Bekendmaking voornemen tot verkoop van grond aan de Rozenburglaan te Duivendrecht door de gemeente Ouder-Amstel
Didam-arrest
Naar aanleiding van het Didam-arrest informeert de gemeente Ouder-Amstel geïnteresseerden over voorgenomen onroerend goed-gerelateerde overeenkomst(en) die niet openbaar aanbesteed zijn. U kunt hierbij bijvoorbeeld denken aan verkoop of verhuur van grond of gebouwen, uitgifte in erfpacht of het vestigen van een recht van opstal. Met de publicatie van deze voornemens handelt de gemeente transparant, biedt zij mededingingsruimte en geeft de gemeente uitvoering aan het arrest van de Hoge Raad d.d. 26 november 2021 (ECLI:NL:HR: 2021:1778).
Voor de volgende transactie is naar het oordeel van de gemeente slechts één serieuze gegadigde. U leest daarbij de motivatie daarvoor. U leest hier ook hoe u, binnen de aangegeven vervaltermijn, kunt aangeven dat u zich niet kunt verenigen met dit voornemen en waarom dat zo is.
Objectinformatie en voorgenomen verkoop van grond
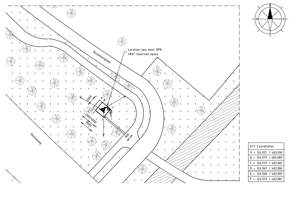
De gemeente Ouder-Amstel is voornemens een verkoopovereenkomst aan te gaan met Althio B.V. ten behoeve van de plaatsing van een vakwerkzendmast nabij de locatie kadastraal bekend als gemeente Ouder-Amstel, sectie B, nummer 4379, plaatselijk bekend nabij Rozenburglaan 12-22, ter grootte van ca. 48 m2.
Althio B.V. is de enige serieuze gegadigde
De beoogde locatie is door partijen als geschikt aangemerkt voor de plaatsing van een zendmast. Vaststaat dat de beoogde eigenaar de enige serieuze kandidaat is voor het goed functioneren van het mobiele netwerk in deze omgeving. Alleen door verkoop van deze grond kan de gemeente op deze wijze het algemeen belang dienen.
Het feit dat een voornemen tot verkoop van grond bekend wordt gemaakt, betekent niet dat de gemeente al definitief tot verkoop besloten heeft. Ook betekent het niet dat met de beoogde eigenaar al volledige overeenstemming is bereikt of dat zeker is dat die zal worden bereikt.
Gelet op het voorgaande is de gemeente van oordeel dat Althio B.V. op grond van objectieve, redelijke en toetsbare criteria de enige serieuze gegadigde is die in aanmerking komt voor de verkrijging van het perceel en de realisatie van het door haar ingediende initiatief.
Vervaltermijn
Indien u zich niet kan verenigen met de voorgenomen verkoop, omdat u van mening bent dat u ook hiervoor in aanmerking moet komen, dient deze (rechts)persoon binnen twintig (20) kalenderdagen na deze publicatie in het Gemeenteblad een kort geding aanhangig te maken bij de voorzieningenrechter van de rechtbank Amsterdam. Het kort geding is tijdig aanhangig gemaakt als binnen voornoemde termijn van twintig (20) dagen een rechtsgeldige dagvaarding is betekend bij de gemeente Ouder-Amstel. Deze termijn is redelijk omdat deze vergelijkbaar is met termijnen die overheden bij soortgelijke aankondigingen (moeten) hanteren en gelet op de voortgang in dit traject tot verkoop.
De termijn is een vervaltermijn. Bij gebreke van een tijdig aanhangig gemaakt kort geding vervalt het recht om u tegen het aangaan en uitvoeren van de verkoopovereenkomst te verzetten en/of daarop enige vordering tot schadevergoeding of welke andere aanspraak dan ook te baseren, althans heeft u uw rechten daarop verwerkt. De gemeente en de beoogd eigenaar zouden onredelijk worden benadeeld indien pas na deze (duidelijk kenbaar gemaakte) termijn alsnog tegen het voornemen tot het aangaan van de overeenkomst zou worden opgekomen.
Indien u naar aanleiding van deze publicatie vragen heeft, kunt u contact opnemen met de gemeente per e-mailadres: gemeente@ouder-amstel.nl o.v.v. Didam publicatie zendmast Duivendrecht onder vermelding van zaaknummer 2024-057954.
De hier aangeboden pdf-bestanden van het Staatsblad, Staatscourant, Tractatenblad, provinciaal blad, gemeenteblad, waterschapsblad en blad gemeenschappelijke regeling vormen de formele bekendmakingen in de zin van de Bekendmakingswet en de Rijkswet goedkeuring en bekendmaking verdragen voor zover ze na 1 juli 2009 zijn uitgegeven. Voor pdf-publicaties van vóór deze datum geldt dat alleen de in papieren vorm uitgegeven bladen formele status hebben; de hier aangeboden elektronische versies daarvan worden bij wijze van service aangeboden.