Gemeente Emmen – Verkeersbesluit diverse verkeersmaatregelen Dordsestraat – waaronder het aanleggen van een voorrangsplein t.h.v. het kruispunt Dordsestraat/Emmalaan/Eerste Bokslootweg te Emmen (zaaknummer: 10856-2024).

Burgemeester en Wethouders van Emmen,

Gelet op:

  • de bepalingen in de Wegenverkeerswet 1994, het Reglement Verkeersregels en Verkeerstekens 1990 (RVV1990), het Besluit Administratieve Bepalingen inzake het Wegverkeer (BABW) en de Algemene wet bestuursrecht;

  • het Mandaatbesluit 2018 van de gemeente Emmen.

Overwegende:

  • een verkeersbesluit nemen we voor de plaatsing of verwijdering van de in artikel 12 van het BABW genoemde verkeerstekens (artikel 15, eerste lid, van de Wegenverkeerswet 1994);

  • het verkeersbesluit maken we bekend in het Gemeenteblad (volgens artikel 26 BABW);

  • de gemeente Emmen beheert de wegen waar dit besluit over gaat.

Uit het oogpunt van:

  • het verzekeren van de veiligheid op de weg.

  • het beschermen van weggebruikers en passagiers.

  • het in stand houden van de weg en het waarborgen van de bruikbaarheid daarvan.

  • het zoveel mogelijk waarborgen van de vrijheid van verkeer.

  • het zoveel mogelijk voorkomen of beperken van door het verkeer veroorzaakte overlast,

  • hinder of schade alsmede de gevolgen voor het milieu, bedoeld in de Wet milieubeheer;

  • het voorkomen of beperken van door het verkeer veroorzaakte aantasting van het karakter of de functie van objecten of gebieden.

Is het gewenst om

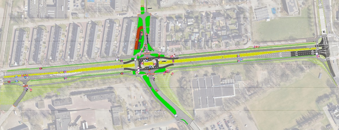
Meerdere verkeersmaatregelen te nemen op de Dordsestraat gedeelte vanaf de Boermarkeweg tot aan het spoor. Hierbij wordt o.a. een voorrangsplein aangelegd ter hoogte van het kruispunt Dordsestraat/Emmalaan/Eerste Bokslootweg.

Motivering:

Op de Dordsestraat en Noordbargerstraat vinden rioolwerkzaamheden plaats. Het werk wordt uitgevoerd in twee fases. Dit besluit gaat over de eerste fase, het gedeelte van de Dordsestraat vanaf de Boermarkeweg tot aan het spoor. Door deze werkzaamheden wordt ook de openbare ruimte heringericht.

Ter verbetering van de verkeersveiligheid en de doorstroming wordt een voorrangsplein gerealiseerd op het kruispunt Dordsestraat/Emmalaan/Eerste Bokslootweg. Uit eigen verkeersonderzoek blijkt dat bij voorrangspleinen het verkeer beter doorstroomt dan op het kruispunt met verkeerslichten. Voor een goede doorstroming en afwikkeling van het verkeer op de Dordsestraat wordt ter hoogte van het voorrangsplein het wegprofiel van 2×2 rijstroken teruggebracht naar 2×1 rijstrook.

Verder zorgen voorrangspleinen ervoor dat de oversteekbaarheid wordt verbeterd, omdat fietsers en voetgangers maar één rijstrook per keer hoeven over te steken en in de brede middenberm een rustpunt krijgen. Daarnaast kan gemotoriseerd verkeer bij de voorrangspleinen minder snel rijden, omdat de voorganger niet kan worden ingehaald. Hierdoor wordt het verkeer bij de benadering van het voorrangsplein op een natuurlijke manier afgeremd. Daarnaast zorgen asverspringingen ervoor dat de snelheid op de conflicten zoveel mogelijk rond de toegestane snelheid komt te liggen. Op het doorgaande fietspad langs de noord- en zuidzijde van de Dordsestraat, ter hoogte van alle inritconstructies, heeft de fietser voorrang op andere weggebruikers.

Daarnaast wordt de bereikbaarheid en snelheid van hulpdiensten met de toepassing van voorrangspleinen verbeterd. Er zijn minder verkeerslichten die het verkeer ophouden en omdat al het verkeer veel beter doorstroomt, zal dat ook voor hulpdiensten het geval zijn. Er zijn minder opstoppingen, omdat er geen wachtrij voor de verkeerslichten ontstaat. Tevens worden de zijbermen toegankelijk gemaakt om uit te wijken voor achteropkomende hulpdiensten..

De zijstraat aan de zuidzijde van de Dordsestraat (aan de oostzijde van de overweg) wordt ingericht als 30-zone en wordt voorzien van een inritconstructie. De doorsteek in de middenberm vanaf deze zijstraat naar de noordzijde van de Dordsestraat komt te vervallen. Het verkeer komende vanaf de zijstraat moet rechtsaf richting het voorrangsplein en kan daar keren. Dit vergroot de verkeersveiligheid op deze locatie.

Het fietspad aan de oostzijde van de Eerste Bokslootweg komt te vervallen. Dit heeft te maken met de toegangspoort van het bedrijf GETEC. Ter hoogte van deze toegang komen dagelijks veel vrachtwagens en auto’s samen. Met het laten vervallen van het fietspad aan de oostzijde bereiken we dat fietsers voordat ze op het kruispunt zijn al het fietspad opgaan aan de westzijde. Dit zal leiden tot minder conflicten. Daarbij sluit het fietspad aan op de enige fietsoversteek (westzijde) op het voorrangsplein.

Belangenafweging

Het herinrichtingsplan is op twee momenten gepresenteerd tijdens een inloopbijeenkomst voor aanwonenden, bedrijven, winkeliers en de Erkende Overlegpartner. De eerste inloop was op 11 april 2o23. Hier hebben veel belangstellenden via reactiekaarten een reactie gegeven op het ontwerp. Deze reacties zijn beoordeeld op haalbaarheid en waar mogelijk zijn enkele wijzigingen doorgevoerd. Het definitieve ontwerp is daarna nog een keer gepresenteerd tijdens een inloopbijeenkomst op 11 december 2023.

Naast de inloopbijeenkomsten zijn ook apart gesprekken gevoerd met bewoners en bedrijven binnen het plangebied. Hierbij is ondermeer het verzoek gedaan om de doorsteek op de middenberm van de Dordsestraat tegenover de zijstraat Dordsestraat (aan de oostzijde van de spoorwegovergang) niet af te sluiten. In de nieuwe situatie wordt de middenberm dichtgezet, waardoor het verkeer komende vanaf de zijstraat Dordsestraat moet omrijden. Dit verzoek is afgewogen en er is besloten om de doorsteek op te ruimen waardoor de middenberm wordt afgesloten. Wij maken deze keuze met het oog op de verkeersveiligheid en de doorstroming op de Dordsestraat. De Dordsestraat is een gebiedsontsluitingsweg waarop we het aantal aansluitingen zoveel mogelijk willen beperken. Daarbij komt dat de aansluiting zit op het gedeelte waar het profiel van de Dordsestraat 2×2 rijstroken kent en een relatief smalle middenberm heeft. Hier opnieuw een volledige aansluiting faciliteren is vanuit verkeerveiligheid onwenselijk.

De reconstructie is opgenomen in het vastgestelde Integraal Uitvoeringsplan Regiostad Emmen (collegebesluit van 19 april 2022) en draagt bij aan een goede en comfortabele multimodale bereikbaarheid van het centrum van Emmen.

Gehoord

Overeenkomstig artikel 24 van het BABW is overleg gepleegd met de politiechef van de nationale politie van de regionale eenheid Noord-Nederland.

Besluiten

  • 1.

    Het instellen van een 30-zone op de zijstraat vanaf de Dordsestraat (zuidzijde) aan de oostzijde van de spoorwegovergang door plaatsing van de borden A0130zb en A0230ze.

  • 2.

    Instellen van een verplichte rijrichting op de Dordsestraat (zuidzijde) tegenover de zijstraat (aan de oostzijde van de spoorwegovergang) door plaatsing van het bord C4r.

  • 3.

    Het instellen van een 30-zone op de Eerste Bokslootweg ter hoogte van het kruispunt met de Dordsestraat door plaatsing van de borden A0130zb en A0230ze.

  • 4.

    Ter hoogte van Het Meerveld 84 (aan de noordzijde van de Dordsestraat) het fietspad aan te wijzen als verplicht fietspad door plaatsing van het bord G11.

  • 5.

    Op de Anna Paulownalaan, (t.h.v. de doorsteek naar de Dordsestraat) de voorrang regelen door plaatsing van het bord B6.

  • 6.

    Het fietspad aan de westzijde van de Eerste Bokslootweg en het voorrangsplein aan te wijzen als verplicht fietspad in twee richtingen door plaatsing van de borden G11.

  • 7.

    De fietsstroken op de Eerste Bokslootweg opheffen door het verwijderen van de markeringen.

  • 8.

    Op het voorrangsplein de voorrang regelen door plaatsing van de borden B6.

  • 9.

    Het instellen van een verplichte rijrichting op het voorrangsplein door plaatsing van de borden C4r.

  • 10.

    Ter hoogte van het fietspad langs de westzijde van het voorrangsplein (zuidzijde Dordsestraat) de voorrang te regelen door plaatsing van het bord B6.

  • 11.

    Uitbreiden 30 zone, door het verplaatsen van 30 zone borden Emmalaan (A0130zb + A0230ze) circa 40 m richting Dordsestraat.

  • 12.

    Het verwijderen van alle verkeersborden t.b.v. de herinrichting van de Dordsestraat fase 1 (ten oosten van het spoor) met een rood kruis gemarkeerd op bijgevoegde tekening.

Verkeersborden als bedoeld in bijlage 1 van het RVV1990.

Bijlage – Bebordingsplan herinrichting Dordsestraat fase 1 (ten oosten van het spoor) te Emmen – te plaatsen en te verwijderen verkeerstekens.

Emmen, 26 maart 2024

Burgemeester en wethouders van Emmen,

namens dezen,

de teamleider van team Projecten Openbare Ruimte

V. Fennis

Ter inzage

Het verkeersbesluit is voor iedereen in te zien bij het Klant Contact Centrum van de gemeente Emmen voor een periode van zes weken na bekendmaking. Voor meer informatie over het besluit kunt u contact opnemen met dhr. M.J. Olijve via telefoonnummer 14 0591.

Bezwaar

Belanghebbenden kunnen binnen zes weken na de datum van publicatie tegen dit besluit bezwaar maken. Het bezwaarschrift dient gemotiveerd te zijn en moet worden gericht aan het college van burgemeester en wethouders van Emmen, t.a.v. de team Projecten Openbare Ruimte, Postbus 30.001, 7800 RA Emmen. Via het formulier op kan ook digitaal een bezwaarschrift worden ingediend.

Als u het bezwaarschrift te laat indient, kan het niet ontvankelijk worden verklaard. Dit betekent dat er niet wordt gekeken naar de inhoud van uw bezwaar.

Ondanks een ingediend bezwaar mag de gemeente het besluit uitvoeren. Wilt u dit voorkomen? Vraag dan om een voorlopige voorziening bij de bestuursrechter van de rechtbank Noord-Nederland in Groningen. Voor meer informatie zie www.rechtspraak.nl of bel 088 - 361 13 37.

Naar boven