Gemeente Amstelveen - publicatie met betrekking tot de vestiging van een opstalrecht voor grond inzake de realisatie van een brug

 

Zaaknummer : Z25-083334

 

Aanleiding

De gemeente Amstelveen (gemeente) en Altera Vastgoed/de nog op te richten VvE De Keizer te Amstelveen zijn voornemens een opstalrecht te vestigen voor de reeds vergunde c.q. gebouwde toegangsbrug Christiaan Huygenshof 14.

 

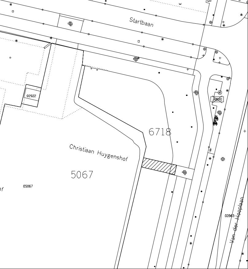
Locatie

De gemeente zal één perceeldeel aan Altera Vastgoed/de nog op te richten VvE De Keizer in opstal uitgeven, het perceeldeel is plaatselijk bekend als:

 

  • Gemeente Amstelveen, Sectie M, nummer 6718 (gedeeltelijk), voetstoot groot 48 m2;

 

Motivering

De gemeente dient bij uitgifte van haar eigendommen zich te houden aan de procedurele regels die door de Hoge Raad in het Didam-arrest zijn vastgesteld en een (openbare) selectieprocedure te doorlopen om alle (potentiële) kandidaten op een gelijke wijze mee te laten dingen. De Hoge Raad heeft een uitzondering gemaakt op de vastgestelde regels en aangegeven dat de selectieprocedure achterwege kan blijven als bij voorbaat vaststaat of redelijkerwijs mag worden aangenomen dat op grond van objectieve, toetsbare en redelijke criteria slechts één serieuze gegadigde in aanmerking komt voor uitgifte van de grond.

De gemeente is van oordeel dat op grond van objectieve, toetsbare en redelijke criteria slechts één serieuze gegadigde in aanmerking komt voor de vestiging van het opstalrecht op de reeds gerealiseerde toegangsbrug. Deze uniciteit is gebaseerd op de volgende omstandigheden:

  • Historische en fysieke verbondenheid met het wooncomplex

    De toegangsbrug is in 2017 gelijktijdig met het wooncomplex gerealiseerd en vormt een fysieke en functionele eenheid met dat complex. De brug komt rechtstreeks uit op het terrein van het wooncomplex en is uitsluitend bedoeld voor toegang tot dat complex.

  • Vergunningverlening en eigendomsverhouding

    De ontwikkelaar van het wooncomplex heeft destijds zowel de omgevingsvergunning voor het wooncomplex als voor de brug verkregen. De brug is feitelijk en juridisch onderdeel van de oorspronkelijke ontwikkeling en is sinds de oplevering in gebruik door de bewoners van het complex.

  • Feitelijk gebruik en ontbreken van alternatieve gegadigden

    De brug is inmiddels al acht jaar in gebruik en wordt uitsluitend gebruikt door bewoners en bezoekers van het wooncomplex. Er zijn geen andere partijen die redelijkerwijs belang kunnen hebben bij het gebruik of beheer van deze brug. De brug heeft geen openbare functie en is niet toegankelijk voor derden.

  • Doel van de vestiging: juridische verankering van bestaande situatie

    De vestiging van het opstalrecht dient uitsluitend ter juridische formalisering van een reeds bestaande feitelijke situatie. Er is geen sprake van nieuwe uitgifte of wijziging van gebruik, waardoor er geen sprake is van schaarste of concurrentiebelang.

     

Op grond van bovenstaande overwegingen is de gemeente van oordeel dat er sprake is van een unieke situatie waarin slechts één partij – de eigenaar van het wooncomplex – in aanmerking komt voor vestiging van het opstalrecht. Een openbare selectieprocedure is in dit geval niet noodzakelijk, aangezien objectief vaststaat dat er geen andere serieuze gegadigden zijn.

Reactietermijn

Als u van mening bent dat u zelf als gegadigde in aanmerking komt voor de vestiging van dit opstalrecht, dan dient u binnen 3 weken na publicatiedatum van deze kennisgeving een kort geding aanhangig te maken bij de rechtbank Amsterdam, derhalve tot en met 30 juli 2025. Als u een kortgeding aanhangig gaat maken, dan verzoeken wij u de gemeente hiervan op de hoogte te stellen en een kopie van de dagvaarding per e-mail te sturen aan: vastgoed@amstelveen.nl.

 

Met deze publicatie geeft de gemeente Amstelveen uitvoering aan het arrest van de Hoge Raad d.d. 26 november 2021 (ECLI:NL:HR: 2021:1778).

 

Amstelveen, 4 juli 2025

 

Bijlagen

  • 1.

    Uitgiftetekening opstalrecht nabij Christiaan Huygenshof 14

 

Bijlage 1 Uitgiftetekening opstalrecht nabij Christiaan Huygenshof 14

Naar boven