Verkeerbesluit voor het instellen van diverse verkeersmaatregelen ter hoogte van Molenheide, Kempenweg, De Kemmer en Slingerbos te Oirschot

23.I000053

Het college van burgemeester en wethouders van de gemeente Oirschot;

Gelet op:

  • -

    de bepalingen in de Wegenverkeerswet 1994 (hierna WVW 1994);

  • -

    de bepalingen in het Reglement Verkeersregels en Verkeerstekens 1990 (hierna RVV 1990);

  • -

    de bepalingen van het Besluit administratieve bepalingen inzake het wegverkeer (hierna BABW);

  • -

    de Algemene wet bestuursrecht (Awb);

  • -

    de 2e wijziging van de Algemene mandaatregeling gemeente Oirschot 2021 met daarbij behorend mandaatregister;

Overwegende dat:

  • -

    de betreffende wegen in beheer en eigendom van gemeente Oirschot zijn en het college op grond van artikel 18, eerste lid, onder d, van de WVW 1994 het bevoegd gezag is voor het nemen van een verkeersbesluit;

  • -

    de bevoegdheid voor het nemen van verkeersbesluiten in de Algemene mandaatregeling Oirschot 2021 met daarbij behorend mandaatregister is gemandateerd aan de verkeerskundige van het team Realisatie en Realisatie;

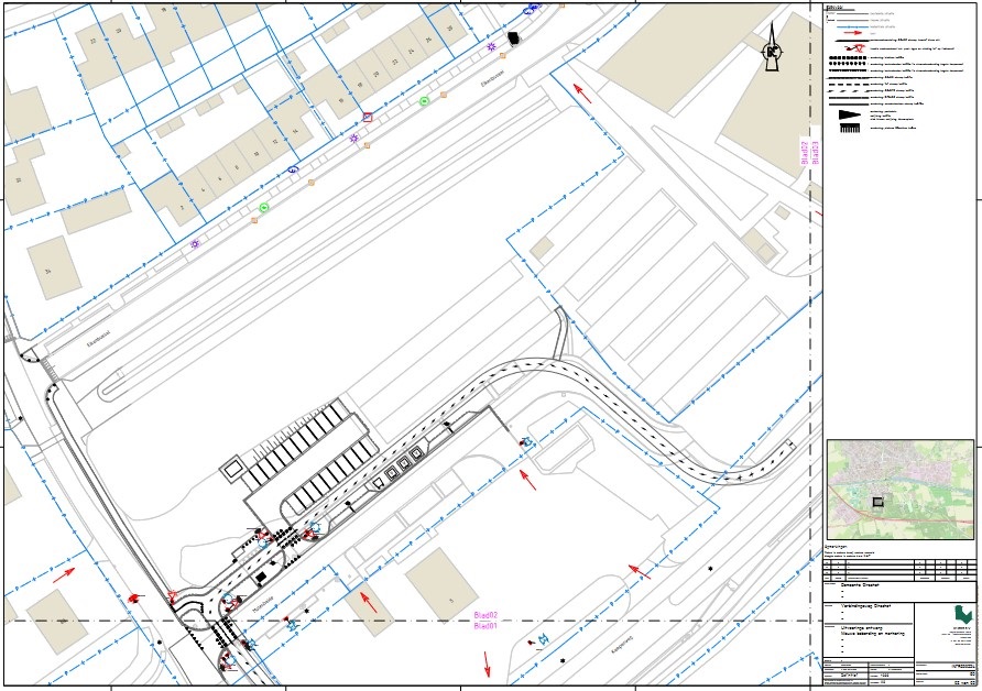
  • -

    de omgeving van de Kempenweg tussen de rotonde met de Bestseweg en de op- en afrit met de A58 deels wordt gereconstrueerd ter voorbereiding op het realiseren van een toekomstige verbindingsweg;

  • -

    in het kader van deze reconstructie de fiets/bromfietspaden structuur rondom de rotonde Kempenweg - De Kemmer – Slingerbos gewijzigd wordt;

  • -

    in de huidige situatie langs de westzijde van de Kempenweg een 2-richtingen fietspad en aan de oostzijde van de Kempenweg een (1-richting) fietspad tussen de rotondes met de Bestseweg en De Kemmer/Slingerbos aanwezig is;

  • -

    door de aanleg van een nieuw 2-richtingen fietspad langs de noordzijde van Molenheide een doorgaande 2-richtingen fietsroute langs de westzijde van de Kempenweg ontstaat;

  • -

    hiermee het fietspad langs de oostzijde van de Kempenweg tussen de rotondes met de Bestseweg en De Kemmer – Slingerbos overbodig wordt;

  • -

    de westelijke- en zuidoostelijke fietsoversteekplaatsen op de rotonde Kempenweg – De Kemmer – Slingerbos ook overbodig worden;

  • -

    door het bundelen van het fietsverkeer aan de westzijde van de Kempenweg minder fiets oversteekbewegingen over de Kempenweg ontstaan;

  • -

    uit oogpunt van uniformiteit en verkeersveiligheid het wenselijk is dat fietsverkeer op de doorgaande fietsroute voorrang heeft op het overige verkeer op de kruispunten met Molenheide en de verbindingsweg naar het parkeerterrein aan de noordzijde van Molenheide;

  • -

    tevens de twee bestaande bushaltes langs de Kempenweg worden verplaatst;

  • -

    de locaties van de nieuwe bushaltes dichter bij het Kempenhorst College komen te liggen, en worden voorzien van een verkeersregelinstallatie, waarmee de loopafstanden voor leerlingen verkort worden en er een directe verkeersveilige oversteek vanaf de bushalte naar het Kempenhorstcollege ontstaat;

  • -

    op het Moleneind een parkeerstrook aanwezig is die bedoeld is voor laden en lossen van brandstoffen en/of overige goederen van de benzinepomp;

  • -

    op de parkeerstrook een parkeerverbod is ingesteld;

  • -

    een parkeerverbod niet voorkomt dat overige voertuigen stil mogen staan op deze strook;

  • -

    door het vaststellen van een laad- en losgelegenheid voorkomen wordt dat voertuigen die niet komen laden en lossen van de betreffende strook gebruik mogen maken;

  • -

    niet is gebleken dat belanghebbenden onevenredig worden benadeeld door de genoemde verkeersmaatregel, dan wel dat door de te treffen verkeersmaatregelen onduidelijke verkeerssituaties zullen ontstaan;

  • -

    gelet op artikel 24 BABW overleg is gevoerd met de korpschef van de politieregio Oost Brabant dan wel diens gemandateerde.

Besluit:

  • 1.

    Door het verwijderen van verkeersborden E1 van Bijlage I van het RVV 1990 het parkeerverbod op de strook aan de oostzijde van Molenheide op te heffen;

  • 2.

    Door het plaatsen van verkeersbord E7 van Bijlage I van het RVV 1990 de strook aan de oostzijde van Molenheide als parkeergelegenheid voor het onmiddellijk laden en lossen van goederen vast te stellen;

  • 3.

    Door het plaatsen van verkeersbord C14 van Bijlage I van het RVV 1990 het verbindingspad tussen de fiets/bromfietspaden rondom de rotonde Kempenweg - De Kemmer - Slingerbos en de Kempenweg voor fietsers gesloten te verklaren;

  • 4.

    Door het aanbrengen van haaientanden als bedoeld in artikel 80 van het RVV 1990 het kruispunt van het opvang bromfietspad vanaf de Kempenweg en het 2-richtingen fiets/bromfietspad rondom de rotonde als voorrangskruispunt vast te stellen met voorrang ten gunste van het 2-richtingen fiets/bromfietspad;

  • 5.

    Door het aanbrengen van haaientanden als bedoeld in artikel 80 van het RVV 1990 het kruispunt van de 2-richtingen fiets/bromfietspaden aan de zuidwestzijde (Slingerbos) en noordoostzijde (Kempenweg) als voorrangskruispunt vast te stellen met voorrang ten gunste van het fiets/bromfietspad aan de zuidwestzijde van de rotonde;

  • 6.

    Door het aanbrengen van haaientanden als bedoeld in artikel 80 van het RVV 1990 het kruispunt van het 2-richtingen fiets/bromfietspad langs de oostzijde van Slingerbos met Molenheide als voorrangskruispunt vast te stellen met voorrang ten gunste van het 2-richtingen fiets/bromfietspad;

  • 7.

    Door het plaatsen van verkeersbord B6 van Bijlage I van het RVV 1990 en het aanbrengen van haaientanden als bedoeld in artikel 80 van het RVV 1990 het kruispunt van het 2-richtingen fiets/bromfietspad langs de noordzijde van Molenheide met het Slingerbos als voorrangskruispunt vast te stellen met voorrang ten gunste van het verkeer op het Slingerbos;

  • 8.

    Door het plaatsen van verkeersbord B6 van Bijlage I van het RVV 1990 en het aanbrengen van haaientanden als bedoeld in artikel 80 van het RVV 1990 het kruispunt van het P+R parkeerterrein met het 2-richtingen fietspad beide aan de noordzijde van Molenheide als voorrangskruispunt vast te stellen met voorrang ten gunste van het 2-richtingen fietspad;

  • 9.

    door het wijzigen van de verkeersborden G11 door verkeersborden G12a van Bijlage I van het RVV 1990 en het aanbrengen van asmarkering de fietspaden langs de noordwestzijde en noordoostzijde van de rotonde Kempenweg - De Kemmer - Slingerbos te wijzigen in 2-richtingen fiets/bromfietspaden;

  • 10.

    door het wijzigen van de verkeersborden G11 door verkeersborden G12a van Bijlage I van het RVV 1990 en het aanbrengen van asmarkering het fietspad langs de noordzijde van De Kemmer richting de rotonde Kempenweg - De Kemmer - Slingerbos te wijzigen in een 2-richtingen fiets/bromfietspad;

  • 11.

    door het verwijderen van verkeersborden G11 van Bijlage I van het RVV 1990 het fietspad langs de zuidwestzijde en zuidoostzijde van de rotonde Kempenweg - De Kemmer - Slingerbos op te heffen;

  • 12.

    door het verwijderen van verkeersbord G11 van Bijlage I van het RVV 1990 het fietspad langs de zuidwestzijde van De Kemmer op te heffen;

  • 13.

    door het verwijderen van verkeersbord G11 van Bijlage I van het RVV 1990 het fietspad langs de zuidoostzijde van de Kempenweg tussen de rotonde Kempenweg - De Kemmer - Slingerbos en Moorland op te heffen;

  • 14.

    door het plaatsen van verkeersbord G11 van Bijlage I van het RVV 1990 en het aanbrengen van asmarkering het pad aan de noordzijde van Molenheide als 2-richtingen fietspad vast te stellen;

  • 15.

    door het verwijderen van verkeersbord L2 van Bijlage I van het RVV 1990 een bushalte op de Kempenweg tegenover het tankstation op te heffen;

  • 16.

    door het verwijderen van verkeersbord L2 van Bijlage I van het RVV 1990 een bushalte op de Kempenweg tussen de rotonde Kempenweg – De Kemmer – Slingerbos en de oprit A58 op te heffen;

  • 17.

    door het plaatsen van de verkeersborden L2 van Bijlage I van het RVV 1990 langs beide zijden van de Kempenweg ter hoogte van de fietsoversteekplaats bij het Kempenhorst College twee bushaltes vast te stellen;

  • 18.

    de overige verkeersmaatregelen op het weggedeelte van de Kempenweg tussen de rotondes met de Bestseweg en De Kemmer/Slingerbos in stand te laten;

  • 19.

    de in dit verkeerbesluit genoemde verkeersmaatregelen conform de bij dit besluit behorende tekeningen uit te voeren;

  • 20.

    dit verkeersbesluit treedt in werking op de dag na bekendmaking en wordt geëffectueerd op het moment dat de verkeersborden geplaatst/verwijderd zijn en markeringen zijn aangebracht.

Oirschot, 3 februari 2023

Namens burgemeester en wethouders,

Jacob Beens

Verkeerskundige team Realisatie en Beheer

Mededelingen

Ter inzage

Het verkeersbesluit is voor iedereen in te zien via https://www.officielebekendmakingen.nl/ of www.overheid.nl.

Bent u het niet eens met dit besluit?

Ondanks zorgvuldige voorbereiding kan het zijn dat u het niet eens bent met dit besluit. Dan kunt u bezwaar maken. In dat geval adviseren wij u om eerst telefonisch contact op te nemen. U kunt hiervoor bellen met de behandelend ambtenaar, wiens naam onderaan in het besluit bij ‘vragen’ staat vermeld.

Schriftelijk

Wilt u bezwaar maken, dan kunt u een bezwaarschrift sturen naar het bestuursorgaan van de gemeente Oirschot (het college van burgemeester en wethouders, de gemeenteraad of de burgemeester) dat het besluit heeft genomen. Het adres is: Postbus 11, 5688 ZG Oirschot.

In uw bezwaarschrift moet het volgende staan:

  • uw naam, adres en telefoonnummer;

  • een duidelijke omschrijving van het besluit waartegen u bezwaar maakt (door de datum en ons kenmerk van het besluit te vermelden of een kopie van het besluit mee te sturen);

  • de reden waarom u bezwaar maakt;

  • de datum en uw handtekening.

Digitaal

U kunt digitaal een bezwaar indienen via onze website www.oirschot.nl onder Digitaal Loket.

U dient daarvoor te beschikken over een elektronische handtekening (DigiD). Kijk op de genoemde site voor de voorwaarden.

Het bezwaarschrift moet binnen zes weken na de dag van verzending van deze brief bij het betreffende bestuursorgaan worden ingediend. Daarmee voorkomt u dat wij uw bezwaarschrift niet meer kunnen behandelen.

Voorlopige voorziening

Met deze bekendmaking treedt het besluit in werking. Het indienen van een bezwaarschrift heeft geen schorsende werking. Dat betekent dat het besluit blijft gelden in de tijd dat uw bezwaarschrift in behandeling is. Als u dit niet wilt, bij voorbeeld omdat het besluit onherstelbare gevolgen voor u heeft, dan kunt u een verzoek om voorlopige voorziening indienen bij de voorzieningenrechter van de rechtbank. Het adres is: Postbus 90125, 5200 MA ’s-Hertogenbosch. U kunt ook digitaal een verzoek om voorlopige voorziening indienen bij genoemde rechtbank via http://loket.rechtspraak.nl/bestuursrecht. U dient daarvoor te beschikken over een elektronische handtekening (DigiD). Kijk op de genoemde site voor de voorwaarden.

U kunt een verzoek om voorlopige voorziening alleen indienen als u ook een bezwaarschrift heeft ingediend. Voor de behandeling van een verzoek om voorlopige voorziening wordt door de rechtbank griffierecht in rekening gebracht.

Meer informatie

Voor meer informatie over dit verkeersbesluit kunt u tijdens kantoortijden contact opnemen met de verkeerskundige J. Beens via telefoonnummer (0499) 58 33 33 of per mail info@oirschot.nl.

Bijlage 1: Totaaltekening overzicht bebording= en markeringstekening

Bijlage 2: Detailtekening bebording – en markering

Naar boven