Verkeersbesluit voor een parkeerverbod aan Prinses Julianaplantsoen te Maassluis

985188

Burgemeester en wethouders van de gemeente Maassluis;

Gelet op:

De voor het nemen van een verkeersbesluit relevante wetgeving in de Wegenverkeerswet 1994, het Reglement Verkeersregels en Verkeerstekens 1990, het Besluit Administratieve Bepalingen inzake het Wegverkeer, en de Algemene Wet Bestuursrecht.

Overwegende:

  • Dat het Julianaplantsoen in Maassluis ligt en in beheer is van de gemeente;

  • Dat het Julianaplantsoen in een zone 30 ligt;

  • Dat de uitrit van uitvaartondernemer de Winter & Rijkeboer grenst aan het prinses Julianaplantsoen;

  • Dat de uitvaartondernemer moeite heeft met de bocht nemen door geparkeerde auto’s dicht op de bocht en de uitrit;

  • Dat voor uitvoering van dit besluit parkeergelegenheid voor 1 voertuig verdwijnt;

  • Dat volgens het meest recente parkeeronderzoek van 2025 de parkeerdruk hier doorgaans erg laag is, namelijk variërend tussen 20% en 60% bezetting, afhankelijk van dag en tijd;

  • Dat het tijdens een uitvaart wenselijk is dat de rouwauto niet meerdere malen moet gaan insteken om een bocht te kunnen halen;

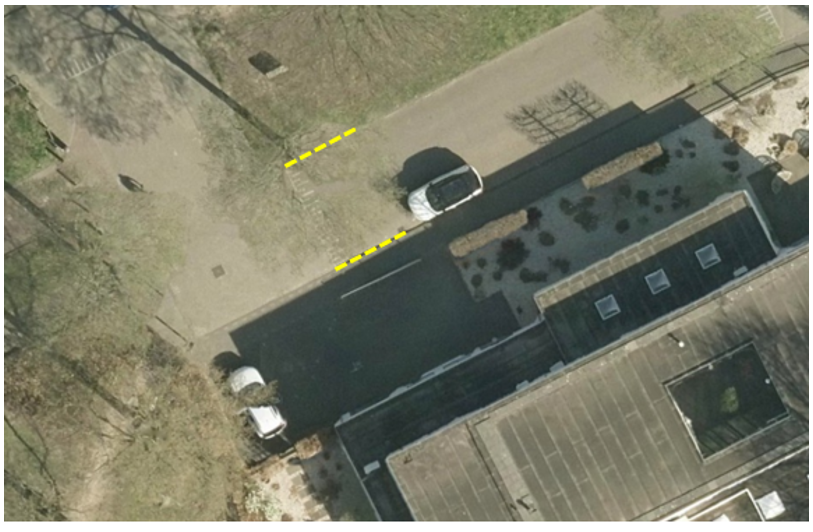
  • Dat er, conform RVV1990 art. 24 lid 1 sub e, langs een onderbroken gele streep niet geparkeerd mag worden;

  • Dat om verwarring en hinderlijke verplaatsing van het probleem te voorkomen de gele onderbroken lijn aan beide zijden van de rijbaan wordt aangebracht.

Overeenkomstig artikel 21 van het Besluit Administratieve Bepalingen inzake het Wegverkeer is bij opmaak van dit verkeersbesluit de overweging gemaakt tussen de belangen zoals bedoeld in artikel 2, lid 1 en artikel 2, lid 2 van de Wegenverkeerswet 1994. Op de bovengenoemde weg dienen maatregelen te worden genomen met als doel:

Art. 2 lid 1:

  • a.

    het verzekeren van de veiligheid op de weg;

  • b.

    het beschermen van weggebruikers en passagiers;

  • c.

    het in stand houden van de weg en het waarborgen van de bruikbaarheid daarvan;

  • d.

    het zoveel mogelijk waarborgen van de vrijheid van het verkeer.

Art. 2 lid 2:

  • a.

    het voorkomen of beperken van door het verkeer veroorzaakte overlast, hinder of schade alsmede de gevolgen voor het milieu, bedoeld in de Wet milieubeheer;

  • b.

    het voorkomen of beperken van door het verkeer veroorzaakte aantasting van het karakter of van de functie van objecten of gebieden.

Overeenkomstig hoofdstuk 10, titel 1, afdeling 1 van de Algemene Wet Bestuursrecht hebben wij de bevoegdheid tot het nemen van verkeersbesluiten gemandateerd aan de clustermanager van het cluster Stad en de teammanager Ruimtelijk Beleid en Beheer van het cluster Stad in Mandaatregeling 2023, 27 juli 2023 gepubliceerd in gemeenteblad 2023, 330798.

Op grond van artikel 24 BABW heeft overleg plaats gevonden met de korpschef van het landelijk politiekorps, namens de korpschef met de vertegenwoordiger van de Regiopolitie Rotterdam-Rijnmond. De betreffende vertegenwoordiger heeft ingestemd met de voorgestelde maatregel.

Besluiten:

  • 1.

    Het tweemaal aanbrengen van een gele onderbroken lijn zoals bedoeld in artikel 24.1.e van het RVV1990 op de locaties zoals aangegeven in de bij dit besluit behorende bijlage, conform Uitvoeringsvoorschriften BABW hoofdstuk 4 paragraaf 2, lid 2;

  • 2.

    Dit besluit te publiceren op de in de gemeente gebruikelijke wijze.

Aldus besloten te Maassluis, 31 juli 2025,

Namens het college van Burgemeester en wethouders van Maassluis,

A. Monster,

Clustermanager Stad

Bezwaar

Belanghebbenden kunnen binnen zes weken na datum publicatie tegen dit besluit een gemotiveerd bezwaarschrift indienen bij het college van burgemeester en wethouders van Maassluis.

Het bezwaarschrift dient te zijn ondertekend en bevat tenminste het volgende:

  • 1.

    Naam en adres van de indiener;

  • 2.

    De dagtekening;

  • 3.

    Vermelding van de datum en het kenmerk van het besluit waartegen het bezwaarschrift zich richt;

  • 4.

    Een opgave van de redenen waarom men zich met de beschikking niet kan verenigen.

Als u op de uitspraak in bezwaar niet kunt wachten en snel een voorlopige maatregel nodig is, kunt u de rechter daar om verzoeken. Dat verzoek kunt u indienen bij de voorzieningenrechter van de Arrondissementsrechtbank Rotterdam, postbus 50951, 3007 BM te Rotterdam. Dit kan alleen als u het bezwaarschrift al bij het college van burgemeester en wethouders heeft ingediend. Met uw verzoek aan de rechtbank moet u een kopie van het bezwaarschrift meesturen. Als u van deze mogelijkheid gebruik maakt, wordt u griffierecht berekend.

Bijlage bij verkeersbesluit 985188

Naar boven