Besluit tot onttrekking aan de openbaarheid van het voetpad Meester Veldhuizenstraat te Steenwijksmoer (Coevorden)

De raad van de gemeente Coevorden;

 

gelezen het voorstel van burgemeester en wethouders, bijlagenummer 1995;

 

Overwegende:

 

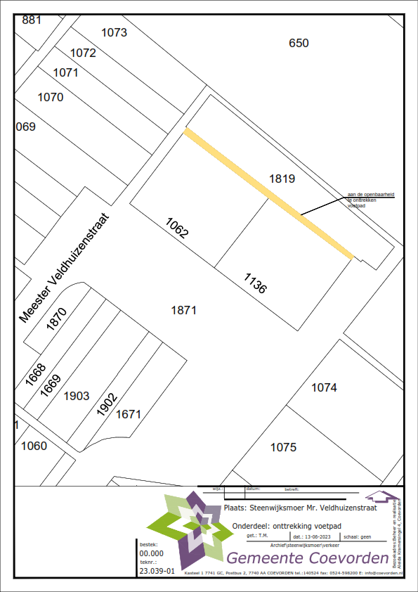
dat bewoners en woningbouwstichting Domesta verzoeken om het voetpad dat de tuinen van de woningen Meester Veldhuizenstraat 27 t/m 37 in Coevorden (Steenwijksmoer) doorsnijdt, op te heffen en de grond bij de tuinen te voegen;

 

dat het hiervoor nodig is het voetpad aan de openbaarheid te onttrekken;

 

dat er geen belemmeringen zijn om het voetpad aan de openbaarheid te onttrekken;

 

dat een besluit over onttrekking aan de openbaarheid op basis van artikel 9 van de Wegenwet een beslissingsbevoegdheid van de Raad is;

 

dat hierbij de uniforme voorbereidingsprocedure van afdeling 3.4 Algemene wet bestuursrecht van toepassing is;

 

dat het ontwerpbesluit van 23 juni tot en met 3 augustus 2023 ter inzage heeft gelegen met de mogelijkheid tot het indienen van zienswijzen;

 

dat er geen schriftelijke en/of mondelinge zienswijzen zijn ingediend;

 

dat het definitieve besluit genomen kan worden;

 

Gelet op het bepaalde in artikel 9 van de Wegenwet en afdeling 3.4 van de Algemene wet bestuursrecht;

 

 

b e s l u i t :

 

in te stemmen met het onttrekken aan de openbaarheid van het voetpad aan de Meester Veldhuizenstraat te Coevorden (Steenwijksmoer), zoals aangegeven op de bij dit besluit behorende tekening, op grond van artikel 9 van de Wegenwet.

 

Aldus besloten in de openbare vergadering van

25 februari 2025.

De raad voornoemd,

Voorzitter

R. Bergsma

griffier

M. Lucassen

 

Bezwaar

Eenieder kan van 17 maart tot en met 27 april 2025 bezwaar tegen dit besluit indienen. Schriftelijk bezwaar moet worden gericht aan de gemeente Coevorden t.a.v. de gemeenteraad, Postbus 2, 7740 AA Coevorden of per email aan info@coevorden.nl

 

Beroep

Bent u het niet eens met het besluit dat de gemeente neemt op uw bezwaarschrift? Dan kunt u beroep instellen bij de rechtbank. Stuur binnen 6 weken na de verzending van de beslissing op uw bezwaarschrift een brief (uw beroepschrift) aan:

 

Rechtbank Noord-Nederland

Afdeling Bestuursrecht

Postbus 150

9700 AD Groningen

 

Bij het beroepschrift stuurt u het besluit waartegen u beroep aantekent mee. Verder vermeldt u in uw beroepschrift uw naam, adres en de redenen waarom u beroep aantekent.

Naar boven