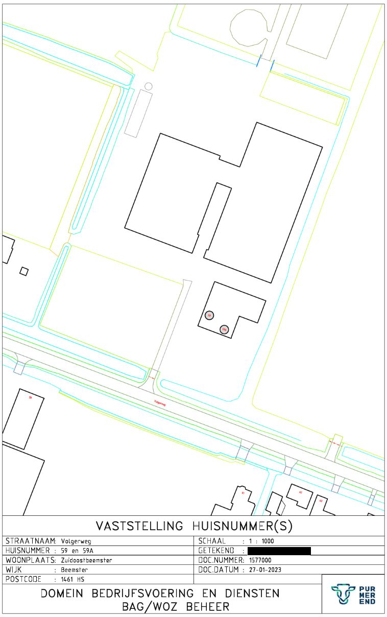
Kennisgeving huisnummerbesluit Volgerweg 59 en 59A Zuidoostbeemster
Burgemeester en wethouders van de gemeente Purmerend,
gelet op artikel 6 van de Wet basisregistratie adressen en gebouwen, artikel 149 van de Gemeentewet en de Verordening naamgeving en nummering (adressen) Purmerend,
hebben op 27 januari 2023 met besluitnummer 1577000 het volgende besloten:
1.
Conform omgevingsvergunning Z2022-00000752 d.d. 27-01-2023 betreffende het project het realiseren van een interne verbouwing t.b.v. het realiseren van twee wooneenheden, over te gaan tot vaststelling/ intrekking van de volgende nummeraanduidingen:
Vaststellen:
•
Volgerweg 59 en 59A te Zuidoostbeemster
Intrekken
•
Volgerweg 59 te Zuidoostbeemster
•
Het intrekken van de nummeraanduiding met NRA ID 0370200000001775 gaat pas in op het moment dat de verbouwing gereed is.
Aldus vastgesteld op 27 januari 2023,
de teammanager GEO
Bent u het niet eens met dit besluit?
Dan kunt u bezwaar maken. Als u dat van plan bent, neemt u dan eerst telefonisch contact met ons op. Misschien komen we samen tot een oplossing. Komen we er niet uit, dan kunt u binnen zes weken na de dag waarop het besluit is verzonden een bezwaarschrift indienen.
U kunt dat digitaal doen, dan heeft u een DigiD nodig. Of u schrijft een brief naar het team Juridische en Veiligheidszaken, Postbus 15, 1440 AA te Purmerend. Voor meer informatie zie: www.purmerend.nl/bezwaar.
In uw bezwaarschrift moet het volgende staan:
-
uw naam, adres, telefoonnummer en/of e-mailadres;
-
een duidelijke omschrijving van dit besluit;
-
de reden waarom u bezwaar maakt;
-
de datum en uw handtekening.
Dient iemand anders namens u een bezwaarschrift in? Stuurt u dan een volmacht mee. Op www.purmerend.nl/bezwaar vindt u een voorbeeld.
De hier aangeboden pdf-bestanden van het Staatsblad, Staatscourant, Tractatenblad, provinciaal blad, gemeenteblad, waterschapsblad en blad gemeenschappelijke regeling vormen de formele bekendmakingen in de zin van de Bekendmakingswet en de Rijkswet goedkeuring en bekendmaking verdragen voor zover ze na 1 juli 2009 zijn uitgegeven. Voor pdf-publicaties van vóór deze datum geldt dat alleen de in papieren vorm uitgegeven bladen formele status hebben; de hier aangeboden elektronische versies daarvan worden bij wijze van service aangeboden.