Voorgenomen verkoop perceel gemeentegrond Nieuweweg 2

 

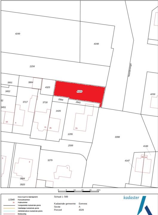
De gemeente Eemnes heeft het voornemen om perceel gemeentegrond Eemnes A 4326, ter grootte van ca. 325 m2, te verkopen aan de eigenaar van het naastgelegen perceel grond Eemnes A 2154. Het voorgenomen gebruik betreft de bouw van een woning met schuur. Om het huis met schuur te kunnen bereiken dient men via de Verlengde Laarderweg en Nieuweweg te rijden.

De gemeente is van oordeel dat deze aanvrager de enige serieuze gegadigde is voor de aankoop van dit perceel. Deze conclusie is gebaseerd op de volgende objectieve, toetsbare en redelijke criteria:

  • 1.

    Het perceel A 4326 grenst direct aan het perceel A 2154, waardoor zij het perceel het meest logisch en passend kunnen benutten in samenhang met hun eigen grond.

  • 2.

    De voorgenomen woningbouw sluit aan bij het geldende ruimtelijk beleid en de gemeentelijke visie voor deze locatie, wat de kans op concurrerende gebruiksplannen beperkt.

  • 3.

    Het gemeentelijke perceel is functioneel en fysiek onlosmakelijk verbonden met het bestaande perceel dat reeds jarenlang in eigendom is van de koper. Alleen door samenvoeging van beide percelen is deze woningbouw mogelijk.

Op grond van deze overwegingen past de gemeente de uitzondering toe op de Didam-regels en wordt het perceel uitsluitend aan deze gegadigde aangeboden zonder openbare inschrijving.

Reactietermijn voor derden

Belangstellenden hebben de gelegenheid om binnen een termijn van 20 kalenderdagen na deze publicatie gemotiveerd schriftelijk kenbaar te maken waarom zij ook menen te voldoen aan de criteria. Bezwaren kunnen worden ingediend door het starten van een kort geding bij de afdeling Privaatrecht van de rechtbank Midden-Nederland, middels het uitbrengen van een dagvaarding.

Vervolgtraject

Als er binnen de gestelde termijn geen andere serieuze gegadigden blijken te zijn, zal de betreffende grond worden verkocht aan de eigenaar van het naastgelegen perceel A 2154.

Naar boven