Gemeente Aalsmeer - publicatie met betrekking tot een koopovereenkomst voor grond inzake de realisatie van een transformatorstation.

 

Zaaknummer: Z24-095552

Aanleiding

De gemeente Aalsmeer (gemeente) en Liander N.V. (Netbeheerder elektra) zijn voornemens een koopovereenkomst tot stand te laten komen inzake de uitbreiding van het elektriciteitsnetwerk. Liander zal op de hieronder aangegeven locaties transformatorstations realiseren.

 

Locatie

De gemeente zal één perceeldeel aan Liander N.V. overdragen, dit perceel is plaatselijk bekend als:

 

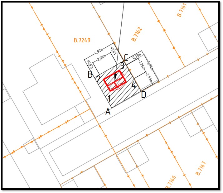
  • Perceeldeel 1 Gemeente Aalsmeer, Sectie B, nummer 7249 (gedeeltelijk), nabij Citroenvlinderstraat 59, voetstoot groot 25 m2.

  •  

  • Perceeldeel 2 Gemeente Aalsmeer, Sectie B, nummer 8879 (gedeeltelijk), nabij L. A. Braakstraat 16, voetstoot groot 37 m2.

 

Motivering

De gemeente dient bij uitgifte van haar eigendommen zich te houden aan de procedurele regels die door de Hoge Raad in het Didam-arrest zijn vastgesteld en een (openbare) selectieprocedure te doorlopen om alle (potentiële) kandidaten op een gelijke wijze mee te laten dingen. De Hoge Raad heeft een uitzondering gemaakt op de vastgestelde regels en aangegeven dat de selectieprocedure achterwege kan blijven als bij voorbaat vaststaat of redelijkerwijs mag worden aangenomen dat op grond van objectieve, toetsbare en redelijke criteria slechts één serieuze gegadigde in aanmerking komt voor uitgifte van de grond.

De koopovereenkomst waarin voornoemde perceeldelen aan Liander N.V. worden verkocht behoort tot deze uitzondering, dit is gebaseerd op de hiernavolgende argumentatie:

  • 1.

    de gemeente zelden tot geen snippergronden en reststroken verkoopt vanwege de toenemende druk op de openbare ruimte door o.a. klimaatadaptatie en energietransitie;

  • 2.

    de gemeente in de regel alleen nog bereidwillig is gronden te verkopen indien de verkoop het algemeen belang dient;

  • 3.

    de gemeente door mogelijke overbelasting van het elektriciteitsnet in Aalsmeer genoodzaakt is de grond te verkopen aan een netbeheerder elektra;

  • 4.

    de gemeente een samenwerking is aangegaan met de netbeheerder Liander om overbelasting van het elektriciteitsnet te voorkomen;

  • 5.

    Liander op locatie transformatorstations zal realiseren om het elektriciteitsnet te versterken;

  • 6.

    Liander alleen transformatorstations realiseert op gronden in eigendom van Liander;

  • 7.

    de gemeente om voornoemde argumentatie géén andere gegadigden voor deze specifieke koop kan benoemen;

 

Op basis van het voorstaande is de gemeente van mening dat op grond van objectieve, toetsbare en redelijke criteria Liander N.V. de enige serieuze kandidaat is die in aanmerking komt om dit perceeldeel in eigendom te verwerven.

Reactietermijn

Als u van mening bent dat u zelf als gegadigde in aanmerking komt voor uitgifte van dit perceeldeel, dan dient u binnen 3 weken na publicatiedatum van deze kennisgeving een kort geding aanhangig te maken bij de rechtbank Amsterdam, derhalve tot en met 26 september 2024. Als u een kortgeding aanhangig gaat maken, dan verzoeken wij u de gemeente hiervan op de hoogte te stellen en een kopie van de dagvaarding per e-mail te sturen aan: vastgoed@amstelveen.nl.

 

Met deze publicatie geeft de gemeente Aalsmeer uitvoering aan het arrest van de Hoge Raad d.d. 26 november 2021 (ECLI:NL:HR: 2021:1778).

Amstelveen, 3 september 2024.

 

 

Afbeelding:

  • 1.

    Uitgiftetekening grond nabij Citroenvlinderstraat 59

  • 2.

    Uitgiftetekening grond nabij L.A. Braakstraat 16

 

afbeelding 1 Uitgiftetekening grond nabij Citroenvlinderstraat 59

 

 

 

 

 

 

 

 

 

 

 

 

 

 

 

 

 

 

 

 

 

 

 

 

 

 

 

 

 

 

 

 

 

 

 

 

 

 

 

afbeelding 2 – Uitgiftetekening grond nabij L.A. Braakstraat 16

Naar boven