Intrekken naamgeving Oosterveldstraat, Lemerijweg, Oude Hengeloseweg, Busscherweg en vaststellen naamgeving Indiëspoor en de Bleek

Burgemeester en wethouders van de gemeente Hengelo;

 

Besluiten:

  • 1a.

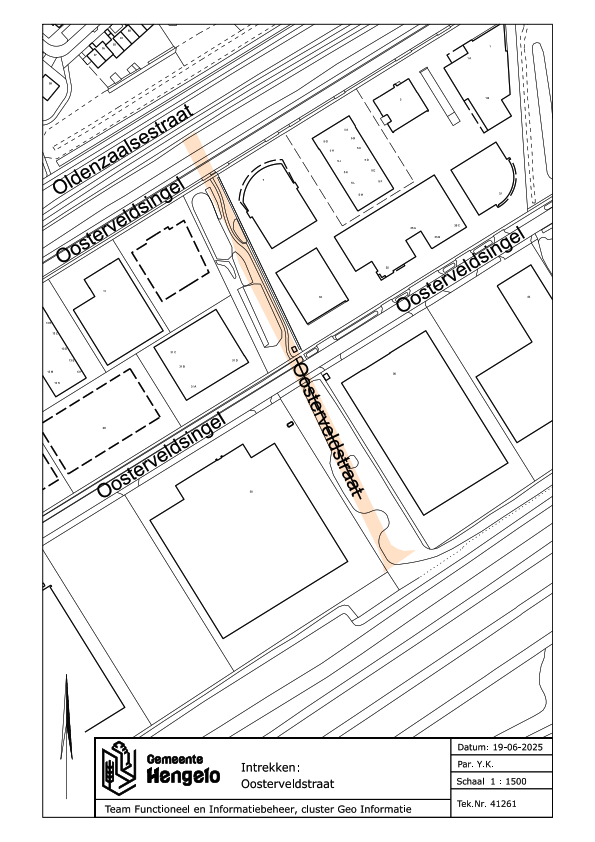
    In Oosterveld de Oosterveldstraat, straatcode 6322, zonder onderschrift in te trekken.

  • 1b.

    Op Bedrijventerrein Westermaat Noordwest de Lemerijweg, straatcode 5060, zonder onderschrift en de Oude Hengeloseweg, straatcode 3610, zonder onderschrift in te trekken.

  • 1c.

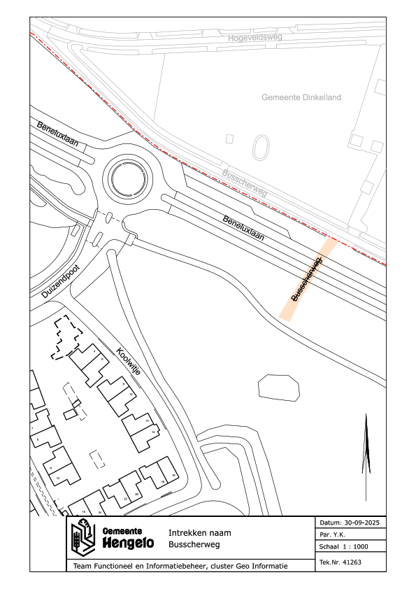
    In Het Broek de Busscherweg, straatcode 1610, zonder onderschrift in te trekken.

  • 1d.

    Op bedrijventerrein Westermaat Zuidwest de naam Indiëspoor, straatcode 3925, onderschrift: ‘Naar het hier gelegen testspoor van Heemaf (1925-1939)’ vast te stellen voor het gedeelte van de F35 vanaf de Wegtersweg tot aan de kruising met de Slachthuisweg en het verlengde van de Slachthuisweg ook te benoemen als Slachthuisweg, straatcode 7671, zonder onderschrift.

  • 1e.

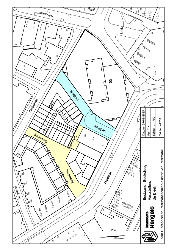
    In Binnenstad Centrum nabij de Beekstraat en Marskant voor de nieuwe straat tussen de Beekstraat en de Marskant de naam de Bleek, straatcode 1235, onderschrift: ‘Naar de hier vroeger gelegen bleekvelden’ vast te stellen.

  • 2.

    De volgende situatietekeningen vast te stellen:

    • -

      41261 Intrekken Oosterveldstraat.pdf

    • -

      41223 Intrekken Lemerijweg.pdf

    • -

      41260 Intrekken Lemerijweg en Oude Hengeloseweg.pdf

    • -

      41263 Intrekken Busscherweg.pdf

    • -

      41235 Vaststellen Indiëspoor en deel Slachthuisweg.pdf

    • -

      41262 Vaststellen de Bleek.pdf

  • 3.

    Dat de ingangsdatum 24 oktober 2025 is.

Aldus vastgesteld in de collegevergadering van 15 oktober 2025

de secretaris,

de burgemeester,

Bezwaar

 

Bent u belanghebbende, dan kunt u binnen zes weken na publicatiedatum van dit besluit een gemotiveerd bezwaarschrift indienen bij het college van B en W. Kijk voor meer informatie op Bezwaar en beroep (hengelo.nl)

Bijlage 1 Situatietekeningen

 

41261 Intrekken Oosterveldstraat.pdf

 

41223 Intrekken Lemerijweg.pdf

 

41260 Intrekken Lemerijweg en Oude Hengeloseweg.pdf

 

41263 Intrekken Busscherweg.pdf

 

41235 Vaststellen Indiëspoor en deel Slachthuisweg.pdf

 

41262 Vaststellen de Bleek.pdf

Naar boven