Gemeenteblad van Voorschoten
| Datum publicatie | Organisatie | Jaargang en nummer | Rubriek |
|---|---|---|---|
| Voorschoten | Gemeenteblad 2024, 297716 | verkeersbesluit of -mededeling |
Zoals vergunningen, bouwplannen en lokale regelgeving.
Adressen en contactpersonen van overheidsorganisaties.
U bent hier:
| Datum publicatie | Organisatie | Jaargang en nummer | Rubriek |
|---|---|---|---|
| Voorschoten | Gemeenteblad 2024, 297716 | verkeersbesluit of -mededeling |
Verkeersbesluit diverse verkeersmaatregelen Griffioenlaan en aantakkende wegen te Voorschoten
Het college van burgemeester en wethouders van Voorschoten:
de bepalingen in de Wegenverkeerswet 1994 (WVW), het reglement Verkeersregels en Verkeerstekens 1990 (RVV), het Besluit administratieve bepalingen inzake het wegverkeer (BABW) en de Algemene wet Bestuursrecht (Awb);
• artikel 15, eerste lid, van de WVW 1994; een verkeersbesluit moet worden genomen voor de plaatsing of verwijdering van de in artikel 12 van het BABW genoemde verkeerstekens, alsmede voor onderborden voor zover daardoor een gebod of verbod ontstaat of wordt gewijzigd;
• artikel 15, tweede lid, van de WVW 1994; een verkeersbesluit moet worden genomen voor maatregelen op of aan de weg tot wijziging van de inrichting van de weg of het aanbrengen of verwijderen van voorzieningen ter regeling van het verkeer, indien de maatregelen leiden tot een beperking of uitbreiding van het aantal categorieën weggebruikers dat van een weg of weggedeelte gebruik kan maken;
• artikel 2 van de WVW 1994 voor wat betreft het waarborgen van de bruikbaarheid van de weg, het verzekeren van de veiligheid op de weg, het beschermen van weggebruikers en passagiers, het zoveel mogelijk waarborgen van de vrijheid van het verkeer, het gewenst is om de genoemde maatregelen onder ‘besluiten’ in te stellen of op te heffen;
• het verzekeren van de veiligheid op de weg;
• het beschermen van de weggebruikers en passagiers;
• het in stand houden van de weg en het waarborgen van de bruikbaarheid daarvan;
ten behoeve van de aanleg van de Griffioenlaan tussen de Trompweg en de gemeentegrens met Leiden verkeersmaatregelen ter geleiding van het verkeer te nemen, alsmede verkeersmaatregelen te nemen op de nieuw aangelegde zijwegen van de Griffioenlaan;
- de Griffioenlaan, Waddingerhoorn, Burgemeester Staatsenlaan, Smitslust en Waddingervliet gelegen zijn binnen de bebouwde kom van Voorschoten;
- de Griffioenlaan, Waddingerhoorn, Burgemeester Staatsenlaan, Smitslust en Waddingervliet in beheer zijn bij de gemeente Voorschoten, waarbij enkele parkeerplaatsen en de aanliggende rijbanen eigen / mandelig terrein zijn;
- de Griffioenlaan, Waddingerhoorn, Burgemeester Staatsenlaan, Smitslust en Waddingervliet wegen zijn als bedoeld in artikel 18, lid 1 onder d van de WVW 1994;
- in de gemeente Voorschoten nieuwbouwwoningen worden gerealiseerd op de voormalige Intratuinlocatie;
- in de gemeenteraadsvergadering van 23 maart 2021 is ingestemd met de bestemmingsplanwijziging ‘Korte Vliet – Leidseweg noord deel noord’ om woningbouwontwikkeling op de voormalige Intratuingebied te kunnen realiseren;
- tevens het verleggen van de gebiedsontsluitingsweg naar de nieuwe woningbouwontwikkeling hierin is geregeld op Voorschotens grondgebied;
- het woningbouwproject ‘Het Fortuyn van Voorschoten’ momenteel in uitvoering is;
- de gemeente Voorschoten eerder al het besluit heeft genomen om de bestaande Leidseweg tussen de Trompweg en de gemeentegrens met Leiden af te sluiten voor doorgaand gemotoriseerd verkeer en een nieuwe ontsluitingsroute aan te leggen over het voormalige Intratuingebied;
- de gemeente Voorschoten aan Leiden medewerking heeft gevraagd voor een nieuwe aansluiting op Leids grondgebied (bij de Vinkweg);
- de gemeenten Leiden en Voorschoten in september 2021 een intentieovereenkomst hebben getekend over de herinrichting van de kruising Groote Vink en de wijziging van de ontsluitingsweg tussen Leiden en Voorschoten via de woningbouwlocatie ‘Fortuyn van Voorschoten’ in de gemeente Voorschoten;
- voor de nieuw aan te leggen wegen straatnamen zijn vastgesteld en deze wegen zijn gecategoriseerd;
- het college op 28 november 2023 heeft besloten de toekomstige doorgaande weg, tussen de Trompweg en gemeente Leiden met de naam “Burgemeester Bouvy-Koenelaan” te hernoemen naar Griffioenlaan;
- de Waddingerhoorn, Burgemeester Staatsenlaan, Smitslust en Waddingervliet als een erftoegangsweg zijn gecategoriseerd;
- de Griffioenlaan als een gebiedsontsluitingsweg is gecategoriseerd;
- de Griffioenlaan als gebiedsontsluitingsweg de Trompweg in de nabije toekomst verbindt met de gemeente Leiden;
- de verkeersfunctie op een gebiedsontsluitingsweg belangrijker is dan de verblijfsfunctie;
- de doorstroming van het verkeer op de Griffioenlaan en het overzichtelijk oversteken van deze weg door langzaam verkeer van groot belang wordt geacht;
- het gewenst is om op de rijbaan van de Griffioenlaan een inhaalverbod in te stellen waarmee een gelijkmatige snelheid van het rijdende verkeer wordt bevorderd;
- dit gerealiseerd wordt door het aanbrengen van een doorgetrokken streep als bedoeld in artikel 76 van het RVV 1990;
- deze doorgetrokken streep niet mag worden overschreden en dat bestuurders zich niet links van een doorgetrokken streep mogen bevinden, indien die streep is aangebracht tussen rijstroken;
- deze doorgetrokken streep ter hoogte van kruispunten wordt onderbroken om het afslaan en oversteken mogelijk te maken;
- ter hoogte van de zijwegen Waddingerhoorn en Smitslust middengeleiders worden gerealiseerd;
- hierdoor in het midden van de rijbaan van de Griffioenlaan een opstelruimte ontstaat waar overstekende fietsers en/of voetgangers kunnen wachten tot kruisend verkeer is gepasseerd en zij in twee etappes veilig hun weg kunnen vervolgen;
- overstekende voetgangers en fietsers mogen vertrouwen op de gebruikelijke rijrichtingen van de kruisende bestuurders;
- daarom vermeden moet worden dat bestuurders langs de verkeerde zijde -en daarmee vanuit een onverwachte richting- de middengeleider voorbij rijden;
- de aansluiting van de Griffioenlaan op de Trompweg is ingericht als een volledig kruispunt van gebiedsontsluitingswegen;
- de beide rijstroken van de Griffioenlaan ter hoogte van dit kruispunt door middel van een middengeleider worden opgesplitst in twee afzonderlijke rijbanen;
- de middengeleiders op de Griffioenlaan aan weerszijden worden voorzien van borden D2 van bijlage 1 van het RVV 1990;
- door het op de middengeleider plaatsen van de verkeersborden D2 van bijlage 1 van het RVV 1990 een gebod aan bestuurders wordt ingesteld om het bord voorbij te gaan aan de zijde die de pijl aangeeft;
- op het voormalig Intratuingebied, aan weerszijden van de Griffioenlaan, een nieuwe woonwijk wordt gerealiseerd;
- daarin de wegen Waddingerhoorn, Burgemeester Staatsenlaan, Smitslust en Waddingervliet zijn of nog worden aangelegd;
- de openbare ruimte van deze wegen is ingericht als een verblijfsgebied waarbij geen niveauverschil is aangebracht in het dwarsprofiel van de weginrichting;
- bij de inrichting van de openbare ruimte uitgegaan is van parkeervoorzieningen op hetzij eigen terrein, dan wel op een aparte parkeergelegenheid;
- de Waddingerhoorn, Burgemeester Staatsenlaan, Smitslust en Waddingervliet doodlopende wegen zijn die aansluiten op de Griffioenlaan;
- deze woonstraten elk een klein deel van de woonwijk ontsluiten waarbij het verkeer zijn herkomst of bestemming uitsluitend binnen deze woonwijk heeft en sprake is van een lage verkeersintensiteit;
- de inrichting van de Waddingerhoorn, Burgemeester Staatsenlaan, Smitslust en Waddingervliet zodanig is dat stapvoets rijden redelijkerwijs uit eerdergenoemde omstandigheden voortvloeit;
- dat het gewenst is dat de Waddingerhoorn, Burgemeester Staatsenlaan, Smitslust en Waddingervliet aangewezen worden als erf zodat het gebruik van de rijbaan, en in het bijzonder het parkeren, duidelijk, begrijpelijk en herkenbaar is;
- dat dit wordt gerealiseerd door op de Waddingerhoorn, Burgemeester Staatsenlaan, Smitslust en Waddingervliet, nabij de aansluiting daarvan op de Griffioenlaan, borden G5 en G6 (erf/ einde erf) van bijlage 1 van het RVV 1990 te plaatsen;
- dat tegelijkertijd de als zodanig ingerichte parkeervakken worden voorzien van een P-aanduiding waarop parkeren is toegestaan;
- dat daarmee op de Waddingerhoorn, Burgemeester Staatsenlaan, Smitslust en Waddingervliet tevens een maximumsnelheid van 15 km/h wordt ingesteld;
- dat het beoogde verkeersgedrag op een erf nader is omschreven in de artikelen 44, 45 en 46 van het RVV 1990;
- de Burgemeester Staatsenlaan voor het fietsverkeer een doorgaande verbinding vormt tussen Leiden en de Trompweg v.v.;
- deze fietsroute over de Burgemeester Staatsenlaan met aan weerszijden een in twee richtingen bereden verplicht fietspad aansluit op de bestaande en aansluitende infrastructuur van Leiden en de Trompweg;
- de fietspadaansluiting wordt gerealiseerd door middel van het plaatsen van borden G11 van bijlage 1 van het RVV 1990 bij de aansluiting van deze korte fietspaden van de Burgemeester Staatsenlaan op de Trompweg en de infrastructuur te Leiden;
het treffen van een verkeersmaatregel een normale maatschappelijke ontwikkeling is waarmee een ieder kan worden geconfronteerd en waarvan de nadelige gevolgen in beginsel voor rekening van betrokkenen behoren te blijven;
Overeenkomstig artikel 23 van het BABW is met betrekking tot dit verkeersbesluit de gemeente Leiden gehoord.
Overeenkomstig artikel 24 van het BABW heeft overleg plaatsgevonden met politie-eenheid Den Haag, afdeling infrastructuur. Op 24 juni 2024 heeft de politie laten weten positief tegenover de verkeersmaatregelen te staan;
Op grond van vorenstaande overwegingen besluiten Burgemeester en Wethouders van Voorschoten om:
1. door middel van het op de Griffioenlaan aanbrengen van een doorgetrokken streep een verbod voor bestuurders in te stellen om deze streep te overschrijden dan wel zich links daarvan te bevinden;
2. door middel van het op de kruispunten van de Griffioenlaan met de Trompweg, Waddingerhoorn en Smitslust plaatsen van bord D2 van bijlage 1 van het RVV 1990 een gebod voor alle bestuurders in te stellen om het bord voorbij te gaan aan de zijde die de pijl aangeeft;
3. door middel van het nabij het kruispunt met de Griffioenlaan plaatsen van de borden G5 en G6 van bijlage 1 vanhet RVV 1990 een erf in te stellen op de Waddingerhoorn, Burgemeester Staatsenlaan, Smitslust en Waddingervliet;
4. door middel van het plaatsen van borden G11 van bijlage 1 van het RVV 1990 op de aansluiting van de Burgemeester Staatsenlaan op de Trompweg en de aansluitende verbinding te Leiden een in twee richtingen bereden verplicht fietspad in te stellen;
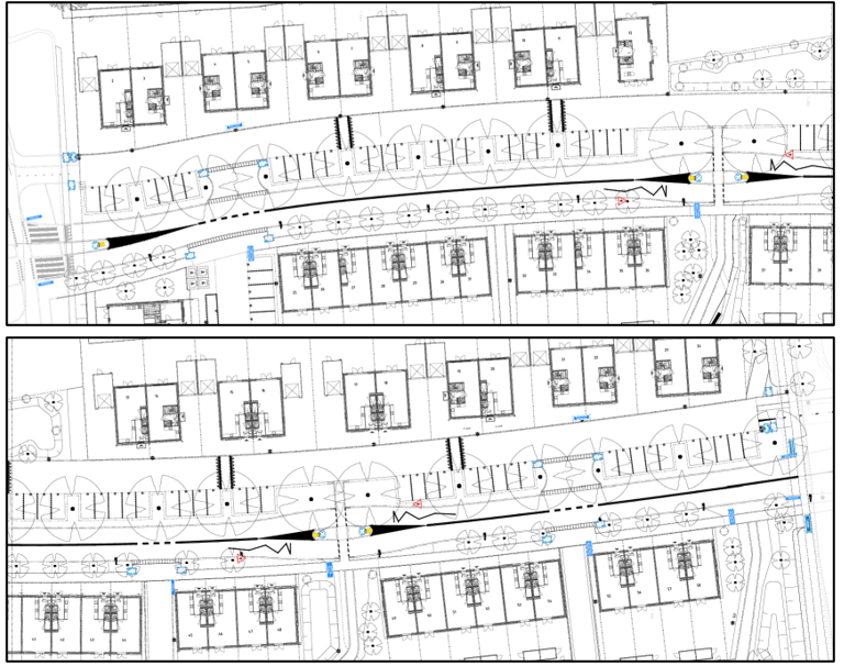
5. het een en ander te realiseren conform bijgevoegde situatieschetsen.
namens het college van burgemeester en wethouders op 3 juli 2024
Teammanager Verkeer, Bouwen en Wonen
Bent u het niet eens met dit besluit? Dan kunt u tot zes weken na datum van verzending van deze brief bezwaar maken. Dit kan per brief, digitaal of per e-mail.
Brief: per brief aan het college van burgemeester en wethouders, postbus 393, 2250 AJ, Voorschoten. Vermeld in het bezwaarschrift uw naam, adres, telefoonnummer, e-mailadres, het zaaknummer, de datum van uw brief, de reden waarom u het niet eens bent en onderteken vervolgens de brief.
Digitaal: via het formulier op de website van gemeente Voorschoten (https://www.voorschoten.nl/bezwaar-maken/), met gebruik van uw DigiD, EHerkenning of e-IDAS.
E-mail: via het mailadres gemeente@voorschoten.nl. Vermeld in het bezwaarschrift uw naam, adres, telefoonnummer, e-mailadres, het zaaknummer, de datum van uw brief, de reden waarom u het niet eens bent en onderteken vervolgens de brief.
Verzoek om voorlopige voorziening:
Kunt u de behandeling van uw bezwaarschrift niet afwachten? Dan, kunt u de Voorzieningenrechter van de Rechtbank Den Haag, Sector Bestuursrecht, verzoeken een voorlopige voorziening te treffen. Het verzoekschrift stuurt u naar de Rechtbank Den Haag (Sector Bestuursrecht), Postbus 20302, 2500 EH Den Haag. Voor het doen van een verzoek tot voorlopige voorziening zijn griffierechten verschuldigd.
U kunt ook digitaal een verzoek om een voorlopige voorziening indienen bij de Voorzieningenrechter via http://loket.rechtspraak.nl/bestuursrecht. Daarvoor moet u wel beschikken over een elektronische handtekening (bijvoorbeeld DigiD).
Afschrift aan: nationale politie Eenheid Den Haag, afdeling infrastructuur.
Kopieer de link naar uw clipboard
https://zoek.officielebekendmakingen.nl/gmb-2024-297716.html
De hier aangeboden pdf-bestanden van het Staatsblad, Staatscourant, Tractatenblad, provinciaal blad, gemeenteblad, waterschapsblad en blad gemeenschappelijke regeling vormen de formele bekendmakingen in de zin van de Bekendmakingswet en de Rijkswet goedkeuring en bekendmaking verdragen voor zover ze na 1 juli 2009 zijn uitgegeven. Voor pdf-publicaties van vóór deze datum geldt dat alleen de in papieren vorm uitgegeven bladen formele status hebben; de hier aangeboden elektronische versies daarvan worden bij wijze van service aangeboden.