Verkeersbesluit voor het realiseren van verschillende verkeersmaatregelen vanaf de kruising met Wilhelminastraat en Monseigneur Claessensstraat tot en met de kruising met Wilhelminastraat en Rijksweg Zuid te Sittard

Z/25/794069

Burgemeester en wethouders van Sittard-Geleen:

  • 1.

    Besluiten:

ten behoeve van de herinrichting van de Wilhelminastraat te Sittard, de volgende verkeersmaatregelen te nemen:

    • 1.

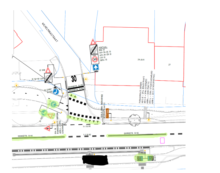
      het plaatsen van vier verkeersborden ‘Verplicht fietspad’ (bord G11), één verkeersbord ‘Gebod tot het volgen van de rijrichting die op het bord is aangegeven’ (bord D5), twee verkeersborden ‘Bushalte’ (bord L3) en één verkeersbord ‘Verleen voorrang aan bestuurders op de kruisende weg’ (bord B6), op de Wilhelminastraat te Sittard, tussen de kruising met de Wilhelminastraat en de Monseigneur Claessensstraat en de kruising met de Wilhelminastraat en de Rijksweg Zuid;

    • 2.

      het aanbrengen van meerdere verkeerstekens op het wegdek ‘Doorgetrokken strepen’ en ‘Haaietanden’ vanaf de kruising met de Wilhelminastraat en de Monseigneur Claessensstraat tot en met de kruising met de Wilhelminastraat en de Rijksweg Zuid te Sittard;

    • 3.

      het verwijderen van een verkeersbord ‘Bushalte’ (bord L3), nabij Wilhelminastraat 37 en 39 te Sittard.

Zoals aangegeven op de bij het besluit behorende foto(’s) en/of tekening(en).

  • 2.

    Overwegingen

Gemeente Sittard-Geleen gaat aan de slag met grote diverse werkzaamheden in het centrum van Sittard. Zo wordt de Wilhelminastraat te Sittard heringericht. Voor een beter en veiliger gebruik van de weg, nemen wij derhalve verschillende verkeersmaatregelen.

  • 3.

    Wettelijke grondslag

Verkeersbesluiten worden genomen op basis van artikel 15 lid 1 van de Wegenverkeerswet 1994 en artikel 12 van het Besluit Administratieve Bepalingen inzake het Wegverkeer.

Uit het oogpunt van de verkeersveiligheid, de bescherming van weggebruikers en passagiers, de doorstroming en de bruikbaarheid van de weg, alsmede het voorkomen of beperken van door het verkeer veroorzaakte overlast, hinder of schade alsmede de gevolgen voor het milieu, bedoeld in de Wet milieubeheer, wordt het noodzakelijk geacht de verkeersmaatregelen te nemen. Van toepassing zijn hier artikel 2, lid 1, sub a tot en met c en artikel 2, lid 2, sub a, van de Wegenverkeerswet 1994.

De Wilhelminastraat en de Rijksweg Zuid te Sittard zijn in beheer en onderhoud bij de gemeente Sittard-Geleen en liggen binnen de bebouwde kom, zoals bedoeld in de Wegenverkeerswet 1994.

  • 4.

    Advies

Verkeerskundigen en de regiopolitie hebben op 05-08-2025 positief geadviseerd over de voorgestelde verkeersmaatregel.

 

  • 5.

    Ondertekening

Sittard-Geleen, 08-10-2025

Namens het college van burgemeester en wethouders van Sittard-Geleen,

Juridisch medewerker verkeer

R. Dobrick

  • 6.

    Publicatie

Op basis van artikel 26 van het Besluit administratieve bepalingen inzake het wegverkeer, wordt na besluitvorming dit verkeersbesluit gepubliceerd in het Gemeenteblad (officielebekendmakingen.nl).

  • 7.

    Bezwaar

Bent u het niet eens met onze beslissing? Dan kunt u binnen zes weken na de dag waarop dit besluit gepubliceerd is een bezwaarschrift bij ons indienen. Dat kan op meerdere manieren:

    • 1.

      U kunt uw bezwaarschrift opsturen naar: Burgemeester en Wethouders van Sittard-Geleen, Postbus 18, 6130 AA Sittard.

    • 2.

      U kunt uw bezwaarschrift persoonlijk afgeven bij de Stadswinkel, Markt 1, Geleen.

    • 3.

      U kunt uw bezwaarschrift faxen via telefoonnummer (046) 400 00 39.

    • 4.

      U kunt ook digitaal bezwaar maken. Daarvoor heeft u wel een elektronische handtekening (DigiD) nodig.

Kijk op https://www.sittard-geleen.nl/Inwoners/Klacht_bezwaar_en_beroep/Bezwaar_bezwaarschrift_indienen voor meer informatie. Bijvoorbeeld om te lezen wat u in uw bezwaarschrift moet vermelden.

  • 8.

    Voorlopige voorziening

Als u bezwaar maakt, treedt het besluit toch in werking. Om dat te voorkomen, kunt u bij de rechter om een tijdelijke maatregel vragen. Dat heet een ‘voorlopige voorziening’. Dit kan alleen als er spoedeisende belangen zijn die dat nodig maken. Alle informatie hierover kunt u krijgen via de griffie van de rechtbank Limburg. Of kijk op www.rechtspraak.nl.

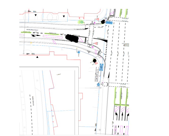
Locatie

  • -

    Verwijderen bord L3.

  • -

    Nieuwe verkeersmaatregelen groen gearceerd.

  • -

    Nieuwe verkeersmaatregelen groen gearceerd.

  • -

    Nieuwe verkeersmaatregelen groen gearceerd.

Sittard-Geleen, 08-10-2025

Namens het college van burgemeester en wethouders van Sittard-Geleen,

Juridisch medewerker verkeer

R. Dobrick

Naar boven