Beleidsregel aanwijzing bebouwingsconcentraties buitengebied gemeente Helmond

Het College van burgemeester en wethouders van Helmond;

gelet op het bepaalde in hoofdstuk 4, titel 4.3, van de Algemene wet bestuursrecht

gelet op het bepaalde in paragraaf 5.1.3 van de TAM-omgevingsverordening Noord-Brabant (2023)

gelet op het bepaalde in paragraaf 4.2 van de Omgevingsvisie Helmond 2040 (2024)

 

BESLUIT

 

  • I.

    vast te stellen de Beleidsregel aanwijzing bebouwingsconcentraties buitengebied gemeente Helmond

AANLEIDING

Stedelijke ontwikkeling dient plaats te vinden binnen bestaand stedelijk gebied of, indien hier onvoldoende ruimte aanwezig is, binnen daartoe aangewezen, planologisch geschikte uitleglocaties. Dit is al decennialang één van de belangrijkste uitgangspunten van het ruimtelijke ordeningsbeleid in Nederland.

 

Met name ten gevolge van ontwikkelingen in de agrarische sector zijn er de afgelopen 25 jaar uitzonderingen gekomen op dit uitgangspunt: regelingen als ruimte-voor-ruimte, rood-voor-groen (nieuwe landgoederen), boerderijsplitsingen, VAB-beleid, etc. maken het mogelijk dat (nieuwe) stedelijke functies ook in het buitengebied gevestigd kunnen worden. Uitgangspunt daarbij is dat de functie naar aard en omvang moet passen in de directe omgeving. Wat dit laatste betreft zijn de regelingen, zeker door de provincie Noord-Brabant, veelal beperkt tot de zogeheten bebouwingsconcentraties in het buitengebied.

 

Binnen de gemeente Helmond worden deze regelingen ook al jaren toegepast. De toepassing van het begrip bebouwingsconcentraties leidt echter in toenemende mate tot discussies met initiatiefnemers en provincie. Daarom wordt het verstandig geacht de bebouwingsconcentraties in het buitengebied van de gemeente Helmond nader af te bakenen en vast te stellen, hetgeen ook is aangekondigd in de nieuwe Omgevingsvisie Helmond 2040. Deze beleidsnotitie voorziet hierin.

INHOUD NOTITIE

In deze notitie komen achtereenvolgens de volgende onderwerpen aan de orde:

  • reikwijdte beleidsdocument.

  • relevant beleid;

  • het begrip bebouwingsconcentratie en de verschillende verschijningsvormen hiervan;

  • criteria op basis waarvan de bebouwingsconcentraties worden bepaald;

  • de afbakening van het buitengebied;

  • bebouwingsconcentraties in Helmond met toelichting en een kaart met daarop een afbakening.

REIKWIJDTE BELEIDSDOCUMENT

Belangrijk is om vast te leggen wat de reikwijdte van dit beleidsdocument is.

 

Dit beleidsdocument legt de bebouwingsconcentraties vast in het buitengebied van de gemeente Helmond. Deze gebieden gelden daarmee als zoekgebieden voor toepassing van de Beleidsregel maatwerk omgevingskwaliteit Noord-Brabant.

 

Dit beleidsdocument legt nadrukkelijk niet vast dat alle percelen binnen een bebouwingsconcentratie voor realisatie van woningen in aanmerking komen. Hiervoor zal te allen tijde een integrale, planologische afweging noodzakelijk blijven, waarbij aspecten als verantwoorde stedenbouwkundige inpassing, landschap, milieu, economie, afstemming met belendende ruimtelijke ontwikkelingen, etc., betrokken zullen moeten worden.

RELEVANT BELEID

Provinciaal beleid

Het meest relevante beleidskader is in feite de Omgevingsverordening van de provincie. Hierin wordt bij de planologische ruimte voor inpassing van stedelijke functies in het buitengebied een duidelijk onderscheid gemaakt in bebouwingsconcentraties binnen het buitengebied en het overige deel van het buitengebied. Onder de interim-Omgevingsverordening is drie jaar geleden de Beleidsregel maatwerk omgevingskwaliteit Noord-Brabant vastgesteld. Hierin is de ruimte-voor-ruimteregeling opgegaan en verbreed tot andere bedrijfssectoren (buiten de intensieve veehouderij). Ook is er meer variatie in woningtypologie mogelijk: niet enkel villa’s, maar ook bijvoorbeeld rijtjeswoningen, appartementen, tiny houses, etc., mits stedenbouwkundig passend. Deze verbreding zal naar verwachting leiden tot meer initiatieven voor m.n. woningen in het buitengebied. Daarmee wordt het belang van het vastleggen van bebouwingsconcentraties alleen maar groter.

 

Omgevingsvisie

In de nieuwe Omgevingsvisie Helmond 2040 is aangekondigd dat de bebouwingsconcentraties in het buitengebied worden vastgelegd. Met deze beleidsnotitie wordt invulling gegeven aan deze ambitie.

 

Cultuurhistorische inventarisatie

Vooruitlopend op het invoeren van de omgevingswet en omgevingsvisie is een cultuurhistorische inventarisatie uitgevoerd in opdracht van de gemeente Helmond. De cultuurhistorische inventarisatie beperkte zich met name tot de bebouwde omgeving van het vroegere centrum van Helmond, de vroegere dorpskernen Stiphout, Mierlo-Hout en Brouwhuis en het gebied rond de Warande. De inventarisatie gaat in op stedelijke bebouwing en ontwikkeling, infrastructuur en geeft een waardering voor historische bebouwing, woonwijken, en landschappelijke structuren. In 2025 zal deze inventarisatie ook plaatsvinden voor het resterende grondgebied van de gemeente Helmond: Helmond Oost, Rijpelberg, Dierdonk, De Haag, Brandevoort en het buitengebied.

 

Natuur- en landschapsvisie

Als uitwerking van de omgevingsvisie is een natuur- en landschapsvisie opgesteld door de gemeente Helmond. In deze visie worden de bestaande kwaliteiten en ontwikkelmogelijkheden voor natuur en landschap beschreven. Met deze waarden is ook rekening gehouden bij de afbakening van de bebouwingsconcentraties.

 

Woonvisie

In de Woonvisie kiest de gemeente Helmond ervoor om voornamelijk inbreidingslocaties (dus bestaande wijken) te gebruiken voor de woningbouwopgave. Op deze manier wordt het groen en het landschap rond de stad zoveel mogelijk behouden. Dit is in lijn met regionale afspraken. Uitbreiding kan alleen onder de volgende voorwaarden:

 

  • Er is sprake van een ontwikkeling die qua aard en schaal past op de locatie;

  • De ontwikkeling zorgt voor een duurzame afronding van het stedelijk gebied;

  • Hierbij is kwalitatieve landschappelijke aansluiting/inpassing leidend.

De focus ligt dus op inbreiding, maar zoals hierboven beschreven biedt het woonbeleid wel mogelijkheden voor het realiseren van woningen in het landelijk gebied. Hierbij geldt onder andere dat er sprake moet zijn van eenaanvaardbare locatie en dat het initiatief qua aard en schaal moet passen binnen het landschap. In deze beleidsnotitie wordt geduid welke bebouwingsconcentraties in het buitengebied vanuit dit oogpunt geschikt zijn.

HET BEGRIP BEBOUWINGSCONCENTRATIE EN DE VERSCHILLENDE VERSCHIJNINGSVORMEN HIERVAN

Een bebouwingsconcentratie is een concentratie van bebouwing in het buitengebied. Op basis van de TAM- omgevingsverordening van de provincie zijn er drie verschijningsvormen te onderscheiden: bebouwingscluster, bebouwingslint en kernrandzone.

 

  • 1)

    bebouwingscluster: vlakvormige verzameling van bebouwing gelegen buiten stedelijk gebied;

  • 2)

    bebouwingslint: min of meer aaneengesloten lijnvormige reeks van bebouwing langs een weg buiten stedelijk gebied;

  • 3)

    kernrandzone: overgangszone van stedelijk gebied naar het buitengebied, met daarin relatief veel bebouwing op korte afstand van elkaar met een toenemende menging van functies.

Visuele weergave typen bebouwingsconcentraties

 

 

Bron: beleidsnota “Buitengebied in ontwikkeling”, provincie Noord-Brabant 2004

AFBAKENING VAN HET BUITENGEBIED

Bij het vastleggen van de bebouwingsconcentraties in het buitengebied moet er helderheid zijn over welk deel van het grondgebied als (planologisch) buitengebied wordt beschouwd. De afbakening tussen stedelijk en buitengebied is echter niet eenduidig vastgelegd in Helmond. Een aanknopingspunt zou het bestemmingsplan ‘Buitengebied Helmond’ kunnen zijn, zoals dat in 2012 is vastgesteld (en daarna op onderdelen is gewijzigd). Probleem is dat dit plan niet het gehele buitengebied van Helmond omvat. Er zijn meerdere bestemmingsplannen die geheel of gedeeltelijk betrekking hebben op het buitengebied. Om tot een eenduidige afbakening te komen lijkt het daarom verstandiger om uit te gaan van de afbakening die de provincie toepast in de TAM-omgevingsverordening Noord-Brabant. Alles wat niet tot het Stedelijk gebied/Concentratiegebied (oranje aangeduid) behoort, maakt deel uit van het buitengebied.

AFBAKENING STEDELIJK GEBIED

 

Bron: TAM-omgevingsverordening Noord-Brabant, provincie Noord-Brabant (2023

CRITERIA OP BASIS WAARVAN DE BEBOUWINGSCONCENTRATIES WORDEN BEPAALD

Voor het vastleggen van bebouwingsconcentraties binnen de gemeente Helmond wordt uitgegaan van de volgende criteria:

 

  • 1)

    Een bebouwingsconcentratie moet voldoen aan één van de drie verschijningsvormen: bebouwingscluster, bebouwingslint of kernrandzone;

  • 2)

    Er moet sprake zijn van een bepaalde bebouwingsdichtheid. Als ondergrens stellen we dat er sprake moet zijnvan tenminste vijf bouwblokken, wooneenheden en/of hoofdgebouwen, waarbinnen een stedelijke/rode functie is toegestaan. Hierbij is met name de relatie van de bebouwing onderling en met het omringende landschap van belang. Deze relatie kan afhankelijk van het omringende landschap anders zijn, waardoor op sommige plekken pas sprake is van een bebouwingsconcentratie bij een groter aantal. .

  • 3)

    Een cultuurhistorische context is geen harde voorwaarde maar kan bij twijfel wel de doorslag geven. Daarbij moet gedacht worden aan historische buurtschappen of gehuchten.

BEBOUWINGSCONCENTRATIES IN HET BUITENGEBIED VAN HELMOND

Op basis van bovenstaande afbakening en de criteria voor de bepaling van een bebouwingsconcentratie kunnen de volgende bebouwingsconcentraties in het buitengebied van Helmond onderscheiden worden:

  • 1)

    Geeneind (Stiphout)

  • 2)

    (Korte) Venstraat (Stiphout)

  • 3)

    Hortsedijk (Stiphout)

  • 4)

    Grote Overbrug (Warande)

  • 5)

    Aarle Rixtelseweg (Warande)

  • 6)

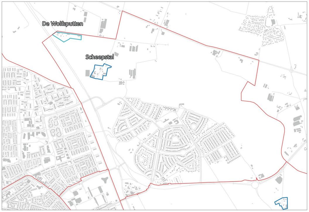
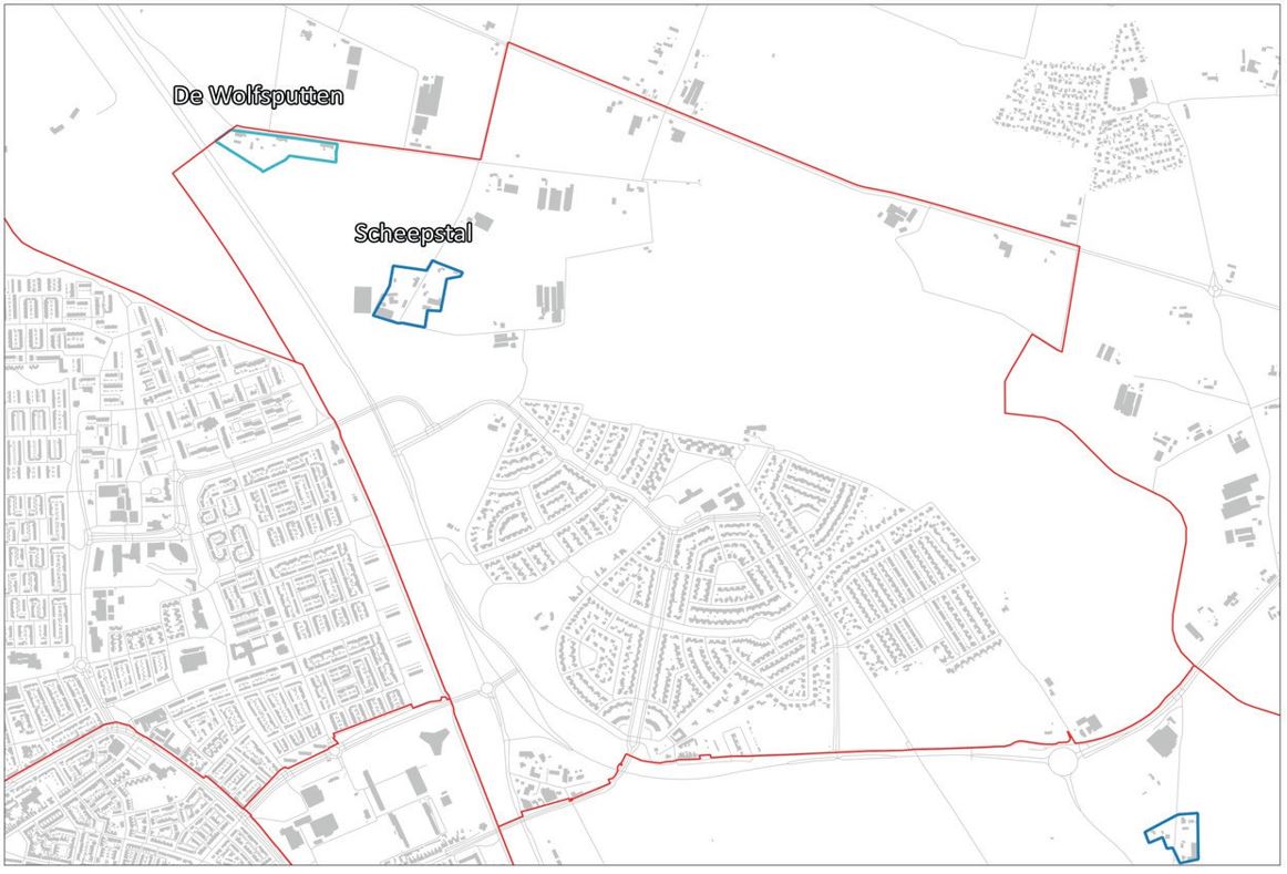
    Scheepstal (Dierdonk)

  • 7)

    De Wolfsputten (Dierdonk)

  • 8)

    Rijpelberg (gehucht)

  • 9)

    De Weijer (Brouwhuis)

  • 10)

    Kloostereind (Brouwhuis)

  • 11)

    Lungendonk (’t Hout)

  • 12)

    Ganzenwinkel/Goorwal (‘t Hout)

  • 13)

    Kaldersedijk en omgeving (Brandevoort)

  • 14)

    Medevoort (Brandevoort)

NADERE BESCHRIJVING BEBOUWINGSCONCENTRATIE

De 14 bebouwingsconcentraties worden navolgend kort beschreven met daarbij telkens een overzichtskaart op basis van de wijkindeling, een detailkaart en een uitsnede uit het omgevingsplan.

 

  • 1.

    Geeneind (Stiphout)

Geeneind is een buurtschap in het noordwesten van Stiphout. Het wordt vanaf 1643 in historische documenten genoemd. Het bebouwingscluster bestaat uit een viertal traditionele langgevel-boerderijen en is in recente tijden verdicht met vier woonhuizen. Op de vanouds grote percelen zijn flinke volumes aan moderne stallen gebouwd. Door de moderne toevoegingen is het historische karakter van het buurtschap aangetast. Mogelijkheden om de bebouwingsconcentratie te verdichten ontstaat als de moderne stallen buiten gebruik raken en plaats maken voor nieuwbouw. Het is vanuit cultuurhistorisch oogpunt niet wenselijk dat Geeneind vastgroeit aan het stedelijk gebied van Stiphout. Volgens de gebiedsvisie Stiphout (2013) is behoud van het open landschap met historische structuren belangrijk voor historisch besef en van recreatief belang.

 

 

  • 2.

    (Korte) Venstraat (Stiphout)

De bebouwingsconcentratie aan de (Korte) Venstraat kan getypeerd worden als een bebouwingscluster.

Het cluster is pas echt na de WOII tot ontwikkeling gekomen. Het bestaat uit 4 woningen die zijn gelegen aan de Venstraat, een woning aan de Korte Venstraat en grootschalige bedrijfsbebouwing gelegen achter de woningen. Deze bedrijfsbebouwing wordt aan het zicht onttrokken door de woningen en doordat het cluster wordt omringd door bebossing. Het is gelegen in de geledingszone Stiphout, tussen de wijk Stiphout en het bedrijventerrein Schooten. De functie is gemengd, wonen met niet-agrarische bedrijvigheid. In de jaren tachtig en negentig lag hier een bouwbedrijf en een manege. De bedrijfsbebouwing dateert grotendeels uit deze periode. Na beëindiging van deze functies zijn er diverse bedrijven gehuisvest, waardoor het nu bedrijfsverzamelgebouwen zijn.

 

 

  • 3.

    Hortsedijk (Stiphout)

De verspreide bebouwing aan de Hortsedijk vormt een bebouwingslint tussen Stiphout en Mierlo-Hout. Dit lint is ontstaan op de hoge zandrug die het beekdal van de Goorloop aan de oostkant begeleidt. Aan de westzijde staan tussen de Schootense loop en Steenovenweg een gesloten rij ‘jaren ‘30’ woningen en nabij de Europaweg een rij woningen uit begin 20ste eeuw. Vanaf 1918 tot 1940 zijn ook aan de oostelijke rand van de Hortsedijk verspreid losse woningen met gemengde functies gebouwd op ruime percelen. Later, in de tweede helft van de vorige eeuw, zijn bijgebouwen en bedrijfspanden vervangen of toegevoegd waardoor een gevarieerd, maar onsamenhangend, beeld aan bebouwing aan de Hortsedijk is ontstaan. In dit bebouwingslint zijn nog open ruimten met bosbegroeiing of percelen in gebruik als weiland voor hobbydieren. Het beekdal van de Schootense loop (EVZ) verdeelt dit bebouwingslint in een noordelijk en zuidelijk deel, waarbij het noordelijk deel ook onderbroken wordt door een perceel bos (NNB) In het beekdal van de Goorloop wordt ingezet op natuurontwikkeling. Hierdoor wordt dit bebouwingscluster duidelijk begrensd en zal het lintkarakter versterkt worden.

 

 

  • 4.

    Grote Overbrug (Warande)

Het buurtschap Grote Overbrug bestaat uit een viertal historische langgevelboerderijen met diverse bijgebouwen. De eerste vermelding van het gehucht Overbrug en het middeleeuws blokhuis is in een schepenacte uit 1420. Daarin wordt melding gemaakt van een “Stenen Huys”, ter plaatse genaamd “Overbrugge”. Bij Overbrug 3 zijn zware funderingen aangetroffen in de bodem, mogelijk van dit blokhuis. Dit versterkte huis behoorde tot een verdedigingslinie in opdracht van de hertog van Brabant. Het cluster is in 2011 nog met een woonhuis uitgebreid. Ondanks toegevoegde (bij-) gebouwen is het landelijke karakter behouden. Het landgoed is opengesteld voor wandelaars. Volgens de cultuurhistorische inventarisatie (Contrei 2021: 58) is het landelijk gebied aan de west- en noordzijde van de Warande een landschappelijke parel. Vanuit cultuurhistorisch oogpunt is het niet wenselijk dat dit cluster vastgroeit aan het stedelijk gebied. Eventuele ontwikkelingen kunnen dan ook enkel binnen de contouren van het bestaande buurtschap plaatsvinden.

 

 

  • 5.

    Rixtelseweg (Warande)

De Aarle-Rixtelseweg en omgeving kan gekwalificeerd worden als een kernrandzone: het stedelijk gebied van de wijk Warande loopt hier geleidelijk over in het buitengebied. Deze kernrandzone is nog betrekkelijk jong. Het grootste deel van de bebouwing is gerealiseerd na de Tweede Wereldoorlog. Aan de oostzijde is deze kernrandzone vastgegroeid aan de jonge woonbuurt Groene Loper. De dominante functie is wonen, soms gecombineerd met kleinschalige bedrijvigheid (bedrijf of kantoor aan huis). De aard van de bebouwing is hoofdzakelijk (jonge) villabebouwing op (zeer) ruime percelen. De inprikker aan de oostzijde heeft te maken met het feit dat deze percelen deel uitmaken van het uitbreidingsplan Groene Loper en op basis daarvan in de omgevingsverordening van de provincie als stedelijk gebied zijn aangewezen.

 

 

  • 6.

    Scheepstal ( Dierdonk )

Aan de noordzijde van de Bakelse Aa bij Dierdonk ligt het oude buurtschap Scheepstal. Tussen dit buurtschap en de beekbedding van de Bakelse Aa stond de watermolen van Scheepstal. Deze molen was hier tussen 1246 en 1410. Het bebouwingscluster Scheepstal bestaat uit een tweetal traditionele langgevelboerderijen. Vanaf het eind van de vorige eeuw zijn hier vooral grote stallen met agrarische bestemming toegevoegd op de erven van woningen. Met name het complex aan Scheepstal 7 (woonhuis uit 1880) domineert de uitstraling van dit bebouwingscluster. Eventuele verdichtingsmogelijkheden zullen gezocht moeten worden aan het deel van de Scheepstal dat vanuit noordoost naar zuidwest loopt.

 

 

  • 7.

    De Wolfsputten ( Dierdonk )

De Wolfsputten is van oudsher een kleinschalig agrarisch lint, gelegen tussen het beekdal van de Bakelse Aa en de Grootelsche Heide. Oorspronkelijk bestond het uit 3 langgevelboerderijen. In een later stadium is er een woning toegevoegd en zijn twee langgevelboerderijen gesplitst. In de huidige situatie ligt deze bebouwingsconcentratie ten noorden van Dierdonk, op de grens met de gemeente Gemert-Bakel. Ondanks dat er in de directe omgeving een duidelijke schaalvergroting in zowel bebouwing als verkaveling heeft plaatsgevonden in de loop der jaren, is De Wolfsputten altijd kleinschalig en wat historischer van karakter gebleven. De functie is nu enkel wonen.

 

 

  • 8.

    Rijpelberg (gehucht)

In Rijpelberg vormt het bebouwingscluster een restant van een buurtschap dat tenminste vanaf 1340 bestaat. Omstreeks 1830 stonden hier vier langgevelboerderijen met gemengde agrarische bedrijfsvoering. Aan de westzijde ligt een bosrijke zone die behoort tot de Bakelse Bossen, doorsneden door de Wolfsputterbaan. Aan de oostzijde liggen de Rijpelbergse akkers. Tegenwoordig zijn in het zuidelijke cluster (Rijpelbergse weg, Rijpelberg) nog drie langgevelboerderijen behouden. Op de erven daarvan staan nog diverse oorspronkelijke bijgebouwen en stallen. Op andere percelen zijn vanaf de jaren ’80 meer moderne stallen gebouwd. De huidige bestemming is gemengd agrarisch en wonen. In het noordelijke cluster (Berkendonk) staan twee oudere woonhuizen uit 1910 en 1930. Tussen 1960 en 1985 zijn nog vier woningen toegevoegd. De woningen staan verspreid over ruime percelen. Het bedrijf aan de Rijpelberg 3 neemt een belangrijke positie in, in dit noordelijke cluster. Het is vanuit landschappelijk oogpunt niet wenselijk dat beide clusters aan elkaar groeien. Eventuele verdichtingsmogelijkheden liggen dan ook enkel binnen de bestaande clusters.

 

 

  • 9.

    De Weijer (Brouwhuis)

Ten zuidoosten van de wijk Brouwhuis bevindt zich de bebouwingsconcentratie De Weijer langs de Weijerweg. Deze bebouwingsconcentratie heeft zich pas de laatste 50 jaar ontwikkeld tot een echt bebouwingslint met name ten gevolge van de realisatie van (grootschalige) agrarische bedrijfsbebouwing. Deze agrarische functie is nu nog nadrukkelijk aanwezig in afwisseling met woonfuncties. De bebouwing is over het algemeen vrij jong en in elk geval volledig naoorlogs. De woningen zijn allemaal vrijstaand. Voor de oorlog was hier sprake van een kleinschalige en meer clusterachtige bebouwingsconcentratie. De afbakening van deze bebouwingsconcentratie is overgenomen uit de visie “Landschapspark Kloostereind” uit 2021. Thans wordt deze visie vertaald in een meer uitgewerkte visie. De landschappelijke en cultuurhistorische waarden van het gebied rond de Weijer in Brouwhuis zijn door Timmers beschreven (bron: Dapperslaar: de weijer van Brouwhuis – Over cultuurhistorie en zo, Jan Timmers 2019).

 

 

  • 10.

    Kloostereind (Brouwhuis)

Het buurtschap Kloostereind bestaat uit een bebouwingscluster aan de zuidwestzijde van de kern van Brouwhuis. Aan de zuidzijde wordt het cluster begrenst door de Rochadeweg. De hoeve Stipdonkseweg 3a is een tot woonhuis verbouwde langgevelboerderij, een voorganger daarvan staat op de kadastrale kaart uit 1832. In het midden van de vorige eeuw, tussen 1950 en 1960, zijn er acht woonhuizen toegevoegd nabij het kruispunt Peeleik, Stipdonkseweg en Kloostereindweg. Later vanaf de jaren zeventig, tachtig en na 2000 is het bebouwingscluster verder verdicht met vrijstaande woningen op ruime percelen. De geleidelijke verdichting van het bebouwingscluster leidde tot een variatie aan bouwstijlen. Behoud en ontwikkeling van het agrarisch buitengebied is een van de belangrijke aandachtspunten in de inrichtingsvisie voor het landschapspark Kloostereind (2024-2030). De ligging binnen het landschapspark Kloostereind leidt ertoe dat eventuele mogelijkheden voor verdichting enkel binnen de aangegeven contouren aanvaardbaar zijn. Een verdere uitbreiding van het cluster of vastgroeien aan het stedelijk gebied Brouwhuis is niet wenselijk.

 

 

  • 11.

    Lungendonk (’t Hout)

De bebouwingsconcentratie Lungendonk is gelegen in de oksel tussen de Lungendonk en de Kanaaldijk ZW en kan getypeerd worden als bebouwingslint. Rond het begin van de 20e eeuw ontstond hier de eerste bebouwing. Eerst heel kleinschalig met twee kavels. Pas vanaf de jaren ‘60/’70 van de vorige eeuw vond er een kleine uitbreiding plaats en in de jaren ’90 een grotere. De bebouwing is enkel aan de oostzijde van de Lungendonk gelegen en is deels industrieel van karakter. De functie is gemengd, wonen met niet-agrarische bedrijvigheid.

 

 

  • 12.

    Ganzenwinkel/Goorwaal (’t Hout)

De kernrandzone Ganzenwinkel/Goorwal bevindt zich aan de zuidoostzijde van de wijk ’t Hout. Het gebied heeft zich pas na de Tweede Wereldoorlog ontwikkeld tot een bebouwingsconcentratie. Daarvoor was er sprake van verspreid liggende bebouwing in het gebied. Pas in de jaren tachtig is deze bebouwingsconcentratie vastgegroeid aan het stedelijk gebied ten gevolge van de uitbreidingen rondom ’t Hout en kan er gesproken worden van een kernrandzone. De bebouwing concentreert zich langs de evenwijdig aan elkaar lopende wegen Ganzenwinkel (deels Akkerweg) en Goorwal. Daartussen liggen een tuinbouwkas en een tuincentrum, die feitelijk het hart vormen van de kernrandzone. Buiten deze twee bedrijven kent de kernrandzone enkel woonfuncties. De bebouwing is grotendeels naoorlogs en overwegend vrijstaand op veelal ruime percelen.

 

 

  • 13.

    Kaldersedijk ( Brandevoort )

De Kaldersedijk is van oorsprong een straat waar een aantal kleine boerderijen en agrarische velden aan gelegen zijn. Deze velden geven de Kaldersedijk een open landschap waarbij ver weg gekeken kan worden. De Kaldersedijk maakt samen met de Brandevoort en de westkant van de Geldropseweg, deel uit van de geledingszone tussen Mierlo en de wijk Brandevoort. Het gebied vormt een groene buffer in het stedelijk gebied dat minder dicht bebouwd is dan de stedelijke omgeving. Er is sprake van een verstedelijkte kernrandzone met bebouwing in lintstructuren.

Voor dit gebied is het principe ‘erfwonen’ ontwikkeld. Met ‘erfwonen’ wordt bedoeld dat het van oorsprong houtwallen landschap in combinatie met het open landschap van de Kaldersedijk leidend is voor verdere ontwikkeling. Dit komt tot uiting in naar verhouding diepe en smalle kavels.

 

 

  • 14.

    Medevoort ( Brandevoort )

Het buurtschap Medevoort ligt aan de noordzijde van de NS-spoorlijn, ten westen van Mierlo-Hout. Het vormt met een vijftal traditionele langgevel-boerderijen de verbinding tussen Mierlo-Hout en de Brandevoortse buurtschappen Berenbroek, Diepenbroek, Kranenbroek met als eindpunt Nuenen. De boerderijen vormen al ruim twee eeuwen een bebouwingslint. Van oorsprong waren dit kleinschalige agrarische bedrijven. De afgelopen eeuw zijn de boerderijen met behoud van historische kwaliteit verbouwd tot ruime woonboerderijen. Midden vorige eeuw is een stal aangepast tot woonhuis en is er een modern woonhuis aan de oostzijde van deze bebouwingsconcentratie bij gekomen.

 

Aldus besloten in de collegevergadering van 1 april 2025.

Burgemeester en wethouders van Helmond,

de burgemeester,

mr. S.C.C.M. Potters

de secretaris a.i.,

dhr. drs. P.J. Buijtels

Naar boven