Instellingsbesluit en inrichtingsplan wijkmarkt Ypenburg

 

Dit besluit is eerder gepubliceerd op 30 juni 2022 (Gemeenteblad 2022, 298421) waarbij de bijlagen niet juist zijn opgenomen in het besluit. Met de publicatie van dit besluit wordt deze omissie hersteld.

 

Het college van burgemeester en wethouders van Den Haag,

 

gelet op:

 

  • -

    artikel 160 lid 1, aanhef en onder g van de Gemeentewet;

  • -

    artikel 3 van de Marktverordening Den Haag 2016;

 

overwegende dat:

 

  • -

    de afdeling Markten recent aan de marktkamer van de markt in de wijk Ypenburg en de Adviescommissie Haagse markten heeft voorgesteld de wijkmarkt aan de Vuursteen in Ypenburg (opnieuw) in te richten teneinde (opnieuw) formeel vast te leggen in een inrichtingsplan met bijbehorende inrichtingstekening wat de actuele inrichting van deze markt is;

  • -

    de in artikel 1:2 onder e. van het Marktreglement Den Haag 2016 vastgelegde marktdag van de wijkmarkt in Ypenburg in Den Haag gelet op het verouderde instellingsbesluit voor deze markt ook op grond van artikel 160 lid 1, aanhef en onder g van de Gemeentewet (opnieuw) ingesteld dient te worden;

  • -

    er reeds een participatietraject met de marktkamer van de wijkmarkt in Ypenburg heeft plaatsgevonden;

  • -

    uit dit participatietraject bijgevoegd inrichtingsplan met bijbehorende inrichtingstekening is voortgevloeid;

  • -

    de marktondernemers c.q. vergunninghouders van genoemde wijkmarkt vertegenwoordigd zijn in de marktkamer;

  • -

    de Adviescommissie Haagse markten positief heeft geadviseerd ten aanzien van genoemd inrichtingsplan;

  • -

    het (opnieuw) inrichten van de wijkmarkt in Ypenburg de basis vormt voor de nieuwe marktvergunningen met daarin opgenomen de vastgestelde afmetingen van de standplaatsen;

  • -

    er daardoor een duidelijke grondslag is voor het heffen van het marktgeld op grond van de vigerende Verordening Marktgelden Den Haag;

  • -

    het inrichtingsplan de kaders bevat waarbinnen de wijkmarkt gehouden wordt en dat dit van belang is voor een eventuele toekomstige verzelfstandiging van deze markt;

  • -

    door het (opnieuw) inrichten van de wijkmarkt meer uniformiteit en duidelijkheid voor de marktondernemers ontstaat en de markt meer aantrekkingskracht krijgt voor consumenten van de markt;

 

besluit:

  • I.

    op grond van artikel 160 lid 1, aanhef en onder g van de Gemeentewet de volgende marktdag in Den Haag in te stellen

    elke vrijdag van 09:00 – 17:00 uur op het marktterrein aan de Vuursteen bij het winkelcentrum Ypenburg;

 

  • II.

    op grond van artikel 3 van de Marktverordening het hierbij gevoegde inrichtingsplan met bijbehorende inrichtingstekening voor de wijkmarkt aan de Vuursteen bij het winkelcentrum Ypenburg in Den Haag vast te stellen;

 

  • III.

    de volgende besluiten in te trekken:

    a. instellen markt Ypenburg d.d. 7 maart 2006 met kenmerken DSB/SB2006-1559 en RIS136043;

    b. alle overige besluiten tot het instellen van marktdagen en het inrichten van een markt aan de Vuursteen bij het winkelcentrum Ypenburg, die door of namens het college van burgemeester en wethouders of door of namens de burgemeester zijn genomen op grond van artikel 160 lid 1, aanhef en onder g van de Gemeentewet en artikel 3 van de Marktverordening Den Haag 2016 of oudere en inmiddels ingetrokken wetgeving, af te schaffen en in te trekken;

 

  • IV.

    dat dit besluit in werking treedt op de dag na uitgifte in het Gemeenteblad.

 

 

Toelichting

 

De afdeling Markten (hierna: Markten) heeft -na afstemming met de marktkamer van de markt in de wijk Ypenburg- recent de wijkmarkt aan de Vuursteen in Ypenburg (opnieuw) ingericht. Aanleiding hiertoe is de wens om (opnieuw) formeel vast te leggen in een inrichtingsplan wat de actuele inrichting van deze markt is. Daarnaast is het instellingsbesluit van de wijkmarkt in Ypenburg in Den Haag verouderd. De marktdag in de wijk Ypenburg is vastgelegd in artikel 1:2 onder e. van het Marktreglement Den Haag 2016. Deze marktdag dient gelet op het verouderde instellingsbesluit ook op grond van artikel 160 lid 1, aanhef en onder g van de Gemeentewet ingesteld te worden.

 

Het (opnieuw) inrichten van genoemde wijkmarkt vormt de basis voor de nieuwe marktvergunningen met daarin opgenomen de afmetingen van de vergunde standplaatsen. Daardoor is er een duidelijke grondslag voor het heffen van het marktgeld op grond van de vigerende Verordening Marktgelden Den Haag. Ook in verband met het voornemen om deze wijkmarkt in de toekomst eventueel te kunnen verzelfstandigen, is het noodzakelijk om de basis op orde te hebben. Het inrichtingsplan vormt namelijk de kaders waarbinnen deze wijkmarkt gehouden wordt en dat is essentieel voor een eventuele toekomstige verzelfstandiging van de markt.

 

Verder wordt door het (opnieuw) inrichten van deze wijkmarkt deze markt aantrekkelijker gemaakt voor de marktondernemers omdat er meer gestreefd wordt naar uniformiteit en duidelijkheid voor de marktondernemers. Ook wordt door de herinrichting van de markt gestreefd naar het aantrekken van meer consumenten voor deze markt. Dit leidt naar verwachting tot een toename van het aantal bezoekers op de markt.

 

Het proces (opnieuw) inrichten van de wijkmarkt in Ypenburg is als volgt uitgevoerd. Allereerst is voor de wijkmarkt aan de Vuursteen in Ypenburg bekeken wat de knelpunten zijn. De knelpunten zijn besproken met vertegenwoordigers van de marktondernemers in meerdere overleggen van de betreffende marktkamer. Daar is een wenselijke situatie voor de inrichting van genoemde wijkmarkt uit voortgekomen, die ook is besproken met vertegenwoordigers van de marktondernemers in de marktkamer. Het inrichtingsplan en de bijbehorende inrichtingstekening voor de wijkmarkt in de wijk Ypenburg, zoals die na het participatieproces met de marktondernemers tot stand zijn gekomen, zijn in de bijlagen bij onderhavig besluit opgenomen.

 

 

Bijlage: Inrichtingsplan marktterrein Ypenburg

 

Dit inrichtingsplan is overeenkomstig artikel 3 van de vigerende Marktverordening Den Haag 2016 waarin is bepaald dat burgemeester en wethouders per markt een inrichtingsplan kunnen vaststellen met daarin in ieder geval één of meerdere van de navolgende onderwerpen opgenomen:

a. het aantal standplaatsen;

b. de afmetingen van de standplaatsen;

c. de opstelling en indeling van de markt;

d. welke ruimte wordt vergund als vaste standplaats of als flexplaats;

e. op welke standplaatsen opslagunits, verkoopwagens of ander (eigen) materiaal wordt toegestaan;

f. een lijst met branches;

g. een absoluut of procentueel aangegeven maximum aantal standplaatsen of vergunningen per branche;

h. een absoluut of procentueel aangegeven maximum aantal uit te geven dagplaatsen.

 

Artikel 1. Opstelling en indeling marktterrein

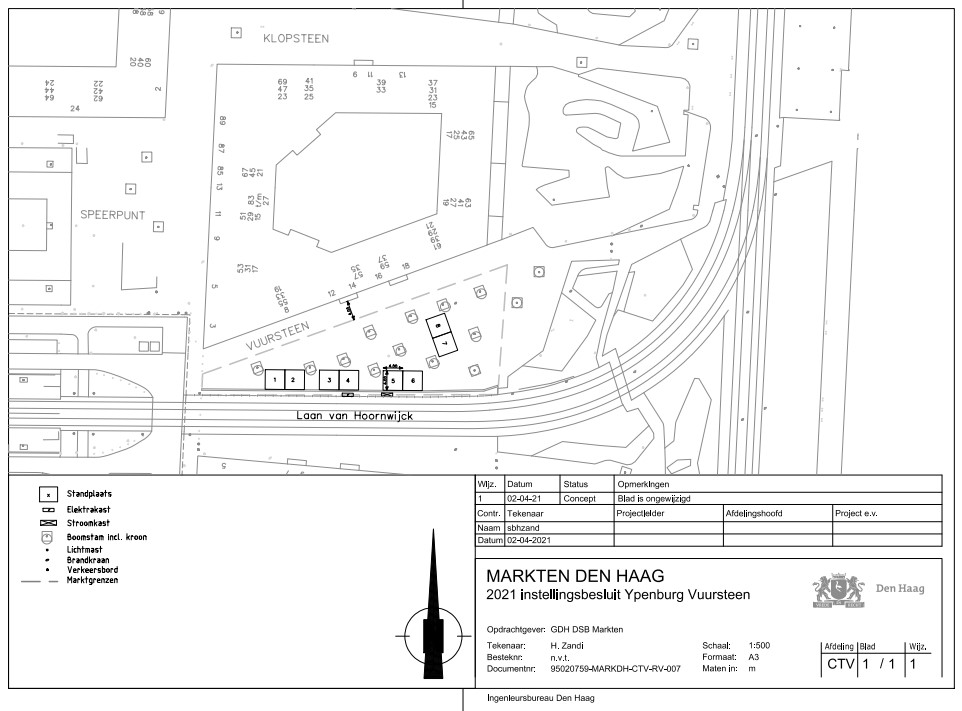
De opstelling en de indeling van de markt is weergeven op de kaart, bijgevoegd in bijlage 1 van dit inrichtingsplan. Op deze kaart staan ook de grenzen en gebieden aangegeven die bestemd zijn voor de markt. De afmetingen en de oppervlakte per standplaats vloeien voort uit de marktvergunningen.

 

Artikel 2. Vaste standplaatsen

  • 1.

    Er zijn acht vaste standplaatsen beschikbaar op het marktterrein.

  • 2.

    Op de vaste standplaatsen zijn alleen vergunde verkoopwagens of eigen materiaal toegestaan zulks ter beoordeling aan het college.

 

Artikel 3. Flexplaatsen

Er zijn geen flexplaatsen beschikbaar op het marktterrein.

 

Artikel 4. Veiligheid

  • 1.

    Bij noodzakelijk gebruik van stormankers dienen de vergunninghouders zelf voor de stormbanden te zorgen. De stormbanden dienen onbeschadigd te zijn en de functie te hebben waarvoor ze dienen.

  • 2.

    Bij gebruik van elektriciteitskabels of verlengsnoeren op het marktterrein, dienen deze volledig te worden afgedekt door matten. De afdekking moet ervoor zorgen dat het publiek niet over losliggende kabels kan struikelen

 

Bijlage 1:

 

Den Haag, 28 juni 2022

Het college van burgemeester en wethouders,

 

de secretaris,

Ilma Merx

 

de burgemeester,

Jan van Zanen

 

Naar boven