Beeldkwaliteitsplan ontwikkeling erven Wagenweg

Burgemeester en wethouders van de gemeente Dijk en Waard maken bekend dat de gemeenteraad van de gemeente Dijk en Waard op 22 oktober 2024 het “Beeldkwaliteitsplan ontwikkeling erven Wagenweg” ongewijzigd heeft vastgesteld.

 

Doel beeldkwaliteitsplan

Het Recreatieschap wil binnen het deelgebied Diepsmeerpolder een tweetal nieuwe recreatie/zorg erven aan de Wagenweg ontwikkelen. Het beeldkwaliteitsplan dient als kader om marktpartijen uit te nodigen voor de ontwikkeling van de twee erven.

 

Inspraak

Het beeldkwaliteitsplan heeft vanaf 24 april 2024 gedurende zes weken ter inzage gelegen voor iedereen. Tijdens de inspraakperiode zijn er zienswijzen ingediend, maar deze hebben geen aanleiding gegeven om het beeldkwaliteitsplan aan te passen.

 

Terinzagelegging

Het vastgestelde beeldkwaliteitsplan ligt vanaf 5 november 2024 gedurende zes weken ter inzage bij de recepties van het gemeentehuis aan de Parelhof 1 in Heerhugowaard en De Binding aan de Bosgroet 2 in Zuid-Scharwoude. U kunt tijdens openingstijden het vastgestelde beeldkwaliteitsplan inzien. De openingstijden staan vermeld op de website van de gemeente: www.dijkenwaard.nl.

 

Beroep instellen

Op grond van artikel 8:3 Algemene wet bestuursrecht kan geen bezwaar en/of beroep worden ingesteld tegen het vaststellingsbesluit.

 

Heerhugowaard, 4 november 2024

 

Burgemeester en wethouders van Dijk en Waard

 

Inhoud

 

  • 1.

    Inleiding

  • 2.

    Visieschets Wagenweg: Ontwikkeling Diepsmeerpolder

  • 3.

    Leidraad Landschap en Cultuurhistorie

  • 4.

    Beeldkwaliteit

Bestaande situatie

 

 

1. Inleiding

Het Recreatieschap heeft in 2021 de Visie Recreatiegebieden Geestmerambacht 2030 vastgesteld. Dat plan vormt het hoofdkader voor de verdere ontwikkeling van het recreatie- en natuurgebied Geestmerambacht . Uitgangspunten hierin zijn bevordering van recreatiegebruik en natuur-beleving , verbeteren van biodiversiteit en een financieel gezonde toekomst. Aan de noordzijde van het Geestmerambacht ligt de Wagenweg, een recreatieve ontwikkelzone met gebied ‘Diepsmeerpolder’ met diverse voorzieningen voor sport en spel en ernaast een groot evenemententerrein ‘ Geestmerweide ’. De ontwikkelzone voorziet ook in een openbaar recreatief-ecologisch grid .

 

Het Recreatieschap wil binnen het deelgebied Diepsmeerpolder een tweetal nieuwe recreatie/ zorg erven aan de Wagenweg ontwikkelen. Voorliggend Beeldkwaliteitsplan dient als kader om marktpartijen uit te nodigen voor de ontwikkeling van de twee erven.

 

Visieschets Wagenweg

Voor het gebied Wagenweg is een Visieschets opgesteld (2022), als uitwerking van de Visie 2030. De Visieschets verbeeldt de samenhang in een vernieuwde landschappelijke inrichting met natuurzones, zichtbaar maken van cultuurhistorie, mogelijkheden voor meer routes en voor diverse recreatiedoelen. De kernwoorden daarbij zijn natuur en landschap, recreatief- natuurlijk grid, buitensport, toerisme, spelen, waterplezier, avontuur, festivals, nutstuinen, zorg en hernieuwbare energie (zoals op de Geestmerweide). Bij elke ontwikkeling wordt de biodiversiteit geborgd en verbeterd.

 

Geestmerweide wordt beter ingericht voor diverse evenementen, met inpassing van natuur- en waterdoelen. De Diepsmeerpolder, een voormalig meer dat als laagte in het landschap is te herkennen, heeft een bijzondere landschappelijke structuur. De contour van het voormalig meer wordt landschappelijk versterkt en er komen meer paden en routes in het gebied.

Diverse locaties ‘binnen’ het meer worden verder ontwikkeld op de thema’s recreatie, sport, spel, zorg en voeding. Ook is hier ruimte voor innovatieve en kunstzinnige uitingen voor windenergie, onderdeel van het evenemententerrein. In het volgende hoofdstuk wordt visieschets Wagenweg verder toegelicht.

 

Bij de ontwikkeling van de kavels langs de Wagenweg worden versterking van natuurwaarden en recreatieve projecten integraal opgepakt. Daarbij wordt vervangende of nieuwe bebouwing natuurinclusief ontworpen, zodat ook de gebouwen leiden tot een hogere natuurwaarde op die plek voor bijvoorbeeld flora, insecten, vleermuizen en vogels.

 

 

Werkkaart Uitvoeringsplan voor deze visieschets

 

Beeldkwaliteitsplan Wagenweg

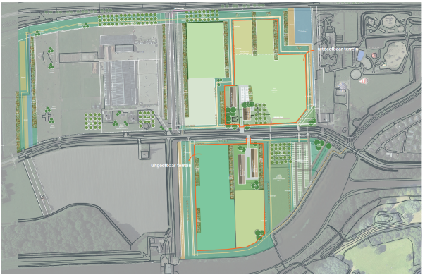
Het recreatieschap heeft de Visie 2030 en Visieschets Wagenweg verder verfijnd in voorliggend Beeldkwaliteitsplan Wagenweg (BKP). Het BKP dient als kwaliteitskader om marktpartijen uit te nodigen voor de ontwikkeling van twee erven: Wagenweg 6 (een zorgerf als toevoeging aan de bestaande pluktuin) en een tegenover gelegen nieuw erf voor een groepsaccommodatie. Het BKP is een beschrijving van de beoogde ontwikkeling en bevat belangrijke spelregels. In het BKP is ook een deel van de inrichting van de omliggende polder meegenomen, zoals erfafscheidingen, voorgestelde beplanting en visualisaties van de voorgestelde volumes. De uitgiftegrenzen zijn te zien op de kaart van pagina 12. Binnen de uitgiftegrens is de toekomstige pachter verplicht het landschapsplan te maken zoals voorgeschreven.

 

Ruimtelijke Onderbouwing na vaststellen Beeldkwaliteitsplan

De herinrichting van het gebied Wagenweg is voor een deel mogelijk binnen de regels van het geldende bestemmingsplan. Voor een aantal specifieke ontwikkelingen (waaronder de twee erven) is een aanvraag omgevingsvergunning nodig. Na vaststelling van het Beeldkwaliteitsplan zal daartoe een Ruimtelijke Onderbouwing worden opgesteld door de geselecteerde pachter.

 

Visieschets

 

2. Visieschets wagenweg: ontwikkeling diepsmeerpolder

2.1 Landschapsontwikkeling van het gebied

De Visieschets gaat voor de ontwikkeling van het gebied Wagenweg uit van de eigen identiteit en sfeer van de twee deelgebieden Diepsmeerpolder en Geestmerweide. Beide delen worden visueel gescheiden door een boomrijke doorlopende groene zone die de bestaande gebieden van het Natuurnetwerk Nederland (NNN) verbindt. In de groene zone komen boomweides die ook te gebruiken zijn voor kampeerders tijdens festivals. De groene zone wordt omzoomd met struweelranden. Door de zone heen is ruimte voor verbindingen voor diverse parcoursen.

2.2 Contouren voormalig meer

De Diepsmeer is net als het nabijgelegen Kleimeer een voormalig meer dat op een later moment is drooggelegd dan het omliggende gebied. De contouren van het voormalig meer zijn zichtbaar en worden bij de inrichting van het gebied verder landschappelijk versterkt. Ook het hoogteverschil naar de bijna een meter lager gelegen Diepsmeerpolder (waar de Wagenweg doorheen loopt) wordt meer benadrukt, samen met de verwijzing naar de bemaling van het voormalige meer door molens (molenrestanten zijn er nog). Aan de westzijde van het gebied houden we rekening met de historische West-Friese Omringdijk.

2.3 Struweelranden en natuuroevers

De huidige Diepsmeerpolder wordt gekenmerkt door graslanden. Deze wordt verder ontwikkeld tot een (bio)divers nutslandschap. Struweelranden, natuur -en rietoevers zorgen voor een kleinschaligere landschap zonder dat het polderzicht verloren gaat. Enkele watergangen worden vergraven en krijgen natuuroevers. De struweelranden worden beplant met bes-dragers en andere inheemse soorten, die je ook kan oogsten. De struweelranden delen het gebied in, zorgen voor een prettig recreatieomgeving, verhogen de biodiversiteit en worden ook gebruikte om de gebouwen beter in te passen.

2.4 Recreatief - natuurlijk grid

Tussen de bestaande en nieuwe erven en voorzieningen komen zones met openbare paden, als een recreatief-natuurlijk grid, om de openbaarheid van het gebied te waarborgen en om natuurlijke verbindingen mogelijk te maken. De breedte van de zones is tussen de 25 en 50 meter om optimaal ruimte voor natuur (natte verbindingen, natuurrijke oevers en struweelranden), verharde paden en struinpaden en verbindingsroutes voor parcoursen te borgen. De dooradering is bedoeld voor recreatieve routes als wandelen, MTB, paardrijden en obstacle-run. Deze routing dient in het vervolgtraject in nauwe samenwerking met alle belanghebbenden verder vormgegeven te worden. De routing staat aangegeven op de kaart van pagina 12. Het Recreatief - natuurlijk grid valt buiten de demarcatie van het uit te geven terrein en zal door het Recreatieschap zelf worden opgepakt.

2.5 Deeluitwerking voor Zorgerf Wagenweg 6 en Groepsaccommodatie-erf

Het recreatieschap stimuleert de aanleg van enkele boomgaarden en pluktuinen. Op Wagenweg 15 is een bestaande boomgaard en op Wagenweg 6 is deze enkele jaren geleden gestart als onderdeel van een kleinschalig en recreatief circulaire pluktuin. Wagenweg 6 kan daarbij verder uitgroeien tot zorgerf, als sociaal project om mensen, naastenzorg en voedselvoorziening te verbinden. Aan de westkant van de Wagenweg (Kanaaldijk) is een ontwikkeling gestart met een voedselbos. Tezamen zijn dit goede ontwikkelingen die passen in een divers recreatielandschap waarin ook aandacht is voor voedselvoorziening dichtbij en de mogelijkheid voor mensen om elkaar te ontmoeten en samen te werken.

 

Het plan is om in overleg met de gemeente een tweede erf in te richten aan de overzijde. Het plan is een groen erf op te richten met een boomgaard en daarin een groepsaccommodatie en kleinschalige werkruimten voor streekeigen ambachten. De accommodatie kan bijvoorbeeld dienen voor groepen voor educatieve en werkvakanties voor beheer boomgaarden, houtsingels, meerdaagse activiteiten bij de manege en helpen bij bepaalde zorgtaken e.d.

 

leidraad landschap en cultuurhistorie

 

3. Leidraad landschap en cultuurhistorie

3.1 Ontwikkeling inpassen in het landschap

Voor de ontwikkeling van de twee erven is de Provinciale Leidraad Landschap en Cultuurhistorie (2018) van belang. Voor het plangebied betreft het de beschrijvingen over het ‘Ensemble West-Friesland West’. Met de leidraad biedt de provincie een kader om ruimtelijke kwaliteit te borgen bij nieuwe ontwikkelingen in het landschap, zoals bebouwing. Het doel is behouden en versterken van de ruimtelijke kwaliteit van Noord-Hollandse landschappen en cultuurhistorie in de plannen te verwerken. In dit hoofdstuk worden de hoofdlijnen van de handreiking vertaald naar het plangebied.

3.2 Ontstaansgeschiedenis West-Friesland

West-Friesland is ontstaan uit grote hoeveelheden sediment (getijdebekken) met opslibbing van zand en klei uit zee. Vanaf de IJzertijd vernatte het gebied (veenontwikkeling). Rond Schagen en in het Geestmerambacht werden in de 8e of 9e eeuw veenontginningen gestart. Parellel aan bestaande veenrivieren werden in het veen sloten voor ontwatering gegraven. De meeste nederzettingen in de veengebieden kregen de vorm van langgerekte linten. De ontginning leidde tot bodemdalingen en door erosie ontstonden verschillende binnenmeren, zoals de Heerhugowaard (moerasgebied), het Diepsmeer en het Daalmeer. Vanaf de 11e eeuw begon men met de aanleg van dijken om de veenontginningen tegen zee-inbraken te beschermen. Vanaf tweede helft 13e eeuw vormden de verschillende dijken één geheel: de Westfriese Omringdijk.

 

Het Geestmerambacht is in de loop van de eeuwen door maaivelddaling, stijging van de zeespiegel en het voortdurend uitbaggeren van de sloten verworden tot een gebied met veel water en maar weinig land, waarbij de percelen werden ontsloten via het water. De omgeving van de Langedijk werd daarom wel ‘Het Rijk der Duizend Eilanden’ genoemd. Na de ruilverkaveling van de jaren ‘60 en ‘70 veranderde het landschap drastisch met een drooggelegd rationeel verkavelings- en wegenpatroon en een nieuw aangelegd recreatiegebied Geestmerambacht. Waterlopen werden rechtgetrokken of verdwenen, kleinere kavels werden samengevoegd en herverdeeld en landschapselementen (bijvoorbeeld beplanting) verdwenen.

 

 

Kaart uit leidraad, mozaiëkachtig landschap bron: Leidraad Landschap en cultuurhistorie provincie Noord-Holland

 

 

Kaart 1900 met zeer herkenbaar in het landschap de diepsmeerpolder bron: Topotijdreis

 

 

Kaart AHN met NAP hoogten bron: Actueel Hoogtebestand Nederland

3.3 Kernwaarden in het ensemble

Het Ensemble WestFriesland West is beschreven aan de hand van drie provinciale kernwaarden:

 

Landschappelijke karakteristieken

  • Rond Warmenhuizen, Tuitjenhorn en Geestmerambacht heeft de ingrijpende ruilverkaveling geleid tot een droger en grootschaliger landschap met linten, verspreid liggende bebouwing en slechts hier en daar beplanting.

  • In het gebied liggen enkele kleinere droogmakerijen, maar die zijn nauwelijks herkenbaar in het landschap.

  • De historische lintstructuren zijn gesitueerd op oude dijken (Langedijk) en op de strandwallen (Oudorp en Sint Pancras).

  • Bijzonder is het deels behouden historische waterlandschap bij Broek op Langedijk (Oosterdel, ‘Het rijk der duizend eilanden’).

Openheid en ruimtebeleving

  • De gebieden ten (zuid)oosten van Schagen en (in mindere mate) de gebieden aan de westzijde van het ensemble zijn vrij open landschappen.

  • De kleinere droogmakerijen hebben geen hoge ringdijk en doen mee in het halfopen landschap.

  • Verspreid door West-Friesland West staan verschillende molens als markante objecten in het landschap. Ze herinneren aan het proces van land maken en droog houden.

Ruimtelijke dragers specifiek voor de Diepsmeerpolder

  • Ontginningsstructuren, vaarten en dijkwegen zijn de belangrijkste lokale structuurlijnen.

  • Het Noordhollandsch Kanaal, de sloten en de tochten zijn herkenbare lijnen in het landschap.

Vertaling ontstaansgeschiedenis en kernwaarden naar het Beeldkwaliteitsplan Wagenweg

  • De ligging van het plangebied binnen het lagergelegen voormalig Diepsmeer (oud landschapskenmerk) is een richtinggevend kader. Dit is een van de leidende principes voor de landschapsinrichting opgenomen in de Visieschets Wagenweg 2022.

3.4 Dynamiek

In kort bestek zijn de volgende ontwikkelingen van invloed op het Westfriese landschap:

  • Verstedelijking HAL-gebied (Heerhugowaard, Alkmaar-Noord en Langedijk) en Schagen.

  • Ontwikkeling gebied rond Warmenhuizen/Tuitjenhorn als zaadveredelingsconcentratiegebieden.

  • Energietransitie (zonneakkers, zoekgebieden windturbines).

  • Toename recreatie en toerisme (meer recreatieve functies en langzaam verkeerroutes).

Delen van het ensemble zijn beleidsmatig beschermd: Natuurnetwerk Nederland (NNN), ecologische verbindingszones en aardkundig waardevolle gebieden. Daarbij is geheel West- Friesland archeologisch waardevol gebied.

 

Vertaling dynamiek naar het Beeldkwaliteitsplan Wagenweg

  • Het BKP Wagenweg geeft kaders zodat de toe te voegen bebouwing in het landschap past binnen de in 3.3 genoemde kernwaarden.

  •  Met landschapselementen worden de randbeplantingen van de erven verbonden aan het NNN.

3.5 Ambities en ontwikkelprincipes

Het doel is dat nieuwe ruimtelijke ontwikkelingen zorgvuldig worden ingepast en zich voegen in het bestaande landschap (ruimtelijke kwaliteit). In de Leidraad is daarbij de ambitie dat ruimtelijke ontwikkelingen bijdragen aan het zichtbaar en herkenbaar houden van de landschappelijke karakteristiek, bijdragen aan het versterken van (de beleving van) openheid en helder positioneren ten opzichte van de ruimtelijke dragers. Dit is in de Leidraad toegelicht met (vier) ontwikkelprincipes:

  • 1.

    Het Westfriese landschap is aantrekkelijk en gevarieerd. Het zit vol bijzondere cultuurhistorische elementen en structuren.

  • 2.

    Ontwikkelprincipes voor zaadveredelingsgebied rond Warmenhuizen en Tuitjenhorn

Vertaling Ambities en ontwikkelprincipes naar het Beeldkwaliteitsplan Wagenweg

  •  In het BKP Wagenweg wordt rekening gehouden met de ligging in een kleine droogmakerij (reliëfverschillen Diepsmeer), zoals aangegeven in de Visieschets Wagenweg 2022.

  •  Tevens wordt rekening gehouden met de

    • zichten langs de erven naar het landschap,

    • als massa niet concurrerend met nabijgelegen Koedijk als historische structuur (lintbebouwing),

    • ligging aan smalle wegen en nabij waterstructuren.

  •  Versterken landschappelijke structuren door natuurontwikkeling en het toevoegen van recreatieve routes (ecologisch-natuurlijk grid).

3.6 Overige ontwikkelprincipes:

  • behouden en het zichtbaar/beleefbaar blijven van de huidige verkavelingsstructuur en sloten bij (semi-)tijdelijke functies. Zorg voor een ruime landschappelijke begrenzing van het terrein, die aansluit op het bestaande omringende landschap. Streef ernaar dat de opstelling kwaliteit toevoegt aan het bestaande landschap.

Vertaling overige ontwikkelprincipes naar het Beeldkwaliteitsplan Wagenweg

  • In het plangebied zijn diverse (seizoensgebonden) parkeergelegenheden. Deze worden mee-ontworpen en deels omsloten door hagen. De erven worden rondom op ruime afstand begrensd met combinaties van erfbeplanting, hagen en struweelranden (geen hekken).

 

landschappelijk raamwerk

 

4. Beeldkwaliteit

De stedenbouwkundige opzet van de Visieschets Wagenweg is het vertrekpunt voor dit beeldkwaliteitplan . Het is een samenvloeiing van een landschapsplan en bouwvolumes. Het betreft een eigentijds erf langs de Wagenweg binnen de Diepsmeerpolder. Alle erven langs de Wagenweg kennen een recente bouwgeschiedenis en verschillen in korrelgrootte. Er is hier geen sprake van traditionele polder of droogmakerij erven. Het doet ook geen recht aan de geschiedenis om hier historiserend te werken. Het nieuwe zorgerf kan een eigentijdse invulling krijgen, met volumes die in maat, schaal, verschijningsvorm en materiaalkeuze passend zijn in het landschap. Ze vormen een nieuwe laag in het landschap van Geestmerambacht en de Diepsmeerpolder.

 

Voor het landschapsplan langs de Wagenweg, willen we graag de herkenbare ruimtelijke structuur van de Diepsmeerpolder laten zien. Voor de erven aan de Wagenweg geldt dat de bestaande dijk ruimtelijke afkadering hiervan is. Verderop aan de Wagenweg maken we een bosrand om het contrast van de polder te vergroten. De erven passen in de maat en schaal van de bestaande erven aan de Wagenweg. Tussen de erven is er ruimte voor landschappelijke doorzichten. Het openbare recreatief-natuurlijk grid ligt op de polderverkavelingsrichting en zorgen ervoor dat de landschappelijke structuren worden versterkt.

 

Onderstaande eisen voor beeldkwaliteit dienen door de intiatiefnemers verder te worden uitgewerkt in de plannen binnen de oranje demarcatie grens kaart pagina 12. Het betreft achtereenvolgens het landschappelijk raamwerk, beeldkwaliteitseisen aan erf, rooilijnen en afstanden, bouwmassa, materialisatie en kleurgebruik, natuurinclusiviteit, energieneutraliteit en water. Als laatste staan er een aantal thematische referentiebeelden die de gewenste beeldkwaliteit ondersteunen.

4.1 Landschappelijk raamwerk

  • Landschappelijk raamwerk wordt uitgevoerd en betaald door intiatiefnemer volgens de geleverde kavelschetsen en beplantingslijsten aangeleverd door het Recreatieschap.

  • De struweelranden zijn een nieuwe laag in het landschap ze zorgen voor beschutting en kaderen de zichten naar het landschap in. Ze zijn zo gepostioneerd dat er zicht blijft op de randen van de Diepsmeerpolder. De struweelranden zijn 10m breed en maximaal 5m hoog met inheemse soorten die ook geschikt zijn voor consumptie.

  • Het erf waar de volumes komen, wordt aan de zijkanten afgeschermd door een 10m brede windsingel (tot 15m hoog) met allerlei inheemse soorten die ook eetbaar zijn.

  • De erven worden aangekleed met een boomweide/boomgaarden van walnotenbomen. De boomgaard bij de Pluktuin is bestaand en moet worden behouden (wanneer die niet gewenst is vanwege de vruchten mag afgeweken worden naar populus canescens als vervanging).

  • De randbeplantingen van de erven vormen landschapselementen als onderdeel van het omliggende ecologische netwerk in het recreatiegebied. Erfafscheidingen bij het erf bestaan uit hagen of transparante lage landhekken rondom de akkers. Ook de hagen rondom het erf worden beplant met deze verschillende inheemse soorten. De uitzondering betreft het bestaande hekwerk rondom Pluktuin het Geesje.

  • Aan de voorzijde van het erf bij de ‘voortuin’ staan (bestaande) solitaire inheemse bomen.

  • De tuinen aan de voorzijde bij de gebouwen hebben een eigen aantrekkelijke karaktervolle woonsfeer; een landelijk en ‘tuinig’ woonerf.

  • Er wordt aangesloten op de bestaande of geplande openbare routes langs het erf. Het openbare recreatief-natuurlijk grid wordt aangelegd door het recreatieschap.

4.2 Beeldkwaliteitseisen erf

  • De nieuwe erven hebben langgerekte volumes met een kapvorm die refereren aan schuren. De voorzijden zijn uitnodigend ontworpen. De gebouwen staan gezamenlijk rondom het erf worden ook vanuit daar ontsloten. Orientatie van de voorgevel is op de weg.

  • Uitgangspunt is zo minimaal mogelijk oppervlak aan verharding. Voor de overige verharding geldt een sobere uitstraling passend bij het erf, bijvoorbeeld bestaande uit halfverharding of wanneer de intensiteit te hoog is uit grasstenen of klinkers.

  • Autoparkeren is geregeld op de centrale parkeerplaats aangelegd en beheerd door het Recreatieschap. De op het erf gelegen parkeerplekken (bijv. voor mindervaliden, cliënten, leveranciers) liggen achter de voorgevelrooijlijn van het eerste volume en worden uit het zicht gehouden en omkaderd door een haag bestaande uit verschillende inheemse soorten zoals veldesdoorn, beuk, liguster, hondsroos, meidoorn en sleedoorn.

 

impressie landschapsplan met toekomstige volumes

 

 

  • Fietsparkeren is gecentreerd en uit het zicht door middel van een haag of achter de bebouwing en bestaat uit houten landhekken van geschaafd FSC gekeurd hout (zie de huisstijl van het recreatieschap).

  • De buitenruimte stimuleert bewoners om samen groen te onderhouden.

  • Gras bestaat zoveel mogelijk uit kruidenrijk grasland met uitzondering van de wandelpaden, deze bestaan uit gemaaid gras.

  • De bewegwijzering en informatievoorziening is terughoudend en sluit aan bij de huisstijl van het recreatieschap en wordt in overleg met het recreatieschap geplaatst.

4.2 Rooilijnen en afstanden

  • De rooilijnen en maten staan vast in de bijgevoegde twee kavelschetsen.

  • De rooilijn van beiden gebouwen zijn bepaald. De gebouwen vormen een ensemble en liggen rondom het centrale erf.

4.3 Bouwmassa, hoogte en kap (vorm en richting)

  • De bebouwing bestaat per kavel uit twee volumes met een kap die refereren aan schuren.

  • De gebouwen krijgen een smalle langgerekte vorm. De hoogte van de bebouwing blijft beperkt tot een goothoogte van max 4,5 meter en bouwhoogte van max 11 meter met een maximale lengte van 60m. Daarmee verhouden de gebouwen zich qua maat en schaal tot de open beleving van landschap en laagte van het voormalig Diepsmeer.

  • De gebouwen staan in lijn met de verkavelingsrichting, haaks op de weg, en op korte afstand van de smalle ontsluitingsweg (Wagenweg). De verkeersbewegingen tussen terrein en weg blijven daardoor geconcentreerd.

  • De gebouwen hebben een evenwichtige gevelopbouw en zijn samenhangend vormgegeven en vormen een ensemble.

  • Functioneel programma geheel verwerkt in de aangegeven volumes. In deze schuren bevindt zich het totale programma, zoals bedrijfswoning, bergingen etc.

  • Er komen zo min mogelijk bijgebouwen, gestreefd wordt naar het opnemen van bijgebouwen/bergingen in de volumes. Wanneer dit niet anders kan worden deze in eenheid met het gehele ensemble ontworpen.

  • Op de kopse kanten en aan de landschapszijde mogen de gevels meer open gewerkt zijn en zijn het voorkanten.

  • De bouwvolumes bestaan uit strakke en ruime vormen. Toegevoegde elementen (zoals dakkapellen) zijn zo vormgegeven als ondergeschikt element aan het dakvlak en integraal onderdeel van de architectuur.

 

impressie zorgerf met toekomstige volumes

 

 

impressie zorgerf met toekomstige volumes

 

4.4 Materialisatie en kleurgebruik

De samenhang tussen de verschillende volumes wordt voor een belangrijk deel gewaarborgd door het consequent toepassen van hout als hoofdmateriaal voor de buitenkant van de gevels. Andere uitgangspunten zijn:

  • circulair materiaalgebruik.

  • Toe te passen gevelmateriaal moet mooi verouderen.

  • Ingetogen en natuurlijke uitstraling naar het landelijke gebied.

  • Houtbouw op stenen onderlaag / borstwering maximaal 1m hoog.

  • Eenduidig en ingetogen kleurgebruik, met uitzondering van entrees.

  • Dakbedekkingsmaterialen bestaan uit keramiek, hout of metaal, met uitsluiting van betonpannen en doet mee in de omgeving.

4.5 Natuur-inclusiviteit

Door middel van hieronder genoemde ecologische maatregelen draagt de nieuwbouw bij aan biodiversiteit en natuurwaarden.

  • In het traject van vergunningaanvraag en bij aanvang wordt er een ecologische quickscan gedaan naar de biodiversiteit. Dit wordt na de bouw ook weer gedaan.

  • Randvoorwaarde is dat er wordt ruimte geboden voor nestelgelegenheid aan tenminste 4 vogelsoorten. Een uilenkast, 10 mussenkasten, 10 gierzwaluwkasten en 10 vleermuizenkasten worden geplaatst op advies van een erkend ecoloog en zijn geintegreerd in de architectuur.

  • Er wordt alleen gewerkt met inheemse beplanting dit is goed voor de biodiversiteit.

  • Er wordt schuilgelegenheid gecreëerd voor egels.

  • Er worden ook maatregelen genomen rondom het erf zoals het maken van akkertjes met valgraan en akkerbloemen.

4.6 Energieneutraliteit & Water

  • Afstemming met netbeheerder inclusief energie-toets is verreist.

  • Opwekking groene stroom op daken in heldere grote vlakken/vlakverdeling.

  • Zonnepanelen en alle installaties zijn opgenomen in het ontwerp en architectuur.

  • Zonnepanelen en buitenunits vormen integraal onderdeel van het ontwerp.

  • Hoge isolatiewaarden wanden en glas.

  • Water op de daken en verharding wordt opgevangen en gebruikt als grijswater

  • voor bijvoorbeeld doorspoelen wc’s of bewatering van de gewassen.

  • Verhard oppervlak wordt gecompenseerd door aanleg van open water ten eerste aan de noordoostzijde van de Diepsmeerpolder of ten tweede aan de westzijde van Manege Beukers door intiaftiefnemer zie landschapsplan pagina 12.

 

impressie groepsaccomodatie erf met toekomstige volumes

 

 

impressie groepsaccomodatie erf met toekomstige volumes

 

referentiebeelden architectuur thematisch

 

Naar boven