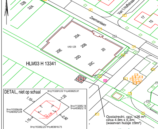
Vestiging opstalrecht nabij Zeemanlaan 20-20E, te Badhoevedorp
De gemeente is voornemens een overeenkomst tot vestiging van een recht van opstal aan te gaan met Liander N.V. ten behoeve van de realisatie van een transformatorstation nabij de locatie plaatselijk bekend Zeemanlaan 20-20E, te Badhoevedorp, kadastraal bekend Haarlemmermeer, Sectie H, nr. 13341 (gedeeltelijk), groot circa 26 m².
Afbeelding: locatie opstalrecht
De beoogde locatie is door partijen als geschikt aangemerkt voor de realisatie van een transformatorstation. Vaststaat dat de beoogde opstalhouder de enige serieuze kandidaat is om de energievoorziening op deze locatie te realiseren. Alleen door het vestigen van dit recht van opstal kan de gemeente op deze wijze het algemeen belang dienen.
Het feit dat een voornemen tot vestiging van een recht van opstal bekend wordt gemaakt, betekent niet dat de gemeente al definitief tot vestiging van een recht van opstal besloten heeft. Ook betekent het niet dat met de beoogde opstalhouder al volledige overeenstemming is bereikt of dat zeker is dat die zal worden bereikt.
Vragen over het opstalrecht of transformatorhuis
De gemeente zal na een wachttijd van 20 kalenderdagen na de datum van deze publicatie uitvoering geven aan haar voornemen. Voor vragen over het vestigen van het opstalrecht kunt u terecht bij de gemeente. U kunt contact opnemen met mevrouw M.M. van Drie via melissa.van.drie@haarlemmermeer.nl
Voor vragen over de eigenschappen van het transformatorhuisje kunt u op de website van Liander terecht: https://www.liander.nl/elektriciteitshuisjes . Daar vindt u de antwoorden op veel gestelde vragen over transformatorhuisjes.
Bezwaar is niet mogelijk
Het is niet mogelijk om bezwaar te maken tegen het vestigen van het opstalrecht. Met deze publicatie wordt enkel en alleen getracht te voldoen aan de verplichtingen die voortvloeien uit het Didam-arrest.
De hier aangeboden pdf-bestanden van het Staatsblad, Staatscourant, Tractatenblad, provinciaal blad, gemeenteblad, waterschapsblad en blad gemeenschappelijke regeling vormen de formele bekendmakingen in de zin van de Bekendmakingswet en de Rijkswet goedkeuring en bekendmaking verdragen voor zover ze na 1 juli 2009 zijn uitgegeven. Voor pdf-publicaties van vóór deze datum geldt dat alleen de in papieren vorm uitgegeven bladen formele status hebben; de hier aangeboden elektronische versies daarvan worden bij wijze van service aangeboden.