Kennisgeving huisnummerbesluit Kroon 1-20 en Torp 1-28 Purmerend

Burgemeester en wethouders van de gemeente Purmerend,

gelet op artikel 6 van de Wet basisregistratie adressen en gebouwen, artikel 149 van de Gemeentewet en de Verordening naamgeving en nummering (adressen) Purmerend, hebben op 16 juli 2025 met besluitnummer 828520 het volgende besloten:

  • 1.

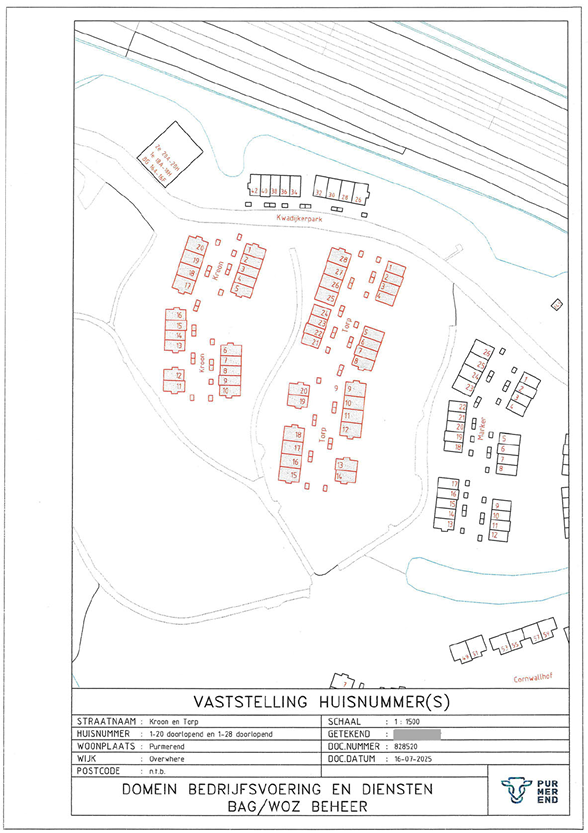
    Betreffende het project het realiseren van 48 grondgebonden koopwoningen, over te gaan tot vaststelling van de volgende nummeraanduidingen:

     

    Vaststellen:

     

    • Kroon 1 tot en met 20 te Purmerend

    • Torp 1 tot en met 28 te Purmerend

Aldus vastgesteld op 16 juli 2025,

de teammanager GEO

Bent u het niet eens met dit besluit?

Dan kunt u bezwaar maken. Als u dat van plan bent, neemt u dan eerst telefonisch contact met ons op. Misschien komen we samen tot een oplossing. Komen we er niet uit, dan kunt u binnen zes weken na de dag waarop het besluit is verzonden een bezwaarschrift indienen.

U kunt dat digitaal doen, dan heeft u een DigiD nodig. Of u schrijft een brief naar het team Juridische Zaken, Postbus 15, 1440 AA te Purmerend. Voor meer informatie zie: www.purmerend.nl/bezwaar.

In uw bezwaarschrift moet het volgende staan:

  • uw naam, adres, telefoonnummer en/of e-mailadres;

  • een duidelijke omschrijving van dit besluit;

  • de reden waarom u bezwaar maakt;

  • de datum en uw handtekening.

Dient iemand anders namens u een bezwaarschrift in? Stuurt u dan een volmacht mee. Op www.purmerend.nl/bezwaar vindt u een voorbeeld.

Naar boven