Vestiging gemeentelijk voorkeursrecht locatie ‘Oostrand’

De gemeenteraad heeft op 18 december 2023 op grond van artikelen 2 en 5 Wvg besloten om percelen gelegen in de Oostrand van Alkmaar aan te wijzen als grond(en) waarop de artikelen 10 tot en met 15, 24 en 26 van de Wvg van toepassing zijn. De aanwijzing waartoe burgemeester en wethouders op grond van artikel 6 van de Wvg op 17 oktober 2023 hebben besloten, is hiermee binnen de wettelijke termijn van drie maanden bestendigd. De aanwijzing geldt voor een termijn van ten hoogste drie jaren, te rekenen vanaf de dagtekening van het raadsbesluit van 18 december 2023, tenzij voor die periode een structuurvisie/omgevingsvisie of een bestemmingsplan/omgevingsplan is vastgesteld.

Vestiging voorkeursrecht

Besluit tot aanwijzing van percelen waarop de artikelen 10 tot en met 15, 24 en 26 Wet voorkeursrecht gemeenten van toepassing zijn.

Burgemeester en wethouders van de gemeente Alkmaar maken op grond van artikel 7, lid 1 van de Wet voorkeursrecht gemeenten ('Wvg') bekend dat de raad van de gemeente Alkmaar op 18 december 2023 heeft besloten om op grond van artikelen 2 en 5 Wvg percelen aan te wijzen waarop de artikelen 10 tot en met 15, 24 en 26 Wvg van toepassing zijn.

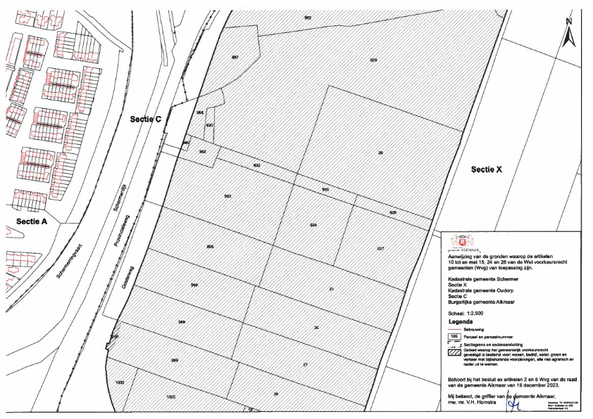
Vestigingsgebied

Het vestigingsgebied betreft percelen binnen de locatie ‘Oostrand’, ten oosten van de kern van Alkmaar. Meer specifiek ten noorden van de Noordervaart, ten westen van de Oterlekerweg, ten zuiden van de Ringvaart van de Heerhugowaard en ten oosten van de Schermerdijk, te Alkmaar. Deze percelen zijn nader aangegeven op de bij het besluit behorende kadastrale tekeningen met nummers TK-30405074-05, TK-30405074-06, TK-30405074-07 en TK-30405074-08 en de daarbij behorende lijst van eigenaren en beperkt gerechtigden, één en ander naar de stand van de openbare registers van het Kadaster per 4 oktober 2023.

De locatie ‘Oostrand’ is aangeduid als toekomstig gebied bestemd voor wonen, bedrijf, water, groen en verkeer met bijbehorende voorzieningen, alle niet-agrarisch en nader uit te werken.

Inwerkingtreding

Het besluit van de raad van 18 december 2023 treedt één dag na deze publicatie in werking. Het voorkeursrecht geldt voor een termijn van ten hoogste drie jaren, tenzij voor die periode een structuurvisie/omgevingsvisie of bestemmingsplan/omgevingsplan is vastgesteld.

Inzage stukken

Om te voldoen aan artikel 7, lid 1 Wvg ligt het besluit met bijbehorende stukken, daaronder mede begrepen de perceelsgewijze registratie, met ingang van 20 december 2023 voor

eenieder kosteloos ter inzage bij de servicebalie Vergunningen- en subsidieverlening van het Stadskantoor aan het Mallegatsplein 10-12 in Alkmaar. De servicebalie werkt alleen op afspraak. U kunt een afspraak maken met de servicebalie via www.alkmaar.nl of via telefoonnummer 14 072. Daarnaast is het besluit met bijbehorende stukken ook digitaal in te zien door het raadplegen van de volgende link: https://www.officielebekendmakingen.nl.

Kennisgeving

De eigenaren en beperkt gerechtigden met betrekking tot deze percelen ontvangen één dezer dagen een afzonderlijke kennisgeving.

Gevolgen van de vestiging

Met het raadsbesluit is de aanwijzing, waartoe burgemeester en wethouders op grond van artikel 6 Wvg op 17 oktober 2023 hebben besloten, binnen de wettelijke termijn van drie maanden bestendigd. Nadat het raadsbesluit in werking is getreden, moeten eigenaren en beperkt gerechtigden van de in het besluit begrepen percelen, wanneer zij hun percelen dan wel de daarop gevestigde beperkte rechten wensen te vervreemden, deze eerst aan de gemeente Alkmaar te koop aanbieden.

Bezwaar

Het raadsbesluit wordt aangemerkt als een besluit in de zin van de Algemene wet bestuursrecht (Awb), zodat tegen dit besluit tot aanwijzing van gemelde percelen tot gebied waarop de Wvg van toepassing is, ingevolge de Awb het indienen van een bezwaarschrift mogelijk is.

Ingevolge de Awb kunnen belanghebbenden gedurende een termijn van zes weken, ingaande op 20 december 2023, een bezwaarschrift indienen bij de raad van de gemeente Alkmaar, Postbus 53, 1800 BC Alkmaar.

Het bezwaarschrift dient te worden ondertekend en dient ten minste te bevatten:

  • a.

    de naam en het adres van de indiener;

  • b.

    de dagtekening;

  • c.

    een omschrijving van het besluit waartegen het bezwaar is gericht;

  • d.

    de gronden van het bezwaar.

Degene die een bezwaarschrift indient kan, indien onverwijlde spoed, gelet op de betrokken belangen, dat vereist, op grond van artikel 8:81 Awb tevens een verzoek om voorlopige voorziening vragen bij de voorzieningenrechter van de rechtbank Noord-Holland, sectie bestuursrecht, Postbus 1621, 2003 BR Haarlem.

Indien belanghebbenden bezwaar hebben gemaakt tegen het besluit van burgemeester en wethouders van de gemeente Alkmaar als bedoeld in artikel 6 Wvg, hoeven zij niet opnieuw een bezwaarschrift in te dienen. Het bezwaar tegen het besluit van burgemeester en wethouders wordt thans, op grond van artikel 6, lid 3 van de Wvg, geacht te zijn gericht tegen het raadsbesluit.

Nadere informatie

Voor nadere informatie kunt u contact opnemen met de heer H. Janssen, via telefoonnummer 14 072

Alkmaar, 19 december 2023.

Burgemeester en wethouders van Alkmaar.

De raad van de gemeente Alkmaar;

Gelet op

Het besluit van burgemeester en wethouders van 17 oktober 2023

Het advies van de commissie bestuur en middelen 12 december 2023

Het bepaalde in artikelen 2 en 5 Wet voorkeursrecht gemeenten.

Besluit

  • 1.

    Kennis te nemen van het besluit van het college van B&W van 17 oktober 2023 tot het toepassen van de Wet voorkeursrecht gemeenten (ex artikel 6 Wvg) op de locatie ‘Oostrand’ te Alkmaar.

  • 2.

    Te concluderen dat er thans geen planologische grondslag aanwezig is op basis waarvan het voorkeursrecht kan worden gevestigd en dat om die reden het voorkeursrecht op grond van artikelen 2 en 5 Wvg wordt gevestigd en te concluderen dat als eerstvolgende planologische grondslag wordt overgegaan tot het vaststellen van een structuurvisie/omgevingsvisie.

  • 3.

    Aan te wijzen op basis van artikelen 2 en 5 Wvg voor de duur van drie jaren als percelen waarop de artikelen 10 tot en met 15, 24 en 26 van de Wvg van toepassing zijn, de percelen, zoals aangegeven op de bij dit besluit behorende en als zodanig gewaarmerkte kadastrale tekeningen met nummers TK-30405074-05, TK-30405074-06, TK-30405074-07 en TK-30405074-08 en perceelslijst met nummer PL-30405074-02, inhoudende de kadastrale aanduiding van de in de aanwijzing opgenomen percelen, hun grootte, alsmede de namen van de eigenaren en de rechthebbenden op de daarop rustende beperkte rechten, één en ander volgens de openbare registers van het Kadaster per 4 oktober 2023.

  • 4.

    Te concluderen dat het onderhavige besluit van rechtswege vervalt drie jaar na dagtekening van dat besluit, tenzij voor dit tijdstip een structuurvisie/omgevingsvisie of een bestemmingsplan/omgevingsplan is vastgesteld.

  • 5.

    Te concluderen dat de percelen niet eerder in een aanwijzing op grond van de Wvg betrokken zijn geweest.

  • 6.

    Dit besluit te publiceren in onder meer het Gemeenteblad en het ter plaatse verschijnende blad de Stadskrant, opdat het rechtsgevolg als bedoeld in artikel 7, lid 1 Wvg ontstaat.

  • 7.

    Te concluderen dat er geen zienswijzen zijn ingediend en geen aanleiding bestaat om het raadsvoorstel en/of -besluit aan te passen.

De raad van Alkmaar, 18 december 2023

mw. drs. A.M.C.G. Schouten, burgemeester

mw. mr. V.H. Hornstra, griffier

Perceelslijst Wet voorkeursrecht gemeenten

Gemeente Alkmaar, locatie ‘Oostrand’

Lijst van aangewezen percelen in de kadastrale gemeenten Oudorp (sectie C) en Schermer (sectie X) te gemeente Alkmaar, waarop de artikelen 10 tot en met 15, 24 en 26 van de Wet voorkeursrecht gemeenten (Wvg) van toepassing zijn, zoals deze voorkomen op de kadastrale tekeningen met nummers TK-30405074-05, TK-30405074-06, TK-30405074-07 en TK-30405074-08, behorende bij het besluit van de raad van de gemeente Alkmaar ex artikelen 2 en 5 Wvg van 18 december 2023.

Kadastrale toestandsdatum per 4 oktober 2023.

 

omschrijving

sectie en nummer

ter grootte van

in aanwijzing opgenomen

omschrijving

eigenaar

zakelijk gerechtigde

opmerkingen

C 445

770 m²

Geheel

Terrein (akkerbouw)

Aandeel 1/2:

Aandeel 1/2:

sectie en nummer

ter grootte van

in aanwijzing opgenomen

omschrijving

eigenaar

zakelijk gerechtigde

opmerkingen

C 447

75.600 m²

Geheel

Terrein (akkerbouw)

Aandeel 1/2:

Aandeel 1/2:

sectie en nummer

ter grootte van

in aanwijzing opgenomen

omschrijving

eigenaar

zakelijk gerechtigde

opmerkingen

C 479

94.135 m²

Geheel

Wonen

Terrein (akkerbouw)

sectie en nummer

ter grootte van

in aanwijzing opgenomen

omschrijving

eigenaar

zakelijk gerechtigde

opmerkingen

X 18

14.670 m²

Geheel

Terrein (teelt - kweek)

Aandeel 1/2:

Aandeel 1/4:

Aandeel 1/4:

Betrokken persoon:

Betrokken persoon:

Betrokken persoon:

sectie en nummer

ter grootte van

in aanwijzing opgenomen

omschrijving

eigenaar

zakelijk gerechtigde

opmerkingen

X 19

35.170 m²

Geheel

Terrein (grasland)

sectie en nummer

ter grootte van

in aanwijzing opgenomen

omschrijving

eigenaar

zakelijk gerechtigde

opmerkingen

X 26

16.350 m²

Geheel

Terrein (grasland)

sectie en nummer

ter grootte van

in aanwijzing opgenomen

omschrijving

eigenaar

zakelijk gerechtigde

opmerkingen

X 27

17.850 m²

Geheel

Terrein (grasland)

sectie en nummer

ter grootte van

in aanwijzing opgenomen

omschrijving

eigenaar

zakelijk gerechtigde

opmerkingen

X 30

17.660 m²

Geheel

Terrein (grasland)

sectie en nummer

ter grootte van

in aanwijzing opgenomen

omschrijving

eigenaar

zakelijk gerechtigde

opmerkingen

X 31

19.580 m²

Geheel

Terrein (grasland)

sectie en nummer

ter grootte van

in aanwijzing opgenomen

omschrijving

eigenaar

zakelijk gerechtigde

opmerkingen

X 36

41.910 m²

Geheel

Terrein (grasland)

Aandeel 1/3:

Aandeel 1/3:

Aandeel 1/3:

Betrokken samenwerkingsverband:

Betrokken persoon:

sectie en nummer

ter grootte van

in aanwijzing opgenomen

omschrijving

eigenaar

zakelijk gerechtigde

opmerkingen

X 49

27.370 m²

Geheel

Terrein (grasland)

Aandeel 1/3:

Aandeel 1/3:

Aandeel 1/3:

Zakelijk recht als bedoeld in artikel 5, lid 3, onder b, van de Belemmeringenwet Privaatrecht: N.V. Watertransportmaatschappij Rijn-Kennemerland (W.R.K.)

Betrokken samenwerkingsverband:

Betrokken persoon:

sectie en nummer

ter grootte van

in aanwijzing opgenomen

omschrijving

eigenaar

zakelijk gerechtigde

opmerkingen

X 61

37.050 m²

Geheel

Terrein (akkerbouw)

Aandeel 1/3:

Aandeel 1/3:

Aandeel 1/3:

Betrokken samenwerkingsverband:

Betrokken persoon:

sectie en nummer

ter grootte van

in aanwijzing opgenomen

omschrijving

eigenaar

zakelijk gerechtigde

opmerkingen

X 62

14.790 m²

Geheel

Terrein (grasland)

Erfpacht (recht van):

Betrokken persoon

sectie en nummer

ter grootte van

in aanwijzing opgenomen

omschrijving

eigenaar

zakelijk gerechtigde

opmerkingen

X 929

83.545 m²

Geheel

Terrein (grasland)

Aandeel 1/3:

Aandeel 1/3:

Aandeel 1/3:

Zakelijk recht als bedoeld in artikel 5, lid 3, onder b, van de Belemmeringenwet Privaatrecht: N.V. Watertransportmaatschappij Rijn-Kennemerland (W.R.K.)

Betrokken samenwerkingsverband:

Betrokken persoon:

sectie en nummer

ter grootte van

in aanwijzing opgenomen

omschrijving

eigenaar

zakelijk gerechtigde

opmerkingen

X 930

965 m²

Geheel

Terrein (akkerbouw)

Aandeel 1/3:

Aandeel 1/3:

Aandeel 1/3:

Zakelijk recht als bedoeld in artikel 5, lid 3, onder b, van de Belemmeringenwet Privaatrecht: N.V. Watertransportmaatschappij Rijn-Kennemerland (W.R.K.)

Betrokken samenwerkingsverband:

Betrokken persoon:

sectie en nummer

ter grootte van

in aanwijzing opgenomen

omschrijving

eigenaar

zakelijk gerechtigde

opmerkingen

X 932

3.067 m²

Geheel

Terrein (grasland)

Aandeel 1/3:

Aandeel 1/3:

Aandeel 1/3:

Zakelijk recht als bedoeld in artikel 5, lid 3, onder b, van de Belemmeringenwet Privaatrecht: N.V. Watertransportmaatschappij Rijn-Kennemerland (W.R.K.)

Betrokken samenwerkingsverband:

Betrokken persoon:

sectie en nummer

ter grootte van

in aanwijzing opgenomen

omschrijving

eigenaar

zakelijk gerechtigde

opmerkingen

X 934

12.885 m²

Geheel

Terrein (grasland)

sectie en nummer

ter grootte van

in aanwijzing opgenomen

omschrijving

eigenaar

zakelijk gerechtigde

opmerkingen

X 935

2.275 m²

Geheel

Terrein (grasland)

Aandeel 1/3:

Aandeel 1/3:

Aandeel 1/3:

Betrokken samenwerkingsverband:

Betrokken persoon:

sectie en nummer

ter grootte van

in aanwijzing opgenomen

omschrijving

eigenaar

zakelijk gerechtigde

opmerkingen

X 936

2.835 m²

Geheel

Terrein (grasland)

Aandeel 1/3:

Aandeel 1/3:

Aandeel 1/3:

Betrokken samenwerkingsverband:

Betrokken persoon:

sectie en nummer

ter grootte van

in aanwijzing opgenomen

omschrijving

eigenaar

zakelijk gerechtigde

opmerkingen

X 937

15.840 m²

Geheel

Terrein (grasland)

sectie en nummer

ter grootte van

in aanwijzing opgenomen

omschrijving

eigenaar

zakelijk gerechtigde

opmerkingen

X 977

36.035 m²

Geheel

Terrein (akkerbouw)

Erfpacht (recht van): Betrokken persoon:

sectie en nummer

ter grootte van

in aanwijzing opgenomen

omschrijving

eigenaar

zakelijk gerechtigde

opmerkingen

X 978

29.035 m²

Geheel

Terrein (akkerbouw)

Erfpacht (recht van):

Betrokken persoon:

sectie en nummer

ter grootte van

in aanwijzing opgenomen

omschrijving

eigenaar

zakelijk gerechtigde

opmerkingen

X 979

13.720 m²

Geheel

Terrein (akkerbouw)

Aandeel 1/3:

Aandeel 1/3:

Aandeel 1/3:

Betrokken samenwerkingsverband:

Betrokken persoon:

sectie en nummer

ter grootte van

in aanwijzing opgenomen

omschrijving

eigenaar

zakelijk gerechtigde

opmerkingen

X 981

22.295 m²

Geheel

Terrein (akkerbouw)

Aandeel 1/3:

Aandeel 1/3:

Aandeel 1/3:

Betrokken samenwerkingsverband:

Betrokken persoon:

sectie en nummer

ter grootte van

in aanwijzing opgenomen

omschrijving

eigenaar

zakelijk gerechtigde

opmerkingen

X 985

49.300 m²

Geheel

Terrein (akkerbouw)

Aandeel 1/3:

Aandeel 1/3:

Aandeel 1/3:

Zakelijk recht als bedoeld in artikel 5, lid 3, onder b, van de Belemmeringenwet Privaatrecht op gedeelte van perceel: N.V. Watertransportmaatschappij Rijn-Kennemerland (W.R.K.)

Betrokken samenwerkingsverband:

Betrokken persoon:

sectie en nummer

ter grootte van

in aanwijzing opgenomen

omschrijving

eigenaar

zakelijk gerechtigde

opmerkingen

X 987

7.690 m²

Geheel

Terrein (akkerbouw)

Aandeel 1/3:

Aandeel 1/3:

Aandeel 1/3:

Zakelijk recht als bedoeld in artikel 5, lid 3, onder b, van de Belemmeringenwet Privaatrecht op gedeelte van perceel: N.V. Watertransportmaatschappij Rijn-Kennemerland (W.R.K.)

Betrokken samenwerkingsverband:

Betrokken persoon:

sectie en nummer

ter grootte van

in aanwijzing opgenomen

omschrijving

eigenaar

zakelijk gerechtigde

opmerkingen

X 988

2.595 m²

Geheel

Terrein (akkerbouw)

Aandeel 1/3:

Aandeel 1/3:

Aandeel 1/3:

Betrokken samenwerkingsverband:

Betrokken persoon:

sectie en nummer

ter grootte van

in aanwijzing opgenomen

omschrijving

eigenaar

zakelijk gerechtigde

opmerkingen

X 990

320 m²

Geheel

Terrein (akkerbouw)

sectie en nummer

ter grootte van

in aanwijzing opgenomen

omschrijving

eigenaar

zakelijk gerechtigde

opmerkingen

X 992

2.463 m²

Geheel

Terrein (akkerbouw)

Zakelijk recht als bedoeld in artikel 5, lid 3, onder b, van de Belemmeringenwet Privaatrecht: N.V. Watertransportmaatschappij Rijn-Kennemerland (W.R.K.)

sectie en nummer

ter grootte van

in aanwijzing opgenomen

omschrijving

eigenaar

zakelijk gerechtigde

opmerkingen

X 993

22.400 m²

Geheel

Terrein (akkerbouw)

Zakelijk recht als bedoeld in artikel 5, lid 3, onder b, van de Belemmeringenwet Privaatrecht: N.V. Watertransportmaatschappij Rijn-Kennemerland (W.R.K.)

sectie en nummer

ter grootte van

in aanwijzing opgenomen

omschrijving

eigenaar

zakelijk gerechtigde

opmerkingen

X 995

16.280 m²

Geheel

Terrein (akkerbouw)

Zakelijk recht als bedoeld in artikel 5, lid 3, onder b, van de Belemmeringenwet Privaatrecht: N.V. Watertransportmaatschappij Rijn-Kennemerland (W.R.K.)

sectie en nummer

ter grootte van

in aanwijzing opgenomen

omschrijving

eigenaar

zakelijk gerechtigde

opmerkingen

X 996

14.235 m²

Geheel

Terrein (akkerbouw)

Zakelijk recht als bedoeld in artikel 5, lid 3, onder b, van de Belemmeringenwet Privaatrecht: N.V. Watertransportmaatschappij Rijn-Kennemerland (W.R.K.)

sectie en nummer

ter grootte van

in aanwijzing opgenomen

omschrijving

eigenaar

zakelijk gerechtigde

opmerkingen

X 998

14.410 m²

Geheel

Terrein (akkerbouw)

Zakelijk recht als bedoeld in artikel 5, lid 3, onder b, van de Belemmeringenwet Privaatrecht: N.V. Watertransportmaatschappij Rijn-Kennemerland (W.R.K.)

sectie en nummer

ter grootte van

in aanwijzing opgenomen

omschrijving

eigenaar

zakelijk gerechtigde

opmerkingen

X 999

14.899 m²

Geheel

Terrein (grasland)

Zakelijk recht als bedoeld in artikel 5, lid 3, onder b, van de Belemmeringenwet Privaatrecht: N.V. Watertransportmaatschappij Rijn-Kennemerland (W.R.K.)

sectie en nummer

ter grootte van

in aanwijzing opgenomen

omschrijving

eigenaar

zakelijk gerechtigde

opmerkingen

X 1000

540 m²

Geheel

Terrein (grasland)

Betrokken persoon:

sectie en nummer

ter grootte van

in aanwijzing opgenomen

omschrijving

eigenaar

zakelijk gerechtigde

opmerkingen

X 1002

3.645 m²

Geheel

Terrein (grasland)

Betrokken persoon:

sectie en nummer

ter grootte van

in aanwijzing opgenomen

omschrijving

eigenaar

zakelijk gerechtigde

opmerkingen

X 1003

33.615 m²

Geheel

Terrein (grasland)

Zakelijk recht als bedoeld in artikel 5, lid 3, onder b, van de Belemmeringenwet Privaatrecht: N.V. Watertransportmaatschappij Rijn-Kennemerland (W.R.K.)

sectie en nummer

ter grootte van

in aanwijzing opgenomen

omschrijving

eigenaar

zakelijk gerechtigde

opmerkingen

X 1010

8.370 m²

Geheel

Terrein (akkerbouw)

sectie en nummer

ter grootte van

in aanwijzing opgenomen

omschrijving

eigenaar

zakelijk gerechtigde

opmerkingen

X 1017

17.900 m²

Geheel

Perceel grond - gebruik onbekend

Aandeel 1/2:

Aandeel 1/4:

Aandeel 1/4:

Betrokken persoon:

Betrokken persoon:

Betrokken persoon:

sectie en nummer

ter grootte van

in aanwijzing opgenomen

omschrijving

eigenaar

zakelijk gerechtigde

opmerkingen

X 1019

3.390 m²

Geheel

Perceel grond - gebruik onbekend

Aandeel 1/2:

Aandeel 1/4:

Aandeel 1/4:

Zakelijk recht als bedoeld in artikel 5, lid 3, onder b, van de Belemmeringenwet Privaatrecht: Provincie Noord-Holland

Betrokken persoon:

Betrokken persoon:

Betrokken persoon:

sectie en nummer

ter grootte van

in aanwijzing opgenomen

omschrijving

eigenaar

zakelijk gerechtigde

opmerkingen

X 1021

17.590 m²

Geheel

Perceel grond - gebruik onbekend

Aandeel 1/2:

Aandeel 1/4:

Aandeel 1/4:

Zakelijk recht als bedoeld in artikel 5, lid 3, onder b, van de Belemmeringenwet Privaatrecht: Provincie Noord-Holland

Betrokken persoon:

Betrokken persoon:

Betrokken persoon:

sectie en nummer

ter grootte van

in aanwijzing opgenomen

omschrijving

eigenaar

zakelijk gerechtigde

opmerkingen

X 1023

12.090 m²

Geheel

Perceel grond - gebruik onbekend

Aandeel 1/2:

Aandeel 1/4:

Aandeel 1/4:

Betrokken persoon:

Betrokken persoon:

Betrokken persoon:

Behoort bij het besluit van de raad van de gemeente Alkmaar van 18 december 2023.

Mij bekend,

de griffier van de gemeente Alkmaar,

mw. mr. V.H. Hornstra

 

 

 

 

Naar boven