Voornemen tot verhuur Noord Schalkwijkerweg 113, 2034 JA te Haarlem
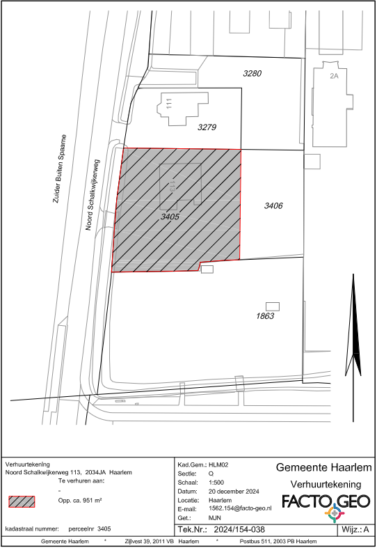
De gemeente Haarlem heeft het voornemen om de woning gelegen aan de Noord Schalkwijkerweg 113 in Haarlem, kadastraal bekend gemeente Haarlem ( HLM02), sectie Q, nummer 3405, groot: 951m² te verhuren aan Stichting Bedrijf en Samenleving, Freddie Oversteegenstraat 315, 2033 MV te Haarlem, hierna te noemen: Stichting B&S.
De gemeente Haarlem is sinds de jaren ’20 van de vorige eeuw eigenaar van deze woning en heeft dit object sinds die tijd verhuurd aan diverse gebruikers. De laatste jaren is het object op de lijst niet-strategisch vastgoed geplaatst met de intentie om de woning te gaan verkopen. In 2024 heeft een sanering plaatsgevonden van de gronden behorende bij dit object.
Criteria:
•
Gegadigde moet aantoonbaar een binding hebben met het gebied en de regio
•
Gegadigde moet een maatschappelijk doel nastreven, bij voorkeur met projecten gericht op jongvolwassenen met een hulpvraag
•
Gegadigde heeft ervaring in Haarlem in het vormgeven en ondersteuning bieden aan jongvolwassenen in alternatieve woonvormen
•
Gegadigde dient een schriftelijk plan te hebben met concrete maatregelen, zoals huurvoorwaarden, selectiecriteria voor bewoners en toezicht op naleving
Stichting B&S is uitgekozen op basis van bovenstaande criteria en zal in de gelegenheid worden gesteld om 6 jongeren (18+) te gaan huisvesten tegen een maatschappelijk verantwoorde kostprijs dekkende huur.
Ter onderbouwing van de keuze voor stichting B&S voert de gemeente nog het volgende aan:
1.
De stichting B&S voldoet aan de door de gemeente gestelde criteria.
2.
De gemeente geeft hiermee invulling aan een maatschappelijk doel welke tegemoet komt aan de wens van de raad om alternatieve woonvormen mogelijk te maken zoals o.a. is benoemd in het initiatiefvoorstel Samen Beter Wonen (9 mei 2023).
3.
De gemeente voert door ondersteuning van dit maatschappelijk initiatief het eigen beleid uit voor wat betreft het ondersteunen van alternatieve woonvormen en is daarbij terughoudend met de verkoop van niet-strategisch vastgoed.
Vervaltermijn
Als u het niet eens bent met het voornemen tot verhuur van het hiervoor omschreven object, omdat u van mening bent ook voor deze huur in aanmerking te komen, dan dient u binnen 20 kalenderdagen na dagtekening van deze publicatie een kort geding aanhangig te maken bij de rechtbank Noord-Holland, locatie Haarlem. Indien u een kort geding aanhangig maakt, dan dient u ons dit binnen voornoemde termijn van 20 kalenderdagen schriftelijk mede te delen door het per e-mail opsturen van de conceptdagvaarding aan juridischezaken@haarlem.nl. Met het oog op de voortgang in dit verhuurtraject en het verkrijgen van duidelijkheid, hanteert de gemeente een termijn van 20 kalenderdagen. Dit betreft een vervaltermijn.
Bij gebreke van een tijdig ingesteld kort geding vervalt het recht tegen de voorgenomen verhuur in rechte op te komen en/of daarop enige vorm van schadevergoeding of welke andere aanspraak dan ook te baseren. De gemeente en de potentiële huurder zouden onredelijk worden benadeeld als na voornoemde termijn alsnog tegen het voornemen en het aangaan van de huurovereenkomst wordt opgekomen.
De gemeente publiceert dit voornemen op haar website: www.haarlem.nl en in het Gemeenteblad op www.officielebekendmakingen.nl. Met deze publicatie geeft de gemeente uitvoering aan het arrest van de Hoge Raad van 26 november 2021 (ECLI:NL:HR:2021:1778) en 15 november 2024 (ECLI:NL:HR:2024:1661).
De hier aangeboden pdf-bestanden van het Staatsblad, Staatscourant, Tractatenblad, provinciaal blad, gemeenteblad, waterschapsblad en blad gemeenschappelijke regeling vormen de formele bekendmakingen in de zin van de Bekendmakingswet en de Rijkswet goedkeuring en bekendmaking verdragen voor zover ze na 1 juli 2009 zijn uitgegeven. Voor pdf-publicaties van vóór deze datum geldt dat alleen de in papieren vorm uitgegeven bladen formele status hebben; de hier aangeboden elektronische versies daarvan worden bij wijze van service aangeboden.