Gemeente Amstelveen - publicatie met betrekking tot een koopovereenkomst voor grond inzake de realisatie van een transformatorstation.
Zaaknummer: Z24-089900
Aanleiding
De gemeente Amstelveen (gemeente) en Liander N.V. (Netbeheerder elektra) zijn voornemens een koopovereenkomst tot stand te laten komen inzake de uitbreiding van het elektriciteitsnetwerk. Liander zal op de hieronder aangegeven locaties transformatorstations realiseren.
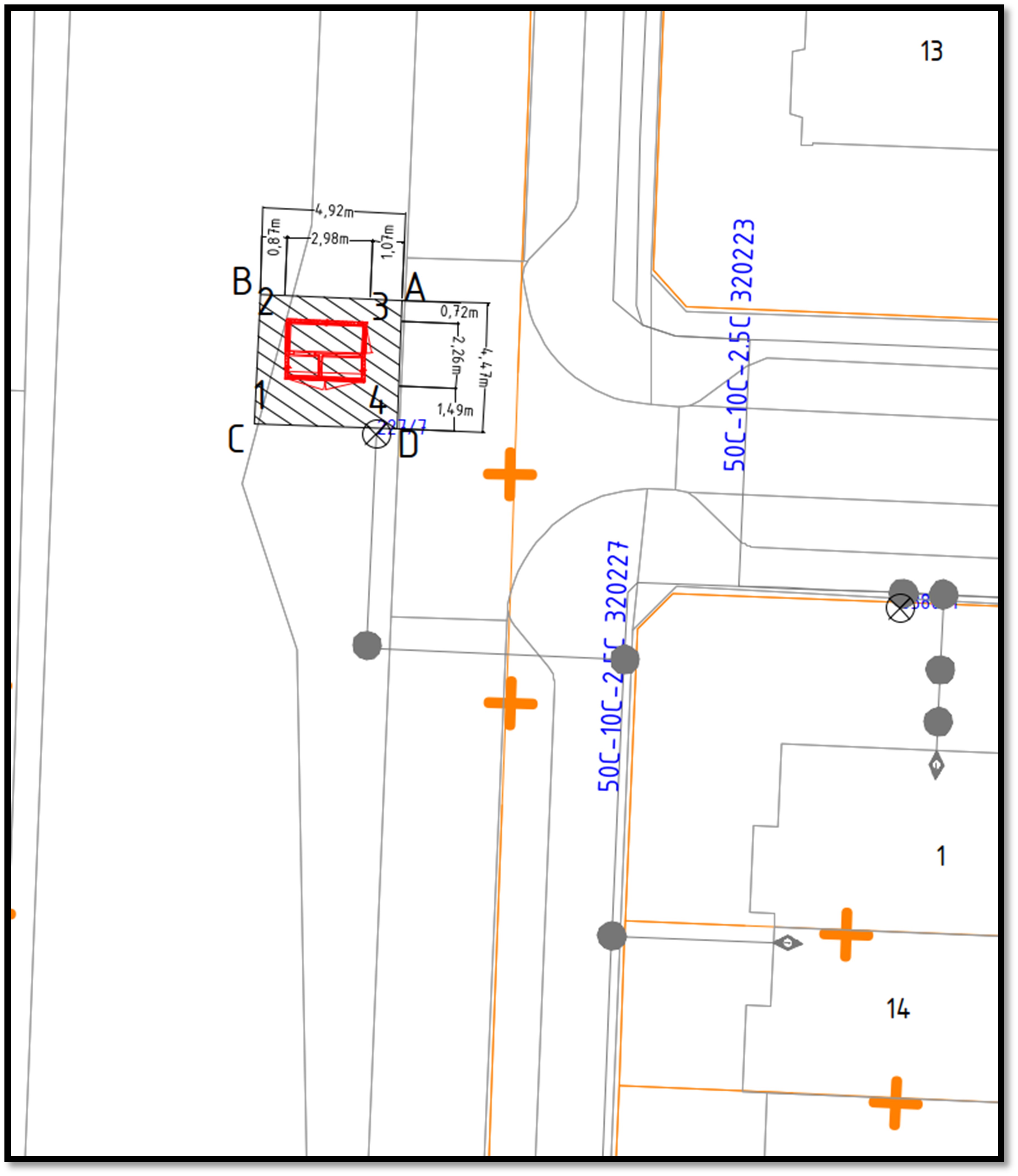
Locatie
De gemeente zal één perceeldeel aan Liander N.V. overdragen, dit perceel is plaatselijk bekend als:
•
Gemeente Amstelveen, Sectie H, nummer 5116 (gedeeltelijk), voetstoot groot 22 m2;
Motivering
De gemeente dient bij uitgifte van haar eigendommen zich te houden aan de procedurele regels die door de Hoge Raad in het Didam-arrest zijn vastgesteld en een (openbare) selectieprocedure te doorlopen om alle (potentiële) kandidaten op een gelijke wijze mee te laten dingen. De Hoge Raad heeft een uitzondering gemaakt op de vastgestelde regels en aangegeven dat de selectieprocedure achterwege kan blijven als bij voorbaat vaststaat of redelijkerwijs mag worden aangenomen dat op grond van objectieve, toetsbare en redelijke criteria slechts één serieuze gegadigde in aanmerking komt voor uitgifte van de grond.
De koopovereenkomst waarin voornoemde perceeldelen aan Liander N.V. worden verkocht behoort tot deze uitzondering, dit is gebaseerd op de hiernavolgende argumentatie:
1.
de gemeente zelden tot geen snippergronden en reststroken verkoopt vanwege de toenemende druk op de openbare ruimte door o.a. klimaatadaptatie en energietransitie;
2.
de gemeente in de regel alleen nog bereidwillig is gronden te verkopen indien de verkoop het algemeen belang dient;
3.
de gemeente door mogelijke overbelasting van het elektriciteitsnet in Amstelveen genoodzaakt is de grond te verkopen aan een netbeheerder elektra;
4.
de gemeente een samenwerking is aangegaan met de netbeheerder Liander om overbelasting van het elektriciteitsnet te voorkomen;
5.
Liander op locatie transformatorstations zal realiseren om het elektriciteitsnet te versterken;
6.
Liander alleen transformatorstations realiseert op gronden in eigendom van Liander;
7.
de gemeente om voornoemde argumentatie géén andere gegadigden voor deze specifieke koop kan benoemen;
Op basis van het voorstaande is de gemeente van mening dat op grond van objectieve, toetsbare en redelijke criteria Liander N.V. de enige serieuze kandidaat is die in aanmerking komt om de perceeldelen in eigendom te verwerven.
Reactietermijn
Als u van mening bent dat u zelf als gegadigde in aanmerking komt voor uitgifte van één van deze locaties, dan dient u binnen 3 weken na publicatiedatum van deze kennisgeving een kort geding aanhangig te maken bij de rechtbank Amsterdam, derhalve tot en met 1 oktober 2024. Als u een kortgeding aanhangig gaat maken, dan verzoeken wij u de gemeente hiervan op de hoogte te stellen en een kopie van de dagvaarding per e-mail te sturen aan: vastgoed@amstelveen.nl.
Met deze publicatie geeft de gemeente Amstelveen uitvoering aan het arrest van de Hoge Raad d.d. 26 november 2021 (ECLI:NL:HR: 2021:1778).
De hier aangeboden pdf-bestanden van het Staatsblad, Staatscourant, Tractatenblad, provinciaal blad, gemeenteblad, waterschapsblad en blad gemeenschappelijke regeling vormen de formele bekendmakingen in de zin van de Bekendmakingswet en de Rijkswet goedkeuring en bekendmaking verdragen voor zover ze na 1 juli 2009 zijn uitgegeven. Voor pdf-publicaties van vóór deze datum geldt dat alleen de in papieren vorm uitgegeven bladen formele status hebben; de hier aangeboden elektronische versies daarvan worden bij wijze van service aangeboden.