Besluit tot vaststellen van openbare ruimten (straatnaambesluit) Wet BAG

Burgemeester en wethouders van Krimpen aan den IJssel;

 

gelet op artikel 108 van de gemeentewet en artikel 2 van Verordening naamgeving en nummering 2010 van de gemeente Krimpen aan den IJssel;

 

gelet op artikel 6 van de Wet basisregistratie adressen en gebouwen, waarin gemeente wordt opgedragen openbare ruimten vast te stellen;

 

Besluiten:

 

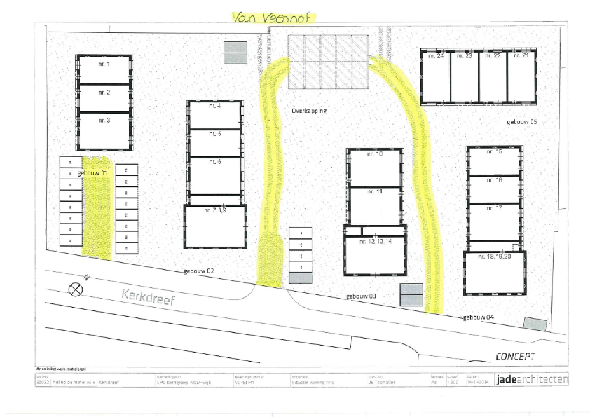
  • 1.

    tot vaststelling van de openbare ruimten met de volgende benamingen:

    • -

      Van Veenhof

    • -

      Hof Driekamp

  • met ingang van 15 juli 2025 overeenkomstig de bij dit besluit behorende situatietekeningen;

  • 2.

    Dat de vastgestelde openbare ruimten namen worden aangebracht overeenkomstig artikel 4 van de Verordening naamgeving en nummering 2010;

Tegen deze beslissing kan binnen zes weken na datum besluit een (gemotiveerd) bezwaarschrift ingediend worden bij burgemeester en wethouders.

Krimpen aan den IJssel, 15 juli 2025

de burgemeester:

Mr. H.D. Westerdijk

De secretaris

mr. A. Boele

 

Naar boven