Aanwijsbesluit glas- en blikverbod tijdens Koningsnacht 2025 in Gouda

De burgemeester van Gouda

 

Overwegende,

 

Dat op grond van artikel 2:13a, lid 1, van de Algemene plaatselijke verordening Gouda 2025 exploitanten van openbare inrichtingen verplicht zijn zodanige maatregelen te nemen dat de bezoekers van de inrichtingen geen drinkgerei van glas of flessen van glas buiten de inrichtingen brengen;

 

Dat op grond van artikel 2:13a lid 2, 3 en 5, van de Algemene plaatselijke verordening Gouda 2025 het verboden is:

  • in een door de burgemeester aangewezen gebied en binnen een door de burgemeester aangewezen periode, drinkgerei van glas en/of geopende danwel ongeopende verpakkingen van glas of blik, die kennelijk bestemd zijn voor het bewaren van drank, bij zich te hebben of met zich mee te voeren. Dit verbod geldt eveneens voor een terras dat behoort bij een inrichting, alsmede glaswerk bij een buitenbar;

  • in een door de burgemeester aangewezen gebied en binnen een door de burgemeester aangewezen periode in een openbare inrichting drank in glas te verstrekken;

Dat tijdens Koningsnacht volop festiviteiten in de binnenstad in Gouda, met name op de Markt plaatsvinden;

 

Dat de festiviteiten tijdens Koningsnacht in Gouda elk jaar vele bezoekers trekken die gelijktijdig in de binnenstad aanwezig zijn;

 

Dat de ervaring is dat tijdens Koningsnacht veelvuldig in de horeca, vanuit de detailhandel en op straat (al dan niet alcoholhoudende) drank in glas en/of blik wordt verkocht, meegenomen en gedronken;

 

Dat glas- en blikwerk als een potentieel risico voor de openbare orde, veiligheid en gezondheid van burgers wordt gezien. Met glas kunnen opzettelijk, maar ook per ongeluk ernstige verwondingen worden toegebracht. Glas en blik kunnen als potentieel wapen bij ongeregeldheden gebruikt worden;

 

Dat vanwege het potentieel risico voor de veiligheid en gezondheid van burgers en vanwege het risico op verstoring van de openbare orde het noodzakelijk wordt geacht in een gedeelte van de binnenstad van Gouda een glas- en blikverbod te laten gelden;

 

Dat de gebieden en periodes zijn afgestemd op de (nabije omgeving van) plaatsen en tijden waar zich tijdens Koningsnacht in de binnenstad van Gouda de meeste bezoekers zullen ophouden.

 

besluit:

 

het Aanwijsbesluit glas- en blikverbod tijdens Koningsnacht 2025 in Gouda vast te stellen.

Artikel 1 Aanwijzing gebied en periode

  • 1.

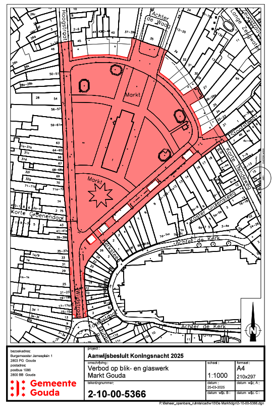
    De wegen en weggedeeltes in het gebied van de Markt te Gouda, zoals weergegeven op bijgevoegde kaart ‘Kaart Aanwijsbesluit Koningsnacht 2025’, wordt aangewezen als gebied, waarin het glas- en blikverbod van artikel 2:13a lid 2, 3 en 5, van de Algemene plaatselijke verordening Gouda 2025 geldt.

  • 2.

    De aanwijzing als bedoeld in het eerste lid geldt niet voor de gebieden van de daar aanwezige openbare inrichtingen en de daarbij behorende terrassen, voorzover in deze inrichtingen en op deze terrassen ter plaatse drank wordt genuttigd, die niet vanuit een buitenbar wordt verstrekt.

  • 3.

    De periode van 25 april 2025 om 18:00 uur tot en met 26 april 2025 om 06:00 uur wordt aangewezen als periode waarin het glas-en blikverbod van artikel 2:13a lid 2, 3 en 5, van de Algemene plaatselijke verordening Gouda 2025 geldt.

Artikel 2 Inwerkingtreding

  • 1.

    Dit besluit treedt in werking op de dag na bekendmaking van dit besluit.

  • 2.

    Dit besluit vervalt zodra het is uitgewerkt.

Artikel 3 Citeertitel

Dit besluit wordt aangehaald als Aanwijsbesluit glas- en blikverbod tijdens Koningsnacht 2025 in Gouda.

Aldus besloten op 10 april 2025,

De burgemeester van Gouda,

mr. drs. P. Verhoeve

Kaart Aanwijsbesluit Koningsnacht 2025

 

Naar boven