Bekendmaking vestiging Wet voorkeursrecht gemeenten op het perceel Schieweg 13 in Schieoevers-Noord te Delft
Het College van burgemeester en wethouders van Delft (het College) maken op grond van artikel 7, lid 1 van de Wet voorkeursrecht gemeenten (Wvg) bekend dat de gemeenteraad van de gemeente Delft op 7 december 2023 heeft besloten om op grond van artikel 2 en artikel 4 lid 1 van de Wvg een perceel aan te wijzen waarop de artikelen 10 tot en met 15, 24 en 26 van de Wvg van toepassing zijn.
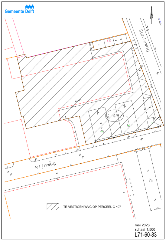
Het perceel is gelegen op het industrieterrein Schieoevers-Noord en is plaatselijk bekend als Schieweg 13, 2627 AN Delft, kadastraal bekend als gemeente Delft, sectie G, nummer 497. Het bij de aanwijzing betrokken perceel heeft een toekomstige bestemming voor “Bedrijventerrein” en ‘‘Parken en Groenstructuren’’ danwel een intensiever gebruik dan het huidige bestemmingsplan biedt.
Met het besluit van de gemeenteraad is het perceel aangewezen als perceel waarop de artikelen 10 tot en met 15, 24 en 26 van de Wvg van toepassing zijn voor een periode van in beginsel drie jaar. Het besluit tot aanwijzing vervalt na deze periode van drie jaar van rechtswege, tenzij voordien een bestemmingsplan of inpassingsplan is vastgesteld.
Inwerkingtreding
Het besluit van de gemeenteraad treedt in werking één (werk)dag na publicatie in het Gemeenteblad te weten op 12 december 2023
Ter inzage
Het raadsbesluit d.d. 7 december 2023 ligt samen met de bijbehorende stukken, bevattende de kadastrale kaart en een lijst met daarop de kadastrale aanduiding van de in de aanwijzing opgenomen percelen, de grootte, alsmede de naam van de eigenaren, en overige relevante gegevens, met ingang van 12 december 2023 gedurende zes weken voor eenieder kosteloos ter inzage bij de gemeente aan het Stationsplein 1 te Delft. De openingstijden zijn op maandag tot en met donderdag van 8:30 tot 17.00 uur en op vrijdag van 8.30 tot 20.00. Voor het inzien van de stukken dient een afspraak gemaakt te worden bij de gemeente Delft. Afspraak maken kan via het telefoonnummer 14015 of via http://www.delft.nl/idd/afspraak
Gevolgen
De vestiging van het voorkeursrecht houdt in dat eigenaren en/of beperkt gerechtigden van de aangewezen percelen, wanneer zij die wensen te verkopen respectievelijk erop gevestigde beperkte rechten wensen te vervreemden, deze eerst aan de gemeente Delft moeten aanbieden. De eigenaren en de eventuele rechthebbenden op beperkte rechten ontvangen hierover één dezer dagen bij aangetekend schrijven bericht over de inhoud van het besluit en de gevolgen daarvan.
Bezwaar en voorlopige voorziening
Ingevolge de Algemene wet bestuursrecht kunnen belanghebbenden gedurende een termijn van zes weken ingaande op 12 december 2023 (de werkdag na publicatie in het Gemeenteblad) bezwaar indienen tegen het besluit van de gemeenteraad. In het ondertekende bezwaarschrift moet worden opgenomen: de naam en het adres van de belanghebbende, de datum, een omschrijving van het besluit waartegen het bezwaar is gericht en de gronden van het bezwaarschrift (de motivering). Het bezwaarschrift dient te worden gericht aan de gemeenteraad van de gemeente Delft, Postbus 78, 2600 ME Delft.
Aanwijzing voorkeursrecht perceel op Schieweg 13 in Schieoevers-Noord te Delft
De gemeenteraad besluit:
1.
ingevolge artikel 2 en 4 van de Wet voorkeursrecht gemeenten (Wvg), het perceel gelegen aan de Schieweg 13, 2627 AN Delft kadastraal bekend als gemeente Delft, sectie G, nummer 497, zoals aangegeven op de bij dit besluit behorende en daarvan deel uit makende als zodanig gewaarmerkte kadastrale tekening/kaart en de bijbehorende en daarvan deel uit makende perceellijst, vermeldende de kadastrale aanduiding van de in de aanwijzing opgenomen percelen, de grootte alsmede de naam en vestigingsplaats van de eigenaar, één en ander volgens de registers van het kadaster, aan te wijzen als gronden waarop de artikelen 10 tot en met 15, 24, en 26 van de Wvg van toepassing zijn;
2.
Toepassing te geven aan artikel 7 van de Wvg door het raadsbesluit voor eenieder ter inzage te leggen. Deze ter inzagelegging bekend te maken in het Gemeenteblad, en de betrokken eigenaren bij aangetekende brief in kennis te stellen van de (betekenis van de) aanwijzing;
3.
Burgemeester en wethouders te machtigen alle in het kader van de Wet voorkeursrecht gemeenten noodzakelijke handelingen te verrichten (of te laten verrichten) zoals onder meer het doen vertegenwoordigen van de raad in bezwaar- en beroepsprocedures en/of overige rechtsgedingen danwel rechtshandelingen.
Bijlage 1: Perceellijst en kadastrale tekening.
Aldus vastgesteld in de openbare raadsvergadering van 7 december 2023
De hier aangeboden pdf-bestanden van het Staatsblad, Staatscourant, Tractatenblad, provinciaal blad, gemeenteblad, waterschapsblad en blad gemeenschappelijke regeling vormen de formele bekendmakingen in de zin van de Bekendmakingswet en de Rijkswet goedkeuring en bekendmaking verdragen voor zover ze na 1 juli 2009 zijn uitgegeven. Voor pdf-publicaties van vóór deze datum geldt dat alleen de in papieren vorm uitgegeven bladen formele status hebben; de hier aangeboden elektronische versies daarvan worden bij wijze van service aangeboden.