Nadere regels standplaatsen gemeente Purmerend

Burgemeester en wethouders van de gemeente Purmerend,

 

gelet op artikel 5:18 vijfde lid van de Algemene plaatselijke verordening Purmerend 2021,

 

B E S L U I T E N:

 

  • 1.

    De navolgende Nadere regels standplaatsen gemeente Purmerend vast te stellen.

  • 2.

    Dit besluit treedt in werking de dag na bekendmaking hiervan.

  • 3.

    Op de dag bedoeld in het tweede lid wordt het Standplaatsenbeleid 2012-2017 ingetrokken.

Nadere regels standplaatsen gemeente Purmerend

 

Hoofdstuk 1 Juridisch kader

1.1 Algemene uitgangspunten

Op basis van artikel 5:18 van de Algemene plaatselijke verordening Purmerend 2021 (APV) is het verboden om zonder vergunning een standplaats in te nemen. Het juridisch kader is echter breder dan de APV, want ook de Warenwet, Winkeltijdenwet, Omgevingswet en het Besluit activiteiten leefomgeving (Bal) zijn van toepassing.

 

De gemeente hanteert een maximumstelsel voor standplaatsen, zodat geen wildgroei kan ontstaan en ondernemers een duidelijk kader hebben waarbinnen zij kunnen ondernemen. Dit maximumstelsel geeft aan op welke locatie een standplaats beschikbaar wordt gesteld. Dit wordt weergegeven op de kaarten in bijlage 2. Over het algemeen zijn de standplaatsen gesitueerd bij winkelcentra, langs doorgaande routes met stopmogelijkheden of op plaatsen waar veel mensen wonen of werken. De standplaats dient te worden ingenomen met een mobiele verkoopinrichting die elke avond (uitgezonderd seizoenstandplaatsen) wordt verwijderd en mag alleen gedurende de openingstijden opgenomen in de winkeltijdenwet geopend zijn voor verkoop. Er mag een uur voor openingstijd tot een uur na sluitingstijd al aanwezig zijn om deze in te richten. De eigenaar dient bij beëindiging van de vergunning de locatie leeg en in oorspronkelijke staat op te leveren. Een standplaats kan niet worden overgedragen op een andere ondernemer die de locatie verder exploiteert.

1.2 Toetsingscriteria

De APV geeft in artikel 1:8 en 5:18 een aantal toetsingscriteria aan op basis waarvan de aanvragen voor standplaatsen worden beoordeeld. Deze criteria worden hier niet herhaald. Ter invulling van de criteria gelden aanvullend onderstaande eisen, die van toepassing zijn op alle standplaatsen.

  • De maximale omvang van een verkoopwagen inclusief uitstalling is afhankelijk van de ruimte die een locatie biedt, (zie bijlage 2). De richtlijn is 20 m2 , maar daar kan van worden afgeweken. De omvang wordt aangegeven in de vergunning;

  • Standplaatsen komen niet in aanmerking voor een terras, omdat dit wordt voorbehouden aan horecagelegenheden;

  • In de vergunning staat naast de standplaatslocatie ook vermeld voor welke dagen de vergunning rechtsgeldig is;

  • De standplaatshouder dient te voldoen aan de eisen van de Vestigingswet en aan de eisen van de Warenwet;

  • De standplaatshouder dient zich te houden aan de Winkeltijdenwet. Hij/zij mag vanaf een uur voor opening tot een uur na sluiting op de standplaats aanwezig zijn om deze in te richten;

  • De verkoopwagens dienen op eerste aanzegging van de gemeente verwijderd te worden indien omstandigheden daartoe aanleiding geven;.

  • Per natuurlijk persoon of rechtspersoon wordt per standplaatslocatie één standplaatsvergunning verleend;

  • De natuurlijk persoon mag de standplaats niet onderverhuren en dient zelf het grootste deel van de dag aanwezig te zijn op de standplaats of een geregistreerd en ingeschreven voldoende gekwalificeerde medewerker. Hiervoor kan, na schriftelijke aanvraag bij vakantie of ziekte een uitzondering worden gemaakt;

  • De standplaats dient na beëindiging van de vergunning leeg en in oorspronkelijke staat opgeleverd te worden;

  • Overdracht van de standplaats is alleen toegestaan mits dit in familie van de eerste of de tweede graad plaatsvindt, of indien het een medewerker betreft die aantoonbaar 3 jaar in loondienst is. Overnamekandidaten dienen aan alle in deze nadere regels gestelde voorwaarden te voldoen;

  • Brandveiligheid: op een afstand van minder dan vijf meter vanaf bebouwing mag geen standplaats worden ingenomen in verband met gevaar voor overslag van brand in het geval dat brand op de standplaats ontstaat. Mogelijkheden voor uitzonderingen op deze regel worden door de brandweer beoordeeld (hier geldt ondermeer de regel dat bedrijven die binnen 5 meter van een gebouw staan dienen aan te tonen dat ze niet in het bezit zijn van een bakinrichting of dat ze een WBDBO (Weerstand tegen BrandDoorslag en Brandoverslag) hebben van ten minste 30 minuten).

1.3 Locaties voor standplaatsen

In navolgende tabel staat een opsomming van alle door de gemeente vastgestelde standplaatslocaties. De locaties staan aangegeven op de kaartjes in de bijlage 2. Indien nodig wordt aanvullende informatie omtrent de locaties opgenomen in de vergunningen en de huurcontracten.

 

Tabel 1: locaties voor vaste- en seizoenstandplaatsen (de standplaatslocaties op privaat terrein zijn in deze opsomming niet meegenomen).

Deelgebied/wijk

Aantal locaties

De Gors

2

Wheermolen

2

Centrum

3

Purmer-Noord

2

Purmer-Zuid

2

Overwhere-Noord

1

Overwhere-Zuid

2

Weidevenne

1

Totaal

15

 

In vergelijking met het aantal standplaatsen in 2008 zijn er 4 standplaatsen meer. Bij winkelcentrum Weidevenne heeft de gemeente Purmerend conform de uitspraak van de afdeling rechtspraak van de Raad van State besloten om de gevestigde winkeliers van een nieuw winkelcentrum te beschermen tegen standplaatshouders. De gemeente heeft aanvaard dat winkeliers gedurende maximaal 5 jaar, waarin de aanloopkosten nog hoog zijn, gevrijwaard dienen te zijn van concurrentie. Deze periode is nu verstreken en daarom is het mogelijk gemaakt om hier een standplaats te creëren. Verder heeft de winkeliersvereniging Makado een aanvraag voor een standplaats ingediend nabij het winkelcentrum Makado. Deze nieuwe standplaats wordt slechts aan de winkeliersvereniging Makado gegund. Nabij het winkelcentrum Wormerplein zijn ook standplaatsen mogelijk gemaakt.

 

De branchering van de standplaatsen laat de Gemeente Purmerend vrij, behalve op de Kaasmarkt. Hier worden twee dezelfde branches niet toegestaan, aangezien op deze locatie twee standplaatslocaties in elkaars directe nabijheid gesitueerd zijn.

 

Voor bloemenverkopers in de gehele stad geldt dat zij in de decembermaand kerstbomen mogen verkopen tussen 6 en 24 december, waarvoor maximaal 20 m2 extra ruimte in gebruik mag worden genomen, mits de gelegenheid daarvoor aanwezig is. Dit wordt opgenomen in de Standplaatsvergunning. De gemeente Purmerend hanteert naast de vaste standplaatsen ook seizoenstandplaatsen. Seizoenstandplaatsen zijn standplaatsen voor een bepaalde periode. Binnen deze standplaatsen hebben we oliebollenverkoop (1 oktober t/m 31 december) en kerstbomenverkoop (6 december t/m 24 december).

 

Tabel 2: locaties voor seizoenstandplaatsen

Seizoenstandplaats

Oliebollen

Kerstbomen

John F. Kennedyplein

1

Koemarkt

1

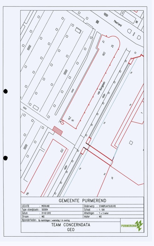
Meerland

1

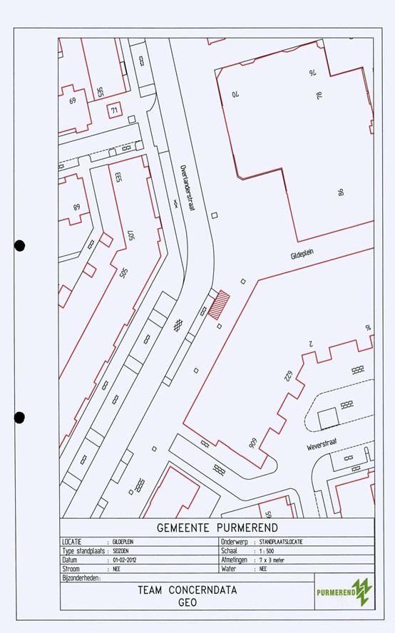
Gildeplein

1

1

Wormerplein

1

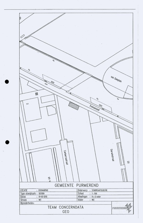
Evenaarpad nabij winkelcentrum Weidevenne

1

1

Totaal

6

2

 

Standplaatsen gesitueerd op particuliere grond, zullen worden beoordeeld aan de hand van de toetsingscriteria uit de APV. Daarnaast dient de eigenaar van de grond akkoord te gaan met de afgifte van de standplaats- vergunning. In zo'n geval worden alleen legeskosten in rekening gebracht en niet de precariokosten.

1.4 Nieuwe aanvragen

Bij een nieuwe aanvraag voor een standplaats zal gezocht worden binnen de vastgestelde standplaatslocaties naar een beschikbare locatie. Dit kan een locatie zijn die helemaal niet in gebruik is, of een locatie die 'part-time' wordt ingevuld. In dat laatste geval kan op de overgebleven dagen een andere ondernemer de plek invullen. Standplaatsen worden op deze manier gedeeld. Om onenigheid over het 'recht op een standplaats' te voorkomen, worden de volgende regels gehanteerd:

  • De ondernemer die het eerst op een locatie aanspraak maakt heeft het zogeheten eerste recht voor de aangevraagde dagen;

  • Een tweede ondernemer kan de overgebleven dagen opvullen, een derde de volgende etc;

  • Indien de situatie zich voordoet dat meerdere ondernemers interesse tonen voor een vrije standplaats binnen de gemeente, zal in het bijzijn van de aanvragers geloot gaan worden;

  • Wanneer een ondernemer 5 jaar achtereen een standplaats inneemt, verwerft hij/zij 'voorrangsrecht'. Dit ontslaat hem niet van de in deze paragraaf genoemde verplichtingen;

  • Indien de situatie zich voordoet dat meerdere ondernemers interesse tonen voor een standplaats en er is geen (gedeeltelijk) vrije standplaats meer beschikbaar binnen de gemeente, dan legt de gemeente een lijst met geïnteresseerden aan.

Nieuwe standplaatsen worden gepubliceerd en onder de geïnteresseerden verloot. Wanneer een ondernemer een niet in deze notitie genoemde locatie wil innemen, dan zal de ondernemer zijn/haar aanvraag goed moeten motiveren. De gemeente beoordeelt de aanvraag aan de hand van de APV, het omgevingsplan en voorliggende nadere regels.

1.5 Bijzondere gevallen

Standplaatsen in de directe nabijheid van een winkelcentrum kunnen worden gegund aan de winkeliersvereniging. Het komt vaak voor dat bedrijven of instellingen een tijdelijke standplaats willen innemen. Het gaat vaak om: het graveren van fietsen/ auto's, winkeliers die een dag uitverkoop willen houden, stichtingen die ten behoeve van een goed doel iets aan de man brengen, verkoop bij evenemententerreinen, koek en zopie etc.

 

Voor de meeste gevallen geldt dat een vergunning verleend kan worden voor: het innemen van een standplaats op de openbare weg met een geldigheidsduur van maximaal twee weken.

 

Omdat het onmogelijk is om alle uitzonderingen in een beleid te verwoorden, behoudt de Gemeente Purmerend zich het recht voor dergelijke aanvragen op haar merites te beoordelen en per keer te bepalen of het maken van een uitzondering wenselijk is met inachtneming van de toetsingscriteria.

1.6 Afspraken tussen gemeente en ondernemer

De ondernemer vindt in de APV een aantal algemene richtlijnen waar hij/zij zich op kan richten. Voor het in gebruik nemen van een standplaats is een vergunning nodig van het college van Burgemeester en Wethouders. Deze vergunning wordt aangevraagd bij de Gemeente Purmerend en binnen 8 weken wordt uitsluitsel gegeven over de aanvraag.

 

Naast het hebben van een geldige vergunning brengt de gemeente voor het gebruik van de grond precario in rekening. Naast het heffen van leges en precariokosten worden de kosten voor het gebruik van elektra en water voor zover dit bij de standplaats aanwezig is in rekening gebracht. Voor een standplaats vindt de in rekening stelling voor stroom en water als volgt plaats:

  • Voor een heel jaar: 6 dagen x 52 weken = 312 dagen;

  • Seizoenstandplaats: aantal dagen dat de plaats wordt gebruikt;

  • Plaatsen die 1 tot 5 dagen per week in gebruik zijn: 52 x aantal dagen per week.

Verrekening van precario wordt als volgt in rekening gebracht:

  • Per m2 per dag/kwartaal/ half jaar/ of jaar.

De precariotarieven zijn verdeeld in tarieven voor het centrum en overige gebieden. Voor standplaatsen wordt het tarief voor eendaagse evenementen per dag, per m2 gehanteerd. Wanneer een ondernemer voor vakantie enkele weken niet aanwezig is, wordt de standplaats doorberekend. De plaats kan dan niet door een andere ondernemer worden ingevuld. Wanneer de afwezigheid langer dan 6 weken tot maximaal 3 maanden duurt, kan de ondernemer minimaal 6 weken van te voren een plaatsvervanger voordragen aan de gemeente. Deze vervanger wordt dan door de gemeente hetzelfde beoordeeld zoals dat met vaste standplaatshouders gebeurt. Verrekening voor vergunning en precario dient onderling plaats te vinden.

 

De Gemeente Purmerend eist van de vergunninghouder dat de standplaats voor de juiste functie, namelijk ambulante handel, wordt gebruikt (zie vergunningsvoorschriften). De letterlijke tekst van de vergunningsvoorschriften, die dient als leidraad en waar altijd van kan worden afgeweken per situatie, staat in bijlage 1. Indien dit niet het geval is en de standplaats zonder opgaaf van reden langer dan 6 weken niet wordt gebruikt voor ambulante handel, dan behoudt de gemeente zich het recht voor de standplaatsvergunning te beëindigen en in te trekken.

Hoofdstuk 2 Vergunning en handhaving

2.1 Handhaafbaarheidtoets

Handhaving van de standplaatsen kan plaatsvinden op basis van de verleende vergunning, op basis van de APV en op basis van de Woningwet en de Omgevingswet (illegale bouwwerken). De Gemeente Purmerend is bevoegd hier op te handhaven. De vaste standplaatsen kunnen om de 2 jaar worden gecontroleerd. De seizoenstandplaatsen voor kerstbomenverkoop alleen als daar een aanleiding voor is en de seizoenstaanplaatsen voor de verkoop van oliebollen jaarlijks i.v.m. de brandveiligheid en milieu. Verder vindt toezicht en handhaving plaats op incidentele basis en op basis van meldingen of klachten. Diverse sancties zijn mogelijk (aanzeggen van bestuursdwang of opleggen van een last onder dwangsom), met als uiterste het afbreken, verwijderen van het bouwwerk, markavan, verkoopwagen of uitstalling door of in opdracht van de Gemeente Purmerend. Handhaving op basis van bovenstaande past binnen de beschikbare capaciteit. Het team Handhaving is belast met toezicht, controle en handhaving en Omgevingsdienst IJmond met het milieutoezicht. Tevens is het mogelijk om door een opsporingsambtenaar van de politie een proces-verbaal te laten opmaken.

2.2 Financieel kader

De opbrengst voor de standplaatsen voor de gemeente bestaat enerzijds uit de precario en anderzijds uit de leges.

 

Leges

De leges die de gemeente ontvangt zouden kostendekkend moeten zijn voor de vergunningverlening en voor de eerste uur van het toezicht op de uitvoering van de vergunning. De exacte legesbedragen zijn opgenomen in de vingerende legesverordening.

 

Precario

Naast legeskosten wordt precario geheven voor het gebruik van de buitenruimte. De verrekening vindt plaats via het aantal m2 dat in gebruik wordt genomen vermenigvuldigd met het aantal dagen. De verrekening is verschillend per dag/maand/kwartaal/halfjaar of jaarlijks.

 

  • 2.

    Dit besluit treedt in werking de dag na bekendmaking hiervan.

  • 3.

    Op de dag bedoeld in het tweede lid wordt het Standplaatsenbeleid 2012-2017 ingetrokken.

Aldus vastgesteld in de vergadering d.d. 30 augustus 2025

Purmerend,

burgemeester en wethouders van Purmerend,

de secretaris,

M.H. van der Weit

de burgemeester,

E. van Selm

Bijlage 1 Vergunningvoorschriften

 

Aan een standplaatsvergunning worden voorwaarden verbonden. De voorwaarden dienen om de openbare orde, het milieu en de veiligheid te beschermen. Naast de locatie, tijdsduur, branche en maximale afmetingen kunnen in ieder geval de volgende voorwaarden in de vergunning opgenomen. Per situatie kan hier van worden afgeweken. Maatwerk is altijd het uitgangspunt.

 

De vergunninghouder

  • 1)

    De standplaatsvergunning is persoonsgebonden. De natuurlijk persoon mag de standplaats niet onderverhuren. De vergunninghouder dient zoveel mogelijk van de tijd persoonlijk gebruik te maken van deze vergunning of een geregistreerd en ingeschreven voldoende gekwalificeerde medewerker;

  • 2)

    In bijzondere gevallen kunnen Burgemeester en wethouders ontheffing verlenen van het bij punt 1 bepaalde;

  • 3)

    De vergunninghouder moet zich kunnen legitimeren door middel van een door een officiële instantie afgegeven paspoort of identiteitsbewijs. Hij/zij moet dit bewijs, de vergunning en het bewijs van inschrijving bij het Centraal Registratiekantoor op eerste aanvraag aan de politie en/of aan een door of namens Burgemeester en wethouders aangewezen ambtenaar tonen;

  • 4)

    De vergunninghouder dient voldoende verzekerd te zijn tegen vorderingen tot schadevergoeding waartoe hij als gebruiker van een verkoopinrichting krachtens wettelijke aansprakelijkheidsbepalingen zou kunnen worden verplicht wegens aan de gemeente en aan derden toegebrachte schade;

  • 5)

    De vergunninghouder dient zich te houden aan de nadere regels standplaatsen en aan de regels uit de relevante wetgeving, waaronder ook de milieuregels uit het Besluit activiteiten leefomgeving en het omgevingsplan van gemeente Purmerend.

  • 6)

    De toegestane verkooptijden zijn overeenkomstig de Winkeltijdenwet;

  • 7)

    De standplaatslocatie mag niet eerder in gebruik worden genomen dan een uur voordat met de verkoop mag worden begonnen en moet zijn ontruimd binnen een uur nadat de verkoop moet zijn beëindigd;

  • 8)

    Het bepaalde van ontruiming bij punt 7 is niet van toepassing op seizoensstandplaatsen;

  • 9)

    Er mogen geen goederen verkocht of verstrekt worden dan waarvoor en op welke dagen, de vergunning is afgegeven. Innemen van de standplaats

  • 10)

    Voorafgaand aan het innemen van de standplaats dient u contact op te nemen met het Omgevingsteam (tel: 0299- 452452);

  • 11)

    Indien de verkoopplaats door geparkeerde voertuigen of obstakels niet vrij is, dient de vergunninghouder voor een oplossing zorg te dragen. Vergunningverlener is niet aansprakelijk voor inkomstenderving dan wel te maken kosten tengevolge van het niet vrij zijn van een standplaats;

  • 12)

    Wanneer er op de standplaatslocatie geen water- en elektriciteitsaansluiting aanwezig is, dient de vergunninghouder hiervoor zelf zorg te dragen. De locatie dient in overleg en goedkeuring van de gemeente plaats te vinden. Het gebruik van geluidsinstallaties en het leggen van onafgedekte stroomkabels is niet toegestaan;

  • 13)

    Aan beide zijden van de standplaats moet een afvalbak aanwezig zijn. Deze afvalbakken dienen tijdig door de vergunninghouder geleegd te worden;

  • 14)

    De vergunninghouder mag maximaal 2 staantafels plaatsen bij zijn standplaats, mits de doorgang bereikbaar blijft en de veiligheid niet in het gevaar komt. Het plaatsen van een terras of een tafel met stoel(en) is niet toegestaan;

  • 15)

    Het storten van (bedrijfs)afval in de riolering of aanwezige gemeentelijke afvalbakken is verboden;

  • 16)

    Gedurende de openingstijden moet de omgeving van de standplaats een schoon en ordelijk aanzien hebben. Dagelijks na afloop van de verkoopactiviteiten moet de standplaats en de directe omgeving (binnen een straal van 25 meter) vrij zijn van afval dat van de standplaats en de daar gekochte waren afkomstig is;

  • 17)

    Aanwijzingen en/of bevelen van de politie en/of daartoe aangewezen ambtenaren door of namens de gemeente Purmerend dienen direct te worden opgevolgd.

Intrekking of wijziging

  • 18)

    De vergunning kan worden ingetrokken op grond van de redenen genoemd in de APV.

  • 19)

    De vergunning kan worden gewijzigd en/of overgedragen worden aan:

    • Een natuurlijk persoon in de eerste of tweede graad;

    • Een medewerker die aantoonbaar 3 jaar in loondienst is;

  • 20)

    Het innemen van de standplaats is niet mogelijk op door de gemeente, onder h, artikel 160 van de Gemeentewet en de Marktverordening Purmerend ingestelde marktdagen;

  • 21)

    Tijdens de uitvoering van civieltechnische werken, evenementen met vergunning of een vergelijkbare reden waarom de standplaats tijdelijk niet kan worden ingenomen, krijgt vergunninghouder zo mogelijk een alternatieve locatie toegewezen en is hij verplicht deze te accepteren. De gemeente stelt zich niet aansprakelijk voor eventuele schade die hieruit voortvloeit.

Bijlage 2 Situatieschetsen standplaatslocaties

 

 

 

 

 

 

 

 

 

 

 

 

 

 

 

 

Naar boven