Gemeenteblad van Breda
| Datum publicatie | Organisatie | Jaargang en nummer | Rubriek |
|---|---|---|---|
| Breda | Gemeenteblad 2025, 338093 | verkeersbesluit of -mededeling |
Zoals vergunningen, bouwplannen en lokale regelgeving.
Adressen en contactpersonen van overheidsorganisaties.
U bent hier:
| Datum publicatie | Organisatie | Jaargang en nummer | Rubriek |
|---|---|---|---|
| Breda | Gemeenteblad 2025, 338093 | verkeersbesluit of -mededeling |
Gehandicaptenparkeerplaats op kenteken in de Watermunt te Breda.
Z2025-003909 d.d. 29 juli 2025
Burgemeester en wethouders van Breda
De bepalingen in de Wegenverkeerswet 1994, het Reglement Verkeersregels en Verkeerstekens 1990, het Besluit Administratieve Bepalingen inzake het Wegverkeer (BABW) en de Algemene wet bestuursrecht;
Het Algemeen Mandaatbesluit Breda 2019, vastgesteld door burgemeester en wethouders op 15 januari 2019, van kracht geworden op 24 januari 2019, inzake de bevoegdheid tot het nemen van verkeersbesluiten.
Op grond van artikel 15, eerste lid, van de Wegenverkeerswet 1994 moet een verkeersbesluit genomen worden voor de plaatsing of verwijdering van de in artikel 12 van het Besluit Administratieve Bepalingen inzake het Wegverkeer genoemde verkeerstekens, alsmede voor onderborden voor zover daardoor een gebod of verbod ontstaat of wordt gewijzigd.
• Het verzekeren van de veiligheid op de wegen
• Het beschermen van de weggebruikers en passagiers
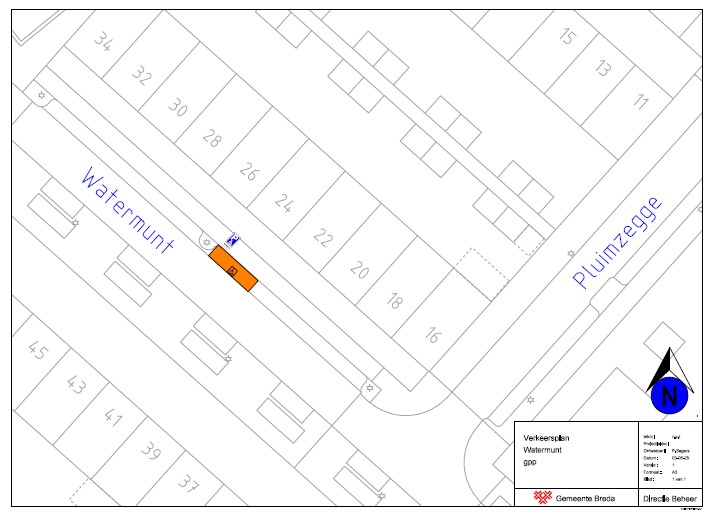
Een gehandicaptenparkeerplaats op kenteken aan te wijzen in de Watermunt ter hoogte van huisnummer 24 te Breda. Een en ander zoals weergegeven op de bijgevoegde tekening ‘Verkeersplan Watermunt gpp’.
Er is verzocht om een individuele gehandicaptenparkeerplaats op kenteken aan te wijzen in de Watermunt te Breda. De aanvrager voldoet aan de eisen zoals opgenomen in artikel 2 van de ‘Beleidsregels gehandicaptenparkeerplaats op kenteken Breda 2019’, om in aanmerking te komen voor een gehandicaptenparkeerplaats. Daarbij is met name van belang dat de aanvrager een gehandicaptenparkeerkaart in bezit heeft en niet beschikt over een eigen parkeervoorziening. Daarom is het gewenst om één openbare parkeerplaats in de Watermunt te reserveren als gehandicaptenparkeerplaats.
Uitgangspunt voor een gehandicaptenparkeerplaats is dat deze zo dicht mogelijk bij de woning van de aanvrager wordt aangelegd. De dichtst bijgelegen parkeerplaats die in aanmerking komt is de parkeerplaats zoals aangegeven op de bijgevoegde situatietekening en wordt op dezelfde wijze aangelegd als verderop in de straat om de uniforme uitstraling te behouden. Het aanleggen van een gehandicaptenparkeerplaats op de voorgestelde locatie heeft geen negatief effect op de doelmatigheid, doorstroming en verkeersveiligheid van de weg. Het betreft een bestaande langsparkeerstrook. Deze parkeerstrook biedt voldoende ruimte voor het aanleggen van een gehandicaptenparkeerplaats.
De bruikbaarheid en de toegankelijkheid van de overige parkeerplaatsen en de rijbaan wijzigt niet. Andere parkeerplaatsen in de straat liggen op grotere loopafstand vanaf de woning van de aanvrager en bovendien direct voor andere woningen. Het reserveren van een andere parkeerplaats dan de nu gekozen parkeerplaats zal dan ook niet kunnen leiden tot een zelfde of beter resultaat.
Overige weggebruikers mogen geen gebruik meer maken van de betreffende parkeerplaats omdat deze voor een specifieke gebruiker wordt gereserveerd. Het college geeft hiermee uitvoering aan vastgesteld beleid met betrekking tot gehandicaptenparkeerplaatsen op kenteken. Door het reserveren van deze parkeerplaats mag hier enkel nog het voertuig met het kenteken dat op het onderbord vermeld staat op deze parkeerplaats geparkeerd worden. Het bord E6 ‘gehandicaptenparkeerplaats’ met een onderbord met daarop het kenteken van de auto van de rechthebbende van de parkeerplaats wordt bij de betreffende parkeerplaats geplaatst. Een en ander zoals weergegeven op de bij dit besluit behorende tekening ‘Verkeersplan Watermunt gpp’.
Indien een van de redenen zich voordoen zoals opgenomen in artikel 4 en 5 van de ‘Beleidsregels gehandicaptenparkeerplaats op kenteken Breda 2019’ wordt de parkeerplaats op kenteken opgeheven.
Het college heeft het speciale belang van de aanvrager, om zo dicht mogelijk bij de eigen woning te kunnen parkeren, laten prevaleren boven de belangen van overige weggebruikers om op de betreffende parkeerplaats te mogen parkeren. In de Watermunt bevindt zich reeds een gereserveerde gehandicaptenparkeerplaats op kenteken. Om nog één parkeerplaats te reserveren is niet onevenredig nadelig voor andere bewoners, gezien er sprake is van een woonstraat waar met name bewoners parkeren. Dit verandert niet als gevolg van deze verkeersmaatregel en hierdoor gaat geen extra parkeerdruk ontstaan, want het parkeren verandert niet.
Bij de positie van de gehandicaptenparkeerplaats is rekening gehouden met de ligging ten opzichte van de woning van aanvrager, zodanig dat dit geen of nauwelijks hinder geeft voor de overige bewoners. Niet is gebleken dat belanghebbenden onevenredig worden benadeeld dan wel dat door de te nemen maatregelen een onduidelijke verkeerssituatie zou ontstaan.
Overeenkomstig artikel 24 van het Besluit administratieve bepalingen inzake het wegverkeer is overleg gepleegd met de politie Zeeland-West-Brabant.
Een gehandicaptenparkeerplaats op kenteken aan te wijzen in de Watermunt ter hoogte van huisnummer 24 te Breda en in verband hiermee het bord E6 ‘gehandicaptenparkeerplaats’ met het onderbord OB309 ‘kenteken’ van de auto van de rechthebbende van de parkeerplaats, bij de betreffende parkeerplaats te plaatsen.
burgemeester en wethouders van Breda,
Het verkeersbesluit is voor een ieder in te zien via www.officielebekendmakingen.nl en www.overheid.nl. Nadere informatie kan worden ingewonnen via telefoonnummer 14 076.
Op grond van de Algemene wet bestuursrecht kan iedereen wiens belang rechtstreeks bij dit besluit is betrokken, hiertegen binnen zes weken na de dag waarop dit besluit bekend is gemaakt, een bezwaarschrift indienen. Het bezwaarschrift moet worden gericht aan het college van Burgemeester en Wethouders van Breda, Postbus 90156, 4800 RH Breda. Het maken van bezwaar schorst niet de werking van dit besluit.
Het bezwaarschrift moet ten minste bevatten:
c. omschrijving van het besluit waartegen het bezwaarschrift gericht is: Verkeersbesluit ‘Gehandicaptenparkeerplaats op kenteken in de Watermunt te Breda’;
d. de gronden van het bezwaar.
U wordt verzocht, indien mogelijk, een kopie van het besluit waartegen het bezwaar is gericht, mee te zenden.
Indien een bezwaarschrift is ingediend kan bij de voorzieningenrechter van de rechtbank binnen het rechtsgebied waar de indiener van het bezwaarschrift zijn woonplaats heeft, een verzoek worden gedaan tot het treffen van een voorlopige voorziening (waaronder schorsing) indien onverwijlde spoed, gelet op de betrokken belangen, dat vereist. Voor de behandeling van een verzoek om een voorlopige voorziening wordt een bedrag aan griffierecht geheven.
Bijlage onderdeel uitmakend van di t besluit
Kopieer de link naar uw clipboard
https://zoek.officielebekendmakingen.nl/gmb-2025-338093.html
De hier aangeboden pdf-bestanden van het Staatsblad, Staatscourant, Tractatenblad, provinciaal blad, gemeenteblad, waterschapsblad en blad gemeenschappelijke regeling vormen de formele bekendmakingen in de zin van de Bekendmakingswet en de Rijkswet goedkeuring en bekendmaking verdragen voor zover ze na 1 juli 2009 zijn uitgegeven. Voor pdf-publicaties van vóór deze datum geldt dat alleen de in papieren vorm uitgegeven bladen formele status hebben; de hier aangeboden elektronische versies daarvan worden bij wijze van service aangeboden.