Verkeersbesluit gehandicaptenparkeerplaats op kenteken Maccabiadelaan
Zaaknummer: Z25-122476
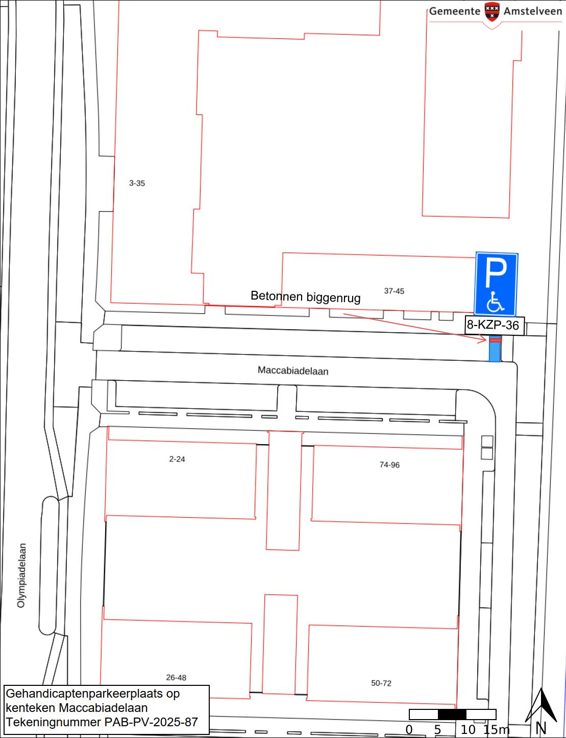
Burgemeester en wethouders van Amstelveen besluiten het parkeren te verbieden op een parkeerplaats in de Maccabiadelaan, zoals aangegeven op tekening PAB-PV-2025-87, met uitzondering van het voertuig met het kenteken 8-KZP-36 (gehandicaptenparkeerplaats).
Dit gebeurt door het plaatsen van bord E6 van bijlage 1 van het Reglement verkeersregels en verkeerstekens 1990 (RVV 1990) met onderbord met vermelding van het kenteken.
Wettelijke grondslag
Het besluit is gebaseerd op:
•
de Wegenverkeerswet 1994 (WVW 1994);
•
het Reglement verkeersregels en verkeerstekens 1990 (RVV 1990);
•
het Besluit administratieve bepalingen inzake het wegverkeer (BABW).
Motivering
Het besluit strekt conform artikel 2 Wegenverkeerswet 1994 tot:
•
het beschermen van weggebruikers en passagiers (lid 1b);
•
het zoveel mogelijk waarborgen van de vrijheid van het verkeer (lid 1d).
Het besluit wordt als volgt gemotiveerd:
•
Er is een aanvraag ingediend om een gehandicaptenparkeerplaats op kenteken te reserveren bij het woon en dagcentrum Ons Tweede Thuis, Maccabiadelaan voor het voertuig met het kenteken 8-KZP-36 dat de aangewezen bestuurder van het woon en dagbesteding bestuurt.
•
De clienten hebben vaak een aantoonbare loopbeperking en zijn daardoor niet in staat om met de gebruikelijke loophulpmiddelen zelfstandig een afstand van meer dan 100 meter te voet te overbruggen.
•
Het is dringend gewenst dat er bij het woon en dagcentrum een gehandicaptenparkeerplaats op kenteken van het voertuig van de aanvrager ter beschikking staat.
Op grond van artikel 8 van de Beleidsregels gehandicaptenparkeerplaatsen op kenteken gemeente Amstelveen 2007 kunnen burgemeester en wethouders in bijzondere omstandigheden afwijken van de gestelde criteria in artikel 3. In dit geval is sprake van een woon- en dagcentrum waar cliënten met aantoonbare ernstige loopbeperkingen verblijven en deelnemen aan dagbesteding.
Hoewel de aanvraag niet afkomstig is van een individuele bewoner of werknemer zoals bedoeld in artikel 2 en 3, is er sprake van een structurele vervoersbehoefte ten behoeve van personen met een beperking. De instelling beschikt over een eigen vervoersbus waarmee cliënten worden vervoerd die door hun beperking niet zelfstandig een afstand van meer dan 100 meter kunnen afleggen.
Gezien de aard van de beperkingen van de cliënten en het feit dat het voertuig uitsluitend wordt ingezet voor het vervoer van deze doelgroep, wordt het reserveren van een gehandicaptenparkeerplaats op kenteken gerechtvaardigd geacht op grond van de hardheidsclausule. Hiermee wordt tegemoetgekomen aan de mobiliteitsbehoefte van de cliënten en wordt de toegankelijkheid van de zorglocatie gewaarborgd.
Bevoegd gezag
Verkeersbesluiten worden genomen door burgemeester en wethouders voor zover zij betreffen het verkeer op de wegen, welke niet in beheer zijn bij het Rijk, de provincie of een waterschap (artikel 18, lid 1, onder d, WVW 1994). Het mandaatbesluit van burgemeester en wethouders is van toepassing. Er is ondermandaat verleend aan de junior adviseur parkeren en duurzame mobiliteit van de gemeente.
De Maccabiadelaan ligt binnen de bebouwde kom en is in beheer bij de gemeente Amstelveen.
Tekening
Amstelveen, 10 oktober 2025
Burgemeester en wethouders van de gemeente Amstelveen,
namens dezen,
H.R.M. Souwer
Junior adviseur parkeren en duurzame mobiliteit
Mogelijkheid tot het indienen van een bezwaarschrift
Tegen dit besluit kunnen belanghebbenden binnen zes weken na bekendmaking een bezwaarschrift indienen. Het bezwaarschrift moet worden ondertekend. Het bevat ten minste de naam en het adres van de indiener, de dagtekening, een omschrijving van het besluit waartegen het bezwaar is gericht en de gronden van het bezwaar. Zo mogelijk meldt u uw e-mailadres en het telefoonnummer waarop u overdag te bereiken bent.
Het bezwaarschrift richt u aan het College van burgemeester en wethouders, t.a.v. Juridische zaken, Postbus 4, 1180 BA Amstelveen.
Digitaal bezwaar maken is ook mogelijk. Dit kan via www.amstelveen.nl/bezwaarschrift. Hiervoor moet u wel over een elektronische handtekening (DigiD) beschikken.
Mogelijkheid tot het aanvragen van een voorlopige voorziening
Als u bezwaar maakt, geldt de beslissing nog wel. Wilt u dat het gemeentelijke besluit tijdens uw bezwaarprocedure tijdelijk wordt opgeschort? Dien dan een verzoek om voorlopige voorziening in bij de voorzieningenrechter van de rechtbank. Als de voorzieningenrechter uw verzoek toekent, is het besluit opgeschort.
Een verzoek dient u in bij de Voorzieningenrechter van de Rechtbank Amsterdam, Postbus 75850, 1070 AW Amsterdam. Aan het verzoek zijn kosten verbonden.
De hier aangeboden pdf-bestanden van het Staatsblad, Staatscourant, Tractatenblad, provinciaal blad, gemeenteblad, waterschapsblad en blad gemeenschappelijke regeling vormen de formele bekendmakingen in de zin van de Bekendmakingswet en de Rijkswet goedkeuring en bekendmaking verdragen voor zover ze na 1 juli 2009 zijn uitgegeven. Voor pdf-publicaties van vóór deze datum geldt dat alleen de in papieren vorm uitgegeven bladen formele status hebben; de hier aangeboden elektronische versies daarvan worden bij wijze van service aangeboden.