Publicatie Sparresholm 16 te Hoofddorp

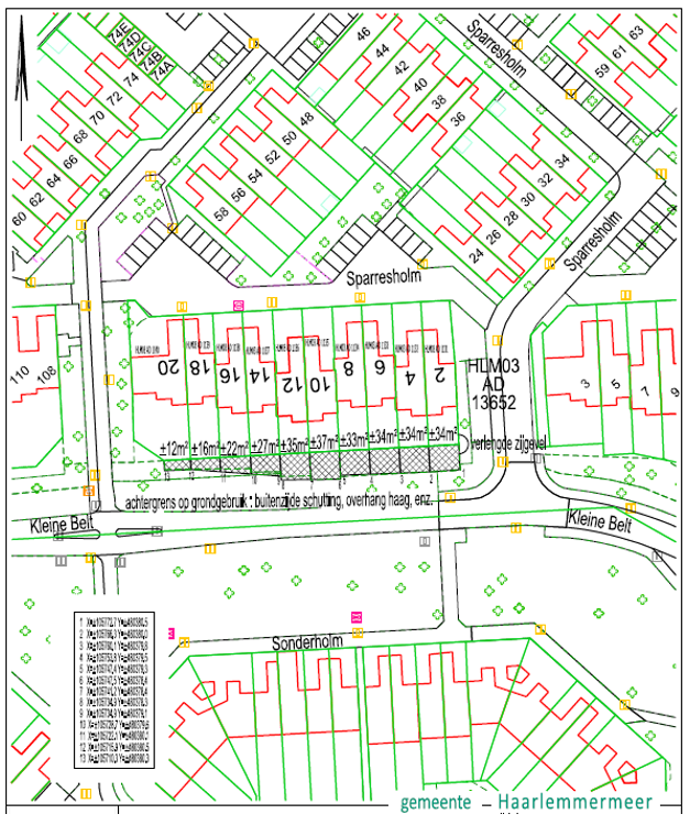
De gemeente is voornemens om een strook snippergroen, deel uitmakend van het kadastrale perceel Haarlemmermeer, sectie AD, nummer 13652 (gedeeltelijk), grootte 22 m2, te verkopen aan de eigenaar van de aangrenzende woning aan de Sparresholm 16 ten behoeve van een tuinuitbreiding. De beoogde koper is de enige geschikte gegadigde op basis van de uitgangspunten zoals opgenomen in het tuinuitgiftebeleid (Raadsvoorstel 7502314).

De gemeente zal na een wachttijd van minimaal twintig kalenderdagen na de datum van deze publicatie uitvoering geven aan haar voornemen. Als u daar vragen of opmerkingen over heeft, kunt u contact opnemen met team gebruik gemeentegrond via gebruikgemeentegrond@haarlemmermeer.nl.

Het feit dat dit voornemen tot verkoop bekend wordt gemaakt, betekent niet dat de gemeente al definitief tot verkoop besloten heeft. Ook betekent het niet dat met de beoogde koper al volledige overeenstemming is bereikt of dat zeker is dat die zal worden bereikt.

Naar boven