Verordening op de heffing en de invordering van precariobelasting 2025

De raad van de gemeente Gouda;

gelezen het voorstel van het college van burgemeester en wethouders van 19 november 2024, nummer 8422;

gelet op artikel 228 van de Gemeentewet;

besluit tot vaststelling van:

 

Verordening op de heffing en de invordering van precariobelasting 2025

Artikel 1 Begripsomschrijvingen

In deze verordening wordt verstaan onder:

  • a.

    dag : een periode van 24 uren, aanvangende te 0.00 uur, of een gedeelte daarvan;

  • b.

    week : een periode van zeven achtereenvolgende dagen;

  • c.

    maand : een kalendermaand;

  • d.

    kwartaal : een kalenderkwartaal;

  • e.

    jaar : een kalenderjaar;

  • f.

    vergunning : een door het gemeentebestuur verleende en in een gemeentelijke registratie opgenomen toestemming op grond waarvan een persoon een of meer voorwerpen onder, op of boven voor de openbare dienst bestemde gemeentegrond mag hebben.

Artikel 2 Belastbaar feit

Onder de naam precariobelasting wordt een directe belasting geheven ter zake van het hebben van voorwerpen onder, op of boven voor de openbare dienst bestemde gemeentegrond, bedoeld of genoemd in deze verordening en de daarbij behorende tarieventabel.

Artikel 3 Belastingplicht

  • 1.

    De precariobelasting wordt geheven van degene die het voorwerp of de voorwerpen onder, op of boven voor de openbare dienst bestemde gemeentegrond heeft, dan wel van degene ten behoeve van wie dat voorwerp of die voorwerpen onder, op of boven voor de openbare dienst bestemde gemeentegrond aanwezig zijn.

  • 2.

    In afwijking in zoverre van het eerste lid wordt, indien de gemeente een vergunning heeft verleend voor het hebben van het voorwerp of de voorwerpen onder, op of boven voor de openbare dienst bestemde gemeentegrond, degene aan wie de vergunning is verleend of diens rechtsopvolger aangemerkt als degene bedoeld in het eerste lid, tenzij blijkt dat hij niet het voorwerp of de voorwerpen onder, op of boven voor de openbare dienst bestemde gemeentegrond heeft.

Artikel 4 Vrijstellingen

De precariobelasting wordt, met uitzondering van het bepaalde in de tarieventabel onder 10, niet geheven ter zake van:

  • 1.

    voorwerpen, waarvoor de gemeente een recht heft op grond van artikel 229, eerste lid, onderdeel a, van de Gemeentewet, dan wel een privaatrechtelijke vergoeding is overeengekomen;

  • 2.

    voorwerpen, waarvan de gemeente genothebbende krachtens eigendom, bezit of beperkt recht is, met uitzondering van voorwerpen die in gebruik zijn bij een derde;

  • 3.

    het hebben van borden, masten, palen en dergelijke voorwerpen, aangebracht in verband met de verkiezingen voor publiekrechtelijke lichamen;

  • 4.

    het hebben van voorwerpen of werken, welke door of vanwege het rijk, de provincie of de gemeente uitsluitend voor de uitoefening van hun publiekrechtelijke taak zijn aangebracht of geplaatst;

  • 5.

    brievenbussen, openbare telefooncellen en niet tot reclame dienende aanwijzingen voor het publiek ten dienste van de posterijen en telefonie;

  • 6.

    het hebben van wegwijzers en verkeersaanwijzingen van de ANWB, de K.N.A.C. en van andere overeenkomsti¬ge instellingen;

  • 7.

    het hebben van buisleidingen, dienende voor de afvoer van water en rioolstoffen;

  • 8.

    het hebben van erkers, balkons, stoepen, pilasters, plinten, kozijndorpels, gevelversieringen, bloembakken, goten, regenpijpen, puilijsten, goot- of kroonlijsten, spionnen en dergelijke;

  • 9.

    het hebben van een zonnescherm of markies aan een, uitsluitend tot bewoning bestemd, perceel;

  • 10.

    het hebben van vlaggenstokken en vlaggen zonder reclame of handelsnaam;

  • 11.

    het hebben van een fietstegel, -blok, -standaard of -rek mits niet voorzien van reclameopschrift;

  • 12.

    het hebben van halteborden voor busondernemingen, mits hierop geen reclame wordt gevoerd;

  • 13.

    het hebben van openbare aankondigingen en voorwerpen betreffende tijdelijke activiteiten, met niet-commerciële doeleinden, van charitatieve instellingen;

  • 14.

    met toestemming (vergunning) van de gemeente geplaatste voorwerpen en aankondigingen in het kader van buurt gerelateerde niet-commerciële evenementen.

Artikel 5 Maatstaf van heffing en belastingtarief

De precariobelasting wordt geheven naar de maatstaven en tarieven opgenomen in de bij deze verordening behorende tarieventabel, met inachtneming van het overigens in deze verordening bepaalde.

Artikel 6 Berekening van de precariobelasting

  • 1.

    Onverminderd het bepaalde in artikel 9 wordt voor de berekening van de precariobelasting een gedeelte van een in de tarieventabel genoemde eenheid als een volle eenheid aangemerkt.

  • 2.

    Indien een tarief per oppervlakte is vastgesteld, wordt de precariobelasting berekend, naar de oppervlakte van de horizontale projectie van de voorwerpen, tenzij anders is bepaald.

  • 3.

    De oppervlakte van andere dan rechthoekige voorwerpen wordt gesteld op het product van de twee aangrenzende zijden van een om het voorwerp geplaatste denkbeeldige rechthoek.

  • 4.

    Indien de gemeente een vergunning heeft verleend voor het hebben van het voorwerp of de voorwerpen onder, op of boven voor de openbare dienst bestemde gemeentegrond, wordt voor de berekening van de precariobelasting aangesloten bij de geldigheidsduur van die vergunning, tenzij blijkt dat het belastbaar feit zich gedurende een kortere periode heeft voorgedaan. In dat geval bestaat aanspraak op ontheffing, waarbij het vijfde lid van overeenkomstige toepassing is.

  • 5.

    Indien in de tarieventabel voor een voorwerp tarieven voor verschillende tijdseenheden zijn opgenomen, wordt de precariobelasting berekend op de voor de belastingplichtige meest voordelige wijze.

  • 6.

    In afwijking van het bepaalde in artikel 1 wordt voor de berekening van de precariobelasting:

    • a.

      indien in de tarieventabel voor een voorwerp wel een weektarief, maar geen dagtarief is opgenomen, een gedeelte van een week gelijkgesteld met een week;

    • b.

      indien in de tarieventabel voor een voorwerp wel een maandtarief, maar geen dag- of weektarief is opgenomen, een gedeelte van een maand gelijkgesteld met een maand;

    • c.

      indien in de tarieventabel voor een voorwerp wel een jaartarief, maar geen dag- , week- of maandtarief is opgenomen, een gedeelte van een jaar gelijkgesteld met een jaar.

  • 7.

    Indien in de tarieventabel voor een voorwerp een dagtarief, weektarief of maandtarief is opgenomen en het belastingtijdvak een langere periode dan een dag, onderscheidenlijk een week of een maand omvat, gelden deze tarieven per dag, onderscheidenlijk week of maand van het belastingtijdvak.

Artikel 7 Belastingtijdvak

  • 1.

    In de gevallen waarin de gemeente een vergunning heeft verleend voor het hebben van het voorwerp of de voorwerpen onder, op of boven voor de openbare dienst bestemde gemeentegrond, is het belastingtijdvak de periode waarvoor de vergunning is verleend, met dien verstande dat bij een kalenderjaar overschrijdende geldigheidsduur van de vergunning het belastingtijdvak gelijk is aan het kalenderjaar.

  • 2.

    In andere dan de in het eerste lid bedoelde gevallen, is het belastingtijdvak de in het kalenderjaar gelegen aaneengesloten periode gedurende welke het belastbaar feit zich voordoet of heeft voorgedaan.

Artikel 8 Wijze van heffing

De precariobelasting wordt geheven bij wege van aanslag.

Artikel 9 Ontstaan van de belastingschuld en heffing naar tijdsgelang voor de naar jaartarieven geheven precariobelasting

  • 1.

    In de gevallen bedoeld in artikel 7, eerste lid, is de precariobelasting verschuldigd bij de aanvang van het belastingtijdvak of, zo dit later is, bij de aanvang van de belastingplicht.

  • 2.

    Indien de belastingplicht in de loop van het belastingtijdvak aanvangt is de naar jaartarieven geheven precariobelasting verschuldigd voor zoveel twaalfde gedeelten van de voor dat tijdvak verschuldigde belasting als er in dat tijdvak, na de aanvang van de belastingplicht, nog volle kalendermaanden overblijven.

  • 3.

    Indien de belastingplicht in de loop van het belastingtijdvak eindigt, bestaat aanspraak op ontheffing voor de naar jaartarieven geheven precariobelasting voor zoveel twaalfde gedeelten van de voor dat tijdvak verschuldigde precariobelasting als er in dat tijdvak, na het einde van de belastingplicht, nog volle kalendermaanden overblijven.

  • 4.

    Belastingaanslagen van € 5,-- of minder worden niet opgelegd. Voor de toepassing van de vorige volzin wordt het totaal van de op één aanslag verschuldigde bedragen voor belastingen of andere heffingen aangemerkt als één belastingaanslag.

Artikel 10 Ontstaan van de belastingschuld voor de niet in artikel 9 genoemde gevallen

Andere precariobelasting dan die bedoeld in artikel 9 is verschuldigd bij de aanvang van het belastbare feit, tenzij deze over een belastingtijdvak wordt geheven.

Artikel 11 Kwijtschelding

Bij de invordering van de precariobelasting wordt geen kwijtschelding verleend.

Artikel 12 Termijnen van betaling

  • 1.

    In afwijking van artikel 9, eerste lid, van de Invorderingswet 1990 moeten de aanslagen worden betaald uiterlijk op de laatste dag van de eerste maand volgend op de maand die in de dagtekening van het aanslagbiljet is vermeld.

  • 2.

    De Algemene termijnenwet is niet van toepassing op de in de voorgaande leden gestelde termijnen.

Artikel 13 Overgangsrecht

De ‘Verordening precariobelasting 2024’, van 13 december 2023 wordt ingetrokken met ingang van de in artikel 14, tweede lid, genoemde datum van ingang van de heffing, met dien verstande dat zij van toepassing blijft op de belastbare feiten die zich voor die datum hebben voorgedaan.

Artikel 14 Inwerkingtreding

  • 1.

    Deze verordening treedt in werking met ingang van de dag na die van de bekendmaking.

  • 2.

    De datum van ingang van de heffing is 1 januari 2025.

Artikel 15 Citeertitel

Deze verordening wordt aangehaald als 'Verordening precariobelasting 2025'.

Aldus besloten in de openbare vergadering van 11 december 2024.

De raad der gemeente voornoemd,

griffier

mr. drs. E.J. Karman-Moerman

voorzitter

mr. drs. P. Verhoeve

Tarieventabel behorende bij de Verordening precariobelasting 2025

 

1. Door bouwmaterialen, grond, keten, loodsen, bouwwerktuigen, stellingen en al wat verder bij bouwwerken nodig is ingenomen of door een schutting, hek of op andere wijze afgesloten grond:

1.01

voor de eerste 50m2: per m2

per dag

€ 0,40

tot maximaal per maand

€ 5,65

1.02

voor iedere m2 > 50m2: per m2

per dag

€ 0,15

tot maximaal per maand

€ 2,30

1.03

voor stutten, schoren of palen gedurende maximaal één week per stuk, per week

€ 1,25

1.04

voor stutten, schoren of palen langer dan één week per stuk, per maand

€ 1,60

 

 

 

2. Terrassen:

2.01

Banken, tafeltjes, stoelen, tochtschermen e.d. per maand:

2.01.01

aan de noordzijde van de Markt per m2

€ 8,15

2.01.02

binnen de singels, m.u.v. de noordzijde van de Markt per m2

€ 5,70

2.01.03

buiten de singels per m2

€ 4,95

 

 

 

3. Standplaatsen op gemeentegrond voor de verkoop van waren voor:

3.01

het innemen van een vaste standplaats voor één dag in de week per m2 per maand:

Ingeval het aantal dagen hoger is dan één, wordt het tarief vermenigvuldigd met dit aantal

€ 4,35

3.02

het innemen van een tijdelijke standplaats voor een maand of minder per m2 per dag

€ 1,30

3.03

het innemen van een standplaats voor de verkoop van kerstbomen per m2 per dag

€ 0,75

 

 

 

4. Het uitstallen van goederen:

4.01

per m2 per maand

€ 2,40

 

 

 

5. Plaatsen van voertuigen:

5.01

opleggers, aanhangwagens, containers (niet zijnde bouwmat.), handwagens e.d. per m2 per maand

€ 1,70

5.02

voor het hebben van een standplaats op een (overdekt) autobusstation aan het Stationsplein per standplaats per jaar

€ 223,20

5.03

voor het hebben van een standplaats voor een autobus of huurauto op een ander daartoe in het bijzonder ingericht parkeerterrein per m2 per jaar

€ 7,50

met een maximum per standplaats per jaar van

€ 75,05

5.04

voor het hebben van een reserve-standplaats voor een autobus op 1 dag per week per standplaats per jaar

€ 11,10

 

 

 

6. Installaties voor het al dan niet automatisch aftappen van motorbrandstoffen, olie, lucht of water:

6.01

aftappunten voor levering van motorbrandstof

per stuk / per jaar

€ 149,75

6.02

aftappunten voor levering van mengsmeringsbrandstof

per stuk / per jaar

€ 75,05

6.03

aftappunten voor water of lucht

per stuk / per jaar

€ 75,05

6.04

verplaatsbare aftappunten voor mengsmeringsbrandstof

per stuk / per jaar

€ 37,60

6.05

tanks, ingemeten naar de grootste horizontale doorsnede

per m2 / per jaar

€ 14,95

 

 

 

 

7. Buizen, draden, kabels en leidingen:

7.01

voor aftappunten zich niet bevindend in openbare grond, van waaruit levering op openbare grond geschiedt d.m.v. een draaiarm of een slang boven openbare grond

per m2 / per jaar

€ 5,20

7.02

voor de levering van motorbrandstof

per aftappunt / per jaar

€ 117,80

7.03

voor levering van mengsmeringsbrandstof, water of lucht

per aftappunt / per jaar

€ 59,75

7.04

voor het hebben van een in- en uitrit naar aftappunten voor levering van motorbrandstof, die zich niet op de openbare grond bevinden

per aftappunt / per jaar

€ 89,25

7.05

voor het hebben van een in- en uitrit naar aftappunten voor levering van mengsmeringsbrandstof, water of lucht

per aftappunt / per jaar

€ 45,00

 

 

 

 

8. Automaten, reclames e.d.:

8.01

automaten voor de verkoop van waren per stuk per jaar

€ 10,75

8.02

lichtbakken, uithangborden, neonreclames of enig ander tot reclame dienend voorwerp bevestigd aan een gebouw, per stuk per jaar

€ 28,30

8.03

Een tot reclame dienend voorwerp, anders dan bevestigd aan een gebouw, per stuk per jaar

€ 70,55

8.04

reclametegels van max. 30 x 30 cm per stuk per jaar

€ 37,60

8.05

spandoeken per stuk, voor maximaal twee weken, per week

€ 6,25

8.06

spandoeken per stuk, langer dan twee weken, per week, boven het tarief vermeld onder 8.05

€ 3,35

8.07

verwijzings- of aanduidingsborden, per 0,25m2 / bord, per jaar

€ 22,45

 

 

 

9. Voorwerpen in gemeentewater:

9.01

aanlegsteigers, remming- en/of geleidingswerken e.d., per m1, per jaar met een minimum van 4m1

€ 8,90

9.02

los- en/of laadplaatsen, met toebehoren, per m2, per jaar met een minimum van 4m2

€ 8,90

9.03

visbunnen, dukdalven, meerstoelen e.d., per stuk, per jaar

€ 45,00

9.04

bolders, meerpalen, beschermpalen e.d., per stuk, per jaar

€ 13,30

9.05

sleep- of scheepshellingen met toebehoren, per m2, per jaar

€ 45,00

9.06

bruggen of dammen, voor zover zij niet het enige verbindingsmiddel vormen met de openbare weg per meter breedte per jaar

€ 14,95

9.07

afsluiten van openbaar water door middel van een dam per strekkende meter, gemeten over de kruin, per week

€ 3,85

 

 

 

10. Het hebben van een luifel, uitbouw, overbouwing en dergelijke onderdelen van bouwwerken:

10.01

indien de oppervlakte overdekte grond of water niet meer bedraagt dan 20m2, per m2, per jaar

€ 19,05

10.02

voor elke m2 boven de 20 m2, per jaar

€ 9,90

 

 

 

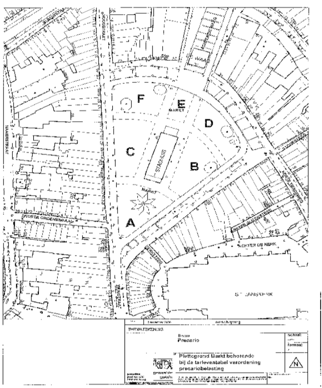
11. Het gebruik van de Markt:

11.01

Blok A, zoals aangegeven op de bij deze tarieventabel behorende plattegrond, per dag

€ 76,10

11.02

Blok B, zoals aangegeven op de bij deze tarieventabel behorende plattegrond, per dag

€ 100,90

11.03

Blok C, zoals aangegeven op de bij deze tarieventabel behorende plattegrond, per dag

€ 62,75

11.04

Blok D, zoals aangegeven op de bij deze tarieventabel behorende plattegrond, per dag

€ 76,10

11.05

Blok E, zoals aangegeven op de bij deze tarieventabel behorende plattegrond, per dag

€ 94,70

11.06

Blok F, zoals aangegeven op de bij deze tarieventabel behorende plattegrond, per dag

€ 88,90

 

 

 

12. Het overslaan van goederen:

12.01

zand, grind, stenen en andere massagoederen, per ton

€ 0,20

 

 

13. Een algemeen tarief voor:

13.01

hiervoor niet genoemde vormen van gebruik en/of het hebben van hiervoor niet genoemde voorwerpen:

per m1, m2 of m3 per dag

€ 0,35

tot maximaal per m1, m2 of m3 per maand

€ 5,65

 

 

Behorende bij raadsbesluit van 11 december 2024

 

Griffier

mr. drs. E.J. Karman-Moerman

 

Voorzitter

mr. drs. P. Verhoeve

Naar boven