Terinzagelegging vastgesteld bestemmingsplan ‘Linne Zuidoost 2023’ en vastgesteld exploitatieplan ‘Linne Zuidoost, 3e herziening’

Burgemeester en wethouders van Maasgouw maken bekend dat de gemeenteraad van Maasgouw in zijn vergadering van 16 april 2024 voor de woonlocatie Linne Zuidoost:

  • het bestemmingsplan ‘Linne Zuidoost 2023’ (NL.IMRO.1641.BPL111-VG01) gewijzigd heeft vastgesteld;

  • het exploitatieplan ‘Linne Zuidoost, 3e herziening’ (NL.IMRO.1641.BPL111-EPVG) gewijzigd heeft vastgesteld;

  • vastgesteld heeft dat, voor een voorafgaand aan de datum van vaststelling van het exploitatieplan ‘Linne Zuidoost, 3e herziening’ ingediende aanvraag tot het geven van een kostenverhaalsbeschikking voor gronden in het exploitatiegebied waarop voor de datum van vaststelling niet is beslist, van toepassing is het exploitatieplan ‘Linne Zuidoost, 3e herziening’, zoals dat geldt na vaststelling van dit besluit en alsdan onderdeel uitmaakt van het omgevingsplan Maasgouw.

Het betreft de bekendmaking op grond van artikel 3.8 Wet ruimtelijke ordening (bestemmingsplan) en artikel 6.14 juncto artikel 6.15 Wet ruimtelijke ordening (herziening exploitatieplan).

Ambtshalve wijzigingen bestemmingplan

De navolgende ambtshalve wijzigingen zijn doorgevoerd bij de vaststelling van het bestemmingsplan ‘Linne Zuidoost 2023’ (NL.IMRO.1641.BPL111-VG01) ten opzichte van het ontwerp daarvan:

  • Er wordt een nieuw lid (lid b) toegevoegd aan artikel 9.2.3. Hierdoor wordt het oorspronkelijke artikel 9.2.3 vernummerd. Het artikel 9.2.3 komt, gezien het vorenstaande, als volgt te luiden:

     

    9.2.3 Bijgebouwen en overkappingen

    Voor het bouwen van bijgebouwen en overkappingen gelden de volgende bepalingen:

    • a.
      • 1.

        de maximum goothoogte bedraagt 3,30 meter;

      • 2.

        de maximum bouwhoogte bedraagt 5,50 meter;

      • 3.

        de maximum gezamenlijke oppervlakte aan bijgebouwen en overkappingen bedraagt:

         

        totale oppervlakte per bouwperceel maximum gezamenlijke oppervlakte

        tot 250 m2 70 m2

        van 250 tot 500 m2  80 m2

        van 500 tot 750 m2 90 m2

        van 750 tot 1.000 m2 100 m2

        van 1.000 m2 en meer 130 m2

    • b.

      het bepaalde onder 9.2.3 onder a is niet van toepassing op het bouwen van:

      • 1.

        bergingen ter plaatse van de aanduiding 'specifieke bouwaanduiding - berging', mits deze bergingen voldoen aan het bepaalde in artikel 9.2.2 sub h onder 2 en artikel 9.2.2 sub j;

      • 2.

        doorgangen ter plaatse van de aanduiding 'specifieke bouwaanduiding - doorgang', mits deze doorgangen voldoen aan het bepaalde in artikel 9.2.2 sub h onder 2 en artikel 9.2.2 onder k.

Ambtshalve wijzigingen exploitatieplan

De navolgende ambtshalve wijzigingen zijn doorgevoerd bij de vaststelling van het exploitatieplan ‘Linne Zuidoost, 3e herziening’ (NL.IMRO.1641.BPL111-EPVG) ten opzichte van het ontwerp daarvan:

  • Blz. 1, status gewijzigd in ‘vastgesteld’.

  • Blz. 2, identificatiecode gewijzigd in ‘NL.IMRO.1641.BPL111-EPVG’.

  • Blz. 2, status gewijzigd in ‘vastgesteld’.

  • Blz. 2, versie gewijzigd in ‘2.0’ en datum gewijzigd in ’16 april 2024’.

  • Blz. 3 e.v., in koptekst datum gewijzigd in ’16 april 2024’.

  • Paragraaf 1.2, aanleiding oorspronkelijke vaststelling exploitatieplan en herzieningen van het exploitatieplan. Aan het slot van de paragraaf is een beknopt overzicht opgenomen van de onderdelen van het exploitatieplan die gewijzigd zijn vastgesteld.

  • Paragraaf 1.3.4. Ingevoegde verbeelding bestemmingsplan ‘Linne Zuidoost 2023’ vervangen door versie met status vastgesteld.

  • Hoofdstuk 5, regels. In artikel 1.2.d.1 het identificatienummer gewijzigd in ‘NL.IMRO.1641.BPL111-VG01’.

  • Hoofdstuk 5, regels. In artikel 1.2.k het identificatienummer gewijzigd in ‘NL.IMRO.1641.BPL111-EPVG’.

  • Bijlage 17 Kwaliteitsomschrijving (3e herziening)

    • 1.

      Titelblad. In inhoudsopgave is toegevoegd een paragraaf 1.5 Eisen afwijking situering inritten/ontsluiting bouwkavels.

    • 2.

      Onderdeel 1.4, tekening ‘Woonrijp’. Op de tekening is toegevoegd de mogelijkheid van het onder voorwaarden kunnen afwijken van de aangegeven situering van inritten en ontsluitingen van bouwkavels.

    • 3.

      Paragraaf 1.5, eisen afwijking situering inritten/ontsluiting bouwkavels. Tekst nieuwe paragraaf ingevoegd.

  • De kwaliteitseisen voor de uitvoering van het bouw- en woonrijp maken van de openbare ruimte zoals opgenomen in bijlage 17 van het exploitatieplan, zijn aangevuld in paragraaf 1.5, waarbij is voorzien in de mogelijkheid om onder voorwaarden af te wijken van de daarin opgenomen situering van inritten/ontsluitingen van bouwkavels naar de rijweg.

Voorgeschiedenis

Algemeen

Op 1 juli 2008 is, als onderdeel van de Wet ruimtelijke ordening (Wro), afdeling 6.4 Grondexploitatie in werking getreden. Daarin is bepaald dat de gemeente bij het vaststellen van een bestemmingsplan waarin bouwplanmogelijkheden (zoals bedoeld in artikel 6.2.1 Besluit ruimtelijke ordening (Bro)) worden opgenomen, verplicht is om gelijktijdig met de vaststelling van het bestemmingsplan een exploitatieplan vast te stellen.

Deze wettelijke plicht leidt uitzondering, indien ten tijde van de vaststelling van het bestemmingsplan het kostenverhaal voor alle gronden in het plangebied anderszins is verzekerd en er geen noodzaak is tot het stellen van publiekrechtelijke regels over zogenoemde ‘locatie-eisen’ (zoals fasering, koppeling tussen de aanleg van werken en de verlening van omgevingsvergunningen voor het bouwen, eisen en uitvoeringsregels over de inrichting van de openbare ruimte). Naast de situaties waarin een wettelijke plicht tot vaststelling van het exploitatieplan bestaat, is de raad bevoegd een exploitatieplan vast te stellen bij een bestemmingsplan waarin aangewezen bouwplanmogelijkheden zijn opgenomen.

Bestemmingsplan ‘Linne Zuidoost’ en exploitatieplan ‘Linne Zuidoost’ (2010)

Op 28 oktober 2010 is door de gemeenteraad van Maasgouw het bestemmingsplan ‘Linne Zuidoost’ vastgesteld. Het bestemmingsplan is opgesteld voor de realisering van maximaal 238 woningen, waaronder maximaal 42 gestapelde woningen alsmede de realisatie van een nieuwe buitensportaccommodatie, dit alles met inbegrip van bijbehorende openbare voorzieningen (zoals wegen, groen, waterberging et cetera). Met de in het bestemmingsplan opgenomen sportveldaccommodatie werd voorzien in een verplaatsing van een bestaande sportveldaccommodatie, die gelegen was in het noordelijke gedeelte van het bestemmingsplangebied. Deze realisatie van de beoogde woningbouw was voorzien in het noordelijke gedeelte van het bestemmingsplangebied. In genoemd bestemmingsplan was en is voor de ontwikkelde sportveldaccommodatie en de woningen voorzien in een directe bouwtitel.

Gelijktijdig met de vaststelling van dit bestemmingsplan heeft de gemeenteraad ook het exploitatieplan ‘Linne Zuidoost’ vastgesteld. Het exploitatieplan ‘Linne Zuidoost’ had betrekking op het gehele plangebied van het bestemmingsplan ‘Linne Zuidoost’. Het exploitatieplan ‘Linne Zuidoost’ kent de functie van publiekrechtelijk kostenverhaal en bevat publiekrechtelijke regels over onderdelen van de wijze van uitvoering van een locatie. Het exploitatieplan voorzag en voorziet onder meer in regels die zien op een gefaseerde ontwikkeling van het bestemmingsplangebied.

Bestemmingsplan ‘Linne’ (2014)

Op 18 december 2014 heeft de gemeenteraad van Maasgouw het bestemmingsplan ‘Linne’ vastgesteld. Het bestemmingsplan ‘Linne’ heeft tot doel verouderde bestemmingsplannen te actualiseren en is conserverend van aard. In dit bestemmingsplan zijn de op dat moment in Linne Zuidoost gerealiseerde 14 woningen, de gerealiseerde sportvoorziening en gedeelte van de openbare ruimte opgenomen. Voor het op dat moment nog te ontwikkelen gedeelte van de woonlocatie bleef het bestemmingsplan ‘Linne Zuidoost’ van toepassing, zoals dit op 28 oktober 2010 is vastgesteld.

Exploitatieplan ’1e herziening exploitatieplan Linne Zuidoost’ (2016)

Op 18 februari 2016 heeft de raad het besluit tot 1e herziening van het exploitatieplan Linne Zuidoost vastgesteld, in het kader van de wettelijke herzieningsplicht. Hierbij zijn de regels van het exploitatieplan over locatie-eisen afgestemd op de op dat moment ontstane situatie en is de exploitatieopzet voor de toepassing van kostenverhaal geactualiseerd. Met de 1e herziening van het exploitatieplan is de omvang van het exploitatieplangebied niet gewijzigd, zodat het exploitatieplan vanaf dat moment verbonden is aan deels het bestemmingsplan ‘Linne Zuidoost’ en deels het bestemmingsplan ‘Linne’.

Bestemmingsplan ‘Parkeernormen Linne Zuidoost’ (2020)

Het bestemmingsplan ‘Parkeernormen Linne Zuidoost’ is op 15 december 2020 vastgesteld. Dit bestemmingsplan 'Parkeernormen Linne Zuidoost' betreft een partiële herziening van het bestemmingsplan ‘Linne Zuidoost’. Het bestemmingsplan 'Parkeernormen Linne Zuidoost' heeft tot doel het gemeentelijke parkeerbeleid van toepassing te verklaren op een deel van het plangebied van het bestemmingsplan ‘Linne Zuidoost’ (voor zover dit niet reeds in de algehele actualisatie voor de kern Linne (in het bestemmingsplan ‘Linne’) was meegenomen). Hiermee werd het bestemmingsplan ‘Linne Zuidoost’ aangevuld voor wat betreft de regels inzake parkeernormen. Het geldende bestemmingsplan ‘Linne Zuidoost’ bleef voor het overige van kracht.

Exploitatieplan ‘Linne Zuidoost, 2e herziening’ (2020)

Op 15 december 2020 heeft de gemeenteraad het besluit tot 2e herziening van het exploitatieplan vastgesteld. Bij de 2e herziening van het exploitatieplan is de exploitatieopzet geactualiseerd. Voorts heeft een wijziging van de regels over locatie-eisen (met betrekking tot onder meer de fasering) plaatsgevonden. Met de 2e herziening van het exploitatieplan is de omvang van het exploitatieplangebied niet gewijzigd, zodat het exploitatieplan vanaf dat moment verbonden is aan deels het bestemmingsplan ‘Linne Zuidoost’, deels het bestemmingsplan ‘Linne’ en aan het bestemmingsplan ‘Parkeernormen Linne Zuidoost’.

Wat zijn de plannen?

Bestemmingsplan ‘Linne Zuidoost 2023’

Het bestemmingsplan ‘Linne Zuidoost 2023’ (NL.IMRO.1641.BPL111-VG01) betreft in hoofdzaak een partiële herziening van het bestemmingsplan ‘Linne Zuidoost’, zoals dit op 28 oktober 2010 is vastgesteld. De herziening van het bestemmingsplan is wenselijk om enkele stedenbouwkundige uitgangspunten nader vast te leggen. Het betreft hierbij onder meer het vastleggen van een maximum aantal te bouwen woningen per (deel)bestemmingsvlak, regels om ongewenste verdichting van woningen te voorkomen en het verlagen van de toegestane bouwhoogte voor de beoogde appartementengebouwen (van maximaal 4 naar maximaal 3 bouwlagen) binnen het plangebied. Daarnaast zijn enkele kleine correcties meegenomen voor wat betreft het bestemmingsplan ‘Linne’, zoals dat is vastgesteld op 18 december 2014. Tot slot geldt dat in het zuidwestelijke deel van het plangebied een verdichting is voorzien waarbij in totaal 18 extra woningen toegestaan worden.

Exploitatieplan ‘Linne Zuidoost, 3e herziening’

De vaststelling van het bestemmingsplan ‘Linne Zuidoost 2023’ alsmede het belang om te komen tot actualisatie van de exploitatieopzet noodzaakt tot de vaststelling van een besluit tot 3e herziening van het exploitatieplan.

Het exploitatieplan geeft de regels waarbinnen de ontwikkeling van Linne Zuidoost dient te worden uitgevoerd en biedt de publiekrechtelijke basis bij de uitvoering van de wettelijke kostenverhaalsplicht bij particuliere grondexploitatie. Deze regels zien onder meer op fasering, het aanbrengen van koppelingen tussen de uitvoering van werken en werkzaamheden inzake de inrichting van de openbare ruimte en de verlening van omgevingsvergunningen voor het bouwen, eisen ten aanzien van de inrichting van de openbare ruimte, regels over de wijze van uitvoering van de inrichting van de openbare ruimte en ruimtegebruik. Er is sprake van een integrale herziening van het exploitatieplan, waardoor de regels, de exploitatieopzet, de bijlagen en de toelichting worden aangepast.

Voor welk gebied is dit?

Bestemmingsplan ‘Linne Zuidoost 2023’

Het plangebied, waarop het bestemmingsplan ‘Linne Zuidoost 2023’ betrekking heeft, is gelegen in Linne. Globaal bezien wordt het gebied als volgt begrensd: door de Maasbrachterweg en de bestaande woonbebouwing aan de Majoor Huthstraat aan de noordzijde, de bestaande woonbebouwing aan het Vonderen en de bestaande bedrijfsbebouwing aan de Leppingtonstraat aan de oostzijde, de bestaande woonbebouwing aan de Connorstraat en Joinerstraat en de bestaande akkerbouw aan de westzijde en de Sportveldstraat aan de zuidzijde. In onderstaande tekening is de grens van het bestemmingsplangebied (in rode kleur) aangegeven.

Begrenzing plangebied omlijnd weergegeven

 

Exploitatieplan ‘Linne Zuidoost, 3e herziening’

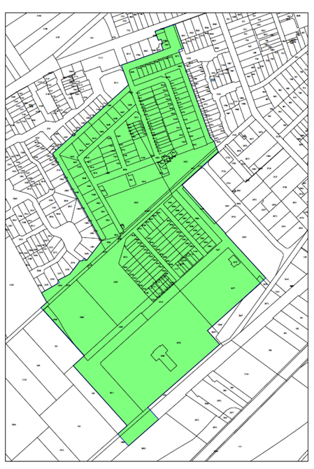
Het plangebied, waarop het exploitatieplan ‘Linne Zuidoost, 3e herziening’ betrekking heeft, is gelegen in Linne. Globaal bezien wordt het gebied als volgt begrensd: aan de zuidzijde door de Rijksweg N271, aan de oostzijde door bebouwing aan de Leppingtonstraat en bebouwing aan het Vonderen, aan de noordzijde door de Maasbrachterweg, de Parklaan en bebouwing aan de Majoor Huthstraat alsmede aan de westzijde door bebouwing aan de Connorstraat, de bebouwing aan de Joinerstraat en de bestaande akkerbouw aan de westzijde. In onderstaande tekening is het exploitatiegebied (in groene kleur) aangegeven.

Begrenzing exploitatiegebied in groene kleur weergegeven

Wat ligt ter inzage?

Ter inzage liggen:

  • het bestemmingsplan ‘Linne Zuidoost 2023’ (NL.IMRO.1641.BPL111-VG01), met bijbehorende stukken, waaronder het vaststellingsbesluit en de staat van wijzigingen;

  • het exploitatieplan ‘Linne Zuidoost, 3e herziening’ (NL.IMRO.1641.BPL111-EPVG) met bijbehorende stukken, waaronder het vaststellingsbesluit en de staat van wijzigingen.

Wanneer ligt dit ter inzage?

Het bestemmingsplan ‘Linne Zuidoost 2023’ en het exploitatieplan ‘Linne Zuidoost, 3e herziening’ (met de bijbehorende stukken) liggen vanaf vrijdag 26 april 2024 gedurende de beroepstermijn van 6 weken (dus tot en met donderdag 6 juni 2024) ter inzage.

Waar is dit raadpleegbaar?

  • 1.

    Het bestemmingsplan ‘Linne Zuidoost 2023’ (NL.IMRO.1641.BPL111-VG01) met hierbij behorende stukken en het exploitatieplan ‘Linne Zuidoost, 3e herziening’ (NL.IMRO.1641.BPL111-EPVG) met bijbehorende stukken zijn raadpleegbaar in de informatieruimte van het gemeentehuis, Markt 36 in Maasbracht (op werkdagen, tijdens de openingstijden van het gemeentehuis, behalve tijdens de avondopenstelling).

  • 2.

    Het bestemmingsplan ‘Linne Zuidoost 2023’ (NL.IMRO.1641.BPL111-VG01) met hierbij behorende stukken en het exploitatieplan ‘Linne Zuidoost, 3e herziening’ (NL.IMRO.1641.BPL111-EPVG) met bijbehorende stukken worden tevens langs elektronische weg beschikbaar gesteld en wel via www.gemeentemaasgouw.nl.

  • 3.

    Verder kunt u het bestemmingsplan ‘Linne Zuidoost 2023’ (NL.IMRO.1641.BPL111-VG01) met hierbij behorende stukken en het exploitatieplan ‘Linne Zuidoost, 3e herziening’ (NL.IMRO.1641.BPL111-EPVG) met bijbehorende stukken langs elektronische weg op www.ruimtelijkeplannen.nl en op https://omgevingswet.overheid.nl/regels-op-de-kaart/ raadplegen.

  • 4.

    Voorts wordt iedereen in de gelegenheid gesteld het bestemmingsplan ‘Linne Zuidoost 2023’ (NL.IMRO.1641.BPL111-VG01) met hierbij behorende stukken en het exploitatieplan ‘Linne Zuidoost, 3e herziening’ (NL.IMRO.1641.BPL111-EPVG) met bijbehorende stukken op het gemeentehuis, Markt 36 in Maasbracht, langs elektronische weg te raadplegen (op werkdagen, tijdens de openingstijden van het gemeentehuis, behalve tijdens de avondopenstelling).

Wie en hoe beroep instellen?

Tijdens de beroepstermijn (met ingang van vrijdag 26 april 2024 tot en met donderdag 6 juni 2024) kan een belanghebbende tegen het vaststellingbesluit van het bestemmingsplan ‘Linne Zuidoost 2023’ (NL.IMRO.1641.BPL111-VG01) en / of het vaststellingsbesluit van het exploitatieplan ‘Linne Zuidoost, 3e herziening’ (NL.IMRO.1641.BPL111-EPVG) beroep instellen bij de Afdeling bestuursrechtspraak van de Raad van State, Postbus 20019, 2500 EA ’s-Gravenhage:

  • als tijdig een zienswijze bij de gemeenteraad ten aanzien van het ontwerp-bestemmingsplan ‘Linne Zuidoost 2023’ respectievelijk het ontwerp-exploitatieplan ‘Linne Zuidoost, 3e herziening’ naar voren is gebracht;

  • als aan de belanghebbende redelijkerwijs niet kan worden verweten dat hij / zij niet, overeenkomstig artikel 3.8 eerste lid Wet ruimtelijke ordening juncto afdeling 3.4 Algemene wet bestuursrecht, zijn / haar zienswijze ten aanzien van het ontwerp-bestemmingsplan ‘Linne Zuidoost 2023’ en / of het ontwerp-exploitatieplan ‘Linne Zuidoost, 3e herziening’ bij de gemeenteraad naar voren heeft gebracht;

  • tegen de aangebrachte wijzigingen ten opzichte van het ontwerp-bestemmingsplan ‘Linne Zuidoost 2023’ en / of ontwerp-exploitatieplan ‘Linne Zuidoost, 3e herziening’.

Gezien de ontwikkelingen in de jurisprudentie omtrent de toegang tot de bestuursrechter is het mogelijk dat een ruimere groep (rechts)personen beroep kan instellen bij de bestuursrechter tegen de besluiten omtrent vaststelling van één of beide plannen. Zie het nieuwbericht van de Raad van State, dat kan worden geraadpleegd via https://www.raadvanstate.nl/actueel/nieuws/@125301/niet-belanghebbende-toegang-beroep/. Voor meer informatie wordt verwezen naar de website van de Raad van State (www.raadvanstate.nl/bestuursrechtspraak) of bel met 070 – 42 64 426.

Op grond van artikel 8.3 lid 3 Wet ruimtelijke ordening worden het bestemmingsplan en het exploitatieplan voor de mogelijkheid van beroep, de behandeling ervan en de uitspraak op het beroep gezien als één besluit.

Indien beroep wordt ingesteld, dient een afschrift van het besluit, waartegen het beroep zich richt, te worden meegezonden. Aan het instellen van beroep zijn kosten verbonden.

Het instellen van beroep schort de werking van een besluit niet op.

Verzoek om voorlopige voorziening

Iedereen, die beroep instelt / heeft ingesteld, heeft tevens het recht om een verzoek om voorlopige voorziening in te dienen bij de Voorzitter van de Afdeling bestuursrechtspraak van de Raad van State (indien onverwijlde spoed, gelet op de betrokken belangen, dat vereist). Verzoeken om voorlopige voorziening dienen te worden gericht aan de Voorzitter van de Afdeling bestuursrechtspraak van de Raad van State, Postbus 20019, 2500 EA ’s-Gravenhage.

Wanneer treedt het bestemmingsplan en exploitatieplan in werking?

Daags na afloop van de beroepstermijn treedt het vaststellingsbesluit van het bestemmingsplan ‘Linne Zuidoost 2023’ en het exploitatieplan ‘Linne Zuidoost, 3e herziening’ in werking. Als binnen de beroepstermijn een verzoek om voorlopige voorziening bij de Voorzitter van de Afdeling bestuursrechtspraak van de Raad van State is ingediend, treedt het besluit tot vaststelling van het bestemmingsplan ‘Linne Zuidoost 2023’ respectievelijk het exploitatieplan ‘Linne Zuidoost, 3e herziening’ niet in werking voordat op dat verzoek is beslist.

Crisis- en herstelwet

Op het vaststellingsbesluit van het bestemmingsplan ‘Linne Zuidoost 2023’ en het exploitatieplan ‘Linne Zuidoost, 3e herziening’ is afdeling 2 van hoofdstuk1 Crisis- en herstelwet van toepassing. Dit betekent onder meer dat in geval van beroep:

  • 1.

    de beroepsgronden in het beroepschrift moeten worden opgenomen en dat deze na afloop van de beroepstermijn niet meer kunnen worden aangevuld;

  • 2.

    het beroep niet-ontvankelijk wordt verklaard, indien binnen de beroepstermijn geen gronden zijn ingediend;

  • 3.

    beroepsgronden niet na afloop van de beroepstermijn kunnen worden aangevuld.

Overgangsbepaling toetsingskader exploitatieplan bij aanvraag kostenverhaalsbeschikking

Er staan nu geen rechtsmiddelen open tegen het besluit dat voor een voorafgaand aan de datum van vaststelling van het exploitatieplan ‘Linne Zuidoost, 3e herziening’ ingediende aanvraag tot het geven van een kostenverhaalsbeschikking (zoals bedoeld in artikel 13.18 Omgevingswet) voor gronden in het exploitatiegebied waarop voor de datum van vaststelling niet is beslist, van toepassing is het exploitatieplan ‘Linne Zuidoost, 3e herziening’, zoals dat geldt na vaststelling van dit besluit en alsdan onderdeel uitmaakt van het omgevingsplan Maasgouw. Hiertegen staan eerst rechtsmiddelen open in het kader van een besluit op aanvraag van een kostenverhaalsbeschikking, zoals hiervoor is benoemd.

Vragen?

Voor al uw vragen kunt u contact opnemen met dhr. E. Savelkoul of, bij afwezigheid, met één van de andere medewerkers van het werkveld Ruimtelijke Ordening (tel.: 0475 - 85 25 00).

Maasbracht, 25 april 2024

Burgemeester en wethouders van Maasgouw

Naar boven