Voornemen tot het vestigen van een recht van opstal aan de Lupinestraat 29 tegenover de huisnummers 31 en 33 te Arnhem
De gemeente Arnhem is voornemens een recht van opstal te vestigen ten gunste van Liander N.V. voor het aanleggen, in eigendom hebben, gebruiken, inspecteren, herstellen, in stand houden, vervangen en verwijderen van een middenspanningsruimte met eventueel bijbehoren in en boven de grond van de gemeente Arnhem.
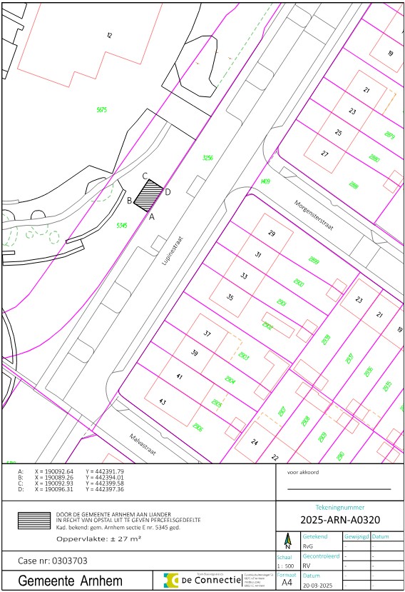
Liander N.V. is voornemens om tegenover de Lupinestraat 31 en 33, kadastraal bekend gemeente Arnhem, sectie E nummer 5345 gedeeltelijk, een middenspanningsruimte (hierna: MSR) te realiseren ten behoeve van de stroomvoorziening van het omliggende gebied. De MSR dient te worden gerealiseerd op een gedeelte van de locatie zoals aangegeven op bijgaande tekening met nummer 2025-ARN-A0320. Liander heeft om deze reden verzocht tot vestiging van een opstalrecht op deze locatie (circa 27 m2) ten behoeve van Liander.
De middenspanningsruimte zal door Liander worden aangelegd. Om de eigendom en toegankelijkheid van de middenspanningsruimte te waarborgen, wenst Liander N.V. een opstalrecht te vestigen ten behoeve van de locatie.
De gemeente Arnhem is van oordeel dat Liander N.V. op basis van objectieve, redelijke en meetbare criteria in deze de enige serieuze gegadigde is, nu Liander de (enige) netbeheerder is van het midden- en laagspanningsnet in Arnhem.
Als u van mening bent dat u ook in aanmerking komt en het dus niet eens bent met de één op één uitgifte, stuurt u uiterlijk 20 kalenderdagen na publicatie een gemotiveerd bericht aan vastgoedpublicaties@arnhem.nl onder vermelding van “Reactie op voornemen tot het vestigen van een recht van opstal Lupinestraat TO 31 en 33 te Arnhem.” Geef in dit bericht ook aan waarom u meent voor de voorgenomen uitgifte in aanmerking te komen.
Voor berichten die na deze termijn en/of ongemotiveerd worden ontvangen vervalt het recht om tegen deze uitgifte in rechte op te komen en/of daarop enige vordering tot schadevergoeding of welke andere aanspraak dan ook te baseren, althans zijn de rechten daarop verwerkt. Dit om te voorkomen dat de gemeente Arnhem en de opstaller onredelijk worden benadeeld door als pas na deze (duidelijk kenbaar gemaakte) termijn alsnog tegen (het voornemen tot) aangaan van de overeenkomst zou worden opgekomen.
Het is niet mogelijk om een bezwaar als bedoeld in de Algemene Wet Bestuursrecht tegen dit voornemen in te dienen.
Met deze publicatie geeft de gemeente uitvoering aan het arrest van de Hoge Raad d.d. 26 november 2021 (ECLI:NL:HR:2021:1778).
De hier aangeboden pdf-bestanden van het Staatsblad, Staatscourant, Tractatenblad, provinciaal blad, gemeenteblad, waterschapsblad en blad gemeenschappelijke regeling vormen de formele bekendmakingen in de zin van de Bekendmakingswet en de Rijkswet goedkeuring en bekendmaking verdragen voor zover ze na 1 juli 2009 zijn uitgegeven. Voor pdf-publicaties van vóór deze datum geldt dat alleen de in papieren vorm uitgegeven bladen formele status hebben; de hier aangeboden elektronische versies daarvan worden bij wijze van service aangeboden.