Het instellen van 1-richting verkeer op diverse wegen in Europakwartier oost te Almere Poort
Verkeersbesluit
Gemeente Almere
Het instellen van 1-richting verkeer op diverse wegen in Europakwartier oost te Almere Poort
Steller: H. Bakkum
Afdeling: Stadsruimte
Nummer: 17138053 Datum: 8 april 2024
Burgemeester en wethouders van Almere,
Gelet op:
De bepalingen in de Wegenverkeerswet 1994, het Reglement Verkeersregels en Verkeerstekens 1990 (RVV 1990) en het Besluit Administratieve Bepalingen inzake het Wegverkeer (BABW) en de Algemene wet bestuursrecht;
Overwegende:
In het stedenbouwkundige plan is gekozen voor smallere straten waardoor meer ruimte is voor brede trottoirs en groen. Voor een aantal woonstraten in het plangebied wordt voorgesteld 1-richtingverkeer in te stellen. Het idee is dat hierdoor rustiger en autoluwe straten ontstaan waardoor er meer ruimte is voor verblijven en spelen op straat.
In de definitieve inrichting is de rijbaan daarom dusdanig smal, dat auto’s elkaar niet kunnen passeren en alleen 1-richting rijden mogelijk is. Dit is uitgezonderd fietsers.
Besluitverplichting:
Op grond van artikel 15, eerste lid van de Wegenverkeerswet 1994 moet een verkeersbesluit worden genomen voor de plaatsing of verwijdering van de in artikel 12 van het Besluit administratieve bepalingen inzake het wegverkeer genoemde verkeerstekens, alsmede voor de onderborden voor zover daardoor een gebod of verbod ontstaat of wordt gewijzigd.
Op grond van artikel 18, lid 1 onder d van de Wegenverkeerswet 1994 moet een verkeersbesluit worden genomen door burgemeester en wethouders voor zover dit betreft het verkeer op wegen, welke niet in beheer zijn bij het Rijk, de Provincie of een waterschap.
Uit het oogpunt van:
de belangen genoemd in artikel 2, lid 1 alsmede artikel 2, lid 2 van de Wegenverkeerswet 1994.
Is het gewenst om:
1-richting verkeer in te stellen op diverse wegen in Europakwartier oost te Almere Poort middels aanbrengen van bebording uitgezonderd fietsers.
Motivering:
Omwille van de verkeersveiligheid is het gewenst om 1-richting verkeer in te stellen op diverse wegen in Europakwartier oost te Almere Poort.
Gehoord
1. Wijkregie en de afdeling Gebiedsontwikkeling zijn inmiddels op de hoogte gebracht.
2. Overeenkomstig artikel 24 van het Besluit administratieve bepalingen inzake het wegverkeer is overleg geweest met de Politie Midden Nederland.
Financiën
De maatregel wordt gefinancierd uit het budget van de afdeling Gebiedsontwikkeling van de gemeente Almere.
Communicatie en bekendmaking
Van het besluit wordt een openbare bekendmaking geplaatst in het Gemeenteblad.
BESLUITEN
Op grond van vorenstaande overwegingen besluiten burgemeester en wethouder tot het instellen van 1-richting verkeer op diverse wegen in Europakwartier oost te Almere Poort door:
1.
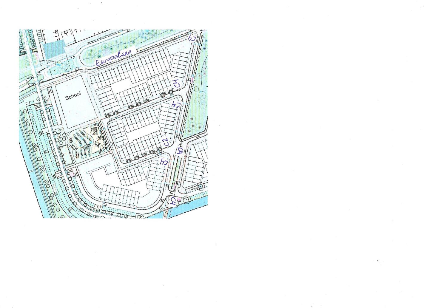
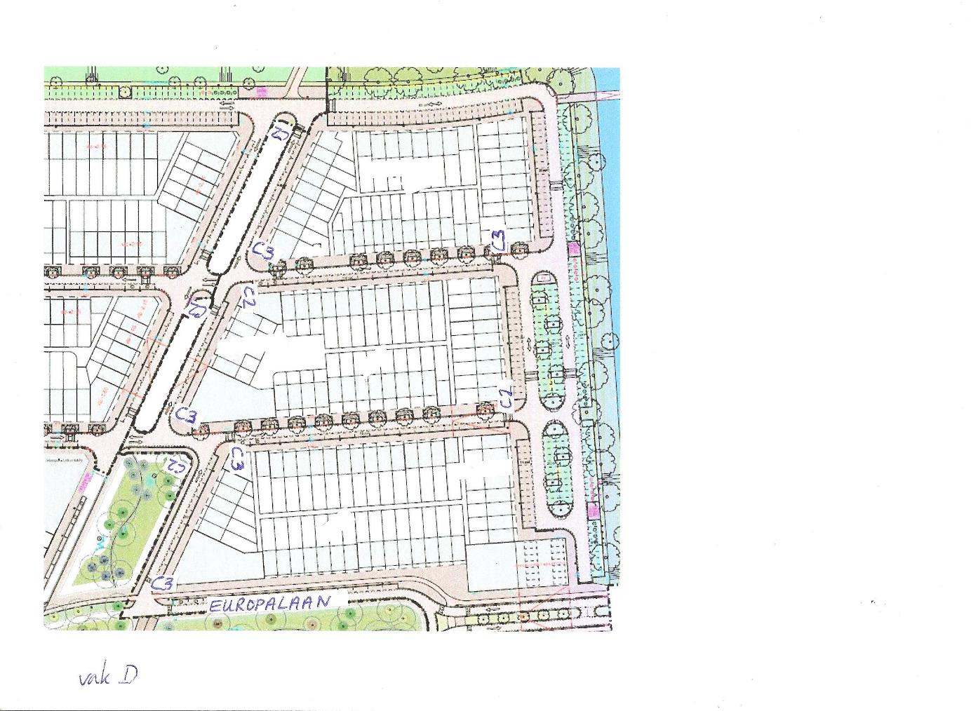
Het plaatsen van verkeersborden C2, C3, C4l, C4r en OB52, van bijlage 1 van het RVV 1990, conform de bij dit besluit behorende situatietekening.
Hoogachtend,
burgemeester en wethouders van Almere,
namens hen,
technicus Stedelijke Beheersystemen
van de afdeling Stadsruimte
H. Bakkum
Bezwaarschriftclausule
Bent u het niet eens met dit besluit?
Neem dan zo snel mogelijk contact met ons op via telefoonnummer 14 036 . Wij nemen het besluit met u door.
Wilt u toch bezwaar maken?
Dit moet binnen zes weken na de verzenddatum van dit besluit.
Digitaal: e-formulier op almere.nl/bezwaar (DigiD/e-Herkenning vereist)
Per post: Gemeente Almere, t.a.v. Juridische zaken bezwaar en beroep, Postbus 200, 1300 AE, Almere.
Vermeld hierbij altijd uw naam, adres, telefoonnummer, de datum van uw brief, de reden van uw bezwaar, het kenmerk van dit besluit (of een kopie van het besluit) en uw handtekening.
Kunt u niet wachten?
Als u bezwaar heeft gemaakt, maar niet kunt wachten tot de gemeente daarover een besluit heeft genomen, dan kunt u om een voorlopige voorziening (tijdelijke maatregel) vragen bij de voorzieningenrechter.
Digitaal: via e-formulier ‘Verzoek aan rechtbank om voorlopige voorziening bij bezwaarprocedure’ op rechtspraak.nl
Per post: Rechtbank Midden-Nederland, sector Bestuursrecht, Postbus 16005,
3500 DA, Utrecht, onder vermelding van ‘voorlopige voorzieningen’.
Aan een verzoek om een voorlopige voorziening zijn kosten verbonden.
De hier aangeboden pdf-bestanden van het Staatsblad, Staatscourant, Tractatenblad, provinciaal blad, gemeenteblad, waterschapsblad en blad gemeenschappelijke regeling vormen de formele bekendmakingen in de zin van de Bekendmakingswet en de Rijkswet goedkeuring en bekendmaking verdragen voor zover ze na 1 juli 2009 zijn uitgegeven. Voor pdf-publicaties van vóór deze datum geldt dat alleen de in papieren vorm uitgegeven bladen formele status hebben; de hier aangeboden elektronische versies daarvan worden bij wijze van service aangeboden.