Besluit tot het vaststellen van nummeraanduidingen (huisnummerbesluit)
Gelet op de Verordening naamgeving en nummering Noord-Beveland 2025 waarin wij worden opgedragen nummers toe te kennen aan verblijfsobjecten, ligplaatsen en standplaatsen besluiten wij tot vaststelling van de nummeraanduiding(en):
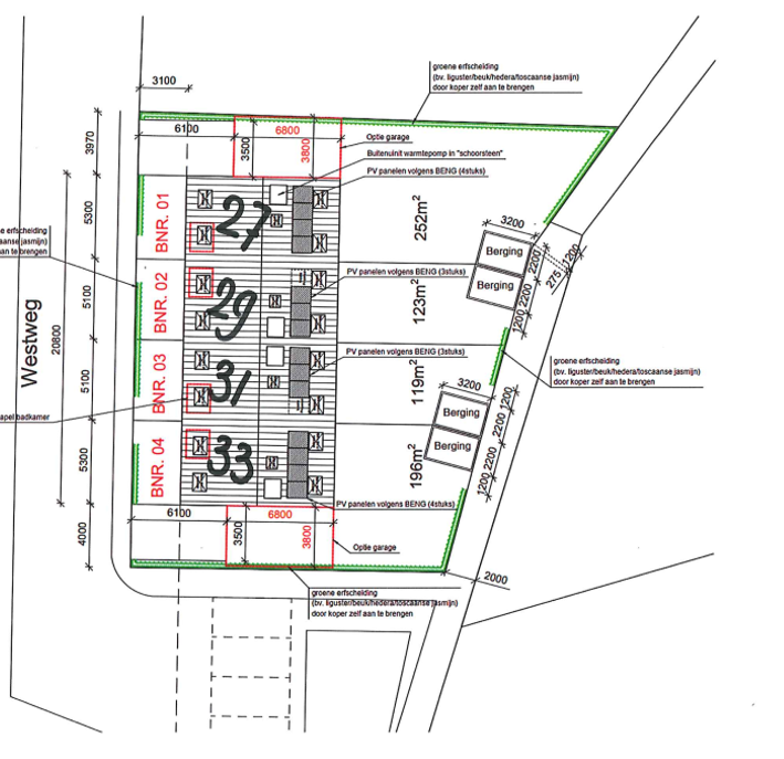
Westweg 27, 29, 31 en 33 te Geersdijk
Overeenkomstig de bij dit besluit behorende situatietekening(en).
Dit besluit heeft betrekking op het bouwen van 4 woningen en treedt op 19 november 2025 in werking.
Bezwaar
Als belanghebbende kunt u, nadat een besluit (aan u als aanvrager) bekend is gemaakt, daartegen een bezwaarschrift indienen. Het bezwaarschrift stuurt u binnen zes weken na de dag dat het besluit bekend is gemaakt, naar het college van Noord-Beveland, postbus 3, 4490 AA in Wissenkerke (tenzij dit anders vermeld staat in de publicatie). Een ingediend bezwaarschrift schorst in principe niet de werking van het besluit. Daarvoor moet u namelijk ook een verzoek om een voorlopige voorziening indienen.
Eisen bezwaar
Een bezwaarschrift moet ondertekend worden en tenminste bevatten:
-
naam en adres van de indiener
-
de dagtekening
-
een omschrijving van het besluit waartegen het bezwaar zich richt
-
de redenen van het bezwaar.
Voorlopige voorziening
Als u bezwaar heeft ingesteld kunt u tegelijkertijd een verzoek om een voorlopige voorziening indienen. Dit kan alleen als er sprake is van een spoedeisende zaak. Een dergelijk verzoek kunt u richten aan de Voorzieningenrechter van de Rechtbank Middelburg, sector Bestuursrecht, postbus 5015, 4330 KA Middelburg (tenzij anders vermeld in de publicatie). Aan het indienen van een verzoek om een voorlopige voorziening zijn kosten verbonden, deze zijn opvraagbaar bij de griffier van de rechtbank.
Namens burgemeester en wethouders,
mr. B.C.C. Melis
hoofd afdeling team Dienstverlening
Bijlage bij huisnummerbesluit met registratienummer d.d. 19 november 2025,
De hier aangeboden pdf-bestanden van het Staatsblad, Staatscourant, Tractatenblad, provinciaal blad, gemeenteblad, waterschapsblad en blad gemeenschappelijke regeling vormen de formele bekendmakingen in de zin van de Bekendmakingswet en de Rijkswet goedkeuring en bekendmaking verdragen voor zover ze na 1 juli 2009 zijn uitgegeven. Voor pdf-publicaties van vóór deze datum geldt dat alleen de in papieren vorm uitgegeven bladen formele status hebben; de hier aangeboden elektronische versies daarvan worden bij wijze van service aangeboden.