Kennisgeving voornemen tot verkoop bloot eigendom van bouwmuur/tuin aan de eigenaar van Egelantiersstraat 134A -136D te Amsterdam
De huidige bestemming van het af te splitsen perceel: tuin. De kavel is 3m² groot.
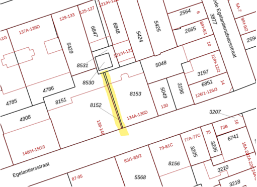
Te verkopen bloot eigendom: gemeente Amsterdam, L, 8152
Perceelgrootte uitbreiding: circa 3 m2
Dossiernummer: EW557/7
Kenmerk: 2025-4635
De gemeente Amsterdam is voornemens van voormeld perceel grond de bloot eigendom te verkopen ten behoeve van de uitbreiding van een bestaand perceel in vol eigendom.
Vermelde uitbreiding van het perceel in vol eigendom mag alleen worden gebruikt in overeenstemming met de bestemming van het pand waaraan het toegevoegd wordt, te weten bouwmuur t.b.v. 134A – 136D te Amsterdam.
De te verkopen bloot eigendom staat op onderstaande kaart aangegeven met verticale gele signalering.
De gemeente is van mening dat voor voormelde verkoop bloot eigendom slechts één serieuze gegadigde in aanmerking komt, op grond van de navolgende objectieve, toetsbare en redelijke criteria:
-
percelen met de bestemming ‘bouwmuur/tuin’ worden door de gemeente niet separaat in erfpacht uitgegeven;
-
het in bloot eigendom te verkopen perceel grenst aan het perceel waarvoor de uitbreiding wordt aangevraagd en zal met dat perceel worden samengevoegd;
-
het in bloot eigendom te verkopen perceel is alleen toegankelijk via het perceel waarvoor de uitbreiding wordt aangevraagd en is niet toegankelijk vanaf de openbare ruimte;
-
het in bloot eigendom te verkopen perceel kan niet door derden separaat worden ontwikkeld;
-
het betreft een bouwmuur en een klein stuk tuin, de bouwmuur is reeds verbonden met het pand op perceel 8153, deze wordt doorgetrokken met de tuin.
Kort geding en vervaltermijn
Eenieder, die van mening is, dat hij of zij ook voor de verkoop in bloot eigendom van vermeld perceel in aanmerking komt, dient uiterlijk 20 kalenderdagen na de publicatiedatum van het voornemen tot verkoop bloot eigendom in het Gemeenteblad een gerechtelijke procedure in kort geding aanhangig te hebben gemaakt met betrekking tot de voorgenomen verkoop bloot eigendom bij de afdeling privaatrecht van de rechtbank Amsterdam.
De termijn van 20 kalenderdagen is een vervaltermijn. Indien niet binnen deze termijn een kort geding aanhangig is gemaakt kunnen er geen aanspraken jegens de gemeente Amsterdam ter zake van de verkoop in bloot eigendom van vermeld perceel worden gemaakt.
De hier aangeboden pdf-bestanden van het Staatsblad, Staatscourant, Tractatenblad, provinciaal blad, gemeenteblad, waterschapsblad en blad gemeenschappelijke regeling vormen de formele bekendmakingen in de zin van de Bekendmakingswet en de Rijkswet goedkeuring en bekendmaking verdragen voor zover ze na 1 juli 2009 zijn uitgegeven. Voor pdf-publicaties van vóór deze datum geldt dat alleen de in papieren vorm uitgegeven bladen formele status hebben; de hier aangeboden elektronische versies daarvan worden bij wijze van service aangeboden.