pPublicatie strook Oostwal 85

Objectinformatie

  • I.

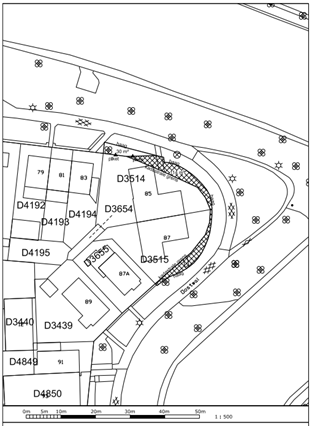
    Adres: strook aan de Oostwal te Goes

    Perceel: een strook bestemd als tuin, deel uitmakende van de percelen kadastraal bekend Goes, sectie D, nummer 5494.

    Perceelgrootte: 114 m²

    Koopprijs: € 80,- p/m² voor 114 m² excl. btw, ofwel totaal € 9.120,- excl BTW.

Voornemen tot het aangaan van een overeenkomst

Voormeld perceel ligt aan de Oostwal te Goes. Gemeente is voornemens de strook te verkopen aan de eigenaar van het aangrenzende perceel Goes D 5494 aan de Oostwal 85. De strook grond zal worden gebruikt als tuingrond.

Reden publicatie

De Gemeente publiceert dit voornemen op de hierboven weergegeven publicatiedatum. Met deze publicatie geeft de Gemeente uitvoering aan het arrest van de Hoge Raad d.d. 26 november 2021 (ECLI:NL:HR:2021:1778) en het arrest van de Hoge Raad d.d. 15 november 2024 (ECLI:NL:HR:2024:1661), meer in het bijzonder het bepaalde in rechtsoverweging 3.1.6.  De gemeente Goes is van mening dat de eigenaar van het aangrenzende perceel aan Goes D 5494 aan de Oostwal 85 de enige serieuze gegadigde is voor de aankoop van desbetreffend perceel en zal dit dus aan hem verkopen. Een ieder die zich niet kan verenigen met de hiervoor omschreven slotsom en van mening is ook voor een overeenkomst ter verkrijging van de hierboven omschreven percelen in aanmerking te komen, kan binnen een termijn van 20 kalenderdagen na de hierboven weergegeven publicatiedatum een kort geding procedure aanhangig maken bij de bevoegde voorzieningenrechter te Middelburg (Kousteensdijk 2, 4331 JE) èn een email te sturen aan l.tavenier@goes.nl.

Voor inlichtingen naar aanleiding van deze publicatie kunt u contact opnemen met de heer L. Tavenier, emailadres: l.tavenier@goes.nl

   

Naar boven