ondernemers als de enige serieuze gegadigde voor het perceel grond kan aanmerken en deze daarom één-op-één, rechtstreeks kan aanbieden.
Vervaltermijn
Degene die zich niet kan verenigen met de voorgenomen ingebruikgeving, dient binnen een termijn van (20) twintig kalenderdagen na datum publicatie van deze bekendmaking, derhalve uiterlijk op 31 maart 2026, een kort geding tegen de gemeente aanhangig te maken bij de voorzieningenrechter van de rechtbank Overijssel.
Als u een kort geding aanhangig maakt dan dient u dit tevens binnen voornoemde termijn van 20 kalenderdagen schriftelijk mede te delen door het per e-mail toesturen van de conceptdagvaarding aan de afdeling Gebieds- en Projectontwikkeling van de gemeente, e-mailadres: JuristenGPO@enschede.nl.
Als binnen 20 kalenderdagen na de publicatie geen gebruik wordt gemaakt van de mogelijkheid om een kort geding aan te spannen, dan vervalt het recht om tegen de door de gemeente gesloten gebruiksovereenkomst in rechte op te komen, of daartegen enige vordering tot schadevergoeding of vergoeding van kosten of welke andere aanspraak dan ook te baseren.
Met deze publicatie geeft de gemeente uitvoering aan de zogenaamde Didam-arresten van de Hoge Raad van 26 november 2021 (ECLI:HR:2021:1778) en 15 november 2024 (ECLI:NL:HR:2024:1661).
Voor eventuele vragen en/of nadere toelichting met betrekking tot deze publicatie kunt u contact opnemen met de afdeling Gebieds- en Projectontwikkeling van de gemeente. Dit ontslaat u niet van het tijdig aanhangig moeten maken van voornoemd kort geding.
De hier aangeboden pdf-bestanden van het Staatsblad, Staatscourant, Tractatenblad, provinciaal blad, gemeenteblad, waterschapsblad en blad gemeenschappelijke regeling vormen de formele bekendmakingen in de zin van de Bekendmakingswet en de Rijkswet goedkeuring en bekendmaking verdragen voor zover ze na 1 juli 2009 zijn uitgegeven. Voor pdf-publicaties van vóór deze datum geldt dat alleen de in papieren vorm uitgegeven bladen formele status hebben; de hier aangeboden elektronische versies daarvan worden bij wijze van service aangeboden.