HET AANWIJZINGSBESLUIT straatnaam Rietgrachtplein ARNHEM

HET COLLEGE VAN BURGEMEESTER EN WETHOUDERS VAN ARNHEM;

 

gelet op artikel 108 en 147 van de Gemeentewet, artikel 6 van de Wet basisregistraties adressen en gebouwen en artikel 2 van de Verordening naamgeving en nummering;

 

BESLUIT:

 

tot het vaststellen van

 

HET AANWIJZINGSBESLUIT straatnaam Rietgrachtplein ARNHEM

Artikel 1 Naamgeving

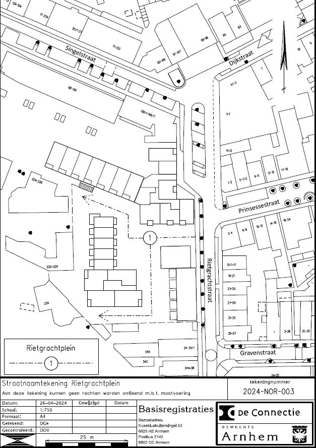
  • Aan de straat wordt de volgende straatnaam met straatcode 02150 toegekend: Rietgrachtplein

  • Overeenkomstig de bij dit besluit behorende situatietekening met het kenmerk 2024-NOR-003 Rietgrachtplein.

 

Artikel 2 Inwerkingtreding en citeertitel

  • 1.

    Dit besluit treedt in werking op de eerste dag na die van de bekendmaking.

  • 2.

    Dit besluit wordt aangehaald als: Aanwijzingsbesluit straatnaam Rietgrachtplein Arnhem.

 

 

 

 

 

Aldus vastgesteld in de collegevergadering van 21 mei 2024

Het college van burgemeester en wethouders voornoemd,

de secretaris, de burgemeester,

Bezwaar maken  

Tegen dit besluit kan een belanghebbende binnen zes weken na de dag van bekendmaking bezwaar maken bij het college van burgemeester en wethouders (Postbus 9029, 6800El Arnhem).

 

 

Naar boven